The Biota of the Gordon Natural Area - Plants
Vascular Plants at the GNA
Plant life at the GNA has long held an attraction for both faculty (beginning with Dr. Gordon) and students. Dr. William Overlease conducted extensive research in the GNA, with much of his work focused on the vegetative succession of a former corn field in what is now the western part of the preserve. There have been three site-wide floristic surveys of the GNA: during 1984 (by biology students Jack Holt and Jim Plyler); during 2007 by botanical consultants Jack Holt (the former student) and Janet Ebert; and during 2017-19 in a ‘follow-up’ survey by Jack Holt and Janet Ebert. In 2002, former GNA Stewardship Manager Gerry Hertel began establishing what would become 22 ‘Floristic Health Management’ (FHM) plots. While these were primarily monitored only for woody plants, in 2004 the 18 plots that had been established by that time were also surveyed for herbaceous species. And throughout the history of the GNA there have been many student projects that focused on portions of the GNA flora. Because of this intensity of effort, vascular plants constitute the best-known biotic group at the GNA.
Despite the Gordon’s relatively small size (~ 126 acres) and its proximity to extensive development, the preserve supports an extremely high diversity of native plants (in addition to a large component of introduced plant species). The compiled plant list for the site currently contains 663 species in 364 genera, 110 families, and 56 orders. Five species are on the Pennsylvania Natural Heritage Program's list of species of conservation concern, and many additional species are locally significant.
It should be noted that these 663 species represent all vascular plant species that have been noted at the Gordon Natural Area since the inception of data collecting. Some species have only been observed a single time, and in some cases, the last observation occurred many years ago. For example, New Jersey Tea (Ceanothus americanus), which was formerly a state-listed species, was last noted in the GNA in 1978.
Perhaps a better measure of the GNA’s vascular plant richness can be obtained by looking only at those species that have been noted since the beginning of 2004 (i.e., at the initiation of comprehensive monitoring in the FHM plots). During that period (i.e., 2004-present), 606 species of vascular plants were noted in the GNA.
You can explore the vascular plant checklist below, or you can access a pdf copy of the checklist.
Asplenium platyneuron (Ebony Spleenwort)
Group: Plants
Type: Ferns & Fern Allies
Family: Aspleniaceae
Notes
Common Name: Ebony Spleenwort
Growth Habit: Forb/herb
Duration: Perennial
Origin: Native to the conterminous United States
Years Noted: 1984; 2004; 2007; 2018
General Floristic References:
Chadde, S. W. (2013). Northeast Ferns: A Field Guide to the Ferns and Fern Relatives of the Northeastern United States. New York, NY, Houghton Mifflin Company (p. 52).
Cobbe, B., et al. (2005). Ferns of Northeastern and Central North America. Second Edition. Framingham, MA; New York, NY, New England Wildflower Society (p. 70-71).
Rhoads, A. F. and T. A. Block (2007). The Plants of Pennsylvania. Philadelphia, PA, University of Pennsylvania Press (p. 90).
Online Resources for Asplenium platyneuron:
Lady Bird Johnson Wildflower Center Plant Database
Dennstaedtia punctilobula (Eastern Hayscented Fern)
Group: Plants
Type: Ferns & Fern Allies
Family: Dennstaedtiaceae
Notes
Common Name: Eastern Hayscented Fern
Growth Habit: Forb/herb
Duration: Perennial
Origin: Native to the conterminous United States
Years Noted: 1984; 2007; 2016-2025
Allelopathic: Yes
Deer Resistant: Yes
General Floristic References:
Chadde, S. W. (2013). Northeast Ferns: A Field Guide to the Ferns and Fern Relatives of the Northeastern United States. New York, NY, Houghton Mifflin Company (p. 116).
Cobbe, B., et al. (2005). Ferns of Northeastern and Central North America. Second Edition. Framingham, MA; New York, NY, New England Wildflower Society (p. 115-17).
Rhoads, A. F. and T. A. Block (2007). The Plants of Pennsylvania. Philadelphia, PA, University of Pennsylvania Press (p. 81).
Online Resources for Dennstaedtia punctilobula:
Lady Bird Johnson Wildflower Center Plant Database
Images
Athyrium filix. femina (Common Ladyfern)
Group: Plants
Type: Ferns & Fern Allies
Family: Dryopteridaceae
Notes
Common Name: Common Ladyfern
Growth Habit: Forb/herb
Duration: Perennial
Origin: Native to the conterminous United States
Years Noted: 1984; 2004; 2007; 2016-2024
Dispersed By: Wind
Deer Resistant: Yes
iNaturalist Observations from the GNA:
121637982 (Observed: 6/13/2022)
General Floristic References:
Chadde, S. W. (2013). Northeast Ferns: A Field Guide to the Ferns and Fern Relatives of the Northeastern United States. New York, NY, Houghton Mifflin Company (p. 70-71).
Cobbe, B., et al. (2005). Ferns of Northeastern and Central North America. Second Edition. Framingham, MA; New York, NY, New England Wildflower Society (p. 86-87).
Rhoads, A. F. and T. A. Block (2007). The Plants of Pennsylvania. Philadelphia, PA, University of Pennsylvania Press (p. 95).
Online Resources for Athyrium filix-femina:
Fire Effects Information System
Images
Deparia acrostichoides (Silvery Glade Fern)
Group: Plants
Type: Ferns & Fern Allies
Family: Dryopteridaceae
Notes
Common Name: Silvery Glade Fern
Growth Habit: Forb/herb
Duration: Perennial
Origin: Native to the conterminous United States
Synonyms: Athyrium thelypterioides (Michx.) Desv.; Diplazium acrostichoides (Sw.) ButtersYears Noted: 1984; 2004; 2007; 2016-2019; 2022-2023
iNaturalist Observations from the GNA:
121755913 (Observed: 6/13/2022)
121593724 (Observed: 5/25/2016)
General Floristic References:
Chadde, S. W. (2013). Northeast Ferns: A Field Guide to the Ferns and Fern Relatives of the Northeastern United States. New York, NY, Houghton Mifflin Company (p. 76).
Cobbe, B., et al. (2005). Ferns of Northeastern and Central North America. Second Edition. Framingham, MA; New York, NY, New England Wildflower Society (p. 118-21).
Rhoads, A. F. and T. A. Block (2007). The Plants of Pennsylvania. Philadelphia, PA, University of Pennsylvania Press (p. 94).
Online Resources for Deparia acrostichoides:
Lady Bird Johnson Wildflower Center Plant Database
Images
Dryopteris carthusiana (Spinulose Woodfern)
Group: Plants
Type: Ferns & Fern Allies
Family: Dryopteridaceae
Notes
Common Name: Spinulose Woodfern
Growth Habit: Forb/herb
Duration: Perennial
Origin: Native to the conterminous United States
Years Noted: 2004; 2007; 2009; 2017-2021
Winter-green Species: i.e., Is a species whose leaves develop in the fall and overwinter.
iNaturalist Observations from the GNA:
45354922 (Observed: 5/7/2020)
68613836 (Observed: 1/25/2021)
General Floristic References:
Chadde, S. W. (2013). Northeast Ferns: A Field Guide to the Ferns and Fern Relatives of the Northeastern United States. New York, NY, Houghton Mifflin Company (p. 130).
Cobbe, B., et al. (2005). Ferns of Northeastern and Central North America. Second Edition. Framingham, MA; New York, NY, New England Wildflower Society (p. 132-33).
Rhoads, A. F. and T. A. Block (2007). The Plants of Pennsylvania. Philadelphia, PA, University of Pennsylvania Press (p. 101).
Wintergreen Species References:
Neufeld, H. S. and D. R. Young. 2003. Ecophysiology of the herbaceous layer in temperate deciduous forests. pp. 38-90. In: Gilliam, F. S. and M. R. Roberts (eds). The Herbaceous Layer in Forests of Eastern North America. Oxford University Press, New York, NY
Online Resources for Dryopteris carthusiana:
Fire Effects Information System
Lady Bird Johnson Wildflower Center Plant Database
Images
Dryopteris cristata (Crested Woodfern)
Group: Plants
Type: Ferns & Fern Allies
Family: Dryopteridaceae
Notes
Common Name: Crested Woodfern
Growth Habit: Forb/herb
Duration: Perennial
Origin: Native to the conterminous United States
Year Noted: 2004
Northeast Wetland Status: FACW
General Floristic References:
Chadde, S. W. (2013). Northeast Ferns: A Field Guide to the Ferns and Fern Relatives of the Northeastern United States. New York, NY, Houghton Mifflin Company (p. 136).
Cobbe, B., et al. (2005). Ferns of Northeastern and Central North America. Second Edition. Framingham, MA; New York, NY, New England Wildflower Society (p. 136-37).
Rhoads, A. F. and T. A. Block (2007). The Plants of Pennsylvania. Philadelphia, PA, University of Pennsylvania Press (p. 102).
Online Resources for Dryopteris cristata:
Dryopteris intermedia (Intermediate Woodfern)
Group: Plants
Type: Ferns & Fern Allies
Family: Dryopteridaceae
Notes
Common Name: Intermediate Woodfern
Growth Habit: Forb/herb
Duration: Perennial
Origin: Native to the conterminous United States
Years Noted: 1984; 2004; 2007; 2017
General Floristic References:
Chadde, S. W. (2013). Northeast Ferns: A Field Guide to the Ferns and Fern Relatives of the Northeastern United States. New York, NY, Houghton Mifflin Company (p. 144).
Cobbe, B., et al. (2005). Ferns of Northeastern and Central North America. Second Edition. Framingham, MA; New York, NY, New England Wildflower Society (p. 144-45).
Rhoads, A. F. and T. A. Block (2007). The Plants of Pennsylvania. Philadelphia, PA, University of Pennsylvania Press (p. 102).
Online Resources for Dryopteris intermedia:
Fire Effects Information System
Lady Bird Johnson Wildflower Center Plant Database
Matteuccia struthiopteris (Ostrich Fern)
Group: Plants
Type: Ferns & Fern Allies
Family: Dryopteridaceae
Notes
Common Name: Ostrich Fern
Growth Habit: Forb/herb
Duration: Perennial
Origin: Native to the conterminous United States
Years Noted: 2004; 2007; 2017-2025
Deer Resistant: Yes
iNaturalist Observations from the GNA:
42464077 (Observed: 4/15/2020)
General Floristic References:
Chadde, S. W. (2013). Northeast Ferns: A Field Guide to the Ferns and Fern Relatives of the Northeastern United States. New York, NY, Houghton Mifflin Company (p. 198).
Cobbe, B., et al. (2005). Ferns of Northeastern and Central North America. Second Edition. Framingham, MA; New York, NY, New England Wildflower Society (p. 162-65).
Magee, D. W. (1981). Freshwater Wetlands: A Guide to Common Indicator Plants of the Northeast. Amherst, MA, University of Massachusetts Press (p. 52).
Rhoads, A. F. and T. A. Block (2007). The Plants of Pennsylvania. Philadelphia, PA, University of Pennsylvania Press (p. 92).
Online Resources for Matteuccia struthiopteris:
Lady Bird Johnson Wildflower Center Plant Database
Images
Onoclea sensibilis (Sensitive Fern)
Group: Plants
Type: Ferns & Fern Allies
Family: Dryopteridaceae
Notes
Common Name: Sensitive Fern
Growth Habit: Forb/herb
Duration: Perennial
Origin: Native to the conterminous United States
Years Noted: 1984; 2004; 2007; 2009; 2011; 2016-2025
Deer Resistant: Yes
iNaturalist Observations from the GNA:
155652072 (Observed: 4/19/2023)
111945358 (Observed: 4/18/2022)
General Floristic References:
Chadde, S. W. (2013). Northeast Ferns: A Field Guide to the Ferns and Fern Relatives of the Northeastern United States. New York, NY, Houghton Mifflin Company (p. 200).
Cobbe, B., et al. (2005). Ferns of Northeastern and Central North America. Second Edition. Framingham, MA; New York, NY, New England Wildflower Society (p. 166-69).
Magee, D. W. (1981). Freshwater Wetlands: A Guide to Common Indicator Plants of the Northeast. Amherst, MA, University of Massachusetts Press (p. 53).
Rhoads, A. F. and T. A. Block (2007). The Plants of Pennsylvania. Philadelphia, PA, University of Pennsylvania Press (p. 93).
Online Resources for Onoclea sensibilis:
Lady Bird Johnson Wildflower Center Plant Database
Images
Polystichum acrostichoides (Christmas Fern)
Group: Plants
Type: Ferns & Fern Allies
Family: Dryopteridaceae
Notes
Common Name: Christmas Fern
Growth Habit: Forb/herb
Duration: Perennial
Origin: Native to the conterminous United States
Years Noted: 1984; 2004; 2007; 2009; 2016-2026
Deer Resistant: Yes
Winter-green Species: i.e., Is a species whose leaves develop in the fall and overwinter.
iNaturalist Observations from the GNA:
183748156 (Observed: 8/31/2023)
191109147 (Observed: 11/15/2023)
168515879 (Observed: 6/20/2023)
64133867 (Observed: 11/3/2020)
General Floristic References:
Chadde, S. W. (2013). Northeast Ferns: A Field Guide to the Ferns and Fern Relatives of the Northeastern United States. New York, NY, Houghton Mifflin Company (p. 156).
Cobbe, B., et al. (2005). Ferns of Northeastern and Central North America. Second Edition. Framingham, MA; New York, NY, New England Wildflower Society (p. 198-99).
Rhoads, A. F. and T. A. Block (2007). The Plants of Pennsylvania. Philadelphia, PA, University of Pennsylvania Press (p. 103).
Online Resources for Polystichum acrostichoides:
Lady Bird Johnson Wildflower Center Plant Database
Images
Equisetum arvense (Field Horsetail)
Group: Plants
Type: Ferns & Fern Allies
Family: Equisetaceae
Notes
Common Name: Field Horsetail
Growth Habit: Forb/herb
Duration: Perennial
Origin: Native to the conterminous United States
Years Noted: 1984; 2004; 2007; 2017-2021; 2023-2025
Dispersed By: Wind
Deer Resistant: Yes
iNaturalist Observations from the GNA:
154291714 (Observed: 4/10/2023)
46767664 (Observed: 5/21/2020)
General Floristic References:
Chadde, S. W. (2013). Northeast Ferns: A Field Guide to the Ferns and Fern Relatives of the Northeastern United States. New York, NY, Houghton Mifflin Company (p. 170).
Cobbe, B., et al. (2005). Ferns of Northeastern and Central North America. Second Edition. Framingham, MA; New York, NY, New England Wildflower Society (p. 340-41).
Rhoads, A. F. and T. A. Block (2007). The Plants of Pennsylvania. Philadelphia, PA, University of Pennsylvania Press (p. 73).
Online Resources for Equisetum arvense:
Fire Effects Information System
Images
Huperzia lucidula (Shining Clubmoss)
Group: Plants
Type: Ferns & Fern Allies
Family: Lycopodiaceae
Notes
Common Name: Shining Clubmoss
Growth Habit: Forb/herb, Subshrub
Duration: Perennial
Origin: Native to the conterminous United States
Years Noted: 1983-1984; 2004
General Floristic References:
Chadde, S. W. (2013). Northeast Ferns: A Field Guide to the Ferns and Fern Relatives of the Northeastern United States. New York, NY, Houghton Mifflin Company (p. 370).
Cobbe, B., et al. (2005). Ferns of Northeastern and Central North America. Second Edition. Framingham, MA; New York, NY, New England Wildflower Society (p. 308-09).
Rhoads, A. F. and T. A. Block (2007). The Plants of Pennsylvania. Philadelphia, PA, University of Pennsylvania Press (p. 64).
Online Resources for Huperzia lucidula:
Lycopodium digitatum (Fan Clubmoss)
Group: Plants
Type: Ferns & Fern Allies
Family: Lycopodiaceae
Notes
Common Name: Fan Clubmoss
Growth Habit: Forb/herb, Subshrub
Duration: Perennial
Origin: Native to the conterminous United States
Synonyms: Diphasiastrum digitatum (Dill. ex A. Braun) Holub; Lycopodium flabelliforme (Fernald) BlanchYear Noted: 1983-1984
Deer Resistant: Yes
General Floristic References:
Chadde, S. W. (2013). Northeast Ferns: A Field Guide to the Ferns and Fern Relatives of the Northeastern United States. New York, NY, Houghton Mifflin Company (p. 358).
Cobbe, B., et al. (2005). Ferns of Northeastern and Central North America. Second Edition. Framingham, MA; New York, NY, New England Wildflower Society (p. 296-97).
Rhoads, A. F. and T. A. Block (2007). The Plants of Pennsylvania. Philadelphia, PA, University of Pennsylvania Press (p. 67).
Online Resources for Lycopodium digitatum:
iNaturalist (for the synonym Diphasiastrum digitatum)
Botrychium dissectum (Cutleaf Grapefern)
Group: Plants
Type: Ferns & Fern Allies
Family: Ophioglossaceae
Notes
Common Name: Cutleaf Grapefern
Growth Habit: Forb/herb
Duration: Perennial
Origin: Native to the conterminous United States
Synonyms: Sceptridium dissectum (Spreng.) LyonYears Noted: 1984; 2004; 2007; 2018
General Floristic References:
Chadde, S. W. (2013). Northeast Ferns: A Field Guide to the Ferns and Fern Relatives of the Northeastern United States. New York, NY, Houghton Mifflin Company (p. 244).
Cobbe, B., et al. (2005). Ferns of Northeastern and Central North America. Second Edition. Framingham, MA; New York, NY, New England Wildflower Society (p. 265-67).
Rhoads, A. F. and T. A. Block (2007). The Plants of Pennsylvania. Philadelphia, PA, University of Pennsylvania Press (p. 70).
Online Resources for Botrychium dissectum:
iNaturalist (for the synonym Sceptridium dissectum)
Botrychium virginianum (Rattlesnake Fern)
Group: Plants
Type: Ferns & Fern Allies
Family: Ophioglossaceae
Notes
Common Name: Rattlesnake Fern
Growth Habit: Forb/herb
Duration: Perennial
Origin: Native to the conterminous United States
Synonyms: Botrypus virginianus (L.) HolubYears Noted: 1984; 2004; 2007; 2016-2025
iNaturalist Observations from the GNA:
140054882 (Observed: 5/14/2018)
79316500 (Observed: 5/13/2021)
74364916 (Observed: 4/17/2021)
General Floristic References:
Chadde, S. W. (2013). Northeast Ferns: A Field Guide to the Ferns and Fern Relatives of the Northeastern United States. New York, NY, Houghton Mifflin Company (p. 228).
Cobbe, B., et al. (2005). Ferns of Northeastern and Central North America. Second Edition. Framingham, MA; New York, NY, New England Wildflower Society (p. 248-49).
Rhoads, A. F. and T. A. Block (2007). The Plants of Pennsylvania. Philadelphia, PA, University of Pennsylvania Press (p. 71).
Online Resources for Botrychium virginianum:
iNaturalist (for the synonym Botrypus virginianus)
Images
Osmunda cinnamomea (Cinnamon Fern)
Group: Plants
Type: Ferns & Fern Allies
Family: Osmundaceae
Notes
Common Name: Cinnamon Fern
Growth Habit: Forb/herb
Duration: Perennial
Origin: Native to the conterminous United States
Years Noted: 1984; 2007
Deer Resistant: Yes
General Floristic References:
Chadde, S. W. (2013). Northeast Ferns: A Field Guide to the Ferns and Fern Relatives of the Northeastern United States. New York, NY, Houghton Mifflin Company (p. 256).
Cobbe, B., et al. (2005). Ferns of Northeastern and Central North America. Second Edition. Framingham, MA; New York, NY, New England Wildflower Society (p. 172-73).
Rhoads, A. F. and T. A. Block (2007). The Plants of Pennsylvania. Philadelphia, PA, University of Pennsylvania Press (p. 75).
Online Resources for Osmunda cinnamomea:
Fire Effects Information System
iNaturalist (for the synonym Osmundastrum cinnamomeum)
Osmunda claytoniana (Interrupted Fern)
Group: Plants
Type: Ferns & Fern Allies
Family: Osmundaceae
Notes
Common Name: Interrupted Fern
Growth Habit: Forb/herb
Duration: Perennial
Origin: Native to the conterminous United States
Years Noted: 1984; 2007; 2016; 2022-2025
Deer Resistant: Yes
iNaturalist Observations from the GNA:
119666013 (Observed: 5/31/2022)
General Floristic References:
Chadde, S. W. (2013). Northeast Ferns: A Field Guide to the Ferns and Fern Relatives of the Northeastern United States. New York, NY, Houghton Mifflin Company (p. 258).
Cobbe, B., et al. (2005). Ferns of Northeastern and Central North America. Second Edition. Framingham, MA; New York, NY, New England Wildflower Society (p. 174-75).
Rhoads, A. F. and T. A. Block (2007). The Plants of Pennsylvania. Philadelphia, PA, University of Pennsylvania Press (p. 76).
Online Resources for Osmunda claytoniana:
Lady Bird Johnson Wildflower Center Plant Database
Images
Osmunda regalis (Royal Fern)
Group: Plants
Type: Ferns & Fern Allies
Family: Osmundaceae
Notes
Common Name: Royal Fern
Growth Habit: Forb/herb
Duration: Perennial
Origin: Native to the conterminous United States
Year Noted: 2007
Northeast Wetland Status: OBL
Deer Resistant: Yes
General Floristic References:
Chadde, S. W. (2013). Northeast Ferns: A Field Guide to the Ferns and Fern Relatives of the Northeastern United States. New York, NY, Houghton Mifflin Company (p. 260).
Cobbe, B., et al. (2005). Ferns of Northeastern and Central North America. Second Edition. Framingham, MA; New York, NY, New England Wildflower Society (p. 176-77).
Magee, D. W. (1981). Freshwater Wetlands: A Guide to Common Indicator Plants of the Northeast. Amherst, MA, University of Massachusetts Press (p. 51).
Rhoads, A. F. and T. A. Block (2007). The Plants of Pennsylvania. Philadelphia, PA, University of Pennsylvania Press (p. 76).
Online Resources for Osmunda regalis:
iNaturalist (for the synonym Osmunda spectabilis)
Lady Bird Johnson Wildflower Center Plant Database
Adiantum pedatum (Northern Maidenhair Fern)
Group: Plants
Type: Ferns & Fern Allies
Family: Pteridaceae
Notes
Common Name: Northern Maidenhair Fern
Growth Habit: Forb/herb
Duration: Perennial
Origin: Native to the conterminous United States
Years Noted: 1984; 2007; 2017-2025
Deer Resistant: Yes
iNaturalist Observations from the GNA:
104421434 (Observed: 10/16/2021)
46427851 (Observed: 5/18/2020)
General Floristic References:
Chadde, S. W. (2013). Northeast Ferns: A Field Guide to the Ferns and Fern Relatives of the Northeastern United States. New York, NY, Houghton Mifflin Company (p. 278).
Cobbe, B., et al. (2005). Ferns of Northeastern and Central North America. Second Edition. Framingham, MA; New York, NY, New England Wildflower Society (p. 55-58).
Rhoads, A. F. and T. A. Block (2007). The Plants of Pennsylvania. Philadelphia, PA, University of Pennsylvania Press (p. 83).
Online Resources for Adiantum pedatum:
Lady Bird Johnson Wildflower Center Plant Database
Images
Selaginella apoda (Meadow Spikemoss)
Group: Plants
Type: Ferns & Fern Allies
Family: Selaginellaceae
Notes
Common Name: Meadow Spikemoss
Growth Habit: Forb/herb
Duration: Perennial
Origin: Native to the conterminous United States
Years Noted: 2018; 2020-2021; 2024-2026
Notes: Known from just one location near the western edge of the GNA. Growing on very steep banks above Plum Run. Approximately one week after this population was discovered, all individuals were 'scoured' by high water after a storm.
iNaturalist Observations from the GNA:
329111044 (Observed: 12/1/2025)
87292568 (Observed: 1/17/2020)
37686905 (Observed: 1/17/2020)
65955636 (Observed: 11/24/2020)
General Floristic References:
Chadde, S. W. (2013). Northeast Ferns: A Field Guide to the Ferns and Fern Relatives of the Northeastern United States. New York, NY, Houghton Mifflin Company (p. 398).
Cobbe, B., et al. (2005). Ferns of Northeastern and Central North America. Second Edition. Framingham, MA; New York, NY, New England Wildflower Society (p. 374-75).
Online Resources for Selaginella apoda:
Images
Phegopteris hexagonoptera (Broad Beechfern)
Group: Plants
Type: Ferns & Fern Allies
Family: Thelypteridaceae
Notes
Common Name: Broad Beechfern
Growth Habit: Forb/herb
Duration: Perennial
Origin: Native to the conterminous United States
Years Noted: 1984; 2004; 2007; 2016-2025
iNaturalist Observations from the GNA:
104421429 (Observed: 10/16/2021)
41784940 (Observed: 4/9/2020)
73879802 (Observed: 4/13/2021)
General Floristic References:
Chadde, S. W. (2013). Northeast Ferns: A Field Guide to the Ferns and Fern Relatives of the Northeastern United States. New York, NY, Houghton Mifflin Company (p. 314).
Cobbe, B., et al. (2005). Ferns of Northeastern and Central North America. Second Edition. Framingham, MA; New York, NY, New England Wildflower Society (p. 188-89).
Rhoads, A. F. and T. A. Block (2007). The Plants of Pennsylvania. Philadelphia, PA, University of Pennsylvania Press (p. 76).
Online Resources for Phegopteris hexagonoptera:
Lady Bird Johnson Wildflower Center Plant Database
Images
Thelypteris noveboracensis (New York Fern)
Group: Plants
Type: Ferns & Fern Allies
Family: Thelypteridaceae
Notes
Common Name: New York Fern
Growth Habit: Forb/herb
Duration: Perennial
Origin: Native to the conterminous United States
Synonyms: Parathelypteris novaeboracensis (L.) ChingYears Noted: 1984; 2004; 2007; 2017-2020; 2022-2023; 2025
Allelopathic: Yes
Deer Resistant: Yes
Notes: Fairly commonly encountered at the Gordon. As is often the case for ferns in overgrazed habitats, at the Gordon this species can often dominate large areas of the forest floor.
iNaturalist Observations from the GNA:
121756488 (Observed: 6/13/2022)
General Floristic References:
Chadde, S. W. (2013). Northeast Ferns: A Field Guide to the Ferns and Fern Relatives of the Northeastern United States. New York, NY, Houghton Mifflin Company (p. 308).
Cobbe, B., et al. (2005). Ferns of Northeastern and Central North America. Second Edition. Framingham, MA; New York, NY, New England Wildflower Society (p. 210-11).
Rhoads, A. F. and T. A. Block (2007). The Plants of Pennsylvania. Philadelphia, PA, University of Pennsylvania Press (p. 86).
Online Resources for Thelypteris noveboracensis:
Fire Effects Information System
iNaturalist (for the synonym Amauropelta noveboracensis)
Images
Thelypteris palustris (Eastern Marsh Fern)
Group: Plants
Type: Ferns & Fern Allies
Family: Thelypteridaceae
Notes
Common Name: Eastern Marsh Fern
Growth Habit: Forb/herb
Duration: Perennial
Origin: Native to the conterminous United States
Years Noted: 2004; 2007; 2017; 2022-2023; 2025
Deer Resistant: Yes
iNaturalist Observations from the GNA:
136193771 (Observed: 9/23/2022)
General Floristic References:
Chadde, S. W. (2013). Northeast Ferns: A Field Guide to the Ferns and Fern Relatives of the Northeastern United States. New York, NY, Houghton Mifflin Company (p. 316).
Cobbe, B., et al. (2005). Ferns of Northeastern and Central North America. Second Edition. Framingham, MA; New York, NY, New England Wildflower Society (p. 212-13).
Magee, D. W. (1981). Freshwater Wetlands: A Guide to Common Indicator Plants of the Northeast. Amherst, MA, University of Massachusetts Press (p. 54).
Rhoads, A. F. and T. A. Block (2007). The Plants of Pennsylvania. Philadelphia, PA, University of Pennsylvania Press (p. 86).
Online Resources for Thelypteris palustris:
Images
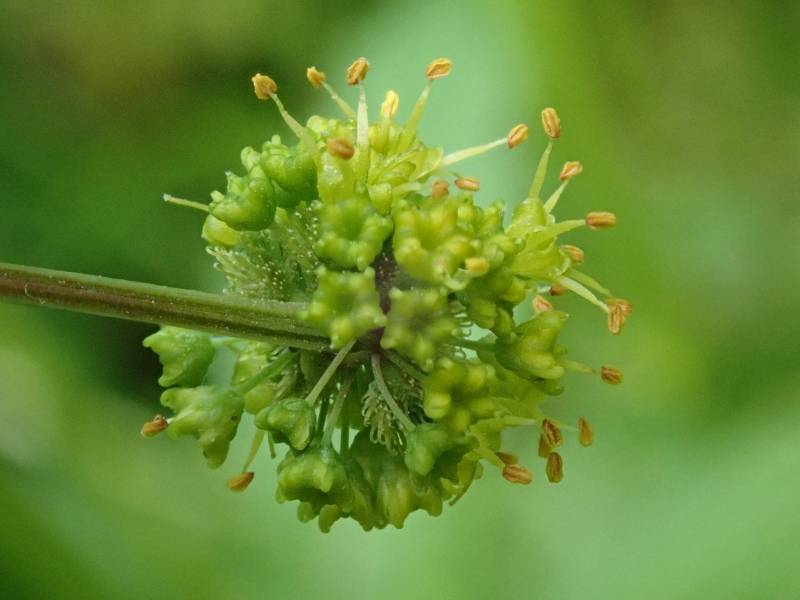
Acer negundo (Boxelder)
Group: Plants
Type: Flowering Plants - Dicots
Family: Aceraceae
Notes
Common Name: Boxelder
Growth Habit: Tree
Duration: Perennial
Origin: Native to the conterminous United States
Years Noted: 1971; 1984; 2002; 2004-2005; 2007-2014; 2016-2026
Dispersed By: Wind
Allelopathic: Yes
Bee Beneficial: Yes
Deer Resistant: Yes
Listed as a "Bee Plant" By the Lady Bird Johnson Wildflower Center:
Honey Bees
Notes: Although a member of the same genus as the Maples (Acer), Box Elder, with it's compound leaves and 'scrubby' habit, does not resemble a typical Maple. However, if you look at the image of the fruits, you'll see the fruits that these are typical Maple fruits.
Note: This species is dioecious (i.e., with a tree having only male or female flowers), so don't expect to see fruits on every tree.
iNaturalist Observations from the GNA:
310254143 (Observed: 8/30/2025)
41947683 (Observed: 4/11/2020)
76542810 (Observed: 4/29/2021)
41789392 (Observed: 4/9/2020)
General Floristic References:
Magee, D. W. and H. E. Ahles (1999). Flora of the Northeast. A Manual of the Vascular Flora of New England and Adjacent New York. Amherst, MA, University of Massachusetts Press (p. 719).
Rhoads, A. F. and T. A. Block (2005). Trees of Pennsylvania. A Complete Reference Guide. Philadelphia, PA, University of Pennsylvania Press (p. 184-186).
Rhoads, A. F. and T. A. Block (2007). The Plants of Pennsylvania. Philadelphia, PA, University of Pennsylvania Press (p. 710).
Online Resources for Acer negundo:
Fire Effects Information System
Lady Bird Johnson Wildflower Center Plant Database
Images
Acer palmatum (Japanese Maple)
Group: Plants
Type: Flowering Plants - Dicots
Family: Aceraceae
Notes
Common Name: Japanese Maple
Growth Habit: Tree, Shrub
Duration: Perennial
Origin: Not native to the conterminous United States
Pennsylvania DCNR Invasive Plants Rating: Watch List — "Exotic plant species that are severe problems in surrounding states but have not been widely reported in Pennsylvania, OR may naturalize and become a problem in the future and require more monitoring."
Years Noted: 2004; 2007; 2017-2019; 2021-2022
Dispersed By: Wind
Allelopathic: Yes
Deer Resistant: Yes
iNaturalist Observations from the GNA:
75701118 (Observed: 4/29/2021)
General Floristic References:
Rhoads, A. F. and T. A. Block (2005). Trees of Pennsylvania. A Complete Reference Guide. Philadelphia, PA, University of Pennsylvania Press (p. 188).
Rhoads, A. F. and T. A. Block (2007). The Plants of Pennsylvania. Philadelphia, PA, University of Pennsylvania Press (p. 711).
Online Resources for Acer palmatum:
Images
Acer platanoides (Norway Maple)
Group: Plants
Type: Flowering Plants - Dicots
Family: Aceraceae
Notes
Common Name: Norway Maple
Growth Habit: Tree
Duration: Perennial
Origin: Not native to the conterminous United States
Pennsylvania DCNR Invasive Plants Rating: Rank 2 — "Significant Threat. Exotic plant species that possess characteristics of invasive species but are not presently considered to spread as easily and aggressively into native plant communities as those species listed as Rank 1."
Years Noted: 1965; 1967; 1970-1971; 1984; 1992; 2002; 2004; 2007-2010; 2013; 2016-2026
Dispersed By: Birds; Wind
Allelopathic: Yes
iNaturalist Observations from the GNA:
310247227 (Observed: 8/30/2025)
41789299 (Observed: 4/9/2020)
58272328 (Observed: 9/1/2020)
General Floristic References:
Magee, D. W. and H. E. Ahles (1999). Flora of the Northeast. A Manual of the Vascular Flora of New England and Adjacent New York. Amherst, MA, University of Massachusetts Press (p. 719).
Rhoads, A. F. and T. A. Block (2005). Trees of Pennsylvania. A Complete Reference Guide. Philadelphia, PA, University of Pennsylvania Press (p. 192-193).
Rhoads, A. F. and T. A. Block (2007). The Plants of Pennsylvania. Philadelphia, PA, University of Pennsylvania Press (p. 711).
Online Resources for Acer platanoides:
Fire Effects Information System
Images
Acer pseudoplatanus (Sycamore Maple)
Group: Plants
Type: Flowering Plants - Dicots
Family: Aceraceae
Notes
Common Name: Sycamore Maple
Growth Habit: Tree
Duration: Perennial
Origin: Not native to the conterminous United States
Year Noted: 2015-2025
Dispersed By: Animals; Birds; General Zoochory; Water; Wind
Allelopathic: Yes
iNaturalist Observations from the GNA:
46430297 (Observed: 5/18/2020)
General Floristic References:
Magee, D. W. and H. E. Ahles (1999). Flora of the Northeast. A Manual of the Vascular Flora of New England and Adjacent New York. Amherst, MA, University of Massachusetts Press (p. 721).
Rhoads, A. F. and T. A. Block (2005). Trees of Pennsylvania. A Complete Reference Guide. Philadelphia, PA, University of Pennsylvania Press (p. 201-202).
Rhoads, A. F. and T. A. Block (2007). The Plants of Pennsylvania. Philadelphia, PA, University of Pennsylvania Press (p. 711).
Online Resources for Acer pseudoplatanus:
Images
Acer rubrum (Red Maple)
Group: Plants
Type: Flowering Plants - Dicots
Family: Aceraceae
Notes
Common Name: Red Maple
Growth Habit: Tree
Duration: Perennial
Origin: Native to the conterminous United States
Years Noted: 1965; 1967; 1970-1971; 1984; 1992; 2002; 2004-2005; 2007-2025
Dispersed By: Wind
Listed as a "Bee Plant" By the Lady Bird Johnson Wildflower Center:
Native Bees; Honey Bees
iNaturalist Observations from the GNA:
183748176 (Observed: 8/31/2023)
40103296 (Observed: 3/16/2020)
50917620 (Observed: 6/25/2020)
73156685 (Observed: 4/6/2021)
72393513 (Observed: 3/29/2021)
General Floristic References:
Dove, T. and G. Woolridge (2018). Essential Native Trees and Shrubs for the Eastern United States. Watertown, MA, Imagine Books (p. 46).
Magee, D. W. (1981). Freshwater Wetlands: A Guide to Common Indicator Plants of the Northeast. Amherst, MA, University of Massachusetts Press (p. 166).
Magee, D. W. and H. E. Ahles (1999). Flora of the Northeast. A Manual of the Vascular Flora of New England and Adjacent New York. Amherst, MA, University of Massachusetts Press (p. 721).
Rhoads, A. F. and T. A. Block (2005). Trees of Pennsylvania. A Complete Reference Guide. Philadelphia, PA, University of Pennsylvania Press (p. 194-196).
Rhoads, A. F. and T. A. Block (2007). The Plants of Pennsylvania. Philadelphia, PA, University of Pennsylvania Press (p. 711).
Online Resources for Acer rubrum:
Fire Effects Information System
Lady Bird Johnson Wildflower Center Plant Database
Images
Acer saccharinum (Silver Maple)
Group: Plants
Type: Flowering Plants - Dicots
Family: Aceraceae
Notes
Common Name: Silver Maple
Growth Habit: Tree
Duration: Perennial
Origin: Native to the conterminous United States
Years Noted: 1984; 2004; 2007; 2017-2018
Dispersed By: Wind
Allelopathic: Yes
General Floristic References:
Magee, D. W. and H. E. Ahles (1999). Flora of the Northeast. A Manual of the Vascular Flora of New England and Adjacent New York. Amherst, MA, University of Massachusetts Press (p. 721).
Rhoads, A. F. and T. A. Block (2005). Trees of Pennsylvania. A Complete Reference Guide. Philadelphia, PA, University of Pennsylvania Press (p. 196-198).
Rhoads, A. F. and T. A. Block (2007). The Plants of Pennsylvania. Philadelphia, PA, University of Pennsylvania Press (p. 711).
Online Resources for Acer saccharinum:
Fire Effects Information System
Lady Bird Johnson Wildflower Center Plant Database
Acer saccharum (Sugar Maple)
Group: Plants
Type: Flowering Plants - Dicots
Family: Aceraceae
Notes
Common Name: Sugar Maple
Growth Habit: Tree, Shrub
Duration: Perennial
Origin: Native to the conterminous United States
Years Noted: 1970; 2002; 2004; 2007-2008; 2010; 2013; 2016; 2018-2020
Dispersed By: Wind
Allelopathic: Yes
Bee Beneficial: Yes
Listed as a "Bee Plant" By the Lady Bird Johnson Wildflower Center:
Honey Bees
iNaturalist Observations from the GNA:
310254477 (Observed: 8/30/2025)
General Floristic References:
Dove, T. and G. Woolridge (2018). Essential Native Trees and Shrubs for the Eastern United States. Watertown, MA, Imagine Books (p. 49).
Magee, D. W. and H. E. Ahles (1999). Flora of the Northeast. A Manual of the Vascular Flora of New England and Adjacent New York. Amherst, MA, University of Massachusetts Press (p. 719).
Rhoads, A. F. and T. A. Block (2005). Trees of Pennsylvania. A Complete Reference Guide. Philadelphia, PA, University of Pennsylvania Press (p. 198-200).
Rhoads, A. F. and T. A. Block (2007). The Plants of Pennsylvania. Philadelphia, PA, University of Pennsylvania Press (p. 712).
Online Resources for Acer saccharum:
Fire Effects Information System
Lady Bird Johnson Wildflower Center Plant Database
Rhus glabra (Smooth Sumac)
Group: Plants
Type: Flowering Plants - Dicots
Family: Anacardiaceae
Notes
Lenape Name: këlëkënikwënakw.
Common Name: Smooth Sumac
Growth Habit: Tree, Shrub
Duration: Perennial
Origin: Native to the conterminous United States
Year Noted: 1984
Dispersed By: Birds
Allelopathic: Yes
Listed as a "Bee Plant" By the Lady Bird Johnson Wildflower Center:
Native Bees; Honey Bees; Nesting Materials; Supports Conservation Biological Control
Source for Lenape Name(s): delawaretribe.org/wp-content/uploads/Lenape-Names-of-Other-Trees.pdf
General Floristic References:
Rhoads, A. F. and T. A. Block (2007). The Plants of Pennsylvania. Philadelphia, PA, University of Pennsylvania Press (p. 707).
Online Resources for Rhus glabra:
Fire Effects Information System
Lady Bird Johnson Wildflower Center Plant Database
Rhus typhina (Staghorn Sumac)
Group: Plants
Type: Flowering Plants - Dicots
Family: Anacardiaceae
Notes
Common Name: Staghorn Sumac
Growth Habit: Shrub, Tree
Duration: Perennial
Origin: Native to the conterminous United States
Year Noted: 1984
Dispersed By: Animals; Birds; Deer; General Zoochory; Human Activities
Listed as a "Bee Plant" By the Lady Bird Johnson Wildflower Center:
Native Bees; Honey Bees; Nesting Materials; Supports Conservation Biological Control
iNaturalist Observations from the GNA:
84896745 (Observed: 6/28/2021)
General Floristic References:
Rhoads, A. F. and T. A. Block (2005). Trees of Pennsylvania. A Complete Reference Guide. Philadelphia, PA, University of Pennsylvania Press (p. 320-321).
Online Resources for Rhus typhina:
Fire Effects Information System
Lady Bird Johnson Wildflower Center Plant Database
Toxicodendron radicans (Eastern Poison Ivy)
Group: Plants
Type: Flowering Plants - Dicots
Family: Anacardiaceae
Notes
Common Name: Eastern Poison Ivy
Growth Habit: Shrub, Subshrub, Vine
Duration: Perennial
Origin: Native to the conterminous United States
Years Noted: 1971; 1984; 2007; 2012-2013; 2015-2025
Dispersed By: Birds
Deer Resistant: Yes
iNaturalist Observations from the GNA:
88177181 (Observed: 7/22/2021)
80222330 (Observed: 5/24/2021)
Online Resources for Toxicodendron radicans:
Fire Effects Information System
Lady Bird Johnson Wildflower Center Plant Database
Images
Aegopodium podagraria (Bishops Goutweed)
Group: Plants
Type: Flowering Plants - Dicots
Family: Apiaceae
Notes
Common Name: Bishop's Goutweed
Growth Habit: Forb/herb
Duration: Perennial
Origin: Not native to the conterminous United States
Pennsylvania DCNR Invasive Plants Rating: Rank 3 — "Lesser Threat. Exotic plant species that spread in or near disturbed areas, and are not presently considered a major threat to undisturbed native plant communities."
Years Noted: 2007; 2016-2023; 2025
Dispersed By: Human Activities; Wind
Deer Resistant: Yes
iNaturalist Observations from the GNA:
82199064 (Observed: 6/8/2021)
54857999 (Observed: 7/30/2020)
General Floristic References:
Rhoads, A. F. and T. A. Block (2007). The Plants of Pennsylvania. Philadelphia, PA, University of Pennsylvania Press (p. 863).
Online Resources for Aegopodium podagraria:
Images
Cicuta maculata (Spotted Water Hemlock)
Group: Plants
Type: Flowering Plants - Dicots
Family: Apiaceae
Notes
Common Name: Spotted Water Hemlock
Growth Habit: Forb/herb
Duration: Biennial, Perennial
Origin: Native to the conterminous United States
Years Noted: 1984; 2007; 2023
Northeast Wetland Status: OBL
Bee Beneficial: Yes
Listed as a "Bee Plant" By the Lady Bird Johnson Wildflower Center:
Supports Conservation Biological Control
General Floristic References:
Magee, D. W. (1981). Freshwater Wetlands: A Guide to Common Indicator Plants of the Northeast. Amherst, MA, University of Massachusetts Press (p. 185).
Rhoads, A. F. and T. A. Block (2007). The Plants of Pennsylvania. Philadelphia, PA, University of Pennsylvania Press (p. 862).
Online Resources for Cicuta maculata:
Conium maculatum (Poison Hemlock)
Group: Plants
Type: Flowering Plants - Dicots
Family: Apiaceae
Notes
Common Name: Poison Hemlock
Growth Habit: Forb/herb
Duration: Biennial
Origin: Not native to the conterminous United States
Pennsylvania DCNR Invasive Plants Rating: Rank 1 — "Severe Threat. Exotic plant species that possess characteristics of invasive species and spread easily into native plant communities and displace native vegetation. Includes species that are or could become widespread in Pennsylvania."
Years Noted: 1984; 2004; 2007; 2016-2018; 2020-2025
Dispersed By: Animals; General Zoochory; Water
iNaturalist Observations from the GNA:
280831028 (Observed: 5/13/2025)
77878359 (Observed: 5/6/2021)
52512246 (Observed: 7/9/2020)
General Floristic References:
Rhoads, A. F. and T. A. Block (2007). The Plants of Pennsylvania. Philadelphia, PA, University of Pennsylvania Press (p. 866).
Online Resources for Conium maculatum:
Images
Cryptotaenia canadensis (Canadian Honewort)
Group: Plants
Type: Flowering Plants - Dicots
Family: Apiaceae
Notes
Common Name: Canadian Honewort
Growth Habit: Forb/herb
Duration: Perennial
Origin: Native to the conterminous United States
Years Noted: 1984; 2004; 2007; 2011; 2016-2018
Bee Beneficial: Yes
Deer Resistant: Yes
Listed as a "Bee Plant" By the Lady Bird Johnson Wildflower Center:
Supports Conservation Biological Control
Winter-green Species: i.e., Is a species whose leaves develop in the fall and overwinter.
General Floristic References:
Rhoads, A. F. and T. A. Block (2007). The Plants of Pennsylvania. Philadelphia, PA, University of Pennsylvania Press (p. 861).
Wintergreen Species References:
Beatley, J. C. 1956. The winter-green herbaceous flowering plants of Ohio. The Ohio Journal of Science 56(6): 349-377.
Online Resources for Cryptotaenia canadensis:
Lady Bird Johnson Wildflower Center Plant Database
Images
Daucus carota (Queen Annes Lace)
Group: Plants
Type: Flowering Plants - Dicots
Family: Apiaceae
Notes
Common Name: Queen Anne's Lace
Growth Habit: Forb/herb
Duration: Biennial
Origin: Not native to the conterminous United States
Years Noted: 1968; 1984; 2004; 2007; 2016-2025
Dispersed By: Animals; Birds; General Zoochory; Human Activities; Water; Wind
Allelopathic: Yes
Deer Resistant: Yes
Winter-green Species: i.e., Is a species whose leaves develop in the fall and overwinter.
iNaturalist Observations from the GNA:
173761436 (Observed: 7/19/2023)
42808563 (Observed: 7/15/2019)
55827429 (Observed: 8/8/2020)
Wintergreen Species References:
Beatley, J. C. 1956. The winter-green herbaceous flowering plants of Ohio. The Ohio Journal of Science 56(6): 349-377.
Online Resources for Daucus carota:
Images
Hydrocotyle americana (American Marshpennywort)
Group: Plants
Type: Flowering Plants - Dicots
Family: Apiaceae
Notes
Common Name: American Marshpennywort
Growth Habit: Forb/herb
Duration: Perennial
Origin: Native to the conterminous United States
Year Noted: 2018
Northeast Wetland Status: OBL
General Floristic References:
Magee, D. W. (1981). Freshwater Wetlands: A Guide to Common Indicator Plants of the Northeast. Amherst, MA, University of Massachusetts Press (p. 184).
Online Resources for Hydrocotyle americana:
Osmorhiza claytonii (Claytons Sweetroot)
Group: Plants
Type: Flowering Plants - Dicots
Family: Apiaceae
Notes
Common Names: Clayton's Sweetroot; Hairy Sweet Cicely
Growth Habit: Forb/herb
Duration: Perennial
Origin: Native to the conterminous United States
Years Noted: 2007; 2009; 2016-2020
Winter-green Species: i.e., Is a species whose leaves develop in the fall and overwinter.
iNaturalist Observations from the GNA:
41044980 (Observed: 3/29/2020)
General Floristic References:
Rhoads, A. F. and T. A. Block (2007). The Plants of Pennsylvania. Philadelphia, PA, University of Pennsylvania Press (p. 863).
Wintergreen Species References:
Beatley, J. C. 1956. The winter-green herbaceous flowering plants of Ohio. The Ohio Journal of Science 56(6): 349-377.
Brewer, R. 1980. A half-century of changes in the herb layer of a climax deciduous forest in Michigan. Journal of Ecology 68: 823-832.
Online Resources for Osmorhiza claytonii:
Fire Effects Information System
Images
Osmorhiza longistylis (Longstyle Sweetroot)
Group: Plants
Type: Flowering Plants - Dicots
Family: Apiaceae
Notes
Common Name: Longstyle Sweetroot
Growth Habit: Forb/herb
Duration: Perennial
Origin: Native to the conterminous United States
Years Noted: 1984; 2004; 2007; 2009; 2011; 2017-2018; 2025
Winter-green Species: i.e., Is a species whose leaves develop in the fall and overwinter.
iNaturalist Observations from the GNA:
281052867 (Observed: 5/13/2025)
General Floristic References:
Rhoads, A. F. and T. A. Block (2007). The Plants of Pennsylvania. Philadelphia, PA, University of Pennsylvania Press (p. 863).
Wintergreen Species References:
Beatley, J. C. 1956. The winter-green herbaceous flowering plants of Ohio. The Ohio Journal of Science 56(6): 349-377.
Online Resources for Osmorhiza longistylis:
Lady Bird Johnson Wildflower Center Plant Database
Images
Pimpinella saxifraga (Solidstem Burnet Saxifrage)
Group: Plants
Type: Flowering Plants - Dicots
Family: Apiaceae
Notes
Common Name: Solidstem Burnet Saxifrage
Growth Habit: Forb/herb
Duration: Perennial
Origin: Not native to the conterminous United States
Year Noted: 1994
Dispersed By: Animals; Ballistic; General Zoochory; Human Activities; Water; Wind
Online Resources for Pimpinella saxifraga:
Sanicula canadensis (Canadian Blacksnakeroot)
Group: Plants
Type: Flowering Plants - Dicots
Family: Apiaceae
Notes
Common Name: Canadian Blacksnakeroot
Growth Habit: Forb/herb
Duration: Biennial
Origin: Native to the conterminous United States
Years Noted: 1984; 2004; 2007; 2009; 2017-2018; 2022
iNaturalist Observations from the GNA:
139520732 (Observed: 10/20/2022)
General Floristic References:
Rhoads, A. F. and T. A. Block (2007). The Plants of Pennsylvania. Philadelphia, PA, University of Pennsylvania Press (p. 860).
Online Resources for Sanicula canadensis:
Images
Sanicula odorata (Clustered Blacksnakeroot)
Group: Plants
Type: Flowering Plants - Dicots
Family: Apiaceae
Notes
Common Name: Clustered Blacksnakeroot
Growth Habit: Forb/herb
Duration: Perennial
Origin: Native to the conterminous United States
Years Noted: 2004; 2007; 2009; 2017-2019; 2021-2023; 2025
Winter-green Species: i.e., Is a species whose leaves develop in the fall and overwinter.
iNaturalist Observations from the GNA:
13080966 (Observed: 6/3/2018)
159235358 (Observed: 5/2/2023)
79200870 (Observed: 5/17/2021)
General Floristic References:
Rhoads, A. F. and T. A. Block (2007). The Plants of Pennsylvania. Philadelphia, PA, University of Pennsylvania Press (p. 860).
Wintergreen Species References:
Beatley, J. C. 1956. The winter-green herbaceous flowering plants of Ohio. The Ohio Journal of Science 56(6): 349-377.
Online Resources for Sanicula odorata:
Images
Sanicula trifoliata (Largefruit Blacksnakeroot)
Group: Plants
Type: Flowering Plants - Dicots
Family: Apiaceae
Notes
Common Name: Largefruit Blacksnakeroot
Growth Habit: Forb/herb
Duration: Perennial
Origin: Native to the conterminous United States
Year Noted: 2007
General Floristic References:
Rhoads, A. F. and T. A. Block (2007). The Plants of Pennsylvania. Philadelphia, PA, University of Pennsylvania Press (p. 860).
Online Resources for Sanicula trifoliata:
Zizia aurea (Meadow Zizia)
Group: Plants
Type: Flowering Plants - Dicots
Family: Apiaceae
Notes
Common Name: Meadow Zizia
Growth Habit: Forb/herb
Duration: Perennial
Origin: Native to the conterminous United States
Year Noted: 1984
Deer Resistant: Yes
Listed As a Monarch Butterfly Plant In: Galea et. al 2015; Pollinator.org
Listed as a "Bee Plant" By the Lady Bird Johnson Wildflower Center:
Native Bees; Supports Conservation Biological Control
General Floristic References:
Rhoads, A. F. and T. A. Block (2007). The Plants of Pennsylvania. Philadelphia, PA, University of Pennsylvania Press (p. 869).
Monarch Butterfly References
Galea, M., E. Cole, L. Davies Adams, and L. Stritch (eds). 2015. Conservation and Management of Monarch Butterflies A Land Manager’s Restoration Guide for the Eastern U.S. Pollinator Partnership and USDA Forest Service, San Francisco, CA. 27 pp.
Pollinator.org. 2022. https://www.pollinator.org/pollinator.org/assets/generalFiles/MonarchGardenPlants_170625_152424.pdf; File Accessed: 8-22-2022.
Online Resources for Zizia aurea:
Lady Bird Johnson Wildflower Center Plant Database
Apocynum cannabinum (Hemp Dogbane)
Group: Plants
Type: Flowering Plants - Dicots
Family: Apocynaceae
Notes
Common Names: Hemp Dogbane; Indianhemp
Growth Habit: Forb/herb
Duration: Perennial
Origin: Native to the conterminous United States
Years Noted: 1984; 2004; 2007; 2009; 2012; 2014; 2016-2025
Dispersed By: Wind
Bee Beneficial: Yes
Monarch Butterfly Value: High (NRCS 2018a)
Also Listed As a Monarch Butterfly Plant In: Galea et. al 2015
Listed as a "Bee Plant" By the Lady Bird Johnson Wildflower Center:
Supports Conservation Biological Control
iNaturalist Observations from the GNA:
183393491 (Observed: 9/15/2023)
51630437 (Observed: 7/1/2020)
General Floristic References:
Rhoads, A. F. and T. A. Block (2007). The Plants of Pennsylvania. Philadelphia, PA, University of Pennsylvania Press (p. 772).
Monarch Butterfly References
Galea, M., E. Cole, L. Davies Adams, and L. Stritch (eds). 2015. Conservation and Management of Monarch Butterflies A Land Manager’s Restoration Guide for the Eastern U.S. Pollinator Partnership and USDA Forest Service, San Francisco, CA. 27 pp.
Natural Resource Conservation Service [NRCS] (ed). 2018a. Important Plants of the Monarch Butterfly. Greater Appalachian Mountains Region Staff Guide. Natural Resources Conservation Service, U.S. Department of Agriculture 132 pp.
Online Resources for Apocynum cannabinum:
Fire Effects Information System
Lady Bird Johnson Wildflower Center Plant Database
Images
Vinca minor (Common Periwinkle)
Group: Plants
Type: Flowering Plants - Dicots
Family: Apocynaceae
Notes
Common Name: Common Periwinkle
Growth Habit: Forb/herb, Vine
Duration: Perennial
Origin: Not native to the conterminous United States
Pennsylvania DCNR Invasive Plants Rating: Rank 3 — "Lesser Threat. Exotic plant species that spread in or near disturbed areas, and are not presently considered a major threat to undisturbed native plant communities."
Years Noted: 2007; 2016; 2018-2019; 2023; 2025
Dispersed By: Ants; Human Activities
Deer Resistant: Yes
Winter-green Species: i.e., Is a species whose leaves develop in the fall and overwinter.
iNaturalist Observations from the GNA:
271056424 (Observed: 4/17/2025)
174092670 (Observed: 7/20/2023)
General Floristic References:
Rhoads, A. F. and T. A. Block (2007). The Plants of Pennsylvania. Philadelphia, PA, University of Pennsylvania Press (p. 771).
Wintergreen Species References:
Beatley, J. C. 1956. The winter-green herbaceous flowering plants of Ohio. The Ohio Journal of Science 56(6): 349-377.
Online Resources for Vinca minor:
Fire Effects Information System
Images
Ilex crenata (Japanese Holly)
Group: Plants
Type: Flowering Plants - Dicots
Family: Aquifoliaceae
Notes
Common Name: Japanese Holly
Growth Habit: Tree, Shrub
Duration: Perennial
Origin: Not native to the conterminous United States
Years Noted: 2007; 2017-2020; 2022-2023; 2025-2026
Deer Resistant: Yes
iNaturalist Observations from the GNA:
107202638 (Observed: 2/21/2022)
Online Resources for Ilex crenata:
Images
Ilex opaca (American Holly)
Group: Plants
Type: Flowering Plants - Dicots
Family: Aquifoliaceae
Notes
Common Name: American Holly
Growth Habit: Tree, Shrub
Duration: Perennial
Origin: Native to the conterminous United States
Years Noted: 1984; 2007-2008; 2013; 2016-2026
Dispersed By: Animals
Bee Beneficial: Yes
Deer Resistant: Yes
Listed as a "Bee Plant" By the Lady Bird Johnson Wildflower Center:
Honey Bees
General Floristic References:
Dove, T. and G. Woolridge (2018). Essential Native Trees and Shrubs for the Eastern United States. Watertown, MA, Imagine Books (p. 98).
Rhoads, A. F. and T. A. Block (2005). Trees of Pennsylvania. A Complete Reference Guide. Philadelphia, PA, University of Pennsylvania Press (p. 148-149).
Rhoads, A. F. and T. A. Block (2007). The Plants of Pennsylvania. Philadelphia, PA, University of Pennsylvania Press (p. 852).
Online Resources for Ilex opaca:
Fire Effects Information System
Lady Bird Johnson Wildflower Center Plant Database
Images
Ilex verticillata (Common Winterberry)
Group: Plants
Type: Flowering Plants - Dicots
Family: Aquifoliaceae
Notes
Common Name: Common Winterberry
Growth Habit: Tree, Shrub
Duration: Perennial
Origin: Native to the conterminous United States
Years Noted: 2004; 2007; 2009; 2016-2021; 2025-2026
Northeast Wetland Status: FACW
Bee Beneficial: Yes
Deer Resistant: Yes
Listed as a "Bee Plant" By the Lady Bird Johnson Wildflower Center:
Honey Bees
iNaturalist Observations from the GNA:
51615403 (Observed: 7/1/2020)
General Floristic References:
Magee, D. W. (1981). Freshwater Wetlands: A Guide to Common Indicator Plants of the Northeast. Amherst, MA, University of Massachusetts Press (p. 163).
Rhoads, A. F. and T. A. Block (2007). The Plants of Pennsylvania. Philadelphia, PA, University of Pennsylvania Press (p. 852).
Online Resources for Ilex verticillata:
Lady Bird Johnson Wildflower Center Plant Database
Images
Aralia elata (Japanese Angelica Tree)
Group: Plants
Type: Flowering Plants - Dicots
Family: Araliaceae
Notes
Common Name: Japanese Angelica Tree
Growth Habit: Tree
Duration: Perennial
Origin: Not native to the conterminous United States
Pennsylvania DCNR Invasive Plants Rating: Rank 1 — "Severe Threat. Exotic plant species that possess characteristics of invasive species and spread easily into native plant communities and displace native vegetation. Includes species that are or could become widespread in Pennsylvania."
Years Noted: 1984; 2016
Deer Resistant: Yes
General Floristic References:
Rhoads, A. F. and T. A. Block (2005). Trees of Pennsylvania. A Complete Reference Guide. Philadelphia, PA, University of Pennsylvania Press (p. 27).
Rhoads, A. F. and T. A. Block (2007). The Plants of Pennsylvania. Philadelphia, PA, University of Pennsylvania Press (p. 854).
Online Resources for Aralia elata:
Images
Aralia nudicaulis (Wild Sarsaparilla)
Group: Plants
Type: Flowering Plants - Dicots
Family: Araliaceae
Notes
Common Name: Wild Sarsaparilla
Growth Habit: Subshrub, Forb/herb
Duration: Perennial
Origin: Native to the conterminous United States
Year Noted: 1984
General Floristic References:
Rhoads, A. F. and T. A. Block (2007). The Plants of Pennsylvania. Philadelphia, PA, University of Pennsylvania Press (p. 855).
Online Resources for Aralia nudicaulis:
Fire Effects Information System
Aralia racemosa (American Spikenard)
Group: Plants
Type: Flowering Plants - Dicots
Family: Araliaceae
Notes
Common Names: American Spikenard; Black Cohosh
Growth Habit: Subshrub, Forb/herb
Duration: Perennial
Origin: Native to the conterminous United States
Years Noted: 1984; 2007; 2018
Deer Resistant: Yes
General Floristic References:
Rhoads, A. F. and T. A. Block (2007). The Plants of Pennsylvania. Philadelphia, PA, University of Pennsylvania Press (p. 855).
Online Resources for Aralia racemosa:
Lady Bird Johnson Wildflower Center Plant Database
Hedera helix (English Ivy)
Group: Plants
Type: Flowering Plants - Dicots
Family: Araliaceae
Notes
Common Name: English Ivy
Growth Habit: Vine
Duration: Perennial
Origin: Not native to the conterminous United States
Pennsylvania DCNR Invasive Plants Rating: Rank 3 — "Lesser Threat. Exotic plant species that spread in or near disturbed areas, and are not presently considered a major threat to undisturbed native plant communities."
Years Noted: 2008; 2013; 2016-2026
Dispersed By: Animals; Birds; General Zoochory; Human Activities; Water
Allelopathic: Yes
Deer Resistant: Yes
iNaturalist Observations from the GNA:
310247281 (Observed: 8/30/2025)
Online Resources for Hedera helix:
Fire Effects Information System
Images
Panax quinquefolius (American Ginseng)
Group: Plants
Type: Flowering Plants - Dicots
Family: Araliaceae
Notes
Common Name: American Ginseng
Growth Habit: Forb/herb
Duration: Perennial
Origin: Native to the conterminous United States
Years Noted: 1984; 2004; 2007; 2016-2025
General Floristic References:
Rhoads, A. F. and T. A. Block (2007). The Plants of Pennsylvania. Philadelphia, PA, University of Pennsylvania Press (p. 855).
Online Resources for Panax quinquefolius:
Lady Bird Johnson Wildflower Center Plant Database
Images
Panax trifolius (Dwarf Ginseng)
Group: Plants
Type: Flowering Plants - Dicots
Family: Araliaceae
Notes
Common Name: Dwarf Ginseng
Growth Habit: Forb/herb
Duration: Perennial
Origin: Native to the conterminous United States
Years Noted: 1984; 2004; 2007; 2015-2025
Deer Resistant: Yes
iNaturalist Observations from the GNA:
113170706 (Observed: 4/27/2022)
73797782 (Observed: 4/11/2021)
77875767 (Observed: 5/7/2021)
42278892 (Observed: 4/15/2020)
73156188 (Observed: 4/6/2021)
General Floristic References:
Rhoads, A. F. and T. A. Block (2007). The Plants of Pennsylvania. Philadelphia, PA, University of Pennsylvania Press (p. 855).
Online Resources for Panax trifolius:
Images
Aristolochia serpentaria (Virginia Snakeroot)
Group: Plants
Type: Flowering Plants - Dicots
Family: Aristolochiaceae
Notes
Common Name: Virginia Snakeroot
Growth Habit: Forb/herb
Duration: Perennial
Origin: Native to the conterminous United States
Years Noted: 1984; 2007; 2017-2018
Dispersed By: Ants
General Floristic References:
Rhoads, A. F. and T. A. Block (2007). The Plants of Pennsylvania. Philadelphia, PA, University of Pennsylvania Press (p. 401).
Online Resources for Aristolochia serpentaria:
iNaturalist (for the synonym Endodeca serpentaria)
Images
Asarum canadense (Canadian Wildginger)
Group: Plants
Type: Flowering Plants - Dicots
Family: Aristolochiaceae
Notes
Common Name: Canadian Wildginger
Growth Habit: Forb/herb
Duration: Perennial
Origin: Native to the conterminous United States
Years Noted: 1984; 2004; 2007; 2009; 2014; 2016-2023; 2025
Dispersed By: Ants
Deer Resistant: Yes
iNaturalist Observations from the GNA:
270879889 (Observed: 4/16/2025)
46023956 (Observed: 5/12/2020)
41188618 (Observed: 4/23/2019)
General Floristic References:
Rhoads, A. F. and T. A. Block (2007). The Plants of Pennsylvania. Philadelphia, PA, University of Pennsylvania Press (p. 399).
Online Resources for Asarum canadense:
Lady Bird Johnson Wildflower Center Plant Database
Images
Asclepias exaltata (Poke Milkweed)
Group: Plants
Type: Flowering Plants - Dicots
Family: Asclepiadaceae
Notes
Common Name: Poke Milkweed
Growth Habit: Forb/herb
Duration: Perennial
Origin: Native to the conterminous United States
Years Noted: 2004; 2007
Deer Resistant: Yes
Listed As a Monarch Butterfly Plant In: Galea et. al 2015; Illinois Wildflowers
Listed as a "Bee Plant" By the Lady Bird Johnson Wildflower Center:
Native Bees; Bumble Bees; Honey Bees; Supports Conservation Biological Control
General Floristic References:
Rhoads, A. F. and T. A. Block (2007). The Plants of Pennsylvania. Philadelphia, PA, University of Pennsylvania Press (p. 774).
Monarch Butterfly References
Galea, M., E. Cole, L. Davies Adams, and L. Stritch (eds). 2015. Conservation and Management of Monarch Butterflies A Land Manager’s Restoration Guide for the Eastern U.S. Pollinator Partnership and USDA Forest Service, San Francisco, CA. 27 pp.
Illinois Wildflowers. 2022. Page for Danaus plexipes. Data Downloaded 8/17/22: http://www.illinoiswildflowers.info/flower_insects/insects/moths/danaus_plexippus.htm.
Online Resources for Asclepias exaltata:
Asclepias incarnata (Swamp Milkweed)
Group: Plants
Type: Flowering Plants - Dicots
Family: Asclepiadaceae
Notes
Common Name: Swamp Milkweed
Growth Habit: Forb/herb
Duration: Perennial
Origin: Native to the conterminous United States
Years Noted: 2007; 2016; 2019-2025
Northeast Wetland Status: OBL
Deer Resistant: Yes
Monarch Butterfly Value: Very High (NRCS 2018a); Larval Host (NRCS 2018b)
Also Listed As a Monarch Butterfly Plant In: Galea et. al 2015; Illinois Wildflowers; Pollinator.org; Virginia DCR; Xerces Society - Mid-Atlantic List; Xerces Society - Northeast List
Listed as a "Bee Plant" By the Lady Bird Johnson Wildflower Center:
Native Bees; Bumble Bees; Honey Bees; Supports Conservation Biological Control
iNaturalist Observations from the GNA:
171560021 (Observed: 7/7/2023)
52516111 (Observed: 7/9/2020)
42799714 (Observed: 8/2/2019)
General Floristic References:
Magee, D. W. (1981). Freshwater Wetlands: A Guide to Common Indicator Plants of the Northeast. Amherst, MA, University of Massachusetts Press (p. 205).
Rhoads, A. F. and T. A. Block (2007). The Plants of Pennsylvania. Philadelphia, PA, University of Pennsylvania Press (p. 774).
Monarch Butterfly References
Galea, M., E. Cole, L. Davies Adams, and L. Stritch (eds). 2015. Conservation and Management of Monarch Butterflies A Land Manager’s Restoration Guide for the Eastern U.S. Pollinator Partnership and USDA Forest Service, San Francisco, CA. 27 pp.
Illinois Wildflowers. 2022. Page for Danaus plexipes. Data Downloaded 8/17/22: http://www.illinoiswildflowers.info/flower_insects/insects/moths/danaus_plexippus.htm.
Natural Resource Conservation Service [NRCS] (ed). 2018a. Important Plants of the Monarch Butterfly. Greater Appalachian Mountains Region Staff Guide. Natural Resources Conservation Service, U.S. Department of Agriculture 132 pp.
Natural Resource Conservation Service [NRCS] (ed). 2018b. Native Habitat Development for Pollinators, Honey Bees and Monarchs. Biology Jobsheet #16. Natural Resources Conservation Service, U.S. Department of Agriculture 6 pp.
Pollinator.org. 2022. https://www.pollinator.org/pollinator.org/assets/generalFiles/MonarchGardenPlants_170625_152424.pdf; File Accessed: 8-22-2022.
Virginia Department of Conservation and Recreation [DCR]. 2022. https://www.dcr.virginia.gov/natural-heritage/save-the-monarch; Date Accessed: 8/19/2022.
Xerces Society: Monarch Nectar Plants Mid-Atlantic. https://xerces.org/sites/default/files/2018-05/16-042_01_XercesSoc_MonarchNectarPlants_Mid-Atlantic_web-3page_0.pdf. File Accessed: 8-25-2022.
Xerces Society: Monarch Nectar Plants Northeast. https://xerces.org/sites/default/files/2018-05/16-044_01_XercesSoc_MonarchNectarPlants_Northeast_web-3page.pdf. File Accessed: 8-25-2022.
Online Resources for Asclepias incarnata:
Fire Effects Information System
Lady Bird Johnson Wildflower Center Plant Database
Images
Asclepias syriaca (Common Milkweed)
Group: Plants
Type: Flowering Plants - Dicots
Family: Asclepiadaceae
Notes
Common Name: Common Milkweed
Growth Habit: Forb/herb
Duration: Perennial
Origin: Native to the conterminous United States
Years Noted: 1968; 1984; 2004; 2007; 2016-2025
Dispersed By: Animals; General Zoochory; Human Activities; Water; Wind
Deer Resistant: Yes
Monarch Butterfly Value: Very High (NRCS 2018a); Larval Host (NRCS 2018b)
Also Listed As a Monarch Butterfly Plant In: Galea et. al 2015; Illinois Wildflowers; Pollinator.org; Xerces Society - Mid-Atlantic List; Xerces Society - Northeast List
Listed as a "Bee Plant" By the Lady Bird Johnson Wildflower Center:
Native Bees; Bumble Bees; Honey Bees; Supports Conservation Biological Control
iNaturalist Observations from the GNA:
310255796 (Observed: 8/30/2025)
85002705 (Observed: 6/25/2021)
46770757 (Observed: 5/21/2020)
50914912 (Observed: 6/25/2020)
General Floristic References:
Rhoads, A. F. and T. A. Block (2007). The Plants of Pennsylvania. Philadelphia, PA, University of Pennsylvania Press (p. 775).
Monarch Butterfly References
Galea, M., E. Cole, L. Davies Adams, and L. Stritch (eds). 2015. Conservation and Management of Monarch Butterflies A Land Manager’s Restoration Guide for the Eastern U.S. Pollinator Partnership and USDA Forest Service, San Francisco, CA. 27 pp.
Illinois Wildflowers. 2022. Page for Danaus plexipes. Data Downloaded 8/17/22: http://www.illinoiswildflowers.info/flower_insects/insects/moths/danaus_plexippus.htm.
Natural Resource Conservation Service [NRCS] (ed). 2018a. Important Plants of the Monarch Butterfly. Greater Appalachian Mountains Region Staff Guide. Natural Resources Conservation Service, U.S. Department of Agriculture 132 pp.
Natural Resource Conservation Service [NRCS] (ed). 2018b. Native Habitat Development for Pollinators, Honey Bees and Monarchs. Biology Jobsheet #16. Natural Resources Conservation Service, U.S. Department of Agriculture 6 pp.
Pollinator.org. 2022. https://www.pollinator.org/pollinator.org/assets/generalFiles/MonarchGardenPlants_170625_152424.pdf; File Accessed: 8-22-2022.
Xerces Society: Monarch Nectar Plants Mid-Atlantic. https://xerces.org/sites/default/files/2018-05/16-042_01_XercesSoc_MonarchNectarPlants_Mid-Atlantic_web-3page_0.pdf. File Accessed: 8-25-2022.
Xerces Society: Monarch Nectar Plants Northeast. https://xerces.org/sites/default/files/2018-05/16-044_01_XercesSoc_MonarchNectarPlants_Northeast_web-3page.pdf. File Accessed: 8-25-2022.
Online Resources for Asclepias syriaca:
Lady Bird Johnson Wildflower Center Plant Database
Images
Asclepias tuberosa (Butterfly Milkweed)
Group: Plants
Type: Flowering Plants - Dicots
Family: Asclepiadaceae
Notes
Common Name: Butterfly Milkweed
Growth Habit: Forb/herb
Duration: Perennial
Origin: Native to the conterminous United States
Years Noted: 2004; 2007; 2012; 2018
Deer Resistant: Yes
Monarch Butterfly Value: Very High (NRCS 2018a); Larval Host (NRCS 2018b)
Also Listed As a Monarch Butterfly Plant In: Galea et. al 2015; Illinois Wildflowers; Pollinator.org; Virginia DCR; Xerces Society - Mid-Atlantic List; Xerces Society - Northeast List
Listed as a "Bee Plant" By the Lady Bird Johnson Wildflower Center:
Native Bees; Bumble Bees; Honey Bees; Supports Conservation Biological Control
General Floristic References:
Rhoads, A. F. and T. A. Block (2007). The Plants of Pennsylvania. Philadelphia, PA, University of Pennsylvania Press (p. 776).
Monarch Butterfly References
Galea, M., E. Cole, L. Davies Adams, and L. Stritch (eds). 2015. Conservation and Management of Monarch Butterflies A Land Manager’s Restoration Guide for the Eastern U.S. Pollinator Partnership and USDA Forest Service, San Francisco, CA. 27 pp.
Illinois Wildflowers. 2022. Page for Danaus plexipes. Data Downloaded 8/17/22: http://www.illinoiswildflowers.info/flower_insects/insects/moths/danaus_plexippus.htm.
Natural Resource Conservation Service [NRCS] (ed). 2018a. Important Plants of the Monarch Butterfly. Greater Appalachian Mountains Region Staff Guide. Natural Resources Conservation Service, U.S. Department of Agriculture 132 pp.
Natural Resource Conservation Service [NRCS] (ed). 2018b. Native Habitat Development for Pollinators, Honey Bees and Monarchs. Biology Jobsheet #16. Natural Resources Conservation Service, U.S. Department of Agriculture 6 pp.
Pollinator.org. 2022. https://www.pollinator.org/pollinator.org/assets/generalFiles/MonarchGardenPlants_170625_152424.pdf; File Accessed: 8-22-2022.
Virginia Department of Conservation and Recreation [DCR]. 2022. https://www.dcr.virginia.gov/natural-heritage/save-the-monarch; Date Accessed: 8/19/2022.
Xerces Society: Monarch Nectar Plants Mid-Atlantic. https://xerces.org/sites/default/files/2018-05/16-042_01_XercesSoc_MonarchNectarPlants_Mid-Atlantic_web-3page_0.pdf. File Accessed: 8-25-2022.
Xerces Society: Monarch Nectar Plants Northeast. https://xerces.org/sites/default/files/2018-05/16-044_01_XercesSoc_MonarchNectarPlants_Northeast_web-3page.pdf. File Accessed: 8-25-2022.
Online Resources for Asclepias tuberosa:
Lady Bird Johnson Wildflower Center Plant Database
Images
Achillea millefolium (Common Yarrow)
Group: Plants
Type: Flowering Plants - Dicots
Family: Asteraceae
Notes
Common Name: Common Yarrow
Growth Habit: Forb/herb
Duration: Perennial
Origin: Not native to the conterminous United States
Years Noted: 1984; 2004; 2007; 2017-2022; 2025
Dispersed By: Animals; Ballistic; Birds; General Zoochory; Human Activities; Water; Wind
Deer Resistant: Yes
Listed As a Monarch Butterfly Plant In: Illinois Wildflowers; Xerces Society - Northeast List
Listed as a "Bee Plant" By the Lady Bird Johnson Wildflower Center:
Native Bees; Supports Conservation Biological Control
Winter-green Species: i.e., Is a species whose leaves develop in the fall and overwinter.
iNaturalist Observations from the GNA:
52517815 (Observed: 7/9/2020)
General Floristic References:
Rhoads, A. F. and T. A. Block (2007). The Plants of Pennsylvania. Philadelphia, PA, University of Pennsylvania Press (p. 907).
Monarch Butterfly References
Illinois Wildflowers. 2022. Page for Danaus plexipes. Data Downloaded 8/17/22: http://www.illinoiswildflowers.info/flower_insects/insects/moths/danaus_plexippus.htm.
Xerces Society: Monarch Nectar Plants Northeast. https://xerces.org/sites/default/files/2018-05/16-044_01_XercesSoc_MonarchNectarPlants_Northeast_web-3page.pdf. File Accessed: 8-25-2022.
Wintergreen Species References:
Beatley, J. C. 1956. The winter-green herbaceous flowering plants of Ohio. The Ohio Journal of Science 56(6): 349-377.
Online Resources for Achillea millefolium:
Fire Effects Information System
Lady Bird Johnson Wildflower Center Plant Database
Images
Ageratina altissima (White Snakeroot)
Group: Plants
Type: Flowering Plants - Dicots
Family: Asteraceae
Notes
Common Name: White Snakeroot
Growth Habit: Forb/herb
Duration: Perennial
Origin: Native to the conterminous United States
Years Noted: 1984; 2004; 2007; 2009; 2011-2012; 2017-2025
Bee Beneficial: Yes
Deer Resistant: Yes
Listed as a "Bee Plant" By the Lady Bird Johnson Wildflower Center:
Supports Conservation Biological Control
iNaturalist Observations from the GNA:
59736954 (Observed: 9/15/2020)
General Floristic References:
Rhoads, A. F. and T. A. Block (2007). The Plants of Pennsylvania. Philadelphia, PA, University of Pennsylvania Press (p. 961).
Online Resources for Ageratina altissima:
Lady Bird Johnson Wildflower Center Plant Database
Images
Ambrosia artemisiifolia (Annual Ragweed)
Group: Plants
Type: Flowering Plants - Dicots
Family: Asteraceae
Notes
Common Name: Annual Ragweed
Growth Habit: Forb/herb
Duration: Annual
Origin: Native to the conterminous United States
Years Noted: 1967-1970; 1972; 1984; 2007; 2016-2023
Dispersed By: Human Activities; Rain (Assisted, i.e., ombrochory)
Allelopathic: Yes
iNaturalist Observations from the GNA:
58987907 (Observed: 9/8/2020)
General Floristic References:
Rhoads, A. F. and T. A. Block (2007). The Plants of Pennsylvania. Philadelphia, PA, University of Pennsylvania Press (p. 938).
Online Resources for Ambrosia artemisiifolia:
Images
Ambrosia trifida (Great Ragweed)
Group: Plants
Type: Flowering Plants - Dicots
Family: Asteraceae
Notes
Common Name: Great Ragweed
Growth Habit: Subshrub, Forb/herb
Duration: Annual
Origin: Native to the conterminous United States
Years Noted: 1984; 1989; 2007; 2017-2023
Dispersed By: Animals; General Zoochory; Human Activities; Rain (Assisted, i.e., ombrochory); Water
Allelopathic: Yes
iNaturalist Observations from the GNA:
98229846 (Observed: 10/11/2021)
58988285 (Observed: 9/8/2020)
General Floristic References:
Rhoads, A. F. and T. A. Block (2007). The Plants of Pennsylvania. Philadelphia, PA, University of Pennsylvania Press (p. 938).
Online Resources for Ambrosia trifida:
Images
Antennaria howellii (Howells Pussytoes)
Group: Plants
Type: Flowering Plants - Dicots
Family: Asteraceae
Notes
Common Name: Howell's Pussytoes
Growth Habit: Forb/herb
Duration: Perennial
Origin: Native to the conterminous United States
Synonyms: Antennaria neodioica Greene ssp. neodicoica (Greene) Bayer & StebbinsYear Noted: 2007
General Floristic References:
Rhoads, A. F. and T. A. Block (2007). The Plants of Pennsylvania. Philadelphia, PA, University of Pennsylvania Press (p. 902).
Online Resources for Antennaria howellii:
Antennaria neglecta (Field Pussytoes)
Group: Plants
Type: Flowering Plants - Dicots
Family: Asteraceae
Notes
Common Name: Field Pussytoes
Growth Habit: Forb/herb
Duration: Perennial
Origin: Native to the conterminous United States
Years Noted: 1984; 2007
Allelopathic: Yes
Bee Beneficial: Yes
Listed as a "Bee Plant" By the Lady Bird Johnson Wildflower Center:
Supports Conservation Biological Control
General Floristic References:
Rhoads, A. F. and T. A. Block (2007). The Plants of Pennsylvania. Philadelphia, PA, University of Pennsylvania Press (p. 902).
Online Resources for Antennaria neglecta:
Lady Bird Johnson Wildflower Center Plant Database
Antennaria parlinii (Parlins Pussytoes)
Group: Plants
Type: Flowering Plants - Dicots
Family: Asteraceae
Notes
Common Name: Parlin's Pussytoes
Growth Habit: Forb/herb
Duration: Perennial
Origin: Native to the conterminous United States
Year Noted: 2007
Dispersed By: Wind
General Floristic References:
Rhoads, A. F. and T. A. Block (2007). The Plants of Pennsylvania. Philadelphia, PA, University of Pennsylvania Press (p. 903).
Online Resources for Antennaria parlinii:
Lady Bird Johnson Wildflower Center Plant Database
Antennaria plantaginifolia (Womans Tobacco)
Group: Plants
Type: Flowering Plants - Dicots
Family: Asteraceae
Notes
Common Name: Woman's Tobacco
Growth Habit: Forb/herb
Duration: Perennial
Origin: Native to the conterminous United States
Years Noted: 1984; 2007
Bee Beneficial: Yes
Listed as a "Bee Plant" By the Lady Bird Johnson Wildflower Center:
Supports Conservation Biological Control
Winter-green Species: i.e., Is a species whose leaves develop in the fall and overwinter.
General Floristic References:
Rhoads, A. F. and T. A. Block (2007). The Plants of Pennsylvania. Philadelphia, PA, University of Pennsylvania Press (p. 903).
Wintergreen Species References:
Beatley, J. C. 1956. The winter-green herbaceous flowering plants of Ohio. The Ohio Journal of Science 56(6): 349-377.
Online Resources for Antennaria plantaginifolia:
Lady Bird Johnson Wildflower Center Plant Database
Anthemis cotula (Stinking Chamomile)
Group: Plants
Type: Flowering Plants - Dicots
Family: Asteraceae
Notes
Common Name: Stinking Chamomile
Growth Habit: Forb/herb
Duration: Annual
Origin: Not native to the conterminous United States
Year Noted: 2007
Dispersed By: Animals; General Zoochory; Human Activities; Rain (Assisted, i.e., ombrochory)
Winter-green Species: i.e., Is a species whose leaves develop in the fall and overwinter.
General Floristic References:
Rhoads, A. F. and T. A. Block (2007). The Plants of Pennsylvania. Philadelphia, PA, University of Pennsylvania Press (p. 909).
Wintergreen Species References:
Beatley, J. C. 1956. The winter-green herbaceous flowering plants of Ohio. The Ohio Journal of Science 56(6): 349-377.
Online Resources for Anthemis cotula:
Arctium lappa (Greater Burdock)
Group: Plants
Type: Flowering Plants - Dicots
Family: Asteraceae
Notes
Common Name: Greater Burdock
Growth Habit: Forb/herb
Duration: Biennial
Origin: Not native to the conterminous United States
Years Noted: 2007; 2016-2017; 2019-2025
Dispersed By: Animals; Animals (Accidental); Birds; General Zoochory; Mammals (non-bat); Water
iNaturalist Observations from the GNA:
60651576 (Observed: 9/24/2020)
42062388 (Observed: 4/12/2020)
General Floristic References:
Rhoads, A. F. and T. A. Block (2007). The Plants of Pennsylvania. Philadelphia, PA, University of Pennsylvania Press (p. 886).
Online Resources for Arctium lappa:
Images
Arctium minus (Lesser Burdock)
Group: Plants
Type: Flowering Plants - Dicots
Family: Asteraceae
Notes
Common Name: Lesser Burdock
Growth Habit: Forb/herb
Duration: Biennial
Origin: Not native to the conterminous United States
Years Noted: 1984; 2004; 2007; 2009; 2012; 2017-2018; 2022
Dispersed By: Animals; Birds; General Zoochory; Water
iNaturalist Observations from the GNA:
139554649 (Observed: 10/21/2022)
General Floristic References:
Rhoads, A. F. and T. A. Block (2007). The Plants of Pennsylvania. Philadelphia, PA, University of Pennsylvania Press (p. 886).
Online Resources for Arctium minus:
Artemisia annua (Sweet Sagewort)
Group: Plants
Type: Flowering Plants - Dicots
Family: Asteraceae
Notes
Common Names: Sweet Sagewort; Sweet Annie
Growth Habit: Forb/herb
Duration: Annual
Origin: Not native to the conterminous United States
Years Noted: 2007; 2024
Dispersed By: Animals; General Zoochory
iNaturalist Observations from the GNA:
217328889 (Observed: 5/17/2024)
General Floristic References:
Rhoads, A. F. and T. A. Block (2007). The Plants of Pennsylvania. Philadelphia, PA, University of Pennsylvania Press (p. 908).
Online Resources for Artemisia annua:
Artemisia ludoviciana ssp. ludoviciana (White Sagebrush)
Group: Plants
Type: Flowering Plants - Dicots
Family: Asteraceae
Notes
Common Name: White Sagebrush
Growth Habit: Subshrub, Forb/herb
Duration: Perennial
Origin: Not native to the conterminous United States
Years Noted: 2022; 2024
Deer Resistant: Yes
iNaturalist Observations from the GNA:
136581391 (Observed: 9/26/2022)
General Floristic References:
Rhoads, A. F. and T. A. Block (2007). The Plants of Pennsylvania. Philadelphia, PA, University of Pennsylvania Press (p. 907).
Online Resources for Artemisia ludoviciana ssp. ludoviciana:
Images
Artemisia vulgaris (Common Wormwood)
Group: Plants
Type: Flowering Plants - Dicots
Family: Asteraceae
Notes
Common Names: Common Wormwood; Common Mugwort
Growth Habit: Forb/herb, Subshrub
Duration: Perennial
Origin: Not native to the conterminous United States
Pennsylvania DCNR Invasive Plants Rating: Rank 3 — "Lesser Threat. Exotic plant species that spread in or near disturbed areas, and are not presently considered a major threat to undisturbed native plant communities."
Years Noted: 2004; 2007; 2017-2018; 2020-2022; 2024-2025
Dispersed By: Animals; Birds; General Zoochory; Human Activities; Water; Wind
iNaturalist Observations from the GNA:
310245813 (Observed: 8/30/2025)
58281795 (Observed: 9/1/2020)
59771438 (Observed: 9/15/2020)
General Floristic References:
Rhoads, A. F. and T. A. Block (2007). The Plants of Pennsylvania. Philadelphia, PA, University of Pennsylvania Press (p. 908).
Online Resources for Artemisia vulgaris:
Images
Bidens bipinnata (Spanish Needles)
Group: Plants
Type: Flowering Plants - Dicots
Family: Asteraceae
Notes
Common Name: Spanish Needles
Growth Habit: Forb/herb
Duration: Annual
Origin: Native to the conterminous United States
Years Noted: 2004; 2018
Dispersed By: Animals; Animals (Accidental); General Zoochory; Human Activities; Mammals (non-bat)
General Floristic References:
Rhoads, A. F. and T. A. Block (2007). The Plants of Pennsylvania. Philadelphia, PA, University of Pennsylvania Press (p. 952).
Online Resources for Bidens bipinnata:
Bidens cernua (Nodding Beggartick)
Group: Plants
Type: Flowering Plants - Dicots
Family: Asteraceae
Notes
Common Name: Nodding Beggartick
Growth Habit: Forb/herb
Duration: Annual
Origin: Native to the conterminous United States
Year Noted: 1984
Northeast Wetland Status: OBL
Dispersed By: Animals; Animals (Accidental); Birds; General Zoochory; Mammals (non-bat); Water
Bee Beneficial: Yes
Listed As a Monarch Butterfly Plant In: Illinois Wildflowers
Listed as a "Bee Plant" By the Lady Bird Johnson Wildflower Center:
Native Bees
General Floristic References:
Rhoads, A. F. and T. A. Block (2007). The Plants of Pennsylvania. Philadelphia, PA, University of Pennsylvania Press (p. 952).
Monarch Butterfly References
Illinois Wildflowers. 2022. Page for Danaus plexipes. Data Downloaded 8/17/22: http://www.illinoiswildflowers.info/flower_insects/insects/moths/danaus_plexippus.htm.
Online Resources for Bidens cernua:
Bidens connata (Purplestem Beggarticks)
Group: Plants
Type: Flowering Plants - Dicots
Family: Asteraceae
Notes
Common Name: Purplestem Beggarticks
Growth Habit: Forb/herb
Duration: Annual
Origin: Native to the conterminous United States
Years Noted: 2007; 2018; 2023
Northeast Wetland Status: FACW
Dispersed By: Animals; General Zoochory; Water
Bee Beneficial: Yes
Listed as a "Bee Plant" By the Lady Bird Johnson Wildflower Center:
Native Bees
General Floristic References:
Magee, D. W. (1981). Freshwater Wetlands: A Guide to Common Indicator Plants of the Northeast. Amherst, MA, University of Massachusetts Press (p. 227).
Rhoads, A. F. and T. A. Block (2007). The Plants of Pennsylvania. Philadelphia, PA, University of Pennsylvania Press (p. 953).
Online Resources for Bidens connata:
Bidens frondosa (Devils Beggartick)
Group: Plants
Type: Flowering Plants - Dicots
Family: Asteraceae
Notes
Common Name: Devil's Beggartick
Growth Habit: Forb/herb
Duration: Annual
Origin: Native to the conterminous United States
Years Noted: 1984; 2004; 2007; 2017-2018; 2020-2022; 2024-2025
Dispersed By: Animals; General Zoochory; Human Activities; Water
Listed as a "Bee Plant" By the Lady Bird Johnson Wildflower Center:
Native Bees; Supports Conservation Biological Control
iNaturalist Observations from the GNA:
136152347 (Observed: 9/22/2022)
58271810 (Observed: 9/1/2020)
60466744 (Observed: 9/22/2020)
General Floristic References:
Rhoads, A. F. and T. A. Block (2007). The Plants of Pennsylvania. Philadelphia, PA, University of Pennsylvania Press (p. 953).
Online Resources for Bidens frondosa:
Images
Carduus nutans (Nodding Plumeless Thistle)
Group: Plants
Type: Flowering Plants - Dicots
Family: Asteraceae
Notes
Common Name: Nodding Plumeless Thistle
Growth Habit: Forb/herb
Duration: Biennial, Perennial
Origin: Not native to the conterminous United States
Pennsylvania DCNR Invasive Plants Rating: Rank 3 — "Lesser Threat. Exotic plant species that spread in or near disturbed areas, and are not presently considered a major threat to undisturbed native plant communities."
Years Noted: 2007; 2017-2018
Dispersed By: Animals; Ants; General Zoochory; Water; Wind
Listed As a Monarch Butterfly Plant In: Illinois Wildflowers
General Floristic References:
Rhoads, A. F. and T. A. Block (2007). The Plants of Pennsylvania. Philadelphia, PA, University of Pennsylvania Press (p. 884).
Monarch Butterfly References
Illinois Wildflowers. 2022. Page for Danaus plexipes. Data Downloaded 8/17/22: http://www.illinoiswildflowers.info/flower_insects/insects/moths/danaus_plexippus.htm.
Online Resources for Carduus nutans:
Centaurea cyanus (Garden Cornflower)
Group: Plants
Type: Flowering Plants - Dicots
Family: Asteraceae
Notes
Common Name: Garden Cornflower
Growth Habit: Forb/herb
Duration: Annual
Origin: Not native to the conterminous United States
Year Noted: 2020
Dispersed By: Animals; Ants; Birds; General Zoochory; Human Activities; Wind
Deer Resistant: Yes
Notes: Growing along the PECO right-of-way. Possibly planted as a dye plant, or brought in on someone's footwear.
iNaturalist Observations from the GNA:
52521317 (Observed: 7/9/2020)
General Floristic References:
Rhoads, A. F. and T. A. Block (2007). The Plants of Pennsylvania. Philadelphia, PA, University of Pennsylvania Press (p. 887).
Online Resources for Centaurea cyanus:
Images
Cichorium intybus (Chicory)
Group: Plants
Type: Flowering Plants - Dicots
Family: Asteraceae
Notes
Common Name: Chicory
Growth Habit: Forb/herb
Duration: Biennial, Perennial
Origin: Not native to the conterminous United States
Years Noted: 1984; 2007; 2011; 2017-2018; 2020-2025
Dispersed By: Animals; Birds; General Zoochory; Human Activities; Water
Deer Resistant: Yes
iNaturalist Observations from the GNA:
86906204 (Observed: 7/13/2021)
50585156 (Observed: 6/22/2020)
General Floristic References:
Rhoads, A. F. and T. A. Block (2007). The Plants of Pennsylvania. Philadelphia, PA, University of Pennsylvania Press (p. 889).
Online Resources for Cichorium intybus:
Images
Cirsium arvense (Creeping Thistle)
Group: Plants
Type: Flowering Plants - Dicots
Family: Asteraceae
Notes
Common Names: Creeping Thistle; Canada Thistle
Growth Habit: Forb/herb
Duration: Perennial
Origin: Not native to the conterminous United States
Pennsylvania DCNR Invasive Plants Rating: Rank 2 — "Significant Threat. Exotic plant species that possess characteristics of invasive species but are not presently considered to spread as easily and aggressively into native plant communities as those species listed as Rank 1."
Years Noted: 1967-2000; 2004; 2007; 2017-2018; 2020-2022
Dispersed By: Animals; Ants; Birds; General Zoochory; Human Activities; Water; Wind
Listed As a Monarch Butterfly Plant In: Illinois Wildflowers
iNaturalist Observations from the GNA:
123875283 (Observed: 6/27/2022)
90772796 (Observed: 8/10/2021)
52503689 (Observed: 7/9/2020)
53103171 (Observed: 7/14/2020)
General Floristic References:
Rhoads, A. F. and T. A. Block (2007). The Plants of Pennsylvania. Philadelphia, PA, University of Pennsylvania Press (p. 884).
Monarch Butterfly References
Illinois Wildflowers. 2022. Page for Danaus plexipes. Data Downloaded 8/17/22: http://www.illinoiswildflowers.info/flower_insects/insects/moths/danaus_plexippus.htm.
Online Resources for Cirsium arvense:
Images
Cirsium discolor (Field Thistle)
Group: Plants
Type: Flowering Plants - Dicots
Family: Asteraceae
Notes
Common Name: Field Thistle
Growth Habit: Forb/herb
Duration: Biennial, Perennial
Origin: Native to the conterminous United States
Years Noted: 1968; 1984; 2004; 2007; 2018; 2020; 2022
Allelopathic: Yes
Monarch Butterfly Value: Very High (NRCS 2018a)
Also Listed As a Monarch Butterfly Plant In: Galea et. al 2015; Illinois Wildflowers
Listed as a "Bee Plant" By the Lady Bird Johnson Wildflower Center:
Native Bees; Bumble Bees; Nesting Materials
iNaturalist Observations from the GNA:
133124814 (Observed: 8/31/2022)
131999402 (Observed: 8/22/2022)
58658965 (Observed: 9/4/2020)
General Floristic References:
Rhoads, A. F. and T. A. Block (2007). The Plants of Pennsylvania. Philadelphia, PA, University of Pennsylvania Press (p. 885).
Monarch Butterfly References
Galea, M., E. Cole, L. Davies Adams, and L. Stritch (eds). 2015. Conservation and Management of Monarch Butterflies A Land Manager’s Restoration Guide for the Eastern U.S. Pollinator Partnership and USDA Forest Service, San Francisco, CA. 27 pp.
Illinois Wildflowers. 2022. Page for Danaus plexipes. Data Downloaded 8/17/22: http://www.illinoiswildflowers.info/flower_insects/insects/moths/danaus_plexippus.htm.
Natural Resource Conservation Service [NRCS] (ed). 2018a. Important Plants of the Monarch Butterfly. Greater Appalachian Mountains Region Staff Guide. Natural Resources Conservation Service, U.S. Department of Agriculture 132 pp.
Online Resources for Cirsium discolor:
Images
Cirsium pumilum (Pasture Thistle)
Group: Plants
Type: Flowering Plants - Dicots
Family: Asteraceae
Notes
Common Name: Pasture Thistle
Growth Habit: Forb/herb
Duration: Perennial
Origin: Native to the conterminous United States
Years Noted: 2004; 2007; 2018
Listed as a "Bee Plant" By the Lady Bird Johnson Wildflower Center:
Native Bees; Bumble Bees; Nesting Materials
General Floristic References:
Rhoads, A. F. and T. A. Block (2007). The Plants of Pennsylvania. Philadelphia, PA, University of Pennsylvania Press (p. 885).
Online Resources for Cirsium pumilum:
Cirsium vulgare (Bull Thistle)
Group: Plants
Type: Flowering Plants - Dicots
Family: Asteraceae
Notes
Common Name: Bull Thistle
Growth Habit: Forb/herb
Duration: Biennial
Origin: Not native to the conterminous United States
Pennsylvania DCNR Invasive Plants Rating: Rank 2 — "Significant Threat. Exotic plant species that possess characteristics of invasive species but are not presently considered to spread as easily and aggressively into native plant communities as those species listed as Rank 1."
Years Noted: 2007; 2012; 2017
Dispersed By: Animals; Ants; Birds; General Zoochory; Human Activities; Water; Wind
Listed As a Monarch Butterfly Plant In: Illinois Wildflowers
Winter-green Species: i.e., Is a species whose leaves develop in the fall and overwinter.
General Floristic References:
Rhoads, A. F. and T. A. Block (2007). The Plants of Pennsylvania. Philadelphia, PA, University of Pennsylvania Press (p. 885).
Monarch Butterfly References
Illinois Wildflowers. 2022. Page for Danaus plexipes. Data Downloaded 8/17/22: http://www.illinoiswildflowers.info/flower_insects/insects/moths/danaus_plexippus.htm.
Wintergreen Species References:
Beatley, J. C. 1956. The winter-green herbaceous flowering plants of Ohio. The Ohio Journal of Science 56(6): 349-377.
Online Resources for Cirsium vulgare:
Conoclinium coelestinum (Blue Mistflower)
Group: Plants
Type: Flowering Plants - Dicots
Family: Asteraceae
Notes
Common Name: Blue Mistflower
Growth Habit: Forb/herb
Duration: Perennial
Origin: Native to the conterminous United States
Years Noted: 1984; 2020
Deer Resistant: Yes
Monarch Butterfly Value: Very High (NRCS 2018a)
Also Listed As a Monarch Butterfly Plant In: Illinois Wildflowers; Xerces Society - Mid-Atlantic List
Listed as a "Bee Plant" By the Lady Bird Johnson Wildflower Center:
Native Bees; Supports Conservation Biological Control
Notes: Until this species was noted growing in the PECO powerline right-of-way in 2020, it hadn't been noted at the Gordon since the 1984 Site-wide Survey by WCU undergrads Jack Holt and Jim Plyler. However, the single individual that was noted in 2020 most likely represents an escaped cultivar.
iNaturalist Observations from the GNA:
60016111 (Observed: 9/18/2020)
General Floristic References:
Rhoads, A. F. and T. A. Block (2007). The Plants of Pennsylvania. Philadelphia, PA, University of Pennsylvania Press (p. 959).
Monarch Butterfly References
Illinois Wildflowers. 2022. Page for Danaus plexipes. Data Downloaded 8/17/22: http://www.illinoiswildflowers.info/flower_insects/insects/moths/danaus_plexippus.htm.
Natural Resource Conservation Service [NRCS] (ed). 2018a. Important Plants of the Monarch Butterfly. Greater Appalachian Mountains Region Staff Guide. Natural Resources Conservation Service, U.S. Department of Agriculture 132 pp.
Xerces Society: Monarch Nectar Plants Mid-Atlantic. https://xerces.org/sites/default/files/2018-05/16-042_01_XercesSoc_MonarchNectarPlants_Mid-Atlantic_web-3page_0.pdf. File Accessed: 8-25-2022.
Online Resources for Conoclinium coelestinum:
Lady Bird Johnson Wildflower Center Plant Database
Images
Conyza canadensis (Canadian Horseweed)
Group: Plants
Type: Flowering Plants - Dicots
Family: Asteraceae
Notes
Common Name: Canadian Horseweed
Growth Habit: Forb/herb
Duration: Annual, Biennial
Origin: Native to the conterminous United States
Synonyms: Erigeron canadensis L.Years Noted: 1967-1973; 1984; 1987; 1992; 1997; 2007; 2018
Dispersed By: Animals; Birds; Deer; General Zoochory; Human Activities; Rain (Assisted, i.e., ombrochory); Water; Wind
General Floristic References:
Rhoads, A. F. and T. A. Block (2007). The Plants of Pennsylvania. Philadelphia, PA, University of Pennsylvania Press (p. 924).
Online Resources for Conyza canadensis:
iNaturalist (for the synonym Erigeron canadensis)
Coreopsis tinctoria (Dyers Coreopsis)
Group: Plants
Type: Flowering Plants - Dicots
Family: Asteraceae
Notes
Common Names: Dyer's Coreopsis; Golden Tickseed; Plain's Coreopsis
Growth Habit: Forb/herb
Duration: Annual, Biennial, Perennial
Origin: Native to the conterminous United States
Year Noted: 2020-2021
Deer Resistant: Yes
Notes: Growing along the PECO right-of-way. Possibly planted as a dye plant, or brought in on someone's footwear.
iNaturalist Observations from the GNA:
86314728 (Observed: 7/9/2021)
52519782 (Observed: 7/9/2020)
General Floristic References:
Rhoads, A. F. and T. A. Block (2007). The Plants of Pennsylvania. Philadelphia, PA, University of Pennsylvania Press (p. 950).
Online Resources for Coreopsis tinctoria:
Lady Bird Johnson Wildflower Center Plant Database
Images
Eclipta prostrata (False Daisy)
Group: Plants
Type: Flowering Plants - Dicots
Family: Asteraceae
Notes
Common Name: False Daisy
Growth Habit: Forb/herb
Duration: Annual, Perennial
Origin: Native to the conterminous United States
Years Noted: 2020; 2025
Notes: Noted in 2020 along the edge of the forest with the OMPA (Organic Materials Processing Area). Then, it was noted again until 2025 when it was seen in the area that had been planted with Alders in the far western GNA.
iNaturalist Observations from the GNA:
314618173 (Observed: 9/17/2025)
58260032 (Observed: 9/1/2020)
General Floristic References:
Rhoads, A. F. and T. A. Block (2007). The Plants of Pennsylvania. Philadelphia, PA, University of Pennsylvania Press (p. 944).
Online Resources for Eclipta prostrata:
Images
Erechtites hieraciifolius (American Burnweed)
Group: Plants
Type: Flowering Plants - Dicots
Family: Asteraceae
Notes
Common Name: American Burnweed
Growth Habit: Forb/herb
Duration: Annual
Origin: Native to the conterminous United States
Years Noted: 1984; 2007; 2017-2018; 2020-2025
iNaturalist Observations from the GNA:
312710461 (Observed: 9/9/2025)
171558400 (Observed: 7/7/2023)
57733640 (Observed: 8/26/2020)
General Floristic References:
Rhoads, A. F. and T. A. Block (2007). The Plants of Pennsylvania. Philadelphia, PA, University of Pennsylvania Press (p. 936).
Online Resources for Erechtites hieraciifolia:
Images
Erigeron annuus (Eastern Daisy Fleabane)
Group: Plants
Type: Flowering Plants - Dicots
Family: Asteraceae
Notes
Common Name: Eastern Daisy Fleabane
Growth Habit: Forb/herb
Duration: Annual
Origin: Native to the conterminous United States
Years Noted: 1984; 2007; 2009; 2017-2018; 2020; 2022
Dispersed By: Animals; Ants; General Zoochory; Human Activities; Rain (Assisted, i.e., ombrochory); Wind
Bee Beneficial: Yes
Listed as a "Bee Plant" By the Lady Bird Johnson Wildflower Center:
Supports Conservation Biological Control
Winter-green Species: i.e., Is a species whose leaves develop in the fall and overwinter.
iNaturalist Observations from the GNA:
137018916 (Observed: 9/29/2022)
51622395 (Observed: 7/1/2020)
General Floristic References:
Rhoads, A. F. and T. A. Block (2007). The Plants of Pennsylvania. Philadelphia, PA, University of Pennsylvania Press (p. 923).
Wintergreen Species References:
Beatley, J. C. 1956. The winter-green herbaceous flowering plants of Ohio. The Ohio Journal of Science 56(6): 349-377.
Online Resources for Erigeron annuus:
Images
Erigeron canadensis (Canadian Horseweed)
Group: Plants
Type: Flowering Plants - Dicots
Family: Asteraceae
Notes
Common Name: Canadian Horseweed
Growth Habit: Forb/herb
Duration: Annual, Biennial
Origin: Native to the conterminous United States
Year Noted: 2023-2024
Dispersed By: Wind
iNaturalist Observations from the GNA:
179030895 (Observed: 8/18/2023)
Online Resources for Erigeron canadensis:
iNaturalist (for the synonym Erigeron canadensis)
Erigeron philadelphicus (Philadelphia Fleabane)
Group: Plants
Type: Flowering Plants - Dicots
Family: Asteraceae
Notes
Common Name: Philadelphia Fleabane
Growth Habit: Forb/herb
Duration: Biennial, Perennial
Origin: Native to the conterminous United States
Years Noted: 1984; 2007; 2017-2018; 2021; 2023
Deer Resistant: Yes
Listed As a Monarch Butterfly Plant In: Galea et. al 2015
Listed as a "Bee Plant" By the Lady Bird Johnson Wildflower Center:
Native Bees; Supports Conservation Biological Control
Winter-green Species: i.e., Is a species whose leaves develop in the fall and overwinter.
Notes: Read a guide to differentiating between Philadelphia Fleabane and Robin's Plantain at bplant.org.
iNaturalist Observations from the GNA:
79193660 (Observed: 5/17/2021)
General Floristic References:
Rhoads, A. F. and T. A. Block (2007). The Plants of Pennsylvania. Philadelphia, PA, University of Pennsylvania Press (p. 923).
Monarch Butterfly References
Galea, M., E. Cole, L. Davies Adams, and L. Stritch (eds). 2015. Conservation and Management of Monarch Butterflies A Land Manager’s Restoration Guide for the Eastern U.S. Pollinator Partnership and USDA Forest Service, San Francisco, CA. 27 pp.
Wintergreen Species References:
Beatley, J. C. 1956. The winter-green herbaceous flowering plants of Ohio. The Ohio Journal of Science 56(6): 349-377.
Online Resources for Erigeron philadelphicus:
Lady Bird Johnson Wildflower Center Plant Database
Erigeron pulchellus (Robins Plantain)
Group: Plants
Type: Flowering Plants - Dicots
Family: Asteraceae
Notes
Common Name: Robin's Plantain
Growth Habit: Forb/herb
Duration: Perennial
Origin: Native to the conterminous United States
Years Noted: 1984; 2007; 2017
Bee Beneficial: Yes
Deer Resistant: Yes
Listed as a "Bee Plant" By the Lady Bird Johnson Wildflower Center:
Supports Conservation Biological Control
Winter-green Species: i.e., Is a species whose leaves develop in the fall and overwinter.
Notes: Read a guide to differentiating between Philadelphia Fleabane and Robin's Plantain at bplant.org.
General Floristic References:
Rhoads, A. F. and T. A. Block (2007). The Plants of Pennsylvania. Philadelphia, PA, University of Pennsylvania Press (p. 923).
Wintergreen Species References:
Beatley, J. C. 1956. The winter-green herbaceous flowering plants of Ohio. The Ohio Journal of Science 56(6): 349-377.
Online Resources for Erigeron pulchellus:
Lady Bird Johnson Wildflower Center Plant Database
Images
Erigeron strigosus (Prairie Fleabane)
Group: Plants
Type: Flowering Plants - Dicots
Family: Asteraceae
Notes
Common Name: Prairie Fleabane
Growth Habit: Forb/herb
Duration: Annual, Biennial, Perennial
Origin: Native to the conterminous United States
Years Noted: 1984; 2007; 2018; 2020
Listed as a "Bee Plant" By the Lady Bird Johnson Wildflower Center:
Native Bees; Supports Conservation Biological Control
Winter-green Species: i.e., Is a species whose leaves develop in the fall and overwinter.
iNaturalist Observations from the GNA:
58280390 (Observed: 9/1/2020)
61265331 (Observed: 9/15/2020)
General Floristic References:
Rhoads, A. F. and T. A. Block (2007). The Plants of Pennsylvania. Philadelphia, PA, University of Pennsylvania Press (p. 923).
Wintergreen Species References:
Beatley, J. C. 1956. The winter-green herbaceous flowering plants of Ohio. The Ohio Journal of Science 56(6): 349-377.
Online Resources for Erigeron strigosus:
Images
Eupatorium perfoliatum (Common Boneset)
Group: Plants
Type: Flowering Plants - Dicots
Family: Asteraceae
Notes
Common Name: Common Boneset
Growth Habit: Forb/herb
Duration: Perennial
Origin: Native to the conterminous United States
Years Noted: 1984; 2004; 2007; 2017; 2020-2022; 2024
Northeast Wetland Status: FACW
Deer Resistant: Yes
Monarch Butterfly Value: High (NRCS 2018a); Monarch Nectar Value: High (NRCS 2018b)
Also Listed As a Monarch Butterfly Plant In: Galea et. al 2015; Illinois Wildflowers; Pollinator.org; Xerces Society - Mid-Atlantic List; Xerces Society - Northeast List
Listed as a "Bee Plant" By the Lady Bird Johnson Wildflower Center:
Native Bees; Supports Conservation Biological Control
iNaturalist Observations from the GNA:
55822687 (Observed: 8/8/2020)
General Floristic References:
Magee, D. W. (1981). Freshwater Wetlands: A Guide to Common Indicator Plants of the Northeast. Amherst, MA, University of Massachusetts Press (p. 223).
Rhoads, A. F. and T. A. Block (2007). The Plants of Pennsylvania. Philadelphia, PA, University of Pennsylvania Press (p. 957).
Monarch Butterfly References
Galea, M., E. Cole, L. Davies Adams, and L. Stritch (eds). 2015. Conservation and Management of Monarch Butterflies A Land Manager’s Restoration Guide for the Eastern U.S. Pollinator Partnership and USDA Forest Service, San Francisco, CA. 27 pp.
Illinois Wildflowers. 2022. Page for Danaus plexipes. Data Downloaded 8/17/22: http://www.illinoiswildflowers.info/flower_insects/insects/moths/danaus_plexippus.htm.
Natural Resource Conservation Service [NRCS] (ed). 2018a. Important Plants of the Monarch Butterfly. Greater Appalachian Mountains Region Staff Guide. Natural Resources Conservation Service, U.S. Department of Agriculture 132 pp.
Natural Resource Conservation Service [NRCS] (ed). 2018b. Native Habitat Development for Pollinators, Honey Bees and Monarchs. Biology Jobsheet #16. Natural Resources Conservation Service, U.S. Department of Agriculture 6 pp.
Pollinator.org. 2022. https://www.pollinator.org/pollinator.org/assets/generalFiles/MonarchGardenPlants_170625_152424.pdf; File Accessed: 8-22-2022.
Xerces Society: Monarch Nectar Plants Mid-Atlantic. https://xerces.org/sites/default/files/2018-05/16-042_01_XercesSoc_MonarchNectarPlants_Mid-Atlantic_web-3page_0.pdf. File Accessed: 8-25-2022.
Xerces Society: Monarch Nectar Plants Northeast. https://xerces.org/sites/default/files/2018-05/16-044_01_XercesSoc_MonarchNectarPlants_Northeast_web-3page.pdf. File Accessed: 8-25-2022.
Online Resources for Eupatorium perfoliatum:
Lady Bird Johnson Wildflower Center Plant Database
Images
Eupatorium serotinum (Late Boneset)
Group: Plants
Type: Flowering Plants - Dicots
Family: Asteraceae
Notes
Common Names: Late Boneset; Lateflowering Thoroughwort
Growth Habit: Forb/herb
Duration: Perennial
Origin: Native to the conterminous United States
Years Noted: 2017; 2020; 2023-2025
Deer Resistant: Yes
Listed as a "Bee Plant" By the Lady Bird Johnson Wildflower Center:
Native Bees; Supports Conservation Biological Control
iNaturalist Observations from the GNA:
242937906 (Observed: 9/20/2024)
188177819 (Observed: 10/18/2023)
57688417 (Observed: 8/26/2020)
General Floristic References:
Rhoads, A. F. and T. A. Block (2007). The Plants of Pennsylvania. Philadelphia, PA, University of Pennsylvania Press (p. 958).
Online Resources for Eupatorium serotinum:
Images
Eurybia divaricata (White Wood Aster)
Group: Plants
Type: Flowering Plants - Dicots
Family: Asteraceae
Notes
Common Name: White Wood Aster
Growth Habit: Forb/herb
Duration: Perennial
Origin: Native to the conterminous United States
Synonyms: Aster divaricatus L.Years Noted: 1984; 2004; 2007; 2009; 2011; 2015; 2017-2025
Deer Resistant: Yes
Winter-green Species: i.e., Is a species whose leaves develop in the fall and overwinter.
iNaturalist Observations from the GNA:
183748162 (Observed: 8/31/2023)
110758825 (Observed: 4/8/2022)
7848129 (Observed: 9/9/2017)
61592637 (Observed: 10/1/2020)
139873185 (Observed: 10/21/2022)
94206126 (Observed: 8/31/2021)
58988926 (Observed: 9/8/2020)
General Floristic References:
Rhoads, A. F. and T. A. Block (2007). The Plants of Pennsylvania. Philadelphia, PA, University of Pennsylvania Press (p. 924).
Wintergreen Species References:
Beatley, J. C. 1956. The winter-green herbaceous flowering plants of Ohio. The Ohio Journal of Science 56(6): 349-377.
Online Resources for Eurybia divaricata:
Lady Bird Johnson Wildflower Center Plant Database
Images
Euthamia graminifolia (Flat-top Goldentop)
Group: Plants
Type: Flowering Plants - Dicots
Family: Asteraceae
Notes
Common Name: Flat-top Goldentop
Growth Habit: Forb/herb
Duration: Perennial
Origin: Native to the conterminous United States
Years Noted: 1984; 2004; 2007; 2017-2018; 2020; 2022-2025
Deer Resistant: Yes
Monarch Butterfly Value: High (NRCS 2018a); Monarch Nectar Value: High (NRCS 2018b)
Also Listed As a Monarch Butterfly Plant In: Illinois Wildflowers; Xerces Society - Mid-Atlantic List; Xerces Society - Northeast List
Listed as a "Bee Plant" By the Lady Bird Johnson Wildflower Center:
Native Bees; Supports Conservation Biological Control
iNaturalist Observations from the GNA:
136927425 (Observed: 9/29/2022)
59003601 (Observed: 9/8/2020)
61768363 (Observed: 10/1/2020)
General Floristic References:
Rhoads, A. F. and T. A. Block (2007). The Plants of Pennsylvania. Philadelphia, PA, University of Pennsylvania Press (p. 912).
Monarch Butterfly References
Illinois Wildflowers. 2022. Page for Danaus plexipes. Data Downloaded 8/17/22: http://www.illinoiswildflowers.info/flower_insects/insects/moths/danaus_plexippus.htm.
Natural Resource Conservation Service [NRCS] (ed). 2018a. Important Plants of the Monarch Butterfly. Greater Appalachian Mountains Region Staff Guide. Natural Resources Conservation Service, U.S. Department of Agriculture 132 pp.
Natural Resource Conservation Service [NRCS] (ed). 2018b. Native Habitat Development for Pollinators, Honey Bees and Monarchs. Biology Jobsheet #16. Natural Resources Conservation Service, U.S. Department of Agriculture 6 pp.
Xerces Society: Monarch Nectar Plants Mid-Atlantic. https://xerces.org/sites/default/files/2018-05/16-042_01_XercesSoc_MonarchNectarPlants_Mid-Atlantic_web-3page_0.pdf. File Accessed: 8-25-2022.
Xerces Society: Monarch Nectar Plants Northeast. https://xerces.org/sites/default/files/2018-05/16-044_01_XercesSoc_MonarchNectarPlants_Northeast_web-3page.pdf. File Accessed: 8-25-2022.
Online Resources for Euthamia graminifolia:
Images
Eutrochium fistulosum (Hollow Joe-Pye Weed)
Group: Plants
Type: Flowering Plants - Dicots
Family: Asteraceae
Notes
Common Names: Hollow Joe-Pye Weed; Trumpetweed
Growth Habit: Forb/herb
Duration: Perennial
Origin: Native to the conterminous United States
Synonyms: Eupatoriadelphus fistulosus (Barratt) R.M. King & H. Rob.; Eupatorium fistulosum BarrattYears Noted: 1984; 2007; 2018; 2021-2022
Monarch Butterfly Value: High (NRCS 2018a)
Also Listed As a Monarch Butterfly Plant In: Xerces Society - Mid-Atlantic List; Xerces Society - Northeast List
iNaturalist Observations from the GNA:
92391454 (Observed: 8/24/2021)
General Floristic References:
Rhoads, A. F. and T. A. Block (2007). The Plants of Pennsylvania. Philadelphia, PA, University of Pennsylvania Press (p. 958).
Monarch Butterfly References
Natural Resource Conservation Service [NRCS] (ed). 2018a. Important Plants of the Monarch Butterfly. Greater Appalachian Mountains Region Staff Guide. Natural Resources Conservation Service, U.S. Department of Agriculture 132 pp.
Xerces Society: Monarch Nectar Plants Mid-Atlantic. https://xerces.org/sites/default/files/2018-05/16-042_01_XercesSoc_MonarchNectarPlants_Mid-Atlantic_web-3page_0.pdf. File Accessed: 8-25-2022.
Xerces Society: Monarch Nectar Plants Northeast. https://xerces.org/sites/default/files/2018-05/16-044_01_XercesSoc_MonarchNectarPlants_Northeast_web-3page.pdf. File Accessed: 8-25-2022.
Online Resources for Eutrochium fistulosum:
Lady Bird Johnson Wildflower Center Plant Database
Images
Eutrochium purpureum (Joe Pye Weed)
Group: Plants
Type: Flowering Plants - Dicots
Family: Asteraceae
Notes
Common Name: Joe Pye Weed
Growth Habit: Forb/herb
Duration: Perennial
Origin: Native to the conterminous United States
Years Noted: 2004; 2007; 2017-2018; 2022
Deer Resistant: Yes
Listed As a Monarch Butterfly Plant In: Galea et. al 2015; Illinois Wildflowers; Pollinator.org; Xerces Society - Northeast List
iNaturalist Observations from the GNA:
133908435 (Observed: 8/16/2022)
General Floristic References:
Rhoads, A. F. and T. A. Block (2007). The Plants of Pennsylvania. Philadelphia, PA, University of Pennsylvania Press (p. 959).
Monarch Butterfly References
Galea, M., E. Cole, L. Davies Adams, and L. Stritch (eds). 2015. Conservation and Management of Monarch Butterflies A Land Manager’s Restoration Guide for the Eastern U.S. Pollinator Partnership and USDA Forest Service, San Francisco, CA. 27 pp.
Illinois Wildflowers. 2022. Page for Danaus plexipes. Data Downloaded 8/17/22: http://www.illinoiswildflowers.info/flower_insects/insects/moths/danaus_plexippus.htm.
Pollinator.org. 2022. https://www.pollinator.org/pollinator.org/assets/generalFiles/MonarchGardenPlants_170625_152424.pdf; File Accessed: 8-22-2022.
Xerces Society: Monarch Nectar Plants Northeast. https://xerces.org/sites/default/files/2018-05/16-044_01_XercesSoc_MonarchNectarPlants_Northeast_web-3page.pdf. File Accessed: 8-25-2022.
Online Resources for Eutrochium purpureum:
Lady Bird Johnson Wildflower Center Plant Database
Images
Galinsoga quadriradiata (Shaggy Soldier)
Group: Plants
Type: Flowering Plants - Dicots
Family: Asteraceae
Notes
Common Name: Shaggy Soldier
Growth Habit: Forb/herb
Duration: Annual
Origin: Not native to the conterminous United States
Synonyms: Galinsoga ciliata (Raf.) S.F. BlakeYears Noted: 1984; 2007; 2018
Dispersed By: Animals; Ants; General Zoochory; Human Activities
General Floristic References:
Rhoads, A. F. and T. A. Block (2007). The Plants of Pennsylvania. Philadelphia, PA, University of Pennsylvania Press (p. 949).
Online Resources for Galinsoga quadriradiata:
Helianthus decapetalus (Thinleaf Sunflower)
Group: Plants
Type: Flowering Plants - Dicots
Family: Asteraceae
Notes
Common Name: Thinleaf Sunflower
Growth Habit: Forb/herb
Duration: Perennial
Origin: Native to the conterminous United States
Years Noted: 1984; 2007
Bee Beneficial: Yes
Listed as a "Bee Plant" By the Lady Bird Johnson Wildflower Center:
Native Bees
General Floristic References:
Rhoads, A. F. and T. A. Block (2007). The Plants of Pennsylvania. Philadelphia, PA, University of Pennsylvania Press (p. 946).
Online Resources for Helianthus decapetalus:
Heliopsis helianthoides (False Sunflower)
Group: Plants
Type: Flowering Plants - Dicots
Family: Asteraceae
Notes
Common Names: False Sunflower; Smooth Oxeye
Growth Habit: Forb/herb
Duration: Perennial
Origin: Native to the conterminous United States
Year Noted: 2025
Deer Resistant: Yes
Monarch Butterfly Value: High (NRCS 2018a); Monarch Nectar Value: High (NRCS 2018b)
Also Listed As a Monarch Butterfly Plant In: Illinois Wildflowers; Virginia DCR
Listed as a "Bee Plant" By the Lady Bird Johnson Wildflower Center:
Supports Conservation Biological Control
iNaturalist Observations from the GNA:
307490644 (Observed: 8/18/2025)
General Floristic References:
Rhoads, A. F. and T. A. Block (2005). Trees of Pennsylvania. A Complete Reference Guide. Philadelphia, PA, University of Pennsylvania Press (p. 943f).
Monarch Butterfly References
Illinois Wildflowers. 2022. Page for Danaus plexipes. Data Downloaded 8/17/22: http://www.illinoiswildflowers.info/flower_insects/insects/moths/danaus_plexippus.htm.
Natural Resource Conservation Service [NRCS] (ed). 2018a. Important Plants of the Monarch Butterfly. Greater Appalachian Mountains Region Staff Guide. Natural Resources Conservation Service, U.S. Department of Agriculture 132 pp.
Natural Resource Conservation Service [NRCS] (ed). 2018b. Native Habitat Development for Pollinators, Honey Bees and Monarchs. Biology Jobsheet #16. Natural Resources Conservation Service, U.S. Department of Agriculture 6 pp.
Virginia Department of Conservation and Recreation [DCR]. 2022. https://www.dcr.virginia.gov/natural-heritage/save-the-monarch; Date Accessed: 8/19/2022.
Online Resources for Heliopsis helianthoides:
Lady Bird Johnson Wildflower Center Plant Database
Hieracium ×flagellare (Whiplash Hawkweed)
Group: Plants
Type: Flowering Plants - Dicots
Family: Asteraceae
Notes
Common Name: Whiplash Hawkweed
Growth Habit: Forb/herb
Duration: Perennial
Origin: Not native to the conterminous United States
Year Noted: 2007
General Floristic References:
Rhoads, A. F. and T. A. Block (2007). The Plants of Pennsylvania. Philadelphia, PA, University of Pennsylvania Press (p. 897).
Online Resources for Hieracium ×flagellare:
Hieracium caespitosum (Meadow Hawkweed)
Group: Plants
Type: Flowering Plants - Dicots
Family: Asteraceae
Notes
Common Name: Meadow Hawkweed
Growth Habit: Forb/herb
Duration: Perennial
Origin: Not native to the conterminous United States
Synonyms: Hieracium pratense TauschYears Noted: 1984; 2007; 2018
Dispersed By: Animals; Ants; General Zoochory; Human Activities; Water; Wind
General Floristic References:
Rhoads, A. F. and T. A. Block (2007). The Plants of Pennsylvania. Philadelphia, PA, University of Pennsylvania Press (p. 896).
Online Resources for Hieracium caespitosum:
Fire Effects Information System
Hieracium gronovii (Queendevil)
Group: Plants
Type: Flowering Plants - Dicots
Family: Asteraceae
Notes
Common Name: Queendevil
Growth Habit: Forb/herb
Duration: Perennial
Origin: Native to the conterminous United States
Year Noted: 1984
Winter-green Species: i.e., Is a species whose leaves develop in the fall and overwinter.
General Floristic References:
Rhoads, A. F. and T. A. Block (2007). The Plants of Pennsylvania. Philadelphia, PA, University of Pennsylvania Press (p. 897).
Wintergreen Species References:
Beatley, J. C. 1956. The winter-green herbaceous flowering plants of Ohio. The Ohio Journal of Science 56(6): 349-377.
Online Resources for Hieracium gronovii:
Hieracium paniculatum (Allegheny Hawkweed)
Group: Plants
Type: Flowering Plants - Dicots
Family: Asteraceae
Notes
Common Name: Allegheny Hawkweed
Growth Habit: Forb/herb
Duration: Perennial
Origin: Native to the conterminous United States
Year Noted: 1984
Winter-green Species: i.e., Is a species whose leaves develop in the fall and overwinter.
General Floristic References:
Rhoads, A. F. and T. A. Block (2007). The Plants of Pennsylvania. Philadelphia, PA, University of Pennsylvania Press (p. 898).
Wintergreen Species References:
Beatley, J. C. 1956. The winter-green herbaceous flowering plants of Ohio. The Ohio Journal of Science 56(6): 349-377.
Online Resources for Hieracium paniculatum:
Hieracium piloselloides (Tall Hawkweed)
Group: Plants
Type: Flowering Plants - Dicots
Family: Asteraceae
Notes
Common Name: Tall Hawkweed
Growth Habit: Forb/herb
Duration: Perennial
Origin: Not native to the conterminous United States
Year Noted: 2007
Dispersed By: Animals; Ants; General Zoochory; Human Activities; Water; Wind
General Floristic References:
Rhoads, A. F. and T. A. Block (2007). The Plants of Pennsylvania. Philadelphia, PA, University of Pennsylvania Press (p. 898).
Online Resources for Hieracium piloselloides:
Fire Effects Information System
Lactuca biennis (Tall Blue Lettuce)
Group: Plants
Type: Flowering Plants - Dicots
Family: Asteraceae
Notes
Common Name: Tall Blue Lettuce
Growth Habit: Forb/herb
Duration: Annual, Biennial
Origin: Native to the conterminous United States
Years Noted: 1984; 2004; 2007; 2017-2018; 2023; 2025
Winter-green Species: i.e., Is a species whose leaves develop in the fall and overwinter.
iNaturalist Observations from the GNA:
179861062 (Observed: 8/23/2023)
General Floristic References:
Rhoads, A. F. and T. A. Block (2007). The Plants of Pennsylvania. Philadelphia, PA, University of Pennsylvania Press (p. 892).
Wintergreen Species References:
Beatley, J. C. 1956. The winter-green herbaceous flowering plants of Ohio. The Ohio Journal of Science 56(6): 349-377.
Online Resources for Lactuca biennis:
Lactuca canadensis (Canada Lettuce)
Group: Plants
Type: Flowering Plants - Dicots
Family: Asteraceae
Notes
Common Name: Canada Lettuce
Growth Habit: Forb/herb
Duration: Annual, Biennial
Origin: Native to the conterminous United States
Years Noted: 1984; 2004
Winter-green Species: i.e., Is a species whose leaves develop in the fall and overwinter.
General Floristic References:
Rhoads, A. F. and T. A. Block (2007). The Plants of Pennsylvania. Philadelphia, PA, University of Pennsylvania Press (p. 892).
Wintergreen Species References:
Beatley, J. C. 1956. The winter-green herbaceous flowering plants of Ohio. The Ohio Journal of Science 56(6): 349-377.
Online Resources for Lactuca canadensis:
Images
Lactuca serriola (Prickly Lettuce)
Group: Plants
Type: Flowering Plants - Dicots
Family: Asteraceae
Notes
Common Name: Prickly Lettuce
Growth Habit: Forb/herb
Duration: Annual, Biennial
Origin: Not native to the conterminous United States
Years Noted: 1984; 2007; 2018; 2023
Dispersed By: Animals; Ants; General Zoochory; Human Activities; Water; Wind
Allelopathic: Yes
Winter-green Species: i.e., Is a species whose leaves develop in the fall and overwinter.
General Floristic References:
Rhoads, A. F. and T. A. Block (2007). The Plants of Pennsylvania. Philadelphia, PA, University of Pennsylvania Press (p. 893).
Wintergreen Species References:
Beatley, J. C. 1956. The winter-green herbaceous flowering plants of Ohio. The Ohio Journal of Science 56(6): 349-377.
Online Resources for Lactuca serriola:
Lapsana communis (Common Nipplewort)
Group: Plants
Type: Flowering Plants - Dicots
Family: Asteraceae
Notes
Common Name: Common Nipplewort
Growth Habit: Forb/herb
Duration: Annual
Origin: Not native to the conterminous United States
Years Noted: 2017; 2020
Dispersed By: Agricultural Practices; Animals; Ants; Dispersal Unassisted; General Zoochory; Human Activities; Water; Wind
iNaturalist Observations from the GNA:
50583417 (Observed: 6/22/2020)
General Floristic References:
Rhoads, A. F. and T. A. Block (2007). The Plants of Pennsylvania. Philadelphia, PA, University of Pennsylvania Press (p. 891).
Online Resources for Lapsana communis:
Images
Leucanthemum vulgare (Oxeye Daisy)
Group: Plants
Type: Flowering Plants - Dicots
Family: Asteraceae
Notes
Common Name: Oxeye Daisy
Growth Habit: Forb/herb
Duration: Perennial
Origin: Not native to the conterminous United States
Synonyms: Chrysanthemum leucanthemum L.Years Noted: 1984; 2007; 2018; 2023
Dispersed By: Agricultural Practices; Animals; Ants; Ballistic; Deer; General Zoochory; Human Activities; Water; Wind
Winter-green Species: i.e., Is a species whose leaves develop in the fall and overwinter.
General Floristic References:
Rhoads, A. F. and T. A. Block (2007). The Plants of Pennsylvania. Philadelphia, PA, University of Pennsylvania Press (p. 910).
Wintergreen Species References:
Beatley, J. C. 1956. The winter-green herbaceous flowering plants of Ohio. The Ohio Journal of Science 56(6): 349-377.
Online Resources for Leucanthemum vulgare:
Matricaria discoidea (Disc Mayweed)
Group: Plants
Type: Flowering Plants - Dicots
Family: Asteraceae
Notes
Common Name: Disc Mayweed
Growth Habit: Forb/herb
Duration: Annual
Origin: Not native to the conterminous United States
Year Noted: 2017-2018
Dispersed By: Animals; Deer; General Zoochory; Human Activities; Water
General Floristic References:
Rhoads, A. F. and T. A. Block (2007). The Plants of Pennsylvania. Philadelphia, PA, University of Pennsylvania Press (p. 909).
Online Resources for Matricaria discoidea:
Packera aurea (Golden Ragwort)
Group: Plants
Type: Flowering Plants - Dicots
Family: Asteraceae
Notes
Common Name: Golden Ragwort
Growth Habit: Forb/herb
Duration: Perennial
Origin: Native to the conterminous United States
Years Noted: 1984; 2007; 2016-2018; 2020-2025
Listed As a Monarch Butterfly Plant In: Galea et. al 2015
Winter-green Species: i.e., Is a species whose leaves develop in the fall and overwinter.
iNaturalist Observations from the GNA:
116588510 (Observed: 5/11/2022)
77515719 (Observed: 5/5/2021)
75465541 (Observed: 4/27/2021)
46531876 (Observed: 5/18/2020)
General Floristic References:
Magee, D. W. (1981). Freshwater Wetlands: A Guide to Common Indicator Plants of the Northeast. Amherst, MA, University of Massachusetts Press (p. 229).
Rhoads, A. F. and T. A. Block (2007). The Plants of Pennsylvania. Philadelphia, PA, University of Pennsylvania Press (p. 935).
Monarch Butterfly References
Galea, M., E. Cole, L. Davies Adams, and L. Stritch (eds). 2015. Conservation and Management of Monarch Butterflies A Land Manager’s Restoration Guide for the Eastern U.S. Pollinator Partnership and USDA Forest Service, San Francisco, CA. 27 pp.
Wintergreen Species References:
Beatley, J. C. 1956. The winter-green herbaceous flowering plants of Ohio. The Ohio Journal of Science 56(6): 349-377.
Online Resources for Packera aurea:
Lady Bird Johnson Wildflower Center Plant Database
Images
Prenanthes altissima (Tall Rattlesnakeroot)
Group: Plants
Type: Flowering Plants - Dicots
Family: Asteraceae
Notes
Common Name: Tall Rattlesnakeroot
Growth Habit: Forb/herb
Duration: Perennial
Origin: Native to the conterminous United States
Years Noted: 1984; 2004; 2007; 2009; 2011; 2016-2025
iNaturalist Observations from the GNA:
270483739 (Observed: 4/14/2025)
41044511 (Observed: 3/29/2020)
27641323 (Observed: 6/25/2019)
General Floristic References:
Rhoads, A. F. and T. A. Block (2007). The Plants of Pennsylvania. Philadelphia, PA, University of Pennsylvania Press (p. 893).
Online Resources for Prenanthes altissima:
iNaturalist (for the synonym Nabalus altissimus)
Images
Pseudognaphalium obtusifolium (Rabbit-tobacco)
Group: Plants
Type: Flowering Plants - Dicots
Family: Asteraceae
Notes
Common Name: Rabbit-tobacco
Growth Habit: Forb/herb
Duration: Annual, Biennial
Origin: Native to the conterminous United States
Synonyms: Gnaphalium obtusifolium L.Year Noted: 1984
Bee Beneficial: Yes
Listed as a "Bee Plant" By the Lady Bird Johnson Wildflower Center:
Supports Conservation Biological Control
General Floristic References:
Rhoads, A. F. and T. A. Block (2007). The Plants of Pennsylvania. Philadelphia, PA, University of Pennsylvania Press (p. 904).
Online Resources for Pseudognaphalium obtusifolium:
Rudbeckia hirta (Blackeyed Susan)
Group: Plants
Type: Flowering Plants - Dicots
Family: Asteraceae
Notes
Common Name: Blackeyed Susan
Growth Habit: Forb/herb
Duration: Annual, Biennial, Perennial
Origin: Native to the conterminous United States
Years Noted: 1984; 2007; 2020; 2022-2024
Dispersed By: Animals; Ants; General Zoochory; Human Activities
Deer Resistant: Yes
Monarch Butterfly Value: High (NRCS 2018a); Monarch Nectar Value: High (NRCS 2018b)
Also Listed As a Monarch Butterfly Plant In: Galea et. al 2015; Illinois Wildflowers; Xerces Society - Mid-Atlantic List
Winter-green Species: i.e., Is a species whose leaves develop in the fall and overwinter.
iNaturalist Observations from the GNA:
127013571 (Observed: 7/19/2022)
57688817 (Observed: 8/26/2020)
General Floristic References:
Rhoads, A. F. and T. A. Block (2007). The Plants of Pennsylvania. Philadelphia, PA, University of Pennsylvania Press (p. 941).
Monarch Butterfly References
Galea, M., E. Cole, L. Davies Adams, and L. Stritch (eds). 2015. Conservation and Management of Monarch Butterflies A Land Manager’s Restoration Guide for the Eastern U.S. Pollinator Partnership and USDA Forest Service, San Francisco, CA. 27 pp.
Illinois Wildflowers. 2022. Page for Danaus plexipes. Data Downloaded 8/17/22: http://www.illinoiswildflowers.info/flower_insects/insects/moths/danaus_plexippus.htm.
Natural Resource Conservation Service [NRCS] (ed). 2018a. Important Plants of the Monarch Butterfly. Greater Appalachian Mountains Region Staff Guide. Natural Resources Conservation Service, U.S. Department of Agriculture 132 pp.
Natural Resource Conservation Service [NRCS] (ed). 2018b. Native Habitat Development for Pollinators, Honey Bees and Monarchs. Biology Jobsheet #16. Natural Resources Conservation Service, U.S. Department of Agriculture 6 pp.
Xerces Society: Monarch Nectar Plants Mid-Atlantic. https://xerces.org/sites/default/files/2018-05/16-042_01_XercesSoc_MonarchNectarPlants_Mid-Atlantic_web-3page_0.pdf. File Accessed: 8-25-2022.
Wintergreen Species References:
Beatley, J. C. 1956. The winter-green herbaceous flowering plants of Ohio. The Ohio Journal of Science 56(6): 349-377.
Online Resources for Rudbeckia hirta:
Fire Effects Information System
Lady Bird Johnson Wildflower Center Plant Database
Images
Rudbeckia laciniata (Cutleaf Coneflower)
Group: Plants
Type: Flowering Plants - Dicots
Family: Asteraceae
Notes
Common Name: Cutleaf Coneflower
Growth Habit: Subshrub, Forb/herb
Duration: Perennial
Origin: Native to the conterminous United States
Years Noted: 1984; 2007; 2018
Dispersed By: Animals; Ants; Dispersal Unassisted; General Zoochory; Wind
Deer Resistant: Yes
Listed As a Monarch Butterfly Plant In: Illinois Wildflowers
Listed as a "Bee Plant" By the Lady Bird Johnson Wildflower Center:
Native Bees; Honey Bees
Winter-green Species: i.e., Is a species whose leaves develop in the fall and overwinter.
General Floristic References:
Rhoads, A. F. and T. A. Block (2007). The Plants of Pennsylvania. Philadelphia, PA, University of Pennsylvania Press (p. 941).
Monarch Butterfly References
Illinois Wildflowers. 2022. Page for Danaus plexipes. Data Downloaded 8/17/22: http://www.illinoiswildflowers.info/flower_insects/insects/moths/danaus_plexippus.htm.
Wintergreen Species References:
Beatley, J. C. 1956. The winter-green herbaceous flowering plants of Ohio. The Ohio Journal of Science 56(6): 349-377.
Online Resources for Rudbeckia laciniata:
Lady Bird Johnson Wildflower Center Plant Database
Senecio vulgaris (Old-Man-In-The-Spring)
Group: Plants
Type: Flowering Plants - Dicots
Family: Asteraceae
Notes
Common Name: Old-Man-In-The-Spring
Growth Habit: Forb/herb
Duration: Annual, Biennial
Origin: Not native to the conterminous United States
Years Noted: 2007; 2016-2017; 2022-2023; 2025
Dispersed By: Animals; Ants; Birds; General Zoochory; Human Activities; Rain (Assisted, i.e., ombrochory); Water; Wind
Winter-green Species: i.e., Is a species whose leaves develop in the fall and overwinter.
General Floristic References:
Rhoads, A. F. and T. A. Block (2007). The Plants of Pennsylvania. Philadelphia, PA, University of Pennsylvania Press (p. 934).
Wintergreen Species References:
Beatley, J. C. 1956. The winter-green herbaceous flowering plants of Ohio. The Ohio Journal of Science 56(6): 349-377.
Online Resources for Senecio vulgaris:
Images
Solidago altissima (Tall Goldenrod)
Group: Plants
Type: Flowering Plants - Dicots
Family: Asteraceae
Notes
Common Name: Tall Goldenrod
Growth Habit: Forb/herb
Duration: Perennial
Origin: Native to the conterminous United States
Years Noted: 1968-1990; 2020; 2022
Dispersed By: Wind
Allelopathic: Yes
Deer Resistant: Yes
Monarch Butterfly Value: High (NRCS 2018a)
Also Listed As a Monarch Butterfly Plant In: Xerces Society - Northeast List
Listed as a "Bee Plant" By the Lady Bird Johnson Wildflower Center:
Native Bees; Honey Bees; Supports Conservation Biological Control
iNaturalist Observations from the GNA:
137440711 (Observed: 9/29/2022)
59770742 (Observed: 9/15/2020)
General Floristic References:
Rhoads, A. F. and T. A. Block (2007). The Plants of Pennsylvania. Philadelphia, PA, University of Pennsylvania Press (p. 916).
Monarch Butterfly References
Natural Resource Conservation Service [NRCS] (ed). 2018a. Important Plants of the Monarch Butterfly. Greater Appalachian Mountains Region Staff Guide. Natural Resources Conservation Service, U.S. Department of Agriculture 132 pp.
Xerces Society: Monarch Nectar Plants Northeast. https://xerces.org/sites/default/files/2018-05/16-044_01_XercesSoc_MonarchNectarPlants_Northeast_web-3page.pdf. File Accessed: 8-25-2022.
Online Resources for Solidago altissima:
Images
Solidago bicolor (White Goldenrod)
Group: Plants
Type: Flowering Plants - Dicots
Family: Asteraceae
Notes
Common Name: White Goldenrod
Growth Habit: Forb/herb
Duration: Perennial
Origin: Native to the conterminous United States
Year Noted: 1984
Deer Resistant: Yes
Listed as a "Bee Plant" By the Lady Bird Johnson Wildflower Center:
Native Bees; Honey Bees; Supports Conservation Biological Control
General Floristic References:
Rhoads, A. F. and T. A. Block (2007). The Plants of Pennsylvania. Philadelphia, PA, University of Pennsylvania Press (p. 917).
Online Resources for Solidago bicolor:
Solidago caesia (Bluestem Goldenrod)
Group: Plants
Type: Flowering Plants - Dicots
Family: Asteraceae
Notes
Common Names: Bluestem Goldenrod; Wreath Goldenrod
Growth Habit: Forb/herb
Duration: Perennial
Origin: Native to the conterminous United States
Years Noted: 1984; 2004; 2007; 2017-2018; 2020-2022
Deer Resistant: Yes
Monarch Butterfly Value: High (NRCS 2018a)
Also Listed As a Monarch Butterfly Plant In: Xerces Society - Mid-Atlantic List
Listed as a "Bee Plant" By the Lady Bird Johnson Wildflower Center:
Native Bees; Honey Bees; Supports Conservation Biological Control
Winter-green Species: i.e., Is a species whose leaves develop in the fall and overwinter.
iNaturalist Observations from the GNA:
97894375 (Observed: 10/6/2021)
59765734 (Observed: 9/15/2020)
General Floristic References:
Rhoads, A. F. and T. A. Block (2007). The Plants of Pennsylvania. Philadelphia, PA, University of Pennsylvania Press (p. 917).
Monarch Butterfly References
Natural Resource Conservation Service [NRCS] (ed). 2018a. Important Plants of the Monarch Butterfly. Greater Appalachian Mountains Region Staff Guide. Natural Resources Conservation Service, U.S. Department of Agriculture 132 pp.
Xerces Society: Monarch Nectar Plants Mid-Atlantic. https://xerces.org/sites/default/files/2018-05/16-042_01_XercesSoc_MonarchNectarPlants_Mid-Atlantic_web-3page_0.pdf. File Accessed: 8-25-2022.
Wintergreen Species References:
Beatley, J. C. 1956. The winter-green herbaceous flowering plants of Ohio. The Ohio Journal of Science 56(6): 349-377.
Brewer, R. 1980. A half-century of changes in the herb layer of a climax deciduous forest in Michigan. Journal of Ecology 68: 823-832.
Online Resources for Solidago caesia:
Lady Bird Johnson Wildflower Center Plant Database
Images
Solidago canadensis (Canada Goldenrod)
Group: Plants
Type: Flowering Plants - Dicots
Family: Asteraceae
Notes
Common Name: Canada Goldenrod
Growth Habit: Forb/herb
Duration: Perennial
Origin: Native to the conterminous United States
Years Noted: 1984; 2004; 2007; 2017-2018
Dispersed By: Animals; Ants; Deer; General Zoochory; Human Activities; Rain (Assisted, i.e., ombrochory); Water; Wind
Allelopathic: Yes
Deer Resistant: Yes
Monarch Butterfly Value: High (NRCS 2018a)
Also Listed As a Monarch Butterfly Plant In: Galea et. al 2015; Illinois Wildflowers
Listed as a "Bee Plant" By the Lady Bird Johnson Wildflower Center:
Native Bees; Honey Bees; Supports Conservation Biological Control
General Floristic References:
Rhoads, A. F. and T. A. Block (2007). The Plants of Pennsylvania. Philadelphia, PA, University of Pennsylvania Press (p. 917).
Monarch Butterfly References
Galea, M., E. Cole, L. Davies Adams, and L. Stritch (eds). 2015. Conservation and Management of Monarch Butterflies A Land Manager’s Restoration Guide for the Eastern U.S. Pollinator Partnership and USDA Forest Service, San Francisco, CA. 27 pp.
Illinois Wildflowers. 2022. Page for Danaus plexipes. Data Downloaded 8/17/22: http://www.illinoiswildflowers.info/flower_insects/insects/moths/danaus_plexippus.htm.
Natural Resource Conservation Service [NRCS] (ed). 2018a. Important Plants of the Monarch Butterfly. Greater Appalachian Mountains Region Staff Guide. Natural Resources Conservation Service, U.S. Department of Agriculture 132 pp.
Online Resources for Solidago canadensis:
Fire Effects Information System
Lady Bird Johnson Wildflower Center Plant Database
Solidago flexicaulis (Zigzag Goldenrod)
Group: Plants
Type: Flowering Plants - Dicots
Family: Asteraceae
Notes
Common Name: Zigzag Goldenrod
Growth Habit: Forb/herb
Duration: Perennial
Origin: Native to the conterminous United States
Years Noted: 1984; 2016-2017; 2020-2021
Deer Resistant: Yes
Listed as a "Bee Plant" By the Lady Bird Johnson Wildflower Center:
Native Bees; Honey Bees; Supports Conservation Biological Control
Winter-green Species: i.e., Is a species whose leaves develop in the fall and overwinter.
iNaturalist Observations from the GNA:
61145465 (Observed: 9/28/2020)
General Floristic References:
Rhoads, A. F. and T. A. Block (2007). The Plants of Pennsylvania. Philadelphia, PA, University of Pennsylvania Press (p. 917).
Wintergreen Species References:
Beatley, J. C. 1956. The winter-green herbaceous flowering plants of Ohio. The Ohio Journal of Science 56(6): 349-377.
Online Resources for Solidago flexicaulis:
Lady Bird Johnson Wildflower Center Plant Database
Images
Solidago gigantea (Giant Goldenrod)
Group: Plants
Type: Flowering Plants - Dicots
Family: Asteraceae
Notes
Common Name: Giant Goldenrod
Growth Habit: Forb/herb
Duration: Perennial
Origin: Native to the conterminous United States
Years Noted: 1984; 2004; 2007; 2009; 2017-2018; 2020
Dispersed By: Animals; Ants; Deer; General Zoochory; Human Activities; Wind
Allelopathic: Yes
Deer Resistant: Yes
Listed as a "Bee Plant" By the Lady Bird Johnson Wildflower Center:
Native Bees; Honey Bees; Supports Conservation Biological Control
Winter-green Species: i.e., Is a species whose leaves develop in the fall and overwinter.
iNaturalist Observations from the GNA:
57254394 (Observed: 8/20/2020)
General Floristic References:
Rhoads, A. F. and T. A. Block (2007). The Plants of Pennsylvania. Philadelphia, PA, University of Pennsylvania Press (p. 917).
Wintergreen Species References:
Beatley, J. C. 1956. The winter-green herbaceous flowering plants of Ohio. The Ohio Journal of Science 56(6): 349-377.
Online Resources for Solidago gigantea:
Lady Bird Johnson Wildflower Center Plant Database
Images
Solidago juncea (Early Goldenrod)
Group: Plants
Type: Flowering Plants - Dicots
Family: Asteraceae
Notes
Common Name: Early Goldenrod
Growth Habit: Forb/herb
Duration: Perennial
Origin: Native to the conterminous United States
Years Noted: 1984; 2004; 2007
Deer Resistant: Yes
Monarch Butterfly Value: High (NRCS 2018a)
Listed as a "Bee Plant" By the Lady Bird Johnson Wildflower Center:
Native Bees; Honey Bees; Supports Conservation Biological Control
Winter-green Species: i.e., Is a species whose leaves develop in the fall and overwinter.
General Floristic References:
Rhoads, A. F. and T. A. Block (2007). The Plants of Pennsylvania. Philadelphia, PA, University of Pennsylvania Press (p. 918).
Monarch Butterfly References
Natural Resource Conservation Service [NRCS] (ed). 2018a. Important Plants of the Monarch Butterfly. Greater Appalachian Mountains Region Staff Guide. Natural Resources Conservation Service, U.S. Department of Agriculture 132 pp.
Wintergreen Species References:
Beatley, J. C. 1956. The winter-green herbaceous flowering plants of Ohio. The Ohio Journal of Science 56(6): 349-377.
Online Resources for Solidago juncea:
Lady Bird Johnson Wildflower Center Plant Database
Solidago nemoralis (Gray Goldenrod)
Group: Plants
Type: Flowering Plants - Dicots
Family: Asteraceae
Notes
Common Name: Gray Goldenrod
Growth Habit: Forb/herb
Duration: Perennial
Origin: Native to the conterminous United States
Years Noted: 1984; 2007; 2017
Deer Resistant: Yes
Monarch Butterfly Value: High (NRCS 2018a)
Also Listed As a Monarch Butterfly Plant In: Galea et. al 2015; Illinois Wildflowers
Listed as a "Bee Plant" By the Lady Bird Johnson Wildflower Center:
Native Bees; Honey Bees; Supports Conservation Biological Control
Winter-green Species: i.e., Is a species whose leaves develop in the fall and overwinter.
General Floristic References:
Rhoads, A. F. and T. A. Block (2007). The Plants of Pennsylvania. Philadelphia, PA, University of Pennsylvania Press (p. 918).
Monarch Butterfly References
Galea, M., E. Cole, L. Davies Adams, and L. Stritch (eds). 2015. Conservation and Management of Monarch Butterflies A Land Manager’s Restoration Guide for the Eastern U.S. Pollinator Partnership and USDA Forest Service, San Francisco, CA. 27 pp.
Illinois Wildflowers. 2022. Page for Danaus plexipes. Data Downloaded 8/17/22: http://www.illinoiswildflowers.info/flower_insects/insects/moths/danaus_plexippus.htm.
Natural Resource Conservation Service [NRCS] (ed). 2018a. Important Plants of the Monarch Butterfly. Greater Appalachian Mountains Region Staff Guide. Natural Resources Conservation Service, U.S. Department of Agriculture 132 pp.
Wintergreen Species References:
Beatley, J. C. 1956. The winter-green herbaceous flowering plants of Ohio. The Ohio Journal of Science 56(6): 349-377.
Online Resources for Solidago nemoralis:
Lady Bird Johnson Wildflower Center Plant Database
Solidago patula (Swamp Goldenrod)
Group: Plants
Type: Flowering Plants - Dicots
Family: Asteraceae
Notes
Common Names: Swamp Goldenrod; Roundleaf Goldenrod
Growth Habit: Forb/herb
Duration: Perennial
Origin: Native to the conterminous United States
Years Noted: 1984; 2004; 2007; 2009; 2017
Northeast Wetland Status: OBL
Deer Resistant: Yes
Listed as a "Bee Plant" By the Lady Bird Johnson Wildflower Center:
Native Bees; Honey Bees; Supports Conservation Biological Control
Winter-green Species: i.e., Is a species whose leaves develop in the fall and overwinter.
General Floristic References:
Rhoads, A. F. and T. A. Block (2007). The Plants of Pennsylvania. Philadelphia, PA, University of Pennsylvania Press (p. 919).
Wintergreen Species References:
Beatley, J. C. 1956. The winter-green herbaceous flowering plants of Ohio. The Ohio Journal of Science 56(6): 349-377.
Online Resources for Solidago patula:
Solidago rugosa (Wrinkleleaf Goldenrod)
Group: Plants
Type: Flowering Plants - Dicots
Family: Asteraceae
Notes
Common Name: Wrinkleleaf Goldenrod
Growth Habit: Forb/herb
Duration: Perennial
Origin: Native to the conterminous United States
Years Noted: 1984; 2004; 2007; 2017-2018; 2020; 2022
Allelopathic: Yes
Deer Resistant: Yes
Monarch Butterfly Value: High (NRCS 2018a)
Listed as a "Bee Plant" By the Lady Bird Johnson Wildflower Center:
Native Bees; Honey Bees; Supports Conservation Biological Control
Winter-green Species: i.e., Is a species whose leaves develop in the fall and overwinter.
iNaturalist Observations from the GNA:
137020347 (Observed: 9/29/2022)
60347533 (Observed: 9/18/2020)
General Floristic References:
Rhoads, A. F. and T. A. Block (2007). The Plants of Pennsylvania. Philadelphia, PA, University of Pennsylvania Press (p. 920).
Monarch Butterfly References
Natural Resource Conservation Service [NRCS] (ed). 2018a. Important Plants of the Monarch Butterfly. Greater Appalachian Mountains Region Staff Guide. Natural Resources Conservation Service, U.S. Department of Agriculture 132 pp.
Wintergreen Species References:
Beatley, J. C. 1956. The winter-green herbaceous flowering plants of Ohio. The Ohio Journal of Science 56(6): 349-377.
Online Resources for Solidago rugosa:
Lady Bird Johnson Wildflower Center Plant Database
Images
Sonchus asper (Spiny Sowthistle)
Group: Plants
Type: Flowering Plants - Dicots
Family: Asteraceae
Notes
Common Name: Spiny Sowthistle
Growth Habit: Forb/herb
Duration: Annual
Origin: Not native to the conterminous United States
Years Noted: 1984; 2004; 2007
Dispersed By: Animals; Ants; Deer; General Zoochory; Human Activities; Rain (Assisted, i.e., ombrochory); Water; Wind
General Floristic References:
Rhoads, A. F. and T. A. Block (2007). The Plants of Pennsylvania. Philadelphia, PA, University of Pennsylvania Press (p. 895).
Online Resources for Sonchus asper:
Symphyotrichum cordifolium (Common Blue Wood Aster)
Group: Plants
Type: Flowering Plants - Dicots
Family: Asteraceae
Notes
Common Name: Common Blue Wood Aster
Growth Habit: Forb/herb
Duration: Perennial
Origin: Native to the conterminous United States
Synonyms: Aster cordifolius L.Years Noted: 1983-1984; 2007; 2017-2018
Monarch Butterfly Value: High (NRCS 2018a)
Also Listed As a Monarch Butterfly Plant In: Pollinator.org; Xerces Society - Northeast List
Listed as a "Bee Plant" By the Lady Bird Johnson Wildflower Center:
Native Bees; Supports Conservation Biological Control
Winter-green Species: i.e., Is a species whose leaves develop in the fall and overwinter.
General Floristic References:
Rhoads, A. F. and T. A. Block (2007). The Plants of Pennsylvania. Philadelphia, PA, University of Pennsylvania Press (p. 928).
Monarch Butterfly References
Natural Resource Conservation Service [NRCS] (ed). 2018a. Important Plants of the Monarch Butterfly. Greater Appalachian Mountains Region Staff Guide. Natural Resources Conservation Service, U.S. Department of Agriculture 132 pp.
Pollinator.org. 2022. https://www.pollinator.org/pollinator.org/assets/generalFiles/MonarchGardenPlants_170625_152424.pdf; File Accessed: 8-22-2022.
Xerces Society: Monarch Nectar Plants Northeast. https://xerces.org/sites/default/files/2018-05/16-044_01_XercesSoc_MonarchNectarPlants_Northeast_web-3page.pdf. File Accessed: 8-25-2022.
Wintergreen Species References:
Beatley, J. C. 1956. The winter-green herbaceous flowering plants of Ohio. The Ohio Journal of Science 56(6): 349-377.
Online Resources for Symphyotrichum cordifolium:
Lady Bird Johnson Wildflower Center Plant Database
Symphyotrichum lanceolatum (White Panicle Aster)
Group: Plants
Type: Flowering Plants - Dicots
Family: Asteraceae
Notes
Common Name: White Panicle Aster
Growth Habit: Forb/herb
Duration: Perennial
Origin: Native to the conterminous United States
Years Noted: 1984; 2004; 2007; 2018; 2020; 2022
Listed As a Monarch Butterfly Plant In: Illinois Wildflowers; Pollinator.org
iNaturalist Observations from the GNA:
136588198 (Observed: 9/26/2022)
60650029 (Observed: 9/24/2020)
62081895 (Observed: 10/8/2020)
General Floristic References:
Rhoads, A. F. and T. A. Block (2007). The Plants of Pennsylvania. Philadelphia, PA, University of Pennsylvania Press (p. 930).
Monarch Butterfly References
Illinois Wildflowers. 2022. Page for Danaus plexipes. Data Downloaded 8/17/22: http://www.illinoiswildflowers.info/flower_insects/insects/moths/danaus_plexippus.htm.
Pollinator.org. 2022. https://www.pollinator.org/pollinator.org/assets/generalFiles/MonarchGardenPlants_170625_152424.pdf; File Accessed: 8-22-2022.
Online Resources for Symphyotrichum lanceolatum:
Images
Symphyotrichum lateriflorum (Calico Aster)
Group: Plants
Type: Flowering Plants - Dicots
Family: Asteraceae
Notes
Common Name: Calico Aster
Growth Habit: Forb/herb
Duration: Perennial
Origin: Native to the conterminous United States
Synonyms: Aster lateriflorus (L.) BrittonYears Noted: 1984; 2004; 2007; 2017-2018; 2020-2024
Monarch Butterfly Value: High (NRCS 2018a)
Listed as a "Bee Plant" By the Lady Bird Johnson Wildflower Center:
Native Bees; Supports Conservation Biological Control
iNaturalist Observations from the GNA:
59732628 (Observed: 9/15/2020)
61441693 (Observed: 10/1/2020)
General Floristic References:
Rhoads, A. F. and T. A. Block (2007). The Plants of Pennsylvania. Philadelphia, PA, University of Pennsylvania Press (p. 930).
Monarch Butterfly References
Natural Resource Conservation Service [NRCS] (ed). 2018a. Important Plants of the Monarch Butterfly. Greater Appalachian Mountains Region Staff Guide. Natural Resources Conservation Service, U.S. Department of Agriculture 132 pp.
Online Resources for Symphyotrichum lateriflorum:
Lady Bird Johnson Wildflower Center Plant Database
Images
Symphyotrichum novae. angliae (New England Aster)
Group: Plants
Type: Flowering Plants - Dicots
Family: Asteraceae
Notes
Common Name: New England Aster
Growth Habit: Forb/herb
Duration: Perennial
Origin: Native to the conterminous United States
Synonyms: Aster novae-angliae L.Years Noted: 1983-1984; 2000; 2017; 2020-2023
Dispersed By: Animals; General Zoochory
Allelopathic: Yes
Deer Resistant: Yes
Monarch Butterfly Value: Very High (NRCS 2018a); Monarch Nectar Value: Very High (NRCS 2018b)
Also Listed As a Monarch Butterfly Plant In: Galea et. al 2015; Illinois Wildflowers; Pollinator.org; Xerces Society - Mid-Atlantic List; Xerces Society - Northeast List
Listed as a "Bee Plant" By the Lady Bird Johnson Wildflower Center:
Native Bees; Bumble Bees; Honey Bees
iNaturalist Observations from the GNA:
136931182 (Observed: 9/29/2022)
60207385 (Observed: 9/20/2020)
General Floristic References:
Rhoads, A. F. and T. A. Block (2007). The Plants of Pennsylvania. Philadelphia, PA, University of Pennsylvania Press (p. 930).
Monarch Butterfly References
Galea, M., E. Cole, L. Davies Adams, and L. Stritch (eds). 2015. Conservation and Management of Monarch Butterflies A Land Manager’s Restoration Guide for the Eastern U.S. Pollinator Partnership and USDA Forest Service, San Francisco, CA. 27 pp.
Illinois Wildflowers. 2022. Page for Danaus plexipes. Data Downloaded 8/17/22: http://www.illinoiswildflowers.info/flower_insects/insects/moths/danaus_plexippus.htm.
Natural Resource Conservation Service [NRCS] (ed). 2018a. Important Plants of the Monarch Butterfly. Greater Appalachian Mountains Region Staff Guide. Natural Resources Conservation Service, U.S. Department of Agriculture 132 pp.
Natural Resource Conservation Service [NRCS] (ed). 2018b. Native Habitat Development for Pollinators, Honey Bees and Monarchs. Biology Jobsheet #16. Natural Resources Conservation Service, U.S. Department of Agriculture 6 pp.
Pollinator.org. 2022. https://www.pollinator.org/pollinator.org/assets/generalFiles/MonarchGardenPlants_170625_152424.pdf; File Accessed: 8-22-2022.
Xerces Society: Monarch Nectar Plants Mid-Atlantic. https://xerces.org/sites/default/files/2018-05/16-042_01_XercesSoc_MonarchNectarPlants_Mid-Atlantic_web-3page_0.pdf. File Accessed: 8-25-2022.
Xerces Society: Monarch Nectar Plants Northeast. https://xerces.org/sites/default/files/2018-05/16-044_01_XercesSoc_MonarchNectarPlants_Northeast_web-3page.pdf. File Accessed: 8-25-2022.
Online Resources for Symphyotrichum novae-angliae:
Images
Symphyotrichum pilosum (Hairy White Oldfield Aster)
Group: Plants
Type: Flowering Plants - Dicots
Family: Asteraceae
Notes
Common Name: Hairy White Oldfield Aster
Growth Habit: Forb/herb
Duration: Perennial
Origin: Native to the conterminous United States
Synonyms: Aster pilosus Willd. var. demotusYears Noted: 1967; 1969-2000; 2007; 2017-2018; 2020; 2022
Monarch Butterfly Value: High (NRCS 2018a)
Also Listed As a Monarch Butterfly Plant In: Illinois Wildflowers
iNaturalist Observations from the GNA:
136924532 (Observed: 9/29/2022)
61204174 (Observed: 9/28/2020)
General Floristic References:
Rhoads, A. F. and T. A. Block (2007). The Plants of Pennsylvania. Philadelphia, PA, University of Pennsylvania Press (p. 931).
Monarch Butterfly References
Illinois Wildflowers. 2022. Page for Danaus plexipes. Data Downloaded 8/17/22: http://www.illinoiswildflowers.info/flower_insects/insects/moths/danaus_plexippus.htm.
Natural Resource Conservation Service [NRCS] (ed). 2018a. Important Plants of the Monarch Butterfly. Greater Appalachian Mountains Region Staff Guide. Natural Resources Conservation Service, U.S. Department of Agriculture 132 pp.
Online Resources for Symphyotrichum pilosum:
Lady Bird Johnson Wildflower Center Plant Database
Images
Symphyotrichum puniceum (Swamp Aster)
Group: Plants
Type: Flowering Plants - Dicots
Family: Asteraceae
Notes
Common Names: Swamp Aster; Purplestem Aster
Growth Habit: Forb/herb, Subshrub
Duration: Perennial
Origin: Native to the conterminous United States
Synonyms: Aster puniceus L.Years Noted: 1984; 2004; 2007; 2018; 2022
Bee Beneficial: Yes
Monarch Butterfly Value: High (NRCS 2018a)
Also Listed As a Monarch Butterfly Plant In: Illinois Wildflowers
Listed as a "Bee Plant" By the Lady Bird Johnson Wildflower Center:
Native Bees
iNaturalist Observations from the GNA:
137415236 (Observed: 9/29/2022)
136839589 (Observed: 9/28/2022)
136193538 (Observed: 9/23/2022)
General Floristic References:
Rhoads, A. F. and T. A. Block (2007). The Plants of Pennsylvania. Philadelphia, PA, University of Pennsylvania Press (p. 932).
Monarch Butterfly References
Illinois Wildflowers. 2022. Page for Danaus plexipes. Data Downloaded 8/17/22: http://www.illinoiswildflowers.info/flower_insects/insects/moths/danaus_plexippus.htm.
Natural Resource Conservation Service [NRCS] (ed). 2018a. Important Plants of the Monarch Butterfly. Greater Appalachian Mountains Region Staff Guide. Natural Resources Conservation Service, U.S. Department of Agriculture 132 pp.
Online Resources for Symphyotrichum puniceum:
Lady Bird Johnson Wildflower Center Plant Database
Images
Taraxacum officinale (Common Dandelion)
Group: Plants
Type: Flowering Plants - Dicots
Family: Asteraceae
Notes
Common Names: Common Dandelion; Diente de León
Growth Habit: Forb/herb
Duration: Perennial
Origin: Not native to the conterminous United States
Years Noted: 1967; 1969-2000; 2004; 2007; 2009; 2011-2012; 2016-2023; 2025
Dispersed By: Animals; Deer; Wind
Listed As a Monarch Butterfly Plant In: Illinois Wildflowers
Winter-green Species: i.e., Is a species whose leaves develop in the fall and overwinter.
iNaturalist Observations from the GNA:
79192981 (Observed: 5/17/2021)
General Floristic References:
Rhoads, A. F. and T. A. Block (2007). The Plants of Pennsylvania. Philadelphia, PA, University of Pennsylvania Press (p. 891).
Monarch Butterfly References
Illinois Wildflowers. 2022. Page for Danaus plexipes. Data Downloaded 8/17/22: http://www.illinoiswildflowers.info/flower_insects/insects/moths/danaus_plexippus.htm.
Wintergreen Species References:
Beatley, J. C. 1956. The winter-green herbaceous flowering plants of Ohio. The Ohio Journal of Science 56(6): 349-377.
Online Resources for Taraxacum officinale:
Images
Vernonia noveboracensis (New York Ironweed)
Group: Plants
Type: Flowering Plants - Dicots
Family: Asteraceae
Notes
Common Name: New York Ironweed
Growth Habit: Forb/herb
Duration: Perennial
Origin: Native to the conterminous United States
Years Noted: 1984; 2004; 2007; 2017; 2019-2025
Northeast Wetland Status: FACW
Bee Beneficial: Yes
Deer Resistant: Yes
Monarch Butterfly Value: High (NRCS 2018a)
Also Listed As a Monarch Butterfly Plant In: Virginia DCR; Xerces Society - Mid-Atlantic List; Xerces Society - Northeast List
Listed as a "Bee Plant" By the Lady Bird Johnson Wildflower Center:
Native Bees
iNaturalist Observations from the GNA:
310255988 (Observed: 8/30/2025)
52526821 (Observed: 7/9/2020)
57181358 (Observed: 8/20/2020)
General Floristic References:
Rhoads, A. F. and T. A. Block (2007). The Plants of Pennsylvania. Philadelphia, PA, University of Pennsylvania Press (p. 889).
Monarch Butterfly References
Natural Resource Conservation Service [NRCS] (ed). 2018a. Important Plants of the Monarch Butterfly. Greater Appalachian Mountains Region Staff Guide. Natural Resources Conservation Service, U.S. Department of Agriculture 132 pp.
Virginia Department of Conservation and Recreation [DCR]. 2022. https://www.dcr.virginia.gov/natural-heritage/save-the-monarch; Date Accessed: 8/19/2022.
Xerces Society: Monarch Nectar Plants Mid-Atlantic. https://xerces.org/sites/default/files/2018-05/16-042_01_XercesSoc_MonarchNectarPlants_Mid-Atlantic_web-3page_0.pdf. File Accessed: 8-25-2022.
Xerces Society: Monarch Nectar Plants Northeast. https://xerces.org/sites/default/files/2018-05/16-044_01_XercesSoc_MonarchNectarPlants_Northeast_web-3page.pdf. File Accessed: 8-25-2022.
Online Resources for Vernonia noveboracensis:
Lady Bird Johnson Wildflower Center Plant Database
Images
Impatiens capensis (Jewelweed)
Group: Plants
Type: Flowering Plants - Dicots
Family: Balsaminaceae
Notes
Common Name: Jewelweed
Growth Habit: Forb/herb
Duration: Annual
Origin: Native to the conterminous United States
Years Noted: 1984; 1989; 2004; 2007; 2009; 2011; 2013; 2016-2020; 2022-2025
Dispersed By: Ballistic; Human Activities; Water
Deer Resistant: Yes
Listed As a Monarch Butterfly Plant In: Illinois Wildflowers
iNaturalist Observations from the GNA:
59732999 (Observed: 9/15/2020)
55824855 (Observed: 8/8/2020)
General Floristic References:
Magee, D. W. (1981). Freshwater Wetlands: A Guide to Common Indicator Plants of the Northeast. Amherst, MA, University of Massachusetts Press (p. 167).
Rhoads, A. F. and T. A. Block (2007). The Plants of Pennsylvania. Philadelphia, PA, University of Pennsylvania Press (p. 720).
Monarch Butterfly References
Illinois Wildflowers. 2022. Page for Danaus plexipes. Data Downloaded 8/17/22: http://www.illinoiswildflowers.info/flower_insects/insects/moths/danaus_plexippus.htm.
Online Resources for Impatiens capensis:
Lady Bird Johnson Wildflower Center Plant Database
Images
Berberis bealei (Leatherleaf Mahonia)
Group: Plants
Type: Flowering Plants - Dicots
Family: Berberidaceae
Notes
Common Names: Leatherleaf Mahonia; Beale's Barberry
Growth Habit: Shrub
Duration: Perennial
Origin: Not native to the conterminous United States
Synonyms: Mahonia bealeiYear Noted: 2025-2026
Deer Resistant: Yes
Online Resources for Berberis bealei:
Images
Berberis thunbergii (Japanese Barberry)
Group: Plants
Type: Flowering Plants - Dicots
Family: Berberidaceae
Notes
Common Name: Japanese Barberry
Growth Habit: Shrub
Duration: Perennial
Origin: Not native to the conterminous United States
Pennsylvania DCNR Invasive Plants Rating: Rank 1 — "Severe Threat. Exotic plant species that possess characteristics of invasive species and spread easily into native plant communities and displace native vegetation. Includes species that are or could become widespread in Pennsylvania."
Years Noted: 1965; 1984; 2004; 2007-2009; 2011-2026
Dispersed By: Birds; Mammals (non-bat)
Deer Resistant: Yes
iNaturalist Observations from the GNA:
183748161 (Observed: 8/31/2023)
157084320 (Observed: 4/18/2023)
General Floristic References:
Rhoads, A. F. and T. A. Block (2007). The Plants of Pennsylvania. Philadelphia, PA, University of Pennsylvania Press (p. 409).
Online Resources for Berberis thunbergii:
Fire Effects Information System
Images
Caulophyllum thalictroides (Blue Cohosh)
Group: Plants
Type: Flowering Plants - Dicots
Family: Berberidaceae
Notes
Common Name: Blue Cohosh
Growth Habit: Forb/herb
Duration: Perennial
Origin: Native to the conterminous United States
Years Noted: 1984; 2004; 2007; 2016-2025
Dispersed By: Birds
Deer Resistant: Yes
iNaturalist Observations from the GNA:
75464394 (Observed: 4/27/2021)
49872775 (Observed: 6/16/2020)
General Floristic References:
Rhoads, A. F. and T. A. Block (2007). The Plants of Pennsylvania. Philadelphia, PA, University of Pennsylvania Press (p. 408).
Online Resources for Caulophyllum thalictroides:
Lady Bird Johnson Wildflower Center Plant Database
Images
Podophyllum peltatum (Mayapple)
Group: Plants
Type: Flowering Plants - Dicots
Family: Berberidaceae
Notes
Common Names: Mayapple; American Mandrake; Ground Lemon; Devil's Apple
Growth Habit: Forb/herb
Duration: Perennial
Origin: Native to the conterminous United States
Years Noted: 1984; 2004; 2007; 2009; 2011; 2013; 2015-2025
Dispersed By: Reptiles; Turtles
Deer Resistant: Yes
iNaturalist Observations from the GNA:
209791211 (Observed: 4/26/2024)
110750099 (Observed: 4/8/2022)
110758631 (Observed: 4/8/2022)
163179713 (Observed: 5/22/2023)
153581523 (Observed: 4/5/2023)
45024259 (Observed: 5/5/2020)
General Floristic References:
Rhoads, A. F. and T. A. Block (2007). The Plants of Pennsylvania. Philadelphia, PA, University of Pennsylvania Press (p. 409).
Online Resources for Podophyllum peltatum:
Lady Bird Johnson Wildflower Center Plant Database
Images
Alnus serrulata (Hazel Alder)
Group: Plants
Type: Flowering Plants - Dicots
Family: Betulaceae
Notes
Common Name: Hazel Alder
Growth Habit: Tree, Shrub
Duration: Perennial
Origin: Native to the conterminous United States
Synonyms: Alnus incana var. serrulataYears Noted: 1984; 2008; 2017
Northeast Wetland Status: OBL
Dispersed By: Water; Wind
Deer Resistant: Yes
General Floristic References:
Rhoads, A. F. and T. A. Block (2005). Trees of Pennsylvania. A Complete Reference Guide. Philadelphia, PA, University of Pennsylvania Press (p. 20-21).
Rhoads, A. F. and T. A. Block (2007). The Plants of Pennsylvania. Philadelphia, PA, University of Pennsylvania Press (p. 610).
Online Resources for Alnus serrulata:
Lady Bird Johnson Wildflower Center Plant Database
Images
Carpinus caroliniana (American Hornbeam)
Group: Plants
Type: Flowering Plants - Dicots
Family: Betulaceae
Notes
Common Names: American Hornbeam; Musclewood; Blue Beech
Growth Habit: Tree, Shrub
Duration: Perennial
Origin: Native to the conterminous United States
Years Noted: 1965; 1967; 1970-1971; 1984; 2004; 2007-2008; 2010; 2013-2014; 2016-2025
Dispersed By: Wind
Deer Resistant: Yes
iNaturalist Observations from the GNA:
156723973 (Observed: 4/26/2023)
General Floristic References:
Dove, T. and G. Woolridge (2018). Essential Native Trees and Shrubs for the Eastern United States. Watertown, MA, Imagine Books (p. 62).
Magee, D. W. (1981). Freshwater Wetlands: A Guide to Common Indicator Plants of the Northeast. Amherst, MA, University of Massachusetts Press (p. 118-119).
Rhoads, A. F. and T. A. Block (2005). Trees of Pennsylvania. A Complete Reference Guide. Philadelphia, PA, University of Pennsylvania Press (p. 159-160).
Rhoads, A. F. and T. A. Block (2007). The Plants of Pennsylvania. Philadelphia, PA, University of Pennsylvania Press (p. 613).
Online Resources for Carpinus caroliniana:
Fire Effects Information System
Lady Bird Johnson Wildflower Center Plant Database
Images
Corylus americana (American Hazelnut)
Group: Plants
Type: Flowering Plants - Dicots
Family: Betulaceae
Notes
Common Name: American Hazelnut
Growth Habit: Shrub
Duration: Perennial
Origin: Native to the conterminous United States
Years Noted: 1967; 1984
Dispersed By: Animals; Mammals (non-bat)
Deer Resistant: Yes
General Floristic References:
Rhoads, A. F. and T. A. Block (2007). The Plants of Pennsylvania. Philadelphia, PA, University of Pennsylvania Press (p. 614).
Online Resources for Corylus americana:
Fire Effects Information System
Lady Bird Johnson Wildflower Center Plant Database
Ostrya virginiana (Hophornbeam)
Group: Plants
Type: Flowering Plants - Dicots
Family: Betulaceae
Notes
Common Name: Hophornbeam
Growth Habit: Tree, Shrub
Duration: Perennial
Origin: Native to the conterminous United States
Years Noted: 2007-2008; 2018; 2025
Dispersed By: Wind
Deer Resistant: Yes
General Floristic References:
Dove, T. and G. Woolridge (2018). Essential Native Trees and Shrubs for the Eastern United States. Watertown, MA, Imagine Books (p. 123).
Magee, D. W. and H. E. Ahles (1999). Flora of the Northeast. A Manual of the Vascular Flora of New England and Adjacent New York. Amherst, MA, University of Massachusetts Press (p. 402).
Rhoads, A. F. and T. A. Block (2005). Trees of Pennsylvania. A Complete Reference Guide. Philadelphia, PA, University of Pennsylvania Press (p. 155-156).
Rhoads, A. F. and T. A. Block (2007). The Plants of Pennsylvania. Philadelphia, PA, University of Pennsylvania Press (p. 613).
Online Resources for Ostrya virginiana:
Fire Effects Information System
Lady Bird Johnson Wildflower Center Plant Database
Cynoglossum virginianum (Wild Comfrey)
Group: Plants
Type: Flowering Plants - Dicots
Family: Boraginaceae
Notes
Common Name: Wild Comfrey
Growth Habit: Forb/herb
Duration: Perennial
Origin: Native to the conterminous United States
Years Noted: 2007; 2014; 2017; 2019-2021; 2023
iNaturalist Observations from the GNA:
159494226 (Observed: 5/3/2023)
General Floristic References:
Rhoads, A. F. and T. A. Block (2007). The Plants of Pennsylvania. Philadelphia, PA, University of Pennsylvania Press (p. 751).
Online Resources for Cynoglossum virginianum:
iNaturalist (for the synonym Andersonglossum virginianum)
Images
Hackelia virginiana (Beggars Lice)
Group: Plants
Type: Flowering Plants - Dicots
Family: Boraginaceae
Notes
Common Names: Beggars Lice; Virginia Stickseed
Growth Habit: Forb/herb
Duration: Biennial, Perennial
Origin: Native to the conterminous United States
Years Noted: 1984; 2004; 2007; 2009; 2011-2012; 2016-2025
Deer Resistant: Yes
iNaturalist Observations from the GNA:
163689460 (Observed: 5/25/2023)
159491819 (Observed: 5/3/2023)
89830006 (Observed: 8/3/2021)
52518749 (Observed: 7/9/2020)
60458234 (Observed: 9/22/2020)
General Floristic References:
Rhoads, A. F. and T. A. Block (2007). The Plants of Pennsylvania. Philadelphia, PA, University of Pennsylvania Press (p. 749).
Online Resources for Hackelia virginiana:
Images
Mertensia virginica (Virginia Bluebells)
Group: Plants
Type: Flowering Plants - Dicots
Family: Boraginaceae
Notes
Common Name: Virginia Bluebells
Growth Habit: Forb/herb
Duration: Perennial
Origin: Native to the conterminous United States
Year Noted: 2018-2019
Deer Resistant: Yes
Listed As a Monarch Butterfly Plant In: Illinois Wildflowers
Monarch Butterfly References
Illinois Wildflowers. 2022. Page for Danaus plexipes. Data Downloaded 8/17/22: http://www.illinoiswildflowers.info/flower_insects/insects/moths/danaus_plexippus.htm.
Online Resources for Mertensia virginica:
Lady Bird Johnson Wildflower Center Plant Database
Images
Myosotis scorpioides (Water Forget-Me-Not)
Group: Plants
Type: Flowering Plants - Dicots
Family: Boraginaceae
Notes
Common Names: Water Forget-Me-Not; True Forget-Me-Not
Growth Habit: Forb/herb
Duration: Perennial
Origin: Not native to the conterminous United States
Years Noted: 2017; 2020; 2023-2025
Northeast Wetland Status: OBL
Dispersed By: Animals; Birds; General Zoochory; Water
Deer Resistant: Yes
iNaturalist Observations from the GNA:
50916745 (Observed: 6/25/2020)
General Floristic References:
Magee, D. W. (1981). Freshwater Wetlands: A Guide to Common Indicator Plants of the Northeast. Amherst, MA, University of Massachusetts Press (p. 206).
Online Resources for Myosotis scorpioides:
Images
Alliaria petiolata (Garlic Mustard)
Group: Plants
Type: Flowering Plants - Dicots
Family: Brassicaceae
Notes
Common Name: Garlic Mustard
Growth Habit: Forb/herb
Duration: Annual, Biennial
Origin: Not native to the conterminous United States
Pennsylvania DCNR Invasive Plants Rating: Rank 1 — "Severe Threat. Exotic plant species that possess characteristics of invasive species and spread easily into native plant communities and displace native vegetation. Includes species that are or could become widespread in Pennsylvania."
Years Noted: 1984; 2004; 2007-2026
Dispersed By: Human Activities; Water
Allelopathic: Yes
Deer Resistant: Yes
Winter-green Species: i.e., Is a species whose leaves develop in the fall and overwinter.
iNaturalist Observations from the GNA:
310254017 (Observed: 8/30/2025)
271105256 (Observed: 4/16/2025)
163691021 (Observed: 5/25/2023)
154172920 (Observed: 4/9/2023)
99456559 (Observed: 5/14/2020)
5639942 (Observed: 4/10/2017)
General Floristic References:
Rhoads, A. F. and T. A. Block (2007). The Plants of Pennsylvania. Philadelphia, PA, University of Pennsylvania Press (p. 676).
Wintergreen Species References:
Beatley, J. C. 1956. The winter-green herbaceous flowering plants of Ohio. The Ohio Journal of Science 56(6): 349-377.
Online Resources for Alliaria petiolata:
Images
Arabidopsis thaliana (Mouseear Cress)
Group: Plants
Type: Flowering Plants - Dicots
Family: Brassicaceae
Notes
Common Name: Mouseear Cress
Growth Habit: Forb/herb
Duration: Annual
Origin: Not native to the conterminous United States
Year Noted: 2000
Dispersed By: Animals; Deer; Human Activities; Rain (Assisted, i.e., ombrochory); Water; Wind
Winter-green Species: i.e., Is a species whose leaves develop in the fall and overwinter.
General Floristic References:
Rhoads, A. F. and T. A. Block (2007). The Plants of Pennsylvania. Philadelphia, PA, University of Pennsylvania Press (p. 693).
Wintergreen Species References:
Beatley, J. C. 1956. The winter-green herbaceous flowering plants of Ohio. The Ohio Journal of Science 56(6): 349-377.
Online Resources for Arabidopsis thaliana:
Arabis canadensis (Sicklepod)
Group: Plants
Type: Flowering Plants - Dicots
Family: Brassicaceae
Notes
Common Name: Sicklepod
Growth Habit: Forb/herb
Duration: Biennial
Origin: Native to the conterminous United States
Year Noted: 1984
General Floristic References:
Rhoads, A. F. and T. A. Block (2007). The Plants of Pennsylvania. Philadelphia, PA, University of Pennsylvania Press (p. 674).
Online Resources for Arabis canadensis:
iNaturalist (for the synonym Borodinia canadensis)
Arabis lyrata (Lyrate Rockcress)
Group: Plants
Type: Flowering Plants - Dicots
Family: Brassicaceae
Notes
Common Name: Lyrate Rockcress
Growth Habit: Forb/herb
Duration: Biennial, Perennial
Origin: Native to the conterminous United States
Years Noted: 2007; 2017; 2024
Deer Resistant: Yes
iNaturalist Observations from the GNA:
209136718 (Observed: 4/24/2024)
General Floristic References:
Rhoads, A. F. and T. A. Block (2007). The Plants of Pennsylvania. Philadelphia, PA, University of Pennsylvania Press (p. 675).
Online Resources for Arabis lyrata:
iNaturalist (for the synonym Arabidopsis lyrata)
Barbarea vulgaris (Garden Yellowrocket)
Group: Plants
Type: Flowering Plants - Dicots
Family: Brassicaceae
Notes
Common Names: Garden Yellowrocket; Early Wintercress
Growth Habit: Forb/herb
Duration: Biennial
Origin: Not native to the conterminous United States
Years Noted: 1967; 1969-2000; 2004; 2007; 2017-2019; 2021-2025
Dispersed By: Animals; Birds; Deer; Dispersal Unassisted; Human Activities; Water; Wind
Winter-green Species: i.e., Is a species whose leaves develop in the fall and overwinter.
iNaturalist Observations from the GNA:
277068290 (Observed: 4/30/2025)
113146324 (Observed: 4/27/2022)
157082758 (Observed: 4/18/2023)
118454560 (Observed: 5/11/2022)
75459319 (Observed: 4/27/2021)
74771869 (Observed: 4/21/2021)
57795826 (Observed: 5/16/2019)
General Floristic References:
Rhoads, A. F. and T. A. Block (2007). The Plants of Pennsylvania. Philadelphia, PA, University of Pennsylvania Press (p. 689).
Wintergreen Species References:
Beatley, J. C. 1956. The winter-green herbaceous flowering plants of Ohio. The Ohio Journal of Science 56(6): 349-377.
Online Resources for Barbarea vulgaris:
Images
Brassica rapa (Field Mustard)
Group: Plants
Type: Flowering Plants - Dicots
Family: Brassicaceae
Notes
Common Name: Field Mustard
Growth Habit: Forb/herb
Duration: Annual, Biennial
Origin: Not native to the conterminous United States
Synonyms: Brassica campestris L.Years Noted: 1984; 2008
Dispersed By: Animals; General Zoochory; Human Activities
Allelopathic: Yes
Winter-green Species: i.e., Is a species whose leaves develop in the fall and overwinter.
General Floristic References:
Rhoads, A. F. and T. A. Block (2007). The Plants of Pennsylvania. Philadelphia, PA, University of Pennsylvania Press (p. 678).
Wintergreen Species References:
Beatley, J. C. 1956. The winter-green herbaceous flowering plants of Ohio. The Ohio Journal of Science 56(6): 349-377.
Online Resources for Brassica rapa:
Capsella bursa. pastoris (Shepherds Purse)
Group: Plants
Type: Flowering Plants - Dicots
Family: Brassicaceae
Notes
Common Name: Shepherd's Purse
Growth Habit: Forb/herb
Duration: Annual
Origin: Not native to the conterminous United States
Years Noted: 1967-1976; 1984; 2017
Dispersed By: Animals; Birds; Deer; General Zoochory; Human Activities; Rain (Assisted, i.e., ombrochory); Water; Wind
Winter-green Species: i.e., Is a species whose leaves develop in the fall and overwinter.
Wintergreen Species References:
Beatley, J. C. 1956. The winter-green herbaceous flowering plants of Ohio. The Ohio Journal of Science 56(6): 349-377.
Online Resources for Capsella bursa-pastoris:
Cardamine bulbosa (Bulbous Bittercress)
Group: Plants
Type: Flowering Plants - Dicots
Family: Brassicaceae
Notes
Common Name: Bulbous Bittercress
Growth Habit: Forb/herb
Duration: Perennial
Origin: Native to the conterminous United States
Years Noted: 1984; 2017
Northeast Wetland Status: OBL
Winter-green Species: i.e., Is a species whose leaves develop in the fall and overwinter.
General Floristic References:
Rhoads, A. F. and T. A. Block (2007). The Plants of Pennsylvania. Philadelphia, PA, University of Pennsylvania Press (p. 686).
Wintergreen Species References:
Beatley, J. C. 1956. The winter-green herbaceous flowering plants of Ohio. The Ohio Journal of Science 56(6): 349-377.
Online Resources for Cardamine bulbosa:
Cardamine concatenata (Cutleaf Toothwort)
Group: Plants
Type: Flowering Plants - Dicots
Family: Brassicaceae
Notes
Common Name: Cutleaf Toothwort
Growth Habit: Forb/herb
Duration: Perennial
Origin: Native to the conterminous United States
Synonyms: Dentaria concatenata Michx.; Dentaria laciniata Muhl. ex WilldYears Noted: 1984; 2007; 2016-2018; 2021-2025
iNaturalist Observations from the GNA:
77264494 (Observed: 5/3/2021)
General Floristic References:
Rhoads, A. F. and T. A. Block (2007). The Plants of Pennsylvania. Philadelphia, PA, University of Pennsylvania Press (p. 686).
Online Resources for Cardamine concatenata:
Lady Bird Johnson Wildflower Center Plant Database
Images
Cardamine hirsuta (Hairy Bittercress)
Group: Plants
Type: Flowering Plants - Dicots
Family: Brassicaceae
Notes
Common Name: Hairy Bittercress
Growth Habit: Forb/herb
Duration: Annual
Origin: Not native to the conterminous United States
Years Noted: 2004; 2007-2008; 2017-2019; 2021-2022
Dispersed By: Animals; Ballistic; Human Activities; Rain (Assisted, i.e., ombrochory); Water; Wind
iNaturalist Observations from the GNA:
336687604 (Observed: 3/15/2019)
108884679 (Observed: 3/18/2022)
73899173 (Observed: 4/13/2021)
General Floristic References:
Rhoads, A. F. and T. A. Block (2007). The Plants of Pennsylvania. Philadelphia, PA, University of Pennsylvania Press (p. 687).
Online Resources for Cardamine hirsuta:
Images
Cardamine impatiens (Narrowleaf Bittercress)
Group: Plants
Type: Flowering Plants - Dicots
Family: Brassicaceae
Notes
Common Name: Narrowleaf Bittercress
Growth Habit: Forb/herb
Duration: Annual, Biennial
Origin: Not native to the conterminous United States
Pennsylvania DCNR Invasive Plants Rating: Rank 3 — "Lesser Threat. Exotic plant species that spread in or near disturbed areas, and are not presently considered a major threat to undisturbed native plant communities."
Years Noted: 2004; 2007; 2009; 2016-2026
Dispersed By: Ballistic
Notes: An invasive species that has been progressively more abundant at the Gordon during the past six years (at least).
iNaturalist Observations from the GNA:
146493632 (Observed: 1/11/2023)
40195112 (Observed: 3/18/2020)
46430815 (Observed: 5/18/2020)
Online Resources for Cardamine impatiens:
Images
Cardamine pensylvanica (Pennsylvania Bittercress)
Group: Plants
Type: Flowering Plants - Dicots
Family: Brassicaceae
Notes
Common Name: Pennsylvania Bittercress
Growth Habit: Forb/herb
Duration: Annual, Biennial, Perennial
Origin: Native to the conterminous United States
Years Noted: 1984; 2007; 2017-2021
Northeast Wetland Status: OBL
Winter-green Species: i.e., Is a species whose leaves develop in the fall and overwinter.
iNaturalist Observations from the GNA:
77516466 (Observed: 5/5/2021)
46962430 (Observed: 5/21/2020)
General Floristic References:
Magee, D. W. (1981). Freshwater Wetlands: A Guide to Common Indicator Plants of the Northeast. Amherst, MA, University of Massachusetts Press (p. 148).
Rhoads, A. F. and T. A. Block (2007). The Plants of Pennsylvania. Philadelphia, PA, University of Pennsylvania Press (p. 687).
Wintergreen Species References:
Beatley, J. C. 1956. The winter-green herbaceous flowering plants of Ohio. The Ohio Journal of Science 56(6): 349-377.
Online Resources for Cardamine pensylvanica:
Images
Erysimum cheiranthoides (Wormseed Wallflower)
Group: Plants
Type: Flowering Plants - Dicots
Family: Brassicaceae
Notes
Common Name: Wormseed Wallflower
Growth Habit: Forb/herb
Duration: Annual, Biennial
Origin: Not native to the conterminous United States
Year Noted: 1984
Dispersed By: Animals; General Zoochory
Winter-green Species: i.e., Is a species whose leaves develop in the fall and overwinter.
Wintergreen Species References:
Beatley, J. C. 1956. The winter-green herbaceous flowering plants of Ohio. The Ohio Journal of Science 56(6): 349-377.
Online Resources for Erysimum cheiranthoides:
Hesperis matronalis (Dames Rocket)
Group: Plants
Type: Flowering Plants - Dicots
Family: Brassicaceae
Notes
Common Name: Dames Rocket
Growth Habit: Forb/herb
Duration: Biennial, Perennial
Origin: Not native to the conterminous United States
Pennsylvania DCNR Invasive Plants Rating: Rank 2 — "Significant Threat. Exotic plant species that possess characteristics of invasive species but are not presently considered to spread as easily and aggressively into native plant communities as those species listed as Rank 1."
Years Noted: 2004; 2007; 2009; 2011-2012; 2017-2018; 2021-2024
Dispersed By: Animals; Water
Deer Resistant: Yes
iNaturalist Observations from the GNA:
117769735 (Observed: 5/19/2022)
79566460 (Observed: 5/20/2021)
Online Resources for Hesperis matronalis:
Images
Lepidium campestre (Field Peppergrass)
Group: Plants
Type: Flowering Plants - Dicots
Family: Brassicaceae
Notes
Common Names: Field Peppergrass; Pepperweed
Growth Habit: Forb/herb
Duration: Annual, Biennial
Origin: Not native to the conterminous United States
Years Noted: 1984; 2007; 2017; 2021
Dispersed By: Animals; Ballistic; General Zoochory; Human Activities; Rain (Assisted, i.e., ombrochory); Water
Winter-green Species: i.e., Is a species whose leaves develop in the fall and overwinter.
iNaturalist Observations from the GNA:
77511736 (Observed: 5/5/2021)
General Floristic References:
Rhoads, A. F. and T. A. Block (2007). The Plants of Pennsylvania. Philadelphia, PA, University of Pennsylvania Press (p. 682).
Wintergreen Species References:
Beatley, J. C. 1956. The winter-green herbaceous flowering plants of Ohio. The Ohio Journal of Science 56(6): 349-377.
Online Resources for Lepidium campestre:
Images
Lepidium densiflorum (Common Pepperweed)
Group: Plants
Type: Flowering Plants - Dicots
Family: Brassicaceae
Notes
Common Name: Common Pepperweed
Growth Habit: Forb/herb
Duration: Annual, Biennial
Origin: Native to the conterminous United States
Year Noted: 2007
Dispersed By: Animals; General Zoochory; Human Activities; Rain (Assisted, i.e., ombrochory)
Winter-green Species: i.e., Is a species whose leaves develop in the fall and overwinter.
General Floristic References:
Rhoads, A. F. and T. A. Block (2007). The Plants of Pennsylvania. Philadelphia, PA, University of Pennsylvania Press (p. 682).
Wintergreen Species References:
Beatley, J. C. 1956. The winter-green herbaceous flowering plants of Ohio. The Ohio Journal of Science 56(6): 349-377.
Online Resources for Lepidium densiflorum:
Lepidium virginicum (Virginia Pepperweed)
Group: Plants
Type: Flowering Plants - Dicots
Family: Brassicaceae
Notes
Common Name: Virginia Pepperweed
Growth Habit: Forb/herb
Duration: Annual, Biennial, Perennial
Origin: Native to the conterminous United States
Year Noted: 2018
Dispersed By: Animals; General Zoochory; Human Activities; Rain (Assisted, i.e., ombrochory)
Allelopathic: Yes
General Floristic References:
Rhoads, A. F. and T. A. Block (2007). The Plants of Pennsylvania. Philadelphia, PA, University of Pennsylvania Press (p. 682).
Online Resources for Lepidium virginicum:
Microthlaspi perfoliatum (Claspleaf Pennycress)
Group: Plants
Type: Flowering Plants - Dicots
Family: Brassicaceae
Notes
Common Name: Claspleaf Pennycress
Growth Habit: Forb/herb
Duration: Annual
Origin: Not native to the conterminous United States
Year Noted: 2017
Dispersed By: Animals; Ballistic; General Zoochory; Human Activities; Rain (Assisted, i.e., ombrochory); Water
Online Resources for Microthlaspi perfoliatum:
Nasturtium officinale (Watercress)
Group: Plants
Type: Flowering Plants - Dicots
Family: Brassicaceae
Notes
Common Name: Watercress
Growth Habit: Forb/herb
Duration: Perennial
Origin: Not native to the conterminous United States
Years Noted: 1984; 2017-2020; 2024-2026
Northeast Wetland Status: OBL
Dispersed By: Animals; General Zoochory; Water
Winter-green Species: i.e., Is a species whose leaves develop in the fall and overwinter.
iNaturalist Observations from the GNA:
57796849 (Observed: 5/16/2019)
General Floristic References:
Block, T. A. and A. F. Rhoads (2011). Aquatic Plants of Pennsylvania. A Complete Reference Guide. Philadelphia, PA, University of Pennsylvania Press (p. 141).
Magee, D. W. (1981). Freshwater Wetlands: A Guide to Common Indicator Plants of the Northeast. Amherst, MA, University of Massachusetts Press (p. 147).
Wintergreen Species References:
Beatley, J. C. 1956. The winter-green herbaceous flowering plants of Ohio. The Ohio Journal of Science 56(6): 349-377.
Online Resources for Nasturtium officinale:
Images
Sisymbrium officinale (Hedgemustard)
Group: Plants
Type: Flowering Plants - Dicots
Family: Brassicaceae
Notes
Common Name: Hedgemustard
Growth Habit: Forb/herb
Duration: Annual
Origin: Not native to the conterminous United States
Year Noted: 1984
Dispersed By: Animals; General Zoochory; Human Activities; Rain (Assisted, i.e., ombrochory); Wind
Winter-green Species: i.e., Is a species whose leaves develop in the fall and overwinter.
Wintergreen Species References:
Beatley, J. C. 1956. The winter-green herbaceous flowering plants of Ohio. The Ohio Journal of Science 56(6): 349-377.
Online Resources for Sisymbrium officinale:
Thlaspi alliaceum (Roadside Pennycress)
Group: Plants
Type: Flowering Plants - Dicots
Family: Brassicaceae
Notes
Common Names: Roadside Pennycress; Garlic Penny-cress
Growth Habit: Forb/herb
Duration: Annual
Origin: Not native to the conterminous United States
Years Noted: 2017-2018; 2021-2022; 2024-2025
iNaturalist Observations from the GNA:
268420381 (Observed: 4/3/2025)
118452423 (Observed: 5/23/2022)
74773264 (Observed: 4/21/2021)
Online Resources for Thlaspi alliaceum:
Images
Thlaspi arvense (Field Pennycress)
Group: Plants
Type: Flowering Plants - Dicots
Family: Brassicaceae
Notes
Common Name: Field Pennycress
Growth Habit: Forb/herb
Duration: Annual
Origin: Not native to the conterminous United States
Years Noted: 2007; 2017; 2020; 2025
Dispersed By: Animals; Birds; General Zoochory; Human Activities; Rain (Assisted, i.e., ombrochory); Water; Wind
Winter-green Species: i.e., Is a species whose leaves develop in the fall and overwinter.
iNaturalist Observations from the GNA:
268405391 (Observed: 4/3/2025)
53101394 (Observed: 7/14/2020)
Wintergreen Species References:
Beatley, J. C. 1956. The winter-green herbaceous flowering plants of Ohio. The Ohio Journal of Science 56(6): 349-377.
Online Resources for Thlaspi arvense:
Pachysandra terminalis (Japanese Pachysandra)
Group: Plants
Type: Flowering Plants - Dicots
Family: Buxaceae
Notes
Common Name: Japanese Pachysandra
Growth Habit: Forb/herb, Subshrub
Duration: Perennial
Origin: Not native to the conterminous United States
Pennsylvania DCNR Invasive Plants Rating: Rank 3 — "Lesser Threat. Exotic plant species that spread in or near disturbed areas, and are not presently considered a major threat to undisturbed native plant communities."
Years Noted: 2007; 2016-2026
Deer Resistant: Yes
Winter-green Species: i.e., Is a species whose leaves develop in the fall and overwinter.
Wintergreen Species References:
Neufeld, H. S. and D. R. Young. 2003. Ecophysiology of the herbaceous layer in temperate deciduous forests. pp. 38-90. In: Gilliam, F. S. and M. R. Roberts (eds). The Herbaceous Layer in Forests of Eastern North America. Oxford University Press, New York, NY
Online Resources for Pachysandra terminalis:
Images
Callitriche heterophylla (Twoheaded Water-starwort)
Group: Plants
Type: Flowering Plants - Dicots
Family: Callitrichaceae
Notes
Common Name: Twoheaded Water-starwort
Growth Habit: Forb/herb
Duration: Annual, Perennial
Origin: Native to the conterminous United States
Years Noted: 1984; 2007; 2017-2018
Northeast Wetland Status: OBL
Winter-green Species: i.e., Is a species whose leaves develop in the fall and overwinter.
General Floristic References:
Block, T. A. and A. F. Rhoads (2011). Aquatic Plants of Pennsylvania. A Complete Reference Guide. Philadelphia, PA, University of Pennsylvania Press (p. 229).
Rhoads, A. F. and T. A. Block (2007). The Plants of Pennsylvania. Philadelphia, PA, University of Pennsylvania Press (p. 786).
Wintergreen Species References:
Beatley, J. C. 1956. The winter-green herbaceous flowering plants of Ohio. The Ohio Journal of Science 56(6): 349-377.
Online Resources for Callitriche heterophylla:
Images
Campanula aparinoides (Marsh Bellflower)
Group: Plants
Type: Flowering Plants - Dicots
Family: Campanulaceae
Notes
Common Name: Marsh Bellflower
Growth Habit: Forb/herb
Duration: Perennial
Origin: Native to the conterminous United States
Year Noted: 2017
Northeast Wetland Status: OBL
Deer Resistant: Yes
General Floristic References:
Magee, D. W. (1981). Freshwater Wetlands: A Guide to Common Indicator Plants of the Northeast. Amherst, MA, University of Massachusetts Press (p. 220).
Online Resources for Campanula aparinoides:
Lobelia inflata (Indian-tobacco)
Group: Plants
Type: Flowering Plants - Dicots
Family: Campanulaceae
Notes
Common Names: Indian-tobacco; Puke Weed
Growth Habit: Forb/herb
Duration: Annual
Origin: Native to the conterminous United States
Years Noted: 1984; 2004; 2007; 2018; 2020-2021; 2025
Dispersed By: Animals; Deer
Deer Resistant: Yes
iNaturalist Observations from the GNA:
300994876 (Observed: 7/25/2025)
94849486 (Observed: 9/10/2021)
57686666 (Observed: 8/26/2020)
General Floristic References:
Rhoads, A. F. and T. A. Block (2007). The Plants of Pennsylvania. Philadelphia, PA, University of Pennsylvania Press (p. 872).
Online Resources for Lobelia inflata:
Images
Lobelia siphilitica (Great Blue Lobelia)
Group: Plants
Type: Flowering Plants - Dicots
Family: Campanulaceae
Notes
Common Name: Great Blue Lobelia
Growth Habit: Forb/herb
Duration: Perennial
Origin: Native to the conterminous United States
Years Noted: 1984; 2007; 2016-2023; 2025
Northeast Wetland Status: FACW
Deer Resistant: Yes
Monarch Nectar Value: High (NRCS 2018b)
Also Listed As a Monarch Butterfly Plant In: Illinois Wildflowers; Pollinator.org
Listed as a "Bee Plant" By the Lady Bird Johnson Wildflower Center:
Native Bees; Bumble Bees; Supports Conservation Biological Control
Winter-green Species: i.e., Is a species whose leaves develop in the fall and overwinter.
iNaturalist Observations from the GNA:
319954013 (Observed: 9/9/2025)
92525143 (Observed: 8/25/2021)
32197451 (Observed: 9/5/2019)
57181263 (Observed: 8/20/2020)
58274717 (Observed: 9/1/2020)
General Floristic References:
Rhoads, A. F. and T. A. Block (2007). The Plants of Pennsylvania. Philadelphia, PA, University of Pennsylvania Press (p. 873).
Monarch Butterfly References
Illinois Wildflowers. 2022. Page for Danaus plexipes. Data Downloaded 8/17/22: http://www.illinoiswildflowers.info/flower_insects/insects/moths/danaus_plexippus.htm.
Natural Resource Conservation Service [NRCS] (ed). 2018b. Native Habitat Development for Pollinators, Honey Bees and Monarchs. Biology Jobsheet #16. Natural Resources Conservation Service, U.S. Department of Agriculture 6 pp.
Pollinator.org. 2022. https://www.pollinator.org/pollinator.org/assets/generalFiles/MonarchGardenPlants_170625_152424.pdf; File Accessed: 8-22-2022.
Wintergreen Species References:
Beatley, J. C. 1956. The winter-green herbaceous flowering plants of Ohio. The Ohio Journal of Science 56(6): 349-377.
Online Resources for Lobelia siphilitica:
Lady Bird Johnson Wildflower Center Plant Database
Images
Triodanis perfoliata (Clasping Venus Looking-glass)
Group: Plants
Type: Flowering Plants - Dicots
Family: Campanulaceae
Notes
Common Name: Clasping Venus' Looking-glass
Growth Habit: Forb/herb
Duration: Annual
Origin: Native to the conterminous United States
Year Noted: 1984
Deer Resistant: Yes
General Floristic References:
Rhoads, A. F. and T. A. Block (2007). The Plants of Pennsylvania. Philadelphia, PA, University of Pennsylvania Press (p. 871).
Online Resources for Triodanis perfoliata:
Humulus japonicus (Japanese Hop)
Group: Plants
Type: Flowering Plants - Dicots
Family: Cannabaceae
Notes
Common Name: Japanese Hop
Growth Habit: Vine, Forb/herb
Duration: Annual, Perennial
Origin: Not native to the conterminous United States
Pennsylvania DCNR Invasive Plants Rating: Rank 1 — "Severe Threat. Exotic plant species that possess characteristics of invasive species and spread easily into native plant communities and displace native vegetation. Includes species that are or could become widespread in Pennsylvania."
Years Noted: 1984; 2004; 2007; 2012; 2017-2025
iNaturalist Observations from the GNA:
310253742 (Observed: 8/30/2025)
39925190 (Observed: 9/30/2019)
57677974 (Observed: 8/26/2020)
Online Resources for Humulus japonicus:
Images
Lonicera japonica (Japanese Honeysuckle)
Group: Plants
Type: Flowering Plants - Dicots
Family: Caprifoliaceae
Notes
Common Name: Japanese Honeysuckle
Growth Habit: Vine
Duration: Perennial
Origin: Not native to the conterminous United States
Pennsylvania DCNR Invasive Plants Rating: Rank 1 — "Severe Threat. Exotic plant species that possess characteristics of invasive species and spread easily into native plant communities and displace native vegetation. Includes species that are or could become widespread in Pennsylvania."
Years Noted: 1970; 1984; 1987; 1992; 1996; 1999; 2004; 2007-2009; 2011-2013; 2015-2026
iNaturalist Observations from the GNA:
39533008 (Observed: 2/25/2020)
34895358 (Observed: 7/9/2019)
40997396 (Observed: 3/29/2020)
49762313 (Observed: 6/15/2020)
62060383 (Observed: 10/8/2020)
Online Resources for Lonicera japonica:
Images
Lonicera maackii (Amur Honeysuckle)
Group: Plants
Type: Flowering Plants - Dicots
Family: Caprifoliaceae
Notes
Common Name: Amur Honeysuckle
Growth Habit: Shrub
Duration: Perennial
Origin: Not native to the conterminous United States
Pennsylvania DCNR Invasive Plants Rating: Rank 1 — "Severe Threat. Exotic plant species that possess characteristics of invasive species and spread easily into native plant communities and displace native vegetation. Includes species that are or could become widespread in Pennsylvania."
Years Noted: 1984; 2004; 2007-2014; 2016-2026
Allelopathic: Yes
Deer Resistant: Yes
iNaturalist Observations from the GNA:
310253648 (Observed: 8/30/2025)
183748186 (Observed: 8/31/2023)
97399674 (Observed: 10/6/2021)
Online Resources for Lonicera maackii:
Fire Effects Information System
Images
Lonicera morrowii (Morrows Honeysuckle)
Group: Plants
Type: Flowering Plants - Dicots
Family: Caprifoliaceae
Notes
Common Name: Morrow's Honeysuckle
Growth Habit: Shrub
Duration: Perennial
Origin: Not native to the conterminous United States
Pennsylvania DCNR Invasive Plants Rating: Rank 1 — "Severe Threat. Exotic plant species that possess characteristics of invasive species and spread easily into native plant communities and displace native vegetation. Includes species that are or could become widespread in Pennsylvania."
Years Noted: 1970-1971; 1984; 2007; 2018
Dispersed By: Birds
Online Resources for Lonicera morrowii:
Fire Effects Information System
Lonicera sempervirens (Trumpet Honeysuckle)
Group: Plants
Type: Flowering Plants - Dicots
Family: Caprifoliaceae
Notes
Common Name: Trumpet Honeysuckle
Growth Habit: Vine
Duration: Perennial
Origin: Native to the conterminous United States
Year Noted: 2007
Deer Resistant: Yes
General Floristic References:
Rhoads, A. F. and T. A. Block (2007). The Plants of Pennsylvania. Philadelphia, PA, University of Pennsylvania Press (p. 972).
Online Resources for Lonicera sempervirens:
Lady Bird Johnson Wildflower Center Plant Database
Lonicera standishii (Standishs Honeysuckle)
Group: Plants
Type: Flowering Plants - Dicots
Family: Caprifoliaceae
Notes
Common Name: Standish's Honeysuckle
Growth Habit: Shrub
Duration: Perennial
Origin: Not native to the conterminous United States
Pennsylvania DCNR Invasive Plants Rating: Rank 1 — "Severe Threat. Exotic plant species that possess characteristics of invasive species and spread easily into native plant communities and displace native vegetation. Includes species that are or could become widespread in Pennsylvania."
Year Noted: 1978
Online Resources for Lonicera standishii:
iNaturalist (for the synonym Lonicera fragrantissima)
Sambucus nigra ssp. canadensis (American Black Elderberry)
Group: Plants
Type: Flowering Plants - Dicots
Family: Caprifoliaceae
Notes
Common Name: American Black Elderberry
Growth Habit: Tree, Shrub
Duration: Perennial
Origin: Native to the conterminous United States
Synonyms: Sambucus canadensis L.Years Noted: 1970-1971; 1984; 2004; 2007; 2016-2018; 2020-2023; 2025
Dispersed By: Animals; Birds
Deer Resistant: Yes
Listed as a "Bee Plant" By the Lady Bird Johnson Wildflower Center:
Nesting Materials; Supports Conservation Biological Control
iNaturalist Observations from the GNA:
40998666 (Observed: 3/29/2020)
General Floristic References:
Magee, D. W. (1981). Freshwater Wetlands: A Guide to Common Indicator Plants of the Northeast. Amherst, MA, University of Massachusetts Press (p. 219).
Rhoads, A. F. and T. A. Block (2007). The Plants of Pennsylvania. Philadelphia, PA, University of Pennsylvania Press (p. 966).
Online Resources for Sambucus nigra ssp. canadensis:
iNaturalist (for the synonym Sambucus canadensis)
Lady Bird Johnson Wildflower Center Plant Database
Viburnum acerifolium (Mapleleaf Viburnum)
Group: Plants
Type: Flowering Plants - Dicots
Family: Caprifoliaceae
Notes
Common Name: Mapleleaf Viburnum
Growth Habit: Shrub, Subshrub
Duration: Perennial
Origin: Native to the conterminous United States
Years Noted: 1967; 1984; 2004; 2007; 2015-2025
Deer Resistant: Yes
Listed As a Monarch Butterfly Plant In: Galea et. al 2015
iNaturalist Observations from the GNA:
164700838 (Observed: 5/30/2023)
104468685 (Observed: 10/16/2021)
83681093 (Observed: 6/18/2021)
74365248 (Observed: 4/17/2021)
65099246 (Observed: 11/17/2020)
General Floristic References:
Magee, D. W. and H. E. Ahles (1999). Flora of the Northeast. A Manual of the Vascular Flora of New England and Adjacent New York. Amherst, MA, University of Massachusetts Press (p. 957).
Rhoads, A. F. and T. A. Block (2007). The Plants of Pennsylvania. Philadelphia, PA, University of Pennsylvania Press (p. 962).
Monarch Butterfly References
Galea, M., E. Cole, L. Davies Adams, and L. Stritch (eds). 2015. Conservation and Management of Monarch Butterflies A Land Manager’s Restoration Guide for the Eastern U.S. Pollinator Partnership and USDA Forest Service, San Francisco, CA. 27 pp.
Online Resources for Viburnum acerifolium:
Fire Effects Information System
Lady Bird Johnson Wildflower Center Plant Database
Images
Viburnum dentatum (Southern Arrowwood)
Group: Plants
Type: Flowering Plants - Dicots
Family: Caprifoliaceae
Notes
Common Name: Southern Arrowwood
Growth Habit: Tree, Shrub
Duration: Perennial
Origin: Native to the conterminous United States
Years Noted: 1967; 1984; 2004; 2007; 2015; 2017-2018; 2020
Deer Resistant: Yes
Listed As a Monarch Butterfly Plant In: Galea et. al 2015
Listed as a "Bee Plant" By the Lady Bird Johnson Wildflower Center:
Native Bees; Bumble Bees; Supports Conservation Biological Control
iNaturalist Observations from the GNA:
49763462 (Observed: 6/15/2020)
General Floristic References:
Magee, D. W. and H. E. Ahles (1999). Flora of the Northeast. A Manual of the Vascular Flora of New England and Adjacent New York. Amherst, MA, University of Massachusetts Press (p. 957).
Rhoads, A. F. and T. A. Block (2007). The Plants of Pennsylvania. Philadelphia, PA, University of Pennsylvania Press (p. 963).
Monarch Butterfly References
Galea, M., E. Cole, L. Davies Adams, and L. Stritch (eds). 2015. Conservation and Management of Monarch Butterflies A Land Manager’s Restoration Guide for the Eastern U.S. Pollinator Partnership and USDA Forest Service, San Francisco, CA. 27 pp.
Online Resources for Viburnum dentatum:
Lady Bird Johnson Wildflower Center Plant Database
Images
Viburnum dilatatum (Linden Arrowwood)
Group: Plants
Type: Flowering Plants - Dicots
Family: Caprifoliaceae
Notes
Common Name: Linden Arrowwood
Growth Habit: Shrub
Duration: Perennial
Origin: Not native to the conterminous United States
Pennsylvania DCNR Invasive Plants Rating: Rank 2 — "Significant Threat. Exotic plant species that possess characteristics of invasive species but are not presently considered to spread as easily and aggressively into native plant communities as those species listed as Rank 1."
Years Noted: 2004; 2007; 2009; 2017-2018; 2021-2022
iNaturalist Observations from the GNA:
310248323 (Observed: 8/30/2025)
133918860 (Observed: 6/1/2022)
99556907 (Observed: 10/19/2021)
52805734 (Observed: 9/15/2017)
General Floristic References:
Rhoads, A. F. and T. A. Block (2007). The Plants of Pennsylvania. Philadelphia, PA, University of Pennsylvania Press (p. 963).
Online Resources for Viburnum dilatatum:
Images
Viburnum opulus (European Cranberrybush)
Group: Plants
Type: Flowering Plants - Dicots
Family: Caprifoliaceae
Notes
Common Name: European Cranberrybush
Growth Habit: Tree, Shrub
Duration: Perennial
Origin: Not native to the conterminous United States
Pennsylvania DCNR Invasive Plants Rating: Rank 3 — "Lesser Threat. Exotic plant species that spread in or near disturbed areas, and are not presently considered a major threat to undisturbed native plant communities."
Years Noted: 2004; 2007; 2018
Dispersed By: Animals; Birds; General Zoochory; Water
Deer Resistant: Yes
Listed as a "Bee Plant" By the Lady Bird Johnson Wildflower Center:
Native Bees; Bumble Bees
General Floristic References:
Magee, D. W. and H. E. Ahles (1999). Flora of the Northeast. A Manual of the Vascular Flora of New England and Adjacent New York. Amherst, MA, University of Massachusetts Press (p. 957).
Rhoads, A. F. and T. A. Block (2007). The Plants of Pennsylvania. Philadelphia, PA, University of Pennsylvania Press (p. 965).
Online Resources for Viburnum opulus:
Lady Bird Johnson Wildflower Center Plant Database
Viburnum plicatum (Japanese Snowball)
Group: Plants
Type: Flowering Plants - Dicots
Family: Caprifoliaceae
Notes
Common Name: Japanese Snowball
Growth Habit: Shrub
Duration: Perennial
Origin: Not native to the conterminous United States
Pennsylvania DCNR Invasive Plants Rating: Rank 2 — "Significant Threat. Exotic plant species that possess characteristics of invasive species but are not presently considered to spread as easily and aggressively into native plant communities as those species listed as Rank 1."
Years Noted: 1978; 2007; 2017-2019; 2021; 2023
Deer Resistant: Yes
iNaturalist Observations from the GNA:
46023059 (Observed: 5/12/2020)
77656063 (Observed: 5/6/2021)
General Floristic References:
Magee, D. W. and H. E. Ahles (1999). Flora of the Northeast. A Manual of the Vascular Flora of New England and Adjacent New York. Amherst, MA, University of Massachusetts Press (p. 957).
Rhoads, A. F. and T. A. Block (2007). The Plants of Pennsylvania. Philadelphia, PA, University of Pennsylvania Press (p. 965).
Online Resources for Viburnum plicatum:
Images
Viburnum prunifolium (Blackhaw)
Group: Plants
Type: Flowering Plants - Dicots
Family: Caprifoliaceae
Notes
Common Name: Blackhaw
Growth Habit: Tree, Shrub
Duration: Perennial
Origin: Native to the conterminous United States
Years Noted: 1967; 1970-1971; 1984; 2004; 2007; 2009; 2011; 2016-2024
Dispersed By: Birds
Deer Resistant: Yes
Listed As a Monarch Butterfly Plant In: Pollinator.org
Listed as a "Bee Plant" By the Lady Bird Johnson Wildflower Center:
Native Bees; Bumble Bees; Supports Conservation Biological Control
iNaturalist Observations from the GNA:
235561521 (Observed: 8/13/2024)
156596679 (Observed: 4/25/2023)
130150061 (Observed: 8/9/2022)
99653146 (Observed: 10/28/2021)
99629281 (Observed: 10/28/2021)
45211674 (Observed: 5/7/2020)
53788712 (Observed: 7/20/2020)
General Floristic References:
Magee, D. W. and H. E. Ahles (1999). Flora of the Northeast. A Manual of the Vascular Flora of New England and Adjacent New York. Amherst, MA, University of Massachusetts Press (p. 957).
Rhoads, A. F. and T. A. Block (2005). Trees of Pennsylvania. A Complete Reference Guide. Philadelphia, PA, University of Pennsylvania Press (p. 56-57).
Rhoads, A. F. and T. A. Block (2007). The Plants of Pennsylvania. Philadelphia, PA, University of Pennsylvania Press (p. 965).
Monarch Butterfly References
Pollinator.org. 2022. https://www.pollinator.org/pollinator.org/assets/generalFiles/MonarchGardenPlants_170625_152424.pdf; File Accessed: 8-22-2022.
Online Resources for Viburnum prunifolium:
Lady Bird Johnson Wildflower Center Plant Database
Images
Viburnum setigerum (Tea Viburnum)
Group: Plants
Type: Flowering Plants - Dicots
Family: Caprifoliaceae
Notes
Common Name: Tea Viburnum
Growth Habit: Shrub
Duration: Perennial
Origin: Not native to the conterminous United States
Year Noted: 2017
General Floristic References:
Rhoads, A. F. and T. A. Block (2007). The Plants of Pennsylvania. Philadelphia, PA, University of Pennsylvania Press (p. 966).
Online Resources for Viburnum setigerum:
Viburnum sieboldii (Siebolds Arrowwood)
Group: Plants
Type: Flowering Plants - Dicots
Family: Caprifoliaceae
Notes
Common Name: Siebold's Arrowwood
Growth Habit: Tree, Shrub
Duration: Perennial
Origin: Not native to the conterminous United States
Pennsylvania DCNR Invasive Plants Rating: Rank 2 — "Significant Threat. Exotic plant species that possess characteristics of invasive species but are not presently considered to spread as easily and aggressively into native plant communities as those species listed as Rank 1."
Years Noted: 2007; 2017-2018; 2022; 2025
iNaturalist Observations from the GNA:
130149132 (Observed: 8/9/2022)
General Floristic References:
Magee, D. W. and H. E. Ahles (1999). Flora of the Northeast. A Manual of the Vascular Flora of New England and Adjacent New York. Amherst, MA, University of Massachusetts Press (p. 957).
Rhoads, A. F. and T. A. Block (2007). The Plants of Pennsylvania. Philadelphia, PA, University of Pennsylvania Press (p. 966).
Online Resources for Viburnum sieboldii:
Arenaria serpyllifolia (Thymeleaf Sandwort)
Group: Plants
Type: Flowering Plants - Dicots
Family: Caryophyllaceae
Notes
Common Name: Thymeleaf Sandwort
Growth Habit: Forb/herb
Duration: Annual
Origin: Not native to the conterminous United States
Year Noted: 2007
Dispersed By: Animals; Human Activities; Water; Wind
Winter-green Species: i.e., Is a species whose leaves develop in the fall and overwinter.
General Floristic References:
Rhoads, A. F. and T. A. Block (2007). The Plants of Pennsylvania. Philadelphia, PA, University of Pennsylvania Press (p. 460).
Wintergreen Species References:
Beatley, J. C. 1956. The winter-green herbaceous flowering plants of Ohio. The Ohio Journal of Science 56(6): 349-377.
Online Resources for Arenaria serpyllifolia:
Cerastium fontanum (Common Mouse-ear Chickweed)
Group: Plants
Type: Flowering Plants - Dicots
Family: Caryophyllaceae
Notes
Common Name: Common Mouse-ear Chickweed
Growth Habit: Forb/herb
Duration: Biennial, Perennial
Origin: Not native to the conterminous United States
Synonyms: Cerastium holosteoides auct. non Fr.Years Noted: 1984; 2007; 2017
Dispersed By: Animals; Deer; General Zoochory; Human Activities; Water
Online Resources for Cerastium fontanum:
Cerastium glomeratum (Sticky Chickweed)
Group: Plants
Type: Flowering Plants - Dicots
Family: Caryophyllaceae
Notes
Common Name: Sticky Chickweed
Growth Habit: Forb/herb
Duration: Annual
Origin: Not native to the conterminous United States
Years Noted: 2007; 2017-2018
Dispersed By: Animals; Birds; Dispersal Unassisted; General Zoochory; Human Activities; Water; Wind
Online Resources for Cerastium glomeratum:
Cerastium nutans (Nodding Chickweed)
Group: Plants
Type: Flowering Plants - Dicots
Family: Caryophyllaceae
Notes
Common Name: Nodding Chickweed
Growth Habit: Forb/herb
Duration: Annual, Perennial
Origin: Native to the conterminous United States
Year Noted: 1984
Winter-green Species: i.e., Is a species whose leaves develop in the fall and overwinter.
General Floristic References:
Rhoads, A. F. and T. A. Block (2007). The Plants of Pennsylvania. Philadelphia, PA, University of Pennsylvania Press (p. 462).
Wintergreen Species References:
Beatley, J. C. 1956. The winter-green herbaceous flowering plants of Ohio. The Ohio Journal of Science 56(6): 349-377.
Online Resources for Cerastium nutans:
Dianthus armeria (Deptford Pink)
Group: Plants
Type: Flowering Plants - Dicots
Family: Caryophyllaceae
Notes
Common Name: Deptford Pink
Growth Habit: Forb/herb
Duration: Annual, Biennial
Origin: Not native to the conterminous United States
Years Noted: 1984; 2007; 2023; 2025
Winter-green Species: i.e., Is a species whose leaves develop in the fall and overwinter.
Wintergreen Species References:
Beatley, J. C. 1956. The winter-green herbaceous flowering plants of Ohio. The Ohio Journal of Science 56(6): 349-377.
Online Resources for Dianthus armeria:
Paronychia canadensis (Smooth Forked Nailwort)
Group: Plants
Type: Flowering Plants - Dicots
Family: Caryophyllaceae
Notes
Common Name: Smooth Forked Nailwort
Growth Habit: Forb/herb
Duration: Annual
Origin: Native to the conterminous United States
Year Noted: 1984
General Floristic References:
Rhoads, A. F. and T. A. Block (2007). The Plants of Pennsylvania. Philadelphia, PA, University of Pennsylvania Press (p. 456).
Online Resources for Paronychia canadensis:
Silene antirrhina (Sleepy Silene)
Group: Plants
Type: Flowering Plants - Dicots
Family: Caryophyllaceae
Notes
Common Name: Sleepy Silene
Growth Habit: Forb/herb
Duration: Annual
Origin: Native to the conterminous United States
Year Noted: 2017
Online Resources for Silene antirrhina:
Silene latifolia (Bladder Campion)
Group: Plants
Type: Flowering Plants - Dicots
Family: Caryophyllaceae
Notes
Common Name: Bladder Campion
Growth Habit: Forb/herb
Duration: Biennial, Perennial
Origin: Not native to the conterminous United States
Synonyms: Silene alba MillYears Noted: 1967; 1969-2000; 2004; 2007; 2009; 2011; 2017-2018; 2020
Dispersed By: Animals; Birds; General Zoochory; Wind
iNaturalist Observations from the GNA:
50584608 (Observed: 6/22/2020)
58280489 (Observed: 9/1/2020)
Online Resources for Silene latifolia:
Images
Silene stellata (Widowsfrill)
Group: Plants
Type: Flowering Plants - Dicots
Family: Caryophyllaceae
Notes
Common Name: Widowsfrill
Growth Habit: Forb/herb
Duration: Perennial
Origin: Native to the conterminous United States
Years Noted: 1984; 2007; 2017
Deer Resistant: Yes
General Floristic References:
Rhoads, A. F. and T. A. Block (2007). The Plants of Pennsylvania. Philadelphia, PA, University of Pennsylvania Press (p. 468).
Online Resources for Silene stellata:
Lady Bird Johnson Wildflower Center Plant Database
Spergularia salina (Salt Sandspurry)
Group: Plants
Type: Flowering Plants - Dicots
Family: Caryophyllaceae
Notes
Common Name: Salt Sandspurry
Growth Habit: Forb/herb
Duration: Annual, Biennial, Perennial
Origin: Native to the conterminous United States
Year Noted: 2018
Dispersed By: Animals; General Zoochory; Human Activities; Water; Wind
Online Resources for Spergularia salina:
iNaturalist (for the synonym Spergularia marina)
Stellaria longifolia (Longleaf Starwort)
Group: Plants
Type: Flowering Plants - Dicots
Family: Caryophyllaceae
Notes
Common Name: Longleaf Starwort
Growth Habit: Forb/herb
Duration: Perennial
Origin: Native to the conterminous United States
Years Noted: 1984; 2007; 2017-2018
Winter-green Species: i.e., Is a species whose leaves develop in the fall and overwinter.
General Floristic References:
Rhoads, A. F. and T. A. Block (2007). The Plants of Pennsylvania. Philadelphia, PA, University of Pennsylvania Press (p. 464).
Wintergreen Species References:
Beatley, J. C. 1956. The winter-green herbaceous flowering plants of Ohio. The Ohio Journal of Science 56(6): 349-377.
Online Resources for Stellaria longifolia:
Stellaria media (Common Chickweed)
Group: Plants
Type: Flowering Plants - Dicots
Family: Caryophyllaceae
Notes
Common Name: Common Chickweed
Growth Habit: Forb/herb
Duration: Annual, Perennial
Origin: Not native to the conterminous United States
Pennsylvania DCNR Invasive Plants Rating: Rank 3 — "Lesser Threat. Exotic plant species that spread in or near disturbed areas, and are not presently considered a major threat to undisturbed native plant communities."
Years Noted: 1984; 2007; 2017-2018; 2023
Dispersed By: Agricultural Practices; Animals; Ants; Birds; Deer; Dispersal Unassisted; General Zoochory; Human Activities; Rain (Assisted, i.e., ombrochory); Water
Winter-green Species: i.e., Is a species whose leaves develop in the fall and overwinter.
iNaturalist Observations from the GNA:
146765753 (Observed: 1/11/2023)
Wintergreen Species References:
Beatley, J. C. 1956. The winter-green herbaceous flowering plants of Ohio. The Ohio Journal of Science 56(6): 349-377.
Online Resources for Stellaria media:
Celastrus orbiculatus (Oriental Bittersweet)
Group: Plants
Type: Flowering Plants - Dicots
Family: Celastraceae
Notes
Common Name: Oriental Bittersweet
Growth Habit: Vine
Duration: Perennial
Origin: Not native to the conterminous United States
Pennsylvania DCNR Invasive Plants Rating: Rank 1 — "Severe Threat. Exotic plant species that possess characteristics of invasive species and spread easily into native plant communities and displace native vegetation. Includes species that are or could become widespread in Pennsylvania."
Years Noted: 1970-1971; 1984; 1999; 2004; 2007-2009; 2011-2013; 2015-2025
Dispersed By: Birds
Allelopathic: Yes
Deer Resistant: Yes
iNaturalist Observations from the GNA:
65956800 (Observed: 11/24/2020)
Online Resources for Celastrus orbiculatus:
Fire Effects Information System
Images
Euonymus alatus (Burningbush)
Group: Plants
Type: Flowering Plants - Dicots
Family: Celastraceae
Notes
Common Name: Burningbush
Growth Habit: Shrub
Duration: Perennial
Origin: Not native to the conterminous United States
Pennsylvania DCNR Invasive Plants Rating: Rank 2 — "Significant Threat. Exotic plant species that possess characteristics of invasive species but are not presently considered to spread as easily and aggressively into native plant communities as those species listed as Rank 1."
Years Noted: 1984; 2004; 2007-2009; 2011; 2015-2026
Allelopathic: Yes
Deer Resistant: Yes
Online Resources for Euonymus alatus:
Fire Effects Information System
Images
Euonymus fortunei (Winter Creeper)
Group: Plants
Type: Flowering Plants - Dicots
Family: Celastraceae
Notes
Common Name: Winter Creeper
Growth Habit: Shrub
Duration: Perennial
Origin: Not native to the conterminous United States
Pennsylvania DCNR Invasive Plants Rating: Rank 2 — "Significant Threat. Exotic plant species that possess characteristics of invasive species but are not presently considered to spread as easily and aggressively into native plant communities as those species listed as Rank 1."
Years Noted: 2004; 2007; 2012; 2016-2026
iNaturalist Observations from the GNA:
319410388 (Observed: 9/4/2025)
98229990 (Observed: 10/11/2021)
71325867 (Observed: 3/22/2019)
Online Resources for Euonymus fortunei:
Images
Atriplex patula (Spear Saltbush)
Group: Plants
Type: Flowering Plants - Dicots
Family: Chenopodiaceae
Notes
Common Name: Spear Saltbush
Growth Habit: Forb/herb
Duration: Annual
Origin: Not native to the conterminous United States
Year Noted: 2017
Dispersed By: Animals; Birds; General Zoochory; Human Activities; Rain (Assisted, i.e., ombrochory); Water; Wind
General Floristic References:
Rhoads, A. F. and T. A. Block (2007). The Plants of Pennsylvania. Philadelphia, PA, University of Pennsylvania Press (p. 480).
Online Resources for Atriplex patula:
Chenopodium album (Lambsquarters)
Group: Plants
Type: Flowering Plants - Dicots
Family: Chenopodiaceae
Notes
Common Name: Lambsquarters
Growth Habit: Forb/herb
Duration: Annual
Origin: Not native to the conterminous United States
Years Noted: 1967-1972; 1984; 1994; 2004; 2007; 2013; 2016; 2018
Dispersed By: Animals; Birds; Deer; Dispersal Unassisted; General Zoochory; Human Activities; Mammals (non-bat); Rain (Assisted, i.e., ombrochory); Water
Deer Resistant: Yes
General Floristic References:
Rhoads, A. F. and T. A. Block (2007). The Plants of Pennsylvania. Philadelphia, PA, University of Pennsylvania Press (p. 477).
Online Resources for Chenopodium album:
Hypericum perforatum (Common St. Johnswort)
Group: Plants
Type: Flowering Plants - Dicots
Family: Clusiaceae
Notes
Common Name: Common St. Johnswort
Growth Habit: Forb/herb
Duration: Perennial
Origin: Not native to the conterminous United States
Years Noted: 1984; 2007; 2009
Dispersed By: Animals; Ants; Ballistic; General Zoochory; Human Activities; Water; Wind
Deer Resistant: Yes
General Floristic References:
Rhoads, A. F. and T. A. Block (2007). The Plants of Pennsylvania. Philadelphia, PA, University of Pennsylvania Press (p. 553).
Online Resources for Hypericum perforatum:
Fire Effects Information System
Hypericum prolificum (Shrubby St. Johns-Wort)
Group: Plants
Type: Flowering Plants - Dicots
Family: Clusiaceae
Notes
Common Name: Shrubby St. John's-Wort
Growth Habit: Shrub, Subshrub
Duration: Perennial
Origin: Native to the conterminous United States
Year Noted: 2022-2025
Deer Resistant: Yes
iNaturalist Observations from the GNA:
149996274 (Observed: 3/1/2023)
126369680 (Observed: 7/15/2022)
General Floristic References:
Dove, T. and G. Woolridge (2018). Essential Native Trees and Shrubs for the Eastern United States. Watertown, MA, Imagine Books (p. 222*).
Rhoads, A. F. and T. A. Block (2007). The Plants of Pennsylvania. Philadelphia, PA, University of Pennsylvania Press (p. 553).
Note: An asterisk after a page number signifys that the species is only mentioned on that page.
Online Resources for Hypericum prolificum:
Lady Bird Johnson Wildflower Center Plant Database
Images
Hypericum punctatum (Spotted St. Johnswort)
Group: Plants
Type: Flowering Plants - Dicots
Family: Clusiaceae
Notes
Common Name: Spotted St. Johnswort
Growth Habit: Forb/herb
Duration: Perennial
Origin: Native to the conterminous United States
Years Noted: 1984; 2007; 2017-2018; 2020-2024
Winter-green Species: i.e., Is a species whose leaves develop in the fall and overwinter.
iNaturalist Observations from the GNA:
174671828 (Observed: 7/21/2023)
126364917 (Observed: 7/15/2022)
123875832 (Observed: 6/27/2022)
85262594 (Observed: 7/1/2021)
57689252 (Observed: 8/26/2020)
58992591 (Observed: 9/8/2020)
General Floristic References:
Magee, D. W. (1981). Freshwater Wetlands: A Guide to Common Indicator Plants of the Northeast. Amherst, MA, University of Massachusetts Press (p. 130).
Rhoads, A. F. and T. A. Block (2007). The Plants of Pennsylvania. Philadelphia, PA, University of Pennsylvania Press (p. 553).
Wintergreen Species References:
Beatley, J. C. 1956. The winter-green herbaceous flowering plants of Ohio. The Ohio Journal of Science 56(6): 349-377.
Online Resources for Hypericum punctatum:
Images
Calystegia sepium (Hedge False Bindweed)
Group: Plants
Type: Flowering Plants - Dicots
Family: Convolvulaceae
Notes
Common Name: Hedge False Bindweed
Growth Habit: Forb/herb, Vine
Duration: Perennial
Origin: Undetermined
Years Noted: 1984; 2004; 2007; 2017-2018; 2020-2023; 2025
Dispersed By: Human Activities; Water
iNaturalist Observations from the GNA:
126377825 (Observed: 7/15/2022)
88173427 (Observed: 7/22/2021)
53782842 (Observed: 7/20/2020)
General Floristic References:
Rhoads, A. F. and T. A. Block (2007). The Plants of Pennsylvania. Philadelphia, PA, University of Pennsylvania Press (p. 843).
Online Resources for Calystegia sepium:
Images
Ipomoea purpurea (Common Morning-Glory)
Group: Plants
Type: Flowering Plants - Dicots
Family: Convolvulaceae
Notes
Common Names: Common Morning-Glory; Tall Morning-Glory
Growth Habit: Vine, Forb/herb
Duration: Annual
Origin: Not native to the conterminous United States
Year Noted: 2023
Dispersed By: Dispersal Unassisted
Deer Resistant: Yes
iNaturalist Observations from the GNA:
179858765 (Observed: 8/23/2023)
Online Resources for Ipomoea purpurea:
Cornus alternifolia (Alternateleaf Dogwood)
Group: Plants
Type: Flowering Plants - Dicots
Family: Cornaceae
Notes
Lenape Name: tuwchalakw. Note: The Lenape name is that which was used for the that genus of plants.
Common Name: Alternateleaf Dogwood
Growth Habit: Tree, Shrub
Duration: Perennial
Origin: Native to the conterminous United States
Years Noted: 1970; 1984; 2004; 2007; 2017-2023; 2025
Dispersed By: Birds; Mammals (non-bat)
Deer Resistant: Yes
Source for Lenape Name(s): delawaretribe.org/wp-content/uploads/Lenape-Names-of-Other-Trees.pdf
General Floristic References:
Rhoads, A. F. and T. A. Block (2005). Trees of Pennsylvania. A Complete Reference Guide. Philadelphia, PA, University of Pennsylvania Press (p. 97).
Rhoads, A. F. and T. A. Block (2007). The Plants of Pennsylvania. Philadelphia, PA, University of Pennsylvania Press (p. 716).
Online Resources for Cornus alternifolia:
Fire Effects Information System
Lady Bird Johnson Wildflower Center Plant Database
Images
Cornus amomum (Silky Dogwood)
Group: Plants
Type: Flowering Plants - Dicots
Family: Cornaceae
Notes
Lenape Name: tuwchalakw. Note: The Lenape name is that which was used for the that genus of plants.
Common Name: Silky Dogwood
Growth Habit: Shrub
Duration: Perennial
Origin: Native to the conterminous United States
Years Noted: 1984; 2004; 2007; 2017-2025
Dispersed By: Birds; Mammals (non-bat)
Bee Beneficial: Yes
Listed as a "Bee Plant" By the Lady Bird Johnson Wildflower Center:
Supports Conservation Biological Control
iNaturalist Observations from the GNA:
123258472 (Observed: 6/24/2022)
83939658 (Observed: 6/21/2021)
84357761 (Observed: 6/24/2021)
58994006 (Observed: 9/8/2020)
Source for Lenape Name(s): delawaretribe.org/wp-content/uploads/Lenape-Names-of-Other-Trees.pdf
General Floristic References:
Magee, D. W. (1981). Freshwater Wetlands: A Guide to Common Indicator Plants of the Northeast. Amherst, MA, University of Massachusetts Press (p. 188).
Rhoads, A. F. and T. A. Block (2007). The Plants of Pennsylvania. Philadelphia, PA, University of Pennsylvania Press (p. 716).
Online Resources for Cornus amomum:
Lady Bird Johnson Wildflower Center Plant Database
Images
Cornus florida (Flowering Dogwood)
Group: Plants
Type: Flowering Plants - Dicots
Family: Cornaceae
Notes
Lenape Name: tuwchalakw. Note: The Lenape name is that which was used for the that genus of plants.
Common Name: Flowering Dogwood
Growth Habit: Tree, Shrub
Duration: Perennial
Origin: Native to the conterminous United States
Years Noted: 1965; 1967; 1970-1971; 1984; 1992; 2004-2005; 2007-2008; 2010-2011; 2013; 2015-2025
Dispersed By: Birds
Listed as a "Bee Plant" By the Lady Bird Johnson Wildflower Center:
Native Bees; Supports Conservation Biological Control
iNaturalist Observations from the GNA:
310254563 (Observed: 8/30/2025)
76516160 (Observed: 4/29/2021)
Source for Lenape Name(s): delawaretribe.org/wp-content/uploads/Lenape-Names-of-Other-Trees.pdf
General Floristic References:
Dove, T. and G. Woolridge (2018). Essential Native Trees and Shrubs for the Eastern United States. Watertown, MA, Imagine Books (p. 86).
Rhoads, A. F. and T. A. Block (2005). Trees of Pennsylvania. A Complete Reference Guide. Philadelphia, PA, University of Pennsylvania Press (p. 95).
Rhoads, A. F. and T. A. Block (2007). The Plants of Pennsylvania. Philadelphia, PA, University of Pennsylvania Press (p. 716).
Online Resources for Cornus florida:
Fire Effects Information System
Lady Bird Johnson Wildflower Center Plant Database
Images
Nyssa sylvatica (Black Tupelo)
Group: Plants
Type: Flowering Plants - Dicots
Family: Cornaceae
Notes
Common Names: Black Tupelo; Blackgum
Growth Habit: Tree
Duration: Perennial
Origin: Native to the conterminous United States
Years Noted: 1965; 1967; 1970-1971; 1984; 2002; 2004; 2007-2008; 2010; 2013; 2015-2026
Dispersed By: Birds
Bee Beneficial: Yes
Listed as a "Bee Plant" By the Lady Bird Johnson Wildflower Center:
Honey Bees
iNaturalist Observations from the GNA:
213194478 (Observed: 5/2/2024)
General Floristic References:
Dove, T. and G. Woolridge (2018). Essential Native Trees and Shrubs for the Eastern United States. Watertown, MA, Imagine Books (p. 120).
Magee, D. W. (1981). Freshwater Wetlands: A Guide to Common Indicator Plants of the Northeast. Amherst, MA, University of Massachusetts Press (p. 177).
Rhoads, A. F. and T. A. Block (2005). Trees of Pennsylvania. A Complete Reference Guide. Philadelphia, PA, University of Pennsylvania Press (p. 54-55).
Rhoads, A. F. and T. A. Block (2007). The Plants of Pennsylvania. Philadelphia, PA, University of Pennsylvania Press (p. 718).
Online Resources for Nyssa sylvatica:
Fire Effects Information System
Lady Bird Johnson Wildflower Center Plant Database
Images
Penthorum sedoides (Ditch Stonecrop)
Group: Plants
Type: Flowering Plants - Dicots
Family: Crassulaceae
Notes
Common Name: Ditch Stonecrop
Growth Habit: Forb/herb
Duration: Perennial
Origin: Native to the conterminous United States
Years Noted: 1984; 2007; 2018; 2022
Northeast Wetland Status: OBL
iNaturalist Observations from the GNA:
137048137 (Observed: 9/30/2022)
General Floristic References:
Magee, D. W. (1981). Freshwater Wetlands: A Guide to Common Indicator Plants of the Northeast. Amherst, MA, University of Massachusetts Press (p. 151).
Rhoads, A. F. and T. A. Block (2007). The Plants of Pennsylvania. Philadelphia, PA, University of Pennsylvania Press (p. 491).
Online Resources for Penthorum sedoides:
Images
Sedum sarmentosum (Stringy Stonecrop)
Group: Plants
Type: Flowering Plants - Dicots
Family: Crassulaceae
Notes
Common Name: Stringy Stonecrop
Growth Habit: Forb/herb
Duration: Perennial
Origin: Not native to the conterminous United States
Years Noted: 2018; 2020; 2023; 2025
Notes: One population noted: at the base of the Route 202 ramp at the eastern edge of the GNA.
iNaturalist Observations from the GNA:
41776018 (Observed: 4/9/2020)
Online Resources for Sedum sarmentosum:
Images
Sedum ternatum (Woodland Stonecrop)
Group: Plants
Type: Flowering Plants - Dicots
Family: Crassulaceae
Notes
Common Name: Woodland Stonecrop
Growth Habit: Forb/herb
Duration: Perennial
Origin: Native to the conterminous United States
Years Noted: 1984; 2007; 2016-2025
Deer Resistant: Yes
Winter-green Species: i.e., Is a species whose leaves develop in the fall and overwinter.
iNaturalist Observations from the GNA:
146845575 (Observed: 1/18/2023)
77874697 (Observed: 5/7/2021)
40101718 (Observed: 3/16/2020)
45018999 (Observed: 5/5/2020)
54858689 (Observed: 7/30/2020)
General Floristic References:
Rhoads, A. F. and T. A. Block (2007). The Plants of Pennsylvania. Philadelphia, PA, University of Pennsylvania Press (p. 490).
Wintergreen Species References:
Beatley, J. C. 1956. The winter-green herbaceous flowering plants of Ohio. The Ohio Journal of Science 56(6): 349-377.
Online Resources for Sedum ternatum:
Lady Bird Johnson Wildflower Center Plant Database
Images
Echinocystis lobata (Wild Cucumber)
Group: Plants
Type: Flowering Plants - Dicots
Family: Cucurbitaceae
Notes
Common Name: Wild Cucumber
Growth Habit: Vine, Forb/herb
Duration: Annual
Origin: Native to the conterminous United States
Years Noted: 1984; 2022
Dispersed By: Animals; Birds; Water
iNaturalist Observations from the GNA:
132848661 (Observed: 8/29/2022)
General Floristic References:
Rhoads, A. F. and T. A. Block (2007). The Plants of Pennsylvania. Philadelphia, PA, University of Pennsylvania Press (p. 566).
Online Resources for Echinocystis lobata:
Images
Sicyos angulatus (Oneseed Bur Cucumber)
Group: Plants
Type: Flowering Plants - Dicots
Family: Cucurbitaceae
Notes
Common Name: Oneseed Bur Cucumber
Growth Habit: Forb/herb, Vine
Duration: Annual
Origin: Native to the conterminous United States
Years Noted: 1984; 1993-1995; 2004; 2007; 2012; 2017-2018; 2022
General Floristic References:
Rhoads, A. F. and T. A. Block (2007). The Plants of Pennsylvania. Philadelphia, PA, University of Pennsylvania Press (p. 567).
Online Resources for Sicyos angulatus:
Images
Cuscuta gronovii (Scaldweed)
Group: Plants
Type: Flowering Plants - Dicots
Family: Cuscutaceae
Notes
Common Name: Scaldweed
Growth Habit: Forb/herb, Vine
Duration: Perennial
Origin: Native to the conterminous United States
Years Noted: 1984; 2007; 2017-2018; 2025
Dispersed By: Water
iNaturalist Observations from the GNA:
296320711 (Observed: 7/8/2025)
General Floristic References:
Rhoads, A. F. and T. A. Block (2007). The Plants of Pennsylvania. Philadelphia, PA, University of Pennsylvania Press (p. 841).
Online Resources for Cuscuta gronovii:
Images
Dipsacus fullonum (Fullers Teasel)
Group: Plants
Type: Flowering Plants - Dicots
Family: Dipsacaceae
Notes
Common Name: Fuller's Teasel
Growth Habit: Forb/herb
Duration: Biennial
Origin: Not native to the conterminous United States
Year Noted: 2019-2025
Dispersed By: Animals; Birds; General Zoochory; Water
Listed As a Monarch Butterfly Plant In: Illinois Wildflowers
iNaturalist Observations from the GNA:
108329682 (Observed: 3/10/2022)
88172861 (Observed: 7/22/2021)
83182844 (Observed: 6/14/2021)
57180106 (Observed: 8/20/2020)
59734041 (Observed: 9/15/2020)
Monarch Butterfly References
Illinois Wildflowers. 2022. Page for Danaus plexipes. Data Downloaded 8/17/22: http://www.illinoiswildflowers.info/flower_insects/insects/moths/danaus_plexippus.htm.
Online Resources for Dipsacus fullonum:
Fire Effects Information System
Images
Elaeagnus angustifolia (Russian Olive)
Group: Plants
Type: Flowering Plants - Dicots
Family: Elaeagnaceae
Notes
Common Name: Russian Olive
Growth Habit: Tree, Shrub
Duration: Perennial
Origin: Not native to the conterminous United States
Pennsylvania DCNR Invasive Plants Rating: Rank 2 — "Significant Threat. Exotic plant species that possess characteristics of invasive species but are not presently considered to spread as easily and aggressively into native plant communities as those species listed as Rank 1."
Year Noted: 1978
Dispersed By: Animals; Birds
Deer Resistant: Yes
Online Resources for Elaeagnus angustifolia:
Fire Effects Information System
Elaeagnus umbellata (Autumn Olive)
Group: Plants
Type: Flowering Plants - Dicots
Family: Elaeagnaceae
Notes
Common Name: Autumn Olive
Growth Habit: Shrub
Duration: Perennial
Origin: Not native to the conterminous United States
Pennsylvania DCNR Invasive Plants Rating: Rank 2 — "Significant Threat. Exotic plant species that possess characteristics of invasive species but are not presently considered to spread as easily and aggressively into native plant communities as those species listed as Rank 1."
Years Noted: 1984; 1991; 2004; 2007; 2009; 2012-2013; 2015-2026
Dispersed By: Animals; Birds; Deer
Deer Resistant: Yes
iNaturalist Observations from the GNA:
135114078 (Observed: 9/14/2022)
100877716 (Observed: 11/11/2021)
83936795 (Observed: 6/21/2021)
40103175 (Observed: 3/16/2020)
46766371 (Observed: 5/21/2020)
58989460 (Observed: 9/8/2020)
Online Resources for Elaeagnus umbellata:
Fire Effects Information System
Images
Lyonia ligustrina (Maleberry)
Group: Plants
Type: Flowering Plants - Dicots
Family: Ericaceae
Notes
Common Name: Maleberry
Growth Habit: Shrub
Duration: Perennial
Origin: Native to the conterminous United States
Year Noted: 1984
Deer Resistant: Yes
General Floristic References:
Rhoads, A. F. and T. A. Block (2007). The Plants of Pennsylvania. Philadelphia, PA, University of Pennsylvania Press (p. 742).
Online Resources for Lyonia ligustrina:
Fire Effects Information System
Rhododendron periclymenoides (Pinkster Bush)
Group: Plants
Type: Flowering Plants - Dicots
Family: Ericaceae
Notes
Common Names: Pinkster Bush; Pink Azalea
Growth Habit: Shrub
Duration: Perennial
Origin: Native to the conterminous United States
Years Noted: 1978; 1984; 2007; 2011; 2016-2020; 2022-2025
General Floristic References:
Rhoads, A. F. and T. A. Block (2007). The Plants of Pennsylvania. Philadelphia, PA, University of Pennsylvania Press (p. 740).
Online Resources for Rhododendron periclymenoides:
Fire Effects Information System
Lady Bird Johnson Wildflower Center Plant Database
Images
Acalypha rhomboidea (Common Threeseed Mercury)
Group: Plants
Type: Flowering Plants - Dicots
Family: Euphorbiaceae
Notes
Common Names: Common Threeseed Mercury; Common Copperleaf
Growth Habit: Forb/herb
Duration: Annual
Origin: Native to the conterminous United States
Years Noted: 1984; 2004; 2007; 2018; 2020
iNaturalist Observations from the GNA:
57678837 (Observed: 8/26/2020)
General Floristic References:
Rhoads, A. F. and T. A. Block (2007). The Plants of Pennsylvania. Philadelphia, PA, University of Pennsylvania Press (p. 557).
Online Resources for Acalypha rhomboidea:
Images
Acalypha virginica (Virginia Threeseed Mercury)
Group: Plants
Type: Flowering Plants - Dicots
Family: Euphorbiaceae
Notes
Common Name: Virginia Threeseed Mercury
Growth Habit: Forb/herb
Duration: Annual
Origin: Native to the conterminous United States
Year Noted: 2004
Dispersed By: Animals; Ants; Birds; General Zoochory
General Floristic References:
Rhoads, A. F. and T. A. Block (2007). The Plants of Pennsylvania. Philadelphia, PA, University of Pennsylvania Press (p. 557).
Online Resources for Acalypha virginica:
Chamaesyce maculata (Spotted Sandmat)
Group: Plants
Type: Flowering Plants - Dicots
Family: Euphorbiaceae
Notes
Common Name: Spotted Sandmat
Growth Habit: Forb/herb
Duration: Annual
Origin: Native to the conterminous United States
Years Noted: 2007; 2018
Dispersed By: Ants; Ballistic; Human Activities
Allelopathic: Yes
General Floristic References:
Rhoads, A. F. and T. A. Block (2007). The Plants of Pennsylvania. Philadelphia, PA, University of Pennsylvania Press (p. 562).
Online Resources for Chamaesyce maculata:
iNaturalist (for the synonym Euphorbia maculata)
Chamaesyce nutans (Eyebane)
Group: Plants
Type: Flowering Plants - Dicots
Family: Euphorbiaceae
Notes
Common Name: Eyebane
Growth Habit: Forb/herb
Duration: Annual, Perennial
Origin: Native to the conterminous United States
Synonyms: Euphorbia nutans Lag.Years Noted: 1984; 2007; 2018
General Floristic References:
Rhoads, A. F. and T. A. Block (2007). The Plants of Pennsylvania. Philadelphia, PA, University of Pennsylvania Press (p. 562).
Online Resources for Chamaesyce nutans:
iNaturalist (for the synonym Euphorbia nutans)
Albizia julibrissin (Silktree)
Group: Plants
Type: Flowering Plants - Dicots
Family: Fabaceae
Notes
Common Name: Silktree
Growth Habit: Tree, Shrub
Duration: Perennial
Origin: Not native to the conterminous United States
Pennsylvania DCNR Invasive Plants Rating: Rank 2 — "Significant Threat. Exotic plant species that possess characteristics of invasive species but are not presently considered to spread as easily and aggressively into native plant communities as those species listed as Rank 1."
Years Noted: 2004; 2007; 2019-2022; 2024
Dispersed By: Wind
Allelopathic: Yes
Deer Resistant: Yes
iNaturalist Observations from the GNA:
81415929 (Observed: 6/2/2021)
53100910 (Observed: 7/14/2020)
General Floristic References:
Rhoads, A. F. and T. A. Block (2005). Trees of Pennsylvania. A Complete Reference Guide. Philadelphia, PA, University of Pennsylvania Press (p. 203-205).
Rhoads, A. F. and T. A. Block (2007). The Plants of Pennsylvania. Philadelphia, PA, University of Pennsylvania Press (p. 574).
Online Resources for Albizia julibrissin:
Fire Effects Information System
Images
Amphicarpaea bracteata (American Hogpeanut)
Group: Plants
Type: Flowering Plants - Dicots
Family: Fabaceae
Notes
Common Name: American Hogpeanut
Growth Habit: Vine, Forb/herb
Duration: Annual, Perennial
Origin: Native to the conterminous United States
Years Noted: 1984; 2004; 2007-2009; 2011; 2013-2014; 2016-2025
Dispersed By: Dispersal Prevented
iNaturalist Observations from the GNA:
310255191 (Observed: 8/30/2025)
32484853 (Observed: 9/10/2019)
58542708 (Observed: 9/4/2020)
General Floristic References:
Rhoads, A. F. and T. A. Block (2007). The Plants of Pennsylvania. Philadelphia, PA, University of Pennsylvania Press (p. 586).
Online Resources for Amphicarpaea bracteata:
Images
Cercis canadensis (Eastern Redbud)
Group: Plants
Type: Flowering Plants - Dicots
Family: Fabaceae
Notes
Lenape Name: nènèskakw.
Common Name: Eastern Redbud
Growth Habit: Tree, Shrub
Duration: Perennial
Origin: Native to the conterminous United States
Years Noted: 1984; 2004; 2008; 2013; 2016; 2020-2021; 2025
Deer Resistant: Yes
Listed as a "Bee Plant" By the Lady Bird Johnson Wildflower Center:
Native Bees; Bumble Bees; Nesting Materials
iNaturalist Observations from the GNA:
271105623 (Observed: 4/16/2025)
41947504 (Observed: 4/11/2020)
85480520 (Observed: 6/12/2021)
Source for Lenape Name(s): delawaretribe.org/wp-content/uploads/Lenape-Names-of-Other-Trees.pdf
General Floristic References:
Dove, T. and G. Woolridge (2018). Essential Native Trees and Shrubs for the Eastern United States. Watertown, MA, Imagine Books (p. 74).
Rhoads, A. F. and T. A. Block (2005). Trees of Pennsylvania. A Complete Reference Guide. Philadelphia, PA, University of Pennsylvania Press (p. 291-292).
Rhoads, A. F. and T. A. Block (2007). The Plants of Pennsylvania. Philadelphia, PA, University of Pennsylvania Press (p. 571).
Online Resources for Cercis canadensis:
Fire Effects Information System
Lady Bird Johnson Wildflower Center Plant Database
Chamaecrista nictitans (Sensitive Partridge Pea)
Group: Plants
Type: Flowering Plants - Dicots
Family: Fabaceae
Notes
Common Name: Sensitive Partridge Pea
Growth Habit: Subshrub, Forb/herb
Duration: Annual, Perennial
Origin: Native to the conterminous United States
Synonyms: Cassia nictitans L.Year Noted: 1984
General Floristic References:
Rhoads, A. F. and T. A. Block (2007). The Plants of Pennsylvania. Philadelphia, PA, University of Pennsylvania Press (p. 572).
Online Resources for Chamaecrista nictitans:
Desmodium glabellum (Tall Tick-Trefoil)
Group: Plants
Type: Flowering Plants - Dicots
Family: Fabaceae
Notes
Common Names: Tall Tick-Trefoil; Dillenius' Ticktrefoil
Growth Habit: Forb/herb
Duration: Perennial
Origin: Native to the conterminous United States
Year Noted: 2020
iNaturalist Observations from the GNA:
56446898 (Observed: 8/14/2020)
Online Resources for Desmodium glabellum:
Desmodium glutinosum (Pointedleaf Ticktrefoil)
Group: Plants
Type: Flowering Plants - Dicots
Family: Fabaceae
Notes
Common Name: Pointedleaf Ticktrefoil
Growth Habit: Forb/herb
Duration: Perennial
Origin: Native to the conterminous United States
Years Noted: 1984; 2007; 2016-2018
General Floristic References:
Rhoads, A. F. and T. A. Block (2007). The Plants of Pennsylvania. Philadelphia, PA, University of Pennsylvania Press (p. 580).
Online Resources for Desmodium glutinosum:
iNaturalist (for the synonym Hylodesmum glutinosum)
Images
Desmodium nudiflorum (Naked-flowered Tick-Trefoil)
Group: Plants
Type: Flowering Plants - Dicots
Family: Fabaceae
Notes
Common Name: Naked-flowered Tick-Trefoil
Growth Habit: Forb/herb
Duration: Perennial
Origin: Native to the conterminous United States
Years Noted: 1984; 2004; 2007; 2016-2018; 2023
General Floristic References:
Rhoads, A. F. and T. A. Block (2007). The Plants of Pennsylvania. Philadelphia, PA, University of Pennsylvania Press (p. 581).
Online Resources for Desmodium nudiflorum:
iNaturalist (for the synonym Hylodesmum nudiflorum)
Desmodium paniculatum (Panicledleaf Ticktrefoil)
Group: Plants
Type: Flowering Plants - Dicots
Family: Fabaceae
Notes
Common Name: Panicledleaf Ticktrefoil
Growth Habit: Forb/herb
Duration: Perennial
Origin: Native to the conterminous United States
Years Noted: 1984; 2004; 2007
General Floristic References:
Rhoads, A. F. and T. A. Block (2007). The Plants of Pennsylvania. Philadelphia, PA, University of Pennsylvania Press (p. 581).
Online Resources for Desmodium paniculatum:
Desmodium perplexum (Perplexed Ticktrefoil)
Group: Plants
Type: Flowering Plants - Dicots
Family: Fabaceae
Notes
Common Name: Perplexed Ticktrefoil
Growth Habit: Forb/herb
Duration: Perennial
Origin: Native to the conterminous United States
Years Noted: 1984; 2007; 2016-2017; 2020
General Floristic References:
Rhoads, A. F. and T. A. Block (2007). The Plants of Pennsylvania. Philadelphia, PA, University of Pennsylvania Press (p. 582).
Online Resources for Desmodium perplexum:
Images
Gleditsia triacanthos (Honeylocust)
Group: Plants
Type: Flowering Plants - Dicots
Family: Fabaceae
Notes
Lenape Name: kawënshuwik.
Common Name: Honeylocust
Growth Habit: Shrub, Tree
Duration: Perennial
Origin: Native to the conterminous United States
Years Noted: 2004; 2007; 2009; 2017-2020; 2025
Dispersed By: Animals; Mammals (non-bat)
Allelopathic: Yes
Deer Resistant: Yes
iNaturalist Observations from the GNA:
312463671 (Observed: 9/8/2025)
309082628 (Observed: 8/25/2025)
34479284 (Observed: 10/16/2019)
61141964 (Observed: 9/28/2020)
Source for Lenape Name(s): delawaretribe.org/wp-content/uploads/Lenape-Names-of-Other-Trees.pdf
General Floristic References:
Rhoads, A. F. and T. A. Block (2005). Trees of Pennsylvania. A Complete Reference Guide. Philadelphia, PA, University of Pennsylvania Press (p. 152-154).
Rhoads, A. F. and T. A. Block (2007). The Plants of Pennsylvania. Philadelphia, PA, University of Pennsylvania Press (p. 572).
Online Resources for Gleditsia triacanthos:
Fire Effects Information System
Lady Bird Johnson Wildflower Center Plant Database
Images
Lespedeza repens (Creeping Lespedeza)
Group: Plants
Type: Flowering Plants - Dicots
Family: Fabaceae
Notes
Common Name: Creeping Lespedeza
Growth Habit: Forb/herb
Duration: Perennial
Origin: Native to the conterminous United States
Year Noted: 1984
General Floristic References:
Rhoads, A. F. and T. A. Block (2007). The Plants of Pennsylvania. Philadelphia, PA, University of Pennsylvania Press (p. 584).
Online Resources for Lespedeza repens:
Lespedeza violacea (Violet Lespedeza)
Group: Plants
Type: Flowering Plants - Dicots
Family: Fabaceae
Notes
Common Name: Violet Lespedeza
Growth Habit: Forb/herb
Duration: Perennial
Origin: Native to the conterminous United States
Synonyms: Lespedeza intermedia sensu ClewellYears Noted: 1984; 2007
General Floristic References:
Rhoads, A. F. and T. A. Block (2007). The Plants of Pennsylvania. Philadelphia, PA, University of Pennsylvania Press (p. 584).
Online Resources for Lespedeza violacea:
Lotus corniculatus (Birds-foot Trefoil)
Group: Plants
Type: Flowering Plants - Dicots
Family: Fabaceae
Notes
Common Name: Bird's-foot Trefoil
Growth Habit: Forb/herb
Duration: Perennial
Origin: Not native to the conterminous United States
Year Noted: 2004
Dispersed By: Animals; Ballistic; Deer; General Zoochory; Water
Online Resources for Lotus corniculatus:
Medicago lupulina (Black Medick)
Group: Plants
Type: Flowering Plants - Dicots
Family: Fabaceae
Notes
Common Name: Black Medick
Growth Habit: Forb/herb
Duration: Annual, Perennial
Origin: Not native to the conterminous United States
Years Noted: 1984; 2007; 2018
Dispersed By: Animals; Birds; Deer; General Zoochory; Water
Winter-green Species: i.e., Is a species whose leaves develop in the fall and overwinter.
Wintergreen Species References:
Beatley, J. C. 1956. The winter-green herbaceous flowering plants of Ohio. The Ohio Journal of Science 56(6): 349-377.
Online Resources for Medicago lupulina:
Melilotus officinalis (Sweetclover)
Group: Plants
Type: Flowering Plants - Dicots
Family: Fabaceae
Notes
Common Name: Sweetclover
Growth Habit: Forb/herb
Duration: Annual, Biennial, Perennial
Origin: Not native to the conterminous United States
Years Noted: 1984; 2007
Dispersed By: Animals; Deer; General Zoochory; Human Activities; Water; Wind
Allelopathic: Yes
Listed As a Monarch Butterfly Plant In: Illinois Wildflowers
Monarch Butterfly References
Illinois Wildflowers. 2022. Page for Danaus plexipes. Data Downloaded 8/17/22: http://www.illinoiswildflowers.info/flower_insects/insects/moths/danaus_plexippus.htm.
Online Resources for Melilotus officinalis:
Robinia pseudoacacia (Black Locust)
Group: Plants
Type: Flowering Plants - Dicots
Family: Fabaceae
Notes
Lenape Name: pitëlais.
Common Name: Black Locust
Growth Habit: Tree
Duration: Perennial
Origin: Native to the conterminous United States
Years Noted: 1984; 1987; 1992; 1996; 1999-2000; 2002; 2004-2005; 2007-2009; 2012-2014; 2016-2026
Dispersed By: Dispersal Unassisted
Allelopathic: Yes
Deer Resistant: Yes
Listed As a Monarch Butterfly Plant In: Illinois Wildflowers
Listed as a "Bee Plant" By the Lady Bird Johnson Wildflower Center:
Native Bees; Honey Bees
iNaturalist Observations from the GNA:
61140403 (Observed: 9/28/2020)
Source for Lenape Name(s): delawaretribe.org/wp-content/uploads/Lenape-Names-of-Other-Trees.pdf
General Floristic References:
Rhoads, A. F. and T. A. Block (2005). Trees of Pennsylvania. A Complete Reference Guide. Philadelphia, PA, University of Pennsylvania Press (p. 169-171).
Rhoads, A. F. and T. A. Block (2007). The Plants of Pennsylvania. Philadelphia, PA, University of Pennsylvania Press (p. 589).
Monarch Butterfly References
Illinois Wildflowers. 2022. Page for Danaus plexipes. Data Downloaded 8/17/22: http://www.illinoiswildflowers.info/flower_insects/insects/moths/danaus_plexippus.htm.
Online Resources for Robinia pseudoacacia:
Fire Effects Information System
Lady Bird Johnson Wildflower Center Plant Database
Images
Securigera varia (Crownvetch)
Group: Plants
Type: Flowering Plants - Dicots
Family: Fabaceae
Notes
Common Name: Crownvetch
Growth Habit: Forb/herb, Vine
Duration: Perennial
Origin: Not native to the conterminous United States
Pennsylvania DCNR Invasive Plants Rating: Rank 2 — "Significant Threat. Exotic plant species that possess characteristics of invasive species but are not presently considered to spread as easily and aggressively into native plant communities as those species listed as Rank 1."
Synonyms: Coronilla varia L.Years Noted: 1984; 2004; 2007; 2011; 2017-2020; 2022
Dispersed By: Animals; Deer
Allelopathic: Yes
iNaturalist Observations from the GNA:
50585448 (Observed: 6/22/2020)
Online Resources for Securigera varia:
Images
Trifolium aureum (Golden Clover)
Group: Plants
Type: Flowering Plants - Dicots
Family: Fabaceae
Notes
Common Name: Golden Clover
Growth Habit: Forb/herb
Duration: Annual, Biennial
Origin: Not native to the conterminous United States
Years Noted: 2004; 2007
Dispersed By: Animals; General Zoochory; Water; Wind
Online Resources for Trifolium aureum:
Trifolium campestre (Field Clover)
Group: Plants
Type: Flowering Plants - Dicots
Family: Fabaceae
Notes
Common Name: Field Clover
Growth Habit: Forb/herb
Duration: Annual, Biennial
Origin: Not native to the conterminous United States
Years Noted: 2007; 2018
Dispersed By: Animals; General Zoochory; Rain (Assisted, i.e., ombrochory); Water; Wind
Online Resources for Trifolium campestre:
Trifolium hybridum (Alsike Clover)
Group: Plants
Type: Flowering Plants - Dicots
Family: Fabaceae
Notes
Common Name: Alsike Clover
Growth Habit: Forb/herb
Duration: Annual, Perennial
Origin: Not native to the conterminous United States
Years Noted: 1984; 2007
Dispersed By: Animals; General Zoochory; Human Activities; Water
Winter-green Species: i.e., Is a species whose leaves develop in the fall and overwinter.
Wintergreen Species References:
Beatley, J. C. 1956. The winter-green herbaceous flowering plants of Ohio. The Ohio Journal of Science 56(6): 349-377.
Online Resources for Trifolium hybridum:
Trifolium pratense (Red Clover)
Group: Plants
Type: Flowering Plants - Dicots
Family: Fabaceae
Notes
Common Name: Red Clover
Growth Habit: Forb/herb
Duration: Biennial, Perennial
Origin: Not native to the conterminous United States
Years Noted: 1984; 2004; 2007; 2018; 2020
Dispersed By: Animals; Deer; General Zoochory; Water; Wind
Listed As a Monarch Butterfly Plant In: Illinois Wildflowers
Winter-green Species: i.e., Is a species whose leaves develop in the fall and overwinter.
iNaturalist Observations from the GNA:
57683057 (Observed: 8/26/2020)
Monarch Butterfly References
Illinois Wildflowers. 2022. Page for Danaus plexipes. Data Downloaded 8/17/22: http://www.illinoiswildflowers.info/flower_insects/insects/moths/danaus_plexippus.htm.
Wintergreen Species References:
Beatley, J. C. 1956. The winter-green herbaceous flowering plants of Ohio. The Ohio Journal of Science 56(6): 349-377.
Online Resources for Trifolium pratense:
Images
Trifolium repens (White Clover)
Group: Plants
Type: Flowering Plants - Dicots
Family: Fabaceae
Notes
Common Name: White Clover
Growth Habit: Forb/herb
Duration: Perennial
Origin: Not native to the conterminous United States
Years Noted: 1984; 2004; 2007; 2017-2018
Dispersed By: Animals; Animals (Accidental); Birds; Deer; Dispersal Unassisted; General Zoochory; Human Activities; Mammals (non-bat); Rain (Assisted, i.e., ombrochory); Water
Listed As a Monarch Butterfly Plant In: Illinois Wildflowers
Winter-green Species: i.e., Is a species whose leaves develop in the fall and overwinter.
Monarch Butterfly References
Illinois Wildflowers. 2022. Page for Danaus plexipes. Data Downloaded 8/17/22: http://www.illinoiswildflowers.info/flower_insects/insects/moths/danaus_plexippus.htm.
Wintergreen Species References:
Beatley, J. C. 1956. The winter-green herbaceous flowering plants of Ohio. The Ohio Journal of Science 56(6): 349-377.
Online Resources for Trifolium repens:
Fire Effects Information System
Vicia sativa (Garden Vetch)
Group: Plants
Type: Flowering Plants - Dicots
Family: Fabaceae
Notes
Common Name: Garden Vetch
Growth Habit: Vine, Forb/herb
Duration: Annual
Origin: Not native to the conterminous United States
Years Noted: 2007; 2017
Dispersed By: Animals; Ballistic
Winter-green Species: i.e., Is a species whose leaves develop in the fall and overwinter.
Wintergreen Species References:
Beatley, J. C. 1956. The winter-green herbaceous flowering plants of Ohio. The Ohio Journal of Science 56(6): 349-377.
Online Resources for Vicia sativa:
Vicia tetrasperma (Lentil Vetch)
Group: Plants
Type: Flowering Plants - Dicots
Family: Fabaceae
Notes
Common Name: Lentil Vetch
Growth Habit: Vine, Forb/herb
Duration: Annual
Origin: Not native to the conterminous United States
Years Noted: 2007; 2018
Dispersed By: Animals; Ants; Ballistic; Deer; Human Activities; Water
Online Resources for Vicia tetrasperma:
Castanea dentata (American Chestnut)
Group: Plants
Type: Flowering Plants - Dicots
Family: Fagaceae
Notes
Common Name: American Chestnut
Growth Habit: Tree
Duration: Perennial
Origin: Native to the conterminous United States
Years Noted: 1971; 1978; 1984; 2007; 2017
Dispersed By: Animals; Mammals (non-bat)
Notes: Traits that characterize American Chestnut Buds and Stems (from the American Chestnut Foundation Website - https://acf.org/resources/identification/chinese-american-chestnuts/, Date Accessed: 4/5/2023): \"Pointed buds that angle away from the stem; Stems smooth and hairless; Stem color reddish brown to dark green' Small but numerous lenticels on stem.\"
General Floristic References:
Rhoads, A. F. and T. A. Block (2005). Trees of Pennsylvania. A Complete Reference Guide. Philadelphia, PA, University of Pennsylvania Press (p. 79-81).
Rhoads, A. F. and T. A. Block (2007). The Plants of Pennsylvania. Philadelphia, PA, University of Pennsylvania Press (p. 597).
Online Resources for Castanea dentata:
Lady Bird Johnson Wildflower Center Plant Database
Images
Castanea mollissima (Chinese Chestnut)
Group: Plants
Type: Flowering Plants - Dicots
Family: Fagaceae
Notes
Common Name: Chinese Chestnut
Growth Habit: Tree
Duration: Perennial
Origin: Not native to the conterminous United States
Years Noted: 1990; 2023
iNaturalist Observations from the GNA:
151054916 (Observed: 3/13/2023)
General Floristic References:
Rhoads, A. F. and T. A. Block (2005). Trees of Pennsylvania. A Complete Reference Guide. Philadelphia, PA, University of Pennsylvania Press (p. 82).
Online Resources for Castanea mollissima:
Images
Fagus grandifolia (American Beech)
Group: Plants
Type: Flowering Plants - Dicots
Family: Fagaceae
Notes
Common Name: American Beech
Growth Habit: Tree
Duration: Perennial
Origin: Native to the conterminous United States
Years Noted: 1965; 1967; 1970-1971; 1984; 1992; 2002; 2004; 2007-2010; 2013-2026
Dispersed By: Mammals (non-bat)
Deer Resistant: Yes
iNaturalist Observations from the GNA:
310254089 (Observed: 8/30/2025)
183748155 (Observed: 8/31/2023)
154740945 (Observed: 4/13/2023)
94210489 (Observed: 9/2/2021)
69810886 (Observed: 10/4/2019)
General Floristic References:
Rhoads, A. F. and T. A. Block (2005). Trees of Pennsylvania. A Complete Reference Guide. Philadelphia, PA, University of Pennsylvania Press (p. 41-43).
Rhoads, A. F. and T. A. Block (2007). The Plants of Pennsylvania. Philadelphia, PA, University of Pennsylvania Press (p. 598).
Online Resources for Fagus grandifolia:
Fire Effects Information System
Lady Bird Johnson Wildflower Center Plant Database
Images
Quercus acutissima (Sawtooth Oak)
Group: Plants
Type: Flowering Plants - Dicots
Family: Fagaceae
Notes
Common Name: Sawtooth Oak
Growth Habit: Tree
Duration: Perennial
Origin: Not native to the conterminous United States
Pennsylvania DCNR Invasive Plants Rating: Watch List — "Exotic plant species that are severe problems in surrounding states but have not been widely reported in Pennsylvania, OR may naturalize and become a problem in the future and require more monitoring."
Year Noted: 2012
General Floristic References:
Rhoads, A. F. and T. A. Block (2005). Trees of Pennsylvania. A Complete Reference Guide. Philadelphia, PA, University of Pennsylvania Press (p. 232-233).
Online Resources for Quercus acutissima:
Quercus alba (White Oak)
Group: Plants
Type: Flowering Plants - Dicots
Family: Fagaceae
Notes
Common Name: White Oak
Growth Habit: Tree
Duration: Perennial
Origin: Native to the conterminous United States
Years Noted: 1965; 1967; 1970-1971; 1984; 2002; 2004; 2007-2008; 2010; 2013-2023
Allelopathic: Yes
General Floristic References:
Dove, T. and G. Woolridge (2018). Essential Native Trees and Shrubs for the Eastern United States. Watertown, MA, Imagine Books (p. 144).
Rhoads, A. F. and T. A. Block (2005). Trees of Pennsylvania. A Complete Reference Guide. Philadelphia, PA, University of Pennsylvania Press (p. 223-224).
Rhoads, A. F. and T. A. Block (2007). The Plants of Pennsylvania. Philadelphia, PA, University of Pennsylvania Press (p. 600).
Online Resources for Quercus alba:
Fire Effects Information System
Lady Bird Johnson Wildflower Center Plant Database
Quercus bicolor (Swamp White Oak)
Group: Plants
Type: Flowering Plants - Dicots
Family: Fagaceae
Notes
Common Name: Swamp White Oak
Growth Habit: Tree
Duration: Perennial
Origin: Native to the conterminous United States
Years Noted: 2008; 2013; 2016; 2023
Northeast Wetland Status: FACW
iNaturalist Observations from the GNA:
163847308 (Observed: 5/26/2023)
General Floristic References:
Dove, T. and G. Woolridge (2018). Essential Native Trees and Shrubs for the Eastern United States. Watertown, MA, Imagine Books (p. 146).
Magee, D. W. (1981). Freshwater Wetlands: A Guide to Common Indicator Plants of the Northeast. Amherst, MA, University of Massachusetts Press (p. 122).
Rhoads, A. F. and T. A. Block (2005). Trees of Pennsylvania. A Complete Reference Guide. Philadelphia, PA, University of Pennsylvania Press (p. 222-223).
Rhoads, A. F. and T. A. Block (2007). The Plants of Pennsylvania. Philadelphia, PA, University of Pennsylvania Press (p. 600).
Online Resources for Quercus bicolor:
Fire Effects Information System
Lady Bird Johnson Wildflower Center Plant Database
Quercus coccinea (Scarlet Oak)
Group: Plants
Type: Flowering Plants - Dicots
Family: Fagaceae
Notes
Common Name: Scarlet Oak
Growth Habit: Tree
Duration: Perennial
Origin: Native to the conterminous United States
Years Noted: 1967; 2007; 2018
General Floristic References:
Dove, T. and G. Woolridge (2018). Essential Native Trees and Shrubs for the Eastern United States. Watertown, MA, Imagine Books (p. 147).
Rhoads, A. F. and T. A. Block (2005). Trees of Pennsylvania. A Complete Reference Guide. Philadelphia, PA, University of Pennsylvania Press (p. 223-224).
Rhoads, A. F. and T. A. Block (2007). The Plants of Pennsylvania. Philadelphia, PA, University of Pennsylvania Press (p. 600).
Online Resources for Quercus coccinea:
Fire Effects Information System
Lady Bird Johnson Wildflower Center Plant Database
Quercus palustris (Pin Oak)
Group: Plants
Type: Flowering Plants - Dicots
Family: Fagaceae
Notes
Common Name: Pin Oak
Growth Habit: Tree
Duration: Perennial
Origin: Native to the conterminous United States
Years Noted: 1984; 2004; 2007; 2017-2019; 2022
Dispersed By: Water
iNaturalist Observations from the GNA:
143956047 (Observed: 12/8/2022)
General Floristic References:
Magee, D. W. (1981). Freshwater Wetlands: A Guide to Common Indicator Plants of the Northeast. Amherst, MA, University of Massachusetts Press (p. 123).
Rhoads, A. F. and T. A. Block (2005). Trees of Pennsylvania. A Complete Reference Guide. Philadelphia, PA, University of Pennsylvania Press (p. 229-230).
Rhoads, A. F. and T. A. Block (2007). The Plants of Pennsylvania. Philadelphia, PA, University of Pennsylvania Press (p. 603).
Online Resources for Quercus palustris:
Fire Effects Information System
Lady Bird Johnson Wildflower Center Plant Database
Quercus rubra (Northern Red Oak)
Group: Plants
Type: Flowering Plants - Dicots
Family: Fagaceae
Notes
Lenape Name: wisahkakw.
Common Name: Northern Red Oak
Growth Habit: Tree
Duration: Perennial
Origin: Native to the conterminous United States
Years Noted: 1965; 1967; 1970-1971; 1984; 1992; 2002; 2004; 2007-2008; 2010; 2012-2014; 2016-2026
Dispersed By: Human Activities
Allelopathic: Yes
Source for Lenape Name(s): delawaretribe.org/wp-content/uploads/Lenape-Names-of-Other-Trees.pdf
General Floristic References:
Rhoads, A. F. and T. A. Block (2005). Trees of Pennsylvania. A Complete Reference Guide. Philadelphia, PA, University of Pennsylvania Press (p. 231-232).
Rhoads, A. F. and T. A. Block (2007). The Plants of Pennsylvania. Philadelphia, PA, University of Pennsylvania Press (p. 604).
Online Resources for Quercus rubra:
Fire Effects Information System
Lady Bird Johnson Wildflower Center Plant Database
Quercus velutina (Black Oak)
Group: Plants
Type: Flowering Plants - Dicots
Family: Fagaceae
Notes
Lenape Name: pahkamakw.
Common Name: Black Oak
Growth Habit: Tree
Duration: Perennial
Origin: Native to the conterminous United States
Years Noted: 1965; 1967; 1970-1971; 1984; 2002; 2004; 2007-2008; 2010; 2013; 2016-2018; 2020-2024
Source for Lenape Name(s): delawaretribe.org/wp-content/uploads/Lenape-Names-of-Other-Trees.pdf
General Floristic References:
Rhoads, A. F. and T. A. Block (2005). Trees of Pennsylvania. A Complete Reference Guide. Philadelphia, PA, University of Pennsylvania Press (p. 226-227).
Rhoads, A. F. and T. A. Block (2007). The Plants of Pennsylvania. Philadelphia, PA, University of Pennsylvania Press (p. 605).
Online Resources for Quercus velutina:
Fire Effects Information System
Lady Bird Johnson Wildflower Center Plant Database
Dicentra cucullaria (Dutchmans Breeches)
Group: Plants
Type: Flowering Plants - Dicots
Family: Fumariaceae
Notes
Common Name: Dutchman's Breeches
Growth Habit: Forb/herb
Duration: Perennial
Origin: Native to the conterminous United States
Years Noted: 2007; 2018
Dispersed By: Ants
Deer Resistant: Yes
General Floristic References:
Rhoads, A. F. and T. A. Block (2007). The Plants of Pennsylvania. Philadelphia, PA, University of Pennsylvania Press (p. 435).
Online Resources for Dicentra cucullaria:
Lady Bird Johnson Wildflower Center Plant Database
Images
Obolaria virginica (Virginia Pennywort)
Group: Plants
Type: Flowering Plants - Dicots
Family: Gentianaceae
Notes
Common Name: Virginia Pennywort
Growth Habit: Forb/herb
Duration: Perennial
Origin: Native to the conterminous United States
Years Noted: 1984; 2007; 2016-2025
Winter-green Species: i.e., Is a species whose leaves develop in the fall and overwinter.
iNaturalist Observations from the GNA:
270681366 (Observed: 4/15/2025)
103382139 (Observed: 12/15/2021)
40995765 (Observed: 3/29/2020)
41791905 (Observed: 4/9/2020)
72393991 (Observed: 3/29/2021)
General Floristic References:
Rhoads, A. F. and T. A. Block (2007). The Plants of Pennsylvania. Philadelphia, PA, University of Pennsylvania Press (p. 769).
Wintergreen Species References:
Beatley, J. C. 1956. The winter-green herbaceous flowering plants of Ohio. The Ohio Journal of Science 56(6): 349-377.
Online Resources for Obolaria virginica:
Images
Geranium carolinianum (Carolina Geranium)
Group: Plants
Type: Flowering Plants - Dicots
Family: Geraniaceae
Notes
Common Name: Carolina Geranium
Growth Habit: Forb/herb
Duration: Annual, Biennial
Origin: Native to the conterminous United States
Year Noted: 2017
Deer Resistant: Yes
Online Resources for Geranium carolinianum:
Geranium dissectum (Cutleaf Geranium)
Group: Plants
Type: Flowering Plants - Dicots
Family: Geraniaceae
Notes
Common Name: Cutleaf Geranium
Growth Habit: Forb/herb
Duration: Annual, Biennial
Origin: Not native to the conterminous United States
Year Noted: 2018
Dispersed By: Animals; Ballistic; General Zoochory; Human Activities
Deer Resistant: Yes
Online Resources for Geranium dissectum:
Geranium maculatum (Spotted Geranium)
Group: Plants
Type: Flowering Plants - Dicots
Family: Geraniaceae
Notes
Common Name: Spotted Geranium
Growth Habit: Forb/herb
Duration: Perennial
Origin: Native to the conterminous United States
Years Noted: 1984; 2004; 2007; 2009; 2011; 2016-2018; 2020-2023
Deer Resistant: Yes
Listed as a "Bee Plant" By the Lady Bird Johnson Wildflower Center:
Native Bees; Bumble Bees
iNaturalist Observations from the GNA:
77524061 (Observed: 5/3/2021)
General Floristic References:
Rhoads, A. F. and T. A. Block (2007). The Plants of Pennsylvania. Philadelphia, PA, University of Pennsylvania Press (p. 507).
Online Resources for Geranium maculatum:
Fire Effects Information System
Lady Bird Johnson Wildflower Center Plant Database
Images
Ribes (Currant)
Group: Plants
Type: Flowering Plants - Dicots
Family: Grossulariaceae
Notes
Common Name: Currant
Growth Habit: Shrub
Duration:
Origin: Undetermined
Year Noted: 2017-2018
Deer Resistant: Yes
Online Resources for Ribes:
Hamamelis virginiana (American Witchhazel)
Group: Plants
Type: Flowering Plants - Dicots
Family: Hamamelidaceae
Notes
Common Name: American Witchhazel
Growth Habit: Tree, Shrub
Duration: Perennial
Origin: Native to the conterminous United States
Years Noted: 1965; 1970; 1984; 1992; 2004; 2007-2008; 2010; 2013; 2016-2024
Dispersed By: Ballistic; Birds
Deer Resistant: Yes
iNaturalist Observations from the GNA:
140880305 (Observed: 10/20/2022)
63432533 (Observed: 10/24/2020)
General Floristic References:
Rhoads, A. F. and T. A. Block (2005). Trees of Pennsylvania. A Complete Reference Guide. Philadelphia, PA, University of Pennsylvania Press (p. 353-355).
Rhoads, A. F. and T. A. Block (2007). The Plants of Pennsylvania. Philadelphia, PA, University of Pennsylvania Press (p. 487).
Online Resources for Hamamelis virginiana:
Fire Effects Information System
Lady Bird Johnson Wildflower Center Plant Database
Images
Liquidambar styraciflua (Sweetgum)
Group: Plants
Type: Flowering Plants - Dicots
Family: Hamamelidaceae
Notes
Common Name: Sweetgum
Growth Habit: Tree
Duration: Perennial
Origin: Native to the conterminous United States
Year Noted: 2018-2025
Dispersed By: Wind
Notes: A single individual noted in the Gordon. Almost certainly introduced from nearby horticultural sources.
iNaturalist Observations from the GNA:
92405052 (Observed: 8/24/2021)
General Floristic References:
Dove, T. and G. Woolridge (2018). Essential Native Trees and Shrubs for the Eastern United States. Watertown, MA, Imagine Books (p. 105).
Rhoads, A. F. and T. A. Block (2005). Trees of Pennsylvania. A Complete Reference Guide. Philadelphia, PA, University of Pennsylvania Press (p. 322-324).
Online Resources for Liquidambar styraciflua:
Fire Effects Information System
Lady Bird Johnson Wildflower Center Plant Database
Images
Philadelphus (Mock Orange)
Group: Plants
Type: Flowering Plants - Dicots
Family: Hydrangeaceae
Notes
Common Name: Mock Orange
Growth Habit: Shrub
Duration:
Origin: Undetermined
Years Noted: 2007; 2018
Online Resources for Philadelphus:
Carya cordiformis (Bitternut Hickory)
Group: Plants
Type: Flowering Plants - Dicots
Family: Juglandaceae
Notes
Lenape Name: tìtpanimënshi (the name was not found in the Lenape Name Pronunciation Database; 12/14/2023).
Common Name: Bitternut Hickory
Growth Habit: Tree
Duration: Perennial
Origin: Native to the conterminous United States
Years Noted: 1992; 2004; 2007; 2009; 2017-2018; 2023-2024
Deer Resistant: Yes
iNaturalist Observations from the GNA:
226422465 (Observed: 6/28/2024)
Source for Lenape Name(s): delawaretribe.org/wp-content/uploads/Lenape-Names-of-Other-Trees.pdf
General Floristic References:
Rhoads, A. F. and T. A. Block (2005). Trees of Pennsylvania. A Complete Reference Guide. Philadelphia, PA, University of Pennsylvania Press (p. 139-140).
Rhoads, A. F. and T. A. Block (2007). The Plants of Pennsylvania. Philadelphia, PA, University of Pennsylvania Press (p. 607).
Online Resources for Carya cordiformis:
Fire Effects Information System
Lady Bird Johnson Wildflower Center Plant Database
Carya glabra (Pignut Hickory)
Group: Plants
Type: Flowering Plants - Dicots
Family: Juglandaceae
Notes
Common Name: Pignut Hickory
Growth Habit: Tree
Duration: Perennial
Origin: Native to the conterminous United States
Years Noted: 1984; 2002; 2004; 2007-2008; 2013-2014; 2016-2021; 2023
Deer Resistant: Yes
General Floristic References:
Rhoads, A. F. and T. A. Block (2005). Trees of Pennsylvania. A Complete Reference Guide. Philadelphia, PA, University of Pennsylvania Press (p. 143-144).
Rhoads, A. F. and T. A. Block (2007). The Plants of Pennsylvania. Philadelphia, PA, University of Pennsylvania Press (p. 608).
Online Resources for Carya glabra:
Fire Effects Information System
Lady Bird Johnson Wildflower Center Plant Database
Images
Carya ovalis (Red Hickory)
Group: Plants
Type: Flowering Plants - Dicots
Family: Juglandaceae
Notes
Common Name: Red Hickory
Growth Habit: Tree
Duration: Perennial
Origin: Native to the conterminous United States
Years Noted: 2007; 2018
Deer Resistant: Yes
General Floristic References:
Rhoads, A. F. and T. A. Block (2007). The Plants of Pennsylvania. Philadelphia, PA, University of Pennsylvania Press (p. 608).
Online Resources for Carya ovalis:
Carya ovata (Shagbark Hickory)
Group: Plants
Type: Flowering Plants - Dicots
Family: Juglandaceae
Notes
Common Name: Shagbark Hickory
Growth Habit: Tree
Duration: Perennial
Origin: Native to the conterminous United States
Years Noted: 1984; 1992; 2002; 2004; 2007-2008; 2010; 2013-2014; 2016-2026
Allelopathic: Yes
iNaturalist Observations from the GNA:
104421441 (Observed: 10/16/2021)
25467385 (Observed: 5/20/2019)
35098442 (Observed: 10/30/2019)
General Floristic References:
Dove, T. and G. Woolridge (2018). Essential Native Trees and Shrubs for the Eastern United States. Watertown, MA, Imagine Books (p. 65).
Rhoads, A. F. and T. A. Block (2005). Trees of Pennsylvania. A Complete Reference Guide. Philadelphia, PA, University of Pennsylvania Press (p. 144-146).
Rhoads, A. F. and T. A. Block (2007). The Plants of Pennsylvania. Philadelphia, PA, University of Pennsylvania Press (p. 608).
Online Resources for Carya ovata:
Fire Effects Information System
Lady Bird Johnson Wildflower Center Plant Database
Images
Carya tomentosa (Mockernut Hickory)
Group: Plants
Type: Flowering Plants - Dicots
Family: Juglandaceae
Notes
Common Name: Mockernut Hickory
Growth Habit: Tree
Duration: Perennial
Origin: Native to the conterminous United States
Synonyms: Carya alba (L.) NuttYears Noted: 1984; 2002; 2004; 2007-2008; 2010; 2013-2014; 2016-2018; 2023
Deer Resistant: Yes
iNaturalist Observations from the GNA:
156724978 (Observed: 4/25/2023)
General Floristic References:
Rhoads, A. F. and T. A. Block (2005). Trees of Pennsylvania. A Complete Reference Guide. Philadelphia, PA, University of Pennsylvania Press (p. 141-142).
Rhoads, A. F. and T. A. Block (2007). The Plants of Pennsylvania. Philadelphia, PA, University of Pennsylvania Press (p. 608).
Online Resources for Carya tomentosa:
Fire Effects Information System
Lady Bird Johnson Wildflower Center Plant Database
Juglans nigra (Black Walnut)
Group: Plants
Type: Flowering Plants - Dicots
Family: Juglandaceae
Notes
Common Name: Black Walnut
Growth Habit: Tree
Duration: Perennial
Origin: Native to the conterminous United States
Years Noted: 1971; 1984; 1996; 2000; 2002; 2004-2005; 2007-2008; 2012-2014; 2016-2020; 2022-2025
Allelopathic: Yes
Deer Resistant: Yes
iNaturalist Observations from the GNA:
310255675 (Observed: 8/30/2025)
General Floristic References:
Rhoads, A. F. and T. A. Block (2005). Trees of Pennsylvania. A Complete Reference Guide. Philadelphia, PA, University of Pennsylvania Press (p. 334-336).
Rhoads, A. F. and T. A. Block (2007). The Plants of Pennsylvania. Philadelphia, PA, University of Pennsylvania Press (p. 609).
Online Resources for Juglans nigra:
Fire Effects Information System
Lady Bird Johnson Wildflower Center Plant Database
Images
Agastache nepetoides (Yellow Giant Hyssop)
Group: Plants
Type: Flowering Plants - Dicots
Family: Lamiaceae
Notes
Common Name: Yellow Giant Hyssop
Growth Habit: Subshrub, Forb/herb
Duration: Perennial
Origin: Native to the conterminous United States
Year Noted: 1984
Deer Resistant: Yes
Listed As a Monarch Butterfly Plant In: Galea et. al 2015; Illinois Wildflowers
Listed as a "Bee Plant" By the Lady Bird Johnson Wildflower Center:
Native Bees; Bumble Bees; Supports Conservation Biological Control
General Floristic References:
Rhoads, A. F. and T. A. Block (2007). The Plants of Pennsylvania. Philadelphia, PA, University of Pennsylvania Press (p. 805).
Monarch Butterfly References
Galea, M., E. Cole, L. Davies Adams, and L. Stritch (eds). 2015. Conservation and Management of Monarch Butterflies A Land Manager’s Restoration Guide for the Eastern U.S. Pollinator Partnership and USDA Forest Service, San Francisco, CA. 27 pp.
Illinois Wildflowers. 2022. Page for Danaus plexipes. Data Downloaded 8/17/22: http://www.illinoiswildflowers.info/flower_insects/insects/moths/danaus_plexippus.htm.
Online Resources for Agastache nepetoides:
Lady Bird Johnson Wildflower Center Plant Database
Ajuga reptans (Carpet Bugleweed)
Group: Plants
Type: Flowering Plants - Dicots
Family: Lamiaceae
Notes
Common Names: Carpet Bugleweed; Common Bugle
Growth Habit: Forb/herb
Duration: Perennial
Origin: Not native to the conterminous United States
Year Noted: 2019-2020
Dispersed By: Ants
Deer Resistant: Yes
iNaturalist Observations from the GNA:
57571430 (Observed: 5/20/2019)
General Floristic References:
Rhoads, A. F. and T. A. Block (2007). The Plants of Pennsylvania. Philadelphia, PA, University of Pennsylvania Press (p. 822).
Online Resources for Ajuga reptans:
Images
Clinopodium vulgare (Wild Basil)
Group: Plants
Type: Flowering Plants - Dicots
Family: Lamiaceae
Notes
Common Name: Wild Basil
Growth Habit: Forb/herb
Duration: Perennial
Origin: Native to the conterminous United States
Synonyms: Satureja vulgaris (L.) FritschYears Noted: 1983-1984; 2007
Dispersed By: Animals; Birds; General Zoochory; Water
Allelopathic: Yes
General Floristic References:
Rhoads, A. F. and T. A. Block (2007). The Plants of Pennsylvania. Philadelphia, PA, University of Pennsylvania Press (p. 812).
Online Resources for Clinopodium vulgare:
Collinsonia canadensis (Richweed)
Group: Plants
Type: Flowering Plants - Dicots
Family: Lamiaceae
Notes
Common Names: Richweed; Citronella Horse Balm
Growth Habit: Forb/herb
Duration: Perennial
Origin: Native to the conterminous United States
Years Noted: 1984; 2004; 2007; 2009; 2015-2020; 2022-2025
iNaturalist Observations from the GNA:
334718887 (Observed: 6/18/2024)
135276037 (Observed: 9/16/2022)
57666421 (Observed: 8/26/2020)
General Floristic References:
Rhoads, A. F. and T. A. Block (2007). The Plants of Pennsylvania. Philadelphia, PA, University of Pennsylvania Press (p. 803).
Online Resources for Collinsonia canadensis:
Lady Bird Johnson Wildflower Center Plant Database
Images
Glechoma hederacea (Gill-over-the-ground)
Group: Plants
Type: Flowering Plants - Dicots
Family: Lamiaceae
Notes
Common Names: Gill-over-the-ground; Ground Ivy
Growth Habit: Forb/herb
Duration: Perennial
Origin: Not native to the conterminous United States
Years Noted: 1984; 2004; 2007; 2009; 2011; 2017-2025
Dispersed By: Animals; Ants; Human Activities; Water
Winter-green Species: i.e., Is a species whose leaves develop in the fall and overwinter.
iNaturalist Observations from the GNA:
270869081 (Observed: 4/16/2025)
268421016 (Observed: 4/3/2025)
154853801 (Observed: 4/14/2023)
110579811 (Observed: 4/5/2022)
74364367 (Observed: 4/17/2021)
42062097 (Observed: 4/12/2020)
General Floristic References:
Rhoads, A. F. and T. A. Block (2007). The Plants of Pennsylvania. Philadelphia, PA, University of Pennsylvania Press (p. 806).
Wintergreen Species References:
Beatley, J. C. 1956. The winter-green herbaceous flowering plants of Ohio. The Ohio Journal of Science 56(6): 349-377.
Online Resources for Glechoma hederacea:
Images
Hedeoma pulegioides (American False Pennyroyal)
Group: Plants
Type: Flowering Plants - Dicots
Family: Lamiaceae
Notes
Common Name: American False Pennyroyal
Growth Habit: Forb/herb
Duration: Annual
Origin: Native to the conterminous United States
Year Noted: 1984
General Floristic References:
Rhoads, A. F. and T. A. Block (2007). The Plants of Pennsylvania. Philadelphia, PA, University of Pennsylvania Press (p. 814).
Online Resources for Hedeoma pulegioides:
Lamium amplexicaule (Henbit Deadnettle)
Group: Plants
Type: Flowering Plants - Dicots
Family: Lamiaceae
Notes
Common Name: Henbit Deadnettle
Growth Habit: Forb/herb
Duration: Annual, Biennial
Origin: Not native to the conterminous United States
Year Noted: 1984
Dispersed By: Ants; Human Activities
Winter-green Species: i.e., Is a species whose leaves develop in the fall and overwinter.
Wintergreen Species References:
Beatley, J. C. 1956. The winter-green herbaceous flowering plants of Ohio. The Ohio Journal of Science 56(6): 349-377.
Online Resources for Lamium amplexicaule:
Lamium purpureum (Purple Deadnettle)
Group: Plants
Type: Flowering Plants - Dicots
Family: Lamiaceae
Notes
Common Name: Purple Deadnettle
Growth Habit: Forb/herb
Duration: Annual
Origin: Not native to the conterminous United States
Years Noted: 1984; 2008; 2016-2018; 2021
Dispersed By: Ants; Human Activities
Winter-green Species: i.e., Is a species whose leaves develop in the fall and overwinter.
iNaturalist Observations from the GNA:
74764961 (Observed: 4/21/2021)
Wintergreen Species References:
Beatley, J. C. 1956. The winter-green herbaceous flowering plants of Ohio. The Ohio Journal of Science 56(6): 349-377.
Online Resources for Lamium purpureum:
Images
Leonurus cardiaca (Common Motherwort)
Group: Plants
Type: Flowering Plants - Dicots
Family: Lamiaceae
Notes
Common Name: Common Motherwort
Growth Habit: Forb/herb
Duration: Perennial
Origin: Not native to the conterminous United States
Year Noted: 1984
Dispersed By: Animals; General Zoochory; Water
Winter-green Species: i.e., Is a species whose leaves develop in the fall and overwinter.
Wintergreen Species References:
Beatley, J. C. 1956. The winter-green herbaceous flowering plants of Ohio. The Ohio Journal of Science 56(6): 349-377.
Online Resources for Leonurus cardiaca:
Lycopus americanus (American Water Horehound)
Group: Plants
Type: Flowering Plants - Dicots
Family: Lamiaceae
Notes
Common Name: American Water Horehound
Growth Habit: Forb/herb
Duration: Perennial
Origin: Native to the conterminous United States
Years Noted: 2007; 2018
Northeast Wetland Status: OBL
Deer Resistant: Yes
General Floristic References:
Rhoads, A. F. and T. A. Block (2007). The Plants of Pennsylvania. Philadelphia, PA, University of Pennsylvania Press (p. 806).
Online Resources for Lycopus americanus:
Lycopus uniflorus (Northern Bugleweed)
Group: Plants
Type: Flowering Plants - Dicots
Family: Lamiaceae
Notes
Common Name: Northern Bugleweed
Growth Habit: Forb/herb
Duration: Perennial
Origin: Native to the conterminous United States
Years Noted: 1984; 2004; 2007; 2018; 2020
Northeast Wetland Status: OBL
iNaturalist Observations from the GNA:
56448483 (Observed: 8/14/2020)
General Floristic References:
Rhoads, A. F. and T. A. Block (2007). The Plants of Pennsylvania. Philadelphia, PA, University of Pennsylvania Press (p. 807).
Online Resources for Lycopus uniflorus:
Images
Lycopus virginicus (Virginia Water Horehound)
Group: Plants
Type: Flowering Plants - Dicots
Family: Lamiaceae
Notes
Common Name: Virginia Water Horehound
Growth Habit: Forb/herb
Duration: Perennial
Origin: Native to the conterminous United States
Years Noted: 2004; 2007; 2009; 2017-2018
Northeast Wetland Status: OBL
General Floristic References:
Magee, D. W. (1981). Freshwater Wetlands: A Guide to Common Indicator Plants of the Northeast. Amherst, MA, University of Massachusetts Press (p. 209).
Rhoads, A. F. and T. A. Block (2007). The Plants of Pennsylvania. Philadelphia, PA, University of Pennsylvania Press (p. 807).
Online Resources for Lycopus virginicus:
Images
Mentha ×piperita (Peppermint)
Group: Plants
Type: Flowering Plants - Dicots
Family: Lamiaceae
Notes
Common Name: Peppermint
Growth Habit: Forb/herb
Duration: Perennial
Origin: Native to the conterminous United States
Year Noted: 2020
Northeast Wetland Status: FACW
Notes: A single 'occurrence' noted. Growing along the PECO power line right-of-way.
iNaturalist Observations from the GNA:
57726281 (Observed: 8/26/2020)
General Floristic References:
Rhoads, A. F. and T. A. Block (2007). The Plants of Pennsylvania. Philadelphia, PA, University of Pennsylvania Press (p. 811).
Online Resources for Mentha ×piperita:
Images
Mentha arvensis (Corn Mint)
Group: Plants
Type: Flowering Plants - Dicots
Family: Lamiaceae
Notes
Common Names: Corn Mint; Wild Mint
Growth Habit: Forb/herb
Duration: Perennial
Origin: Native to the conterminous United States
Years Noted: 2007; 2018; 2020-2021; 2023-2024
Dispersed By: Animals; General Zoochory; Human Activities; Water
Bee Beneficial: Yes
Deer Resistant: Yes
Listed as a "Bee Plant" By the Lady Bird Johnson Wildflower Center:
Native Bees
iNaturalist Observations from the GNA:
173760484 (Observed: 7/19/2023)
52515616 (Observed: 7/9/2020)
General Floristic References:
Magee, D. W. (1981). Freshwater Wetlands: A Guide to Common Indicator Plants of the Northeast. Amherst, MA, University of Massachusetts Press (p. 210).
Rhoads, A. F. and T. A. Block (2007). The Plants of Pennsylvania. Philadelphia, PA, University of Pennsylvania Press (p. 810).
Online Resources for Mentha arvensis:
Images
Mentha spicata (Spearmint)
Group: Plants
Type: Flowering Plants - Dicots
Family: Lamiaceae
Notes
Common Name: Spearmint
Growth Habit: Forb/herb
Duration: Perennial
Origin: Not native to the conterminous United States
Years Noted: 2004; 2007; 2017; 2019; 2021-2022
Northeast Wetland Status: FACW
Dispersed By: Animals; General Zoochory; Human Activities; Water
Deer Resistant: Yes
iNaturalist Observations from the GNA:
90770688 (Observed: 8/10/2021)
Online Resources for Mentha spicata:
Monarda fistulosa (Wild Bergamot)
Group: Plants
Type: Flowering Plants - Dicots
Family: Lamiaceae
Notes
Common Name: Wild Bergamot
Growth Habit: Subshrub, Forb/herb
Duration: Perennial
Origin: Native to the conterminous United States
Year Noted: 2025
Deer Resistant: Yes
Monarch Butterfly Value: High (NRCS 2018a); Monarch Nectar Value: Very High (NRCS 2018b)
Also Listed As a Monarch Butterfly Plant In: Galea et. al 2015; Illinois Wildflowers; Pollinator.org; Xerces Society - Mid-Atlantic List; Xerces Society - Northeast List
iNaturalist Observations from the GNA:
296304518 (Observed: 7/8/2025)
General Floristic References:
Rhoads, A. F. and T. A. Block (2005). Trees of Pennsylvania. A Complete Reference Guide. Philadelphia, PA, University of Pennsylvania Press (p. 813).
Monarch Butterfly References
Galea, M., E. Cole, L. Davies Adams, and L. Stritch (eds). 2015. Conservation and Management of Monarch Butterflies A Land Manager’s Restoration Guide for the Eastern U.S. Pollinator Partnership and USDA Forest Service, San Francisco, CA. 27 pp.
Illinois Wildflowers. 2022. Page for Danaus plexipes. Data Downloaded 8/17/22: http://www.illinoiswildflowers.info/flower_insects/insects/moths/danaus_plexippus.htm.
Natural Resource Conservation Service [NRCS] (ed). 2018a. Important Plants of the Monarch Butterfly. Greater Appalachian Mountains Region Staff Guide. Natural Resources Conservation Service, U.S. Department of Agriculture 132 pp.
Natural Resource Conservation Service [NRCS] (ed). 2018b. Native Habitat Development for Pollinators, Honey Bees and Monarchs. Biology Jobsheet #16. Natural Resources Conservation Service, U.S. Department of Agriculture 6 pp.
Pollinator.org. 2022. https://www.pollinator.org/pollinator.org/assets/generalFiles/MonarchGardenPlants_170625_152424.pdf; File Accessed: 8-22-2022.
Xerces Society: Monarch Nectar Plants Mid-Atlantic. https://xerces.org/sites/default/files/2018-05/16-042_01_XercesSoc_MonarchNectarPlants_Mid-Atlantic_web-3page_0.pdf. File Accessed: 8-25-2022.
Xerces Society: Monarch Nectar Plants Northeast. https://xerces.org/sites/default/files/2018-05/16-044_01_XercesSoc_MonarchNectarPlants_Northeast_web-3page.pdf. File Accessed: 8-25-2022.
Online Resources for Monarda fistulosa:
Lady Bird Johnson Wildflower Center Plant Database
Nepeta cataria (Catnip)
Group: Plants
Type: Flowering Plants - Dicots
Family: Lamiaceae
Notes
Common Name: Catnip
Growth Habit: Forb/herb
Duration: Perennial
Origin: Not native to the conterminous United States
Year Noted: 2018
Dispersed By: Animals; Ants; Deer; General Zoochory; Human Activities
Deer Resistant: Yes
Online Resources for Nepeta cataria:
Perilla frutescens (Beefsteak Plant)
Group: Plants
Type: Flowering Plants - Dicots
Family: Lamiaceae
Notes
Common Name: Beefsteak Plant
Growth Habit: Forb/herb
Duration: Annual
Origin: Not native to the conterminous United States
Pennsylvania DCNR Invasive Plants Rating: Rank 2 — "Significant Threat. Exotic plant species that possess characteristics of invasive species but are not presently considered to spread as easily and aggressively into native plant communities as those species listed as Rank 1."
Years Noted: 2004; 2007; 2017-2018; 2020
Deer Resistant: Yes
Notes: Very common along roadsides and in other weedy 'edge' habitats.
iNaturalist Observations from the GNA:
310248510 (Observed: 8/30/2025)
57676580 (Observed: 8/26/2020)
60459745 (Observed: 9/22/2020)
Online Resources for Perilla frutescens:
Images
Prunella vulgaris (Common Selfheal)
Group: Plants
Type: Flowering Plants - Dicots
Family: Lamiaceae
Notes
Common Name: Common Selfheal
Growth Habit: Forb/herb
Duration: Perennial
Origin: Native to the conterminous United States
Years Noted: 1984; 2004; 2007; 2017-2018
Dispersed By: Animals; Ants; Birds; Deer; General Zoochory; Human Activities; Rain (Assisted, i.e., ombrochory); Water
Winter-green Species: i.e., Is a species whose leaves develop in the fall and overwinter.
General Floristic References:
Rhoads, A. F. and T. A. Block (2007). The Plants of Pennsylvania. Philadelphia, PA, University of Pennsylvania Press (p. 805).
Wintergreen Species References:
Beatley, J. C. 1956. The winter-green herbaceous flowering plants of Ohio. The Ohio Journal of Science 56(6): 349-377.
Online Resources for Prunella vulgaris:
Pycnanthemum tenuifolium (Narrowleaf Mountainmint)
Group: Plants
Type: Flowering Plants - Dicots
Family: Lamiaceae
Notes
Common Name: Narrowleaf Mountainmint
Growth Habit: Forb/herb
Duration: Perennial
Origin: Native to the conterminous United States
Year Noted: 1984
Deer Resistant: Yes
Monarch Butterfly Value: High (NRCS 2018a)
Also Listed As a Monarch Butterfly Plant In: Xerces Society - Mid-Atlantic List
Listed as a "Bee Plant" By the Lady Bird Johnson Wildflower Center:
Native Bees; Bumble Bees; Honey Bees; Supports Conservation Biological Control
General Floristic References:
Rhoads, A. F. and T. A. Block (2007). The Plants of Pennsylvania. Philadelphia, PA, University of Pennsylvania Press (p. 809).
Monarch Butterfly References
Natural Resource Conservation Service [NRCS] (ed). 2018a. Important Plants of the Monarch Butterfly. Greater Appalachian Mountains Region Staff Guide. Natural Resources Conservation Service, U.S. Department of Agriculture 132 pp.
Xerces Society: Monarch Nectar Plants Mid-Atlantic. https://xerces.org/sites/default/files/2018-05/16-042_01_XercesSoc_MonarchNectarPlants_Mid-Atlantic_web-3page_0.pdf. File Accessed: 8-25-2022.
Online Resources for Pycnanthemum tenuifolium:
Lady Bird Johnson Wildflower Center Plant Database
Pycnanthemum virginianum (Virginia Mountainmint)
Group: Plants
Type: Flowering Plants - Dicots
Family: Lamiaceae
Notes
Common Name: Virginia Mountainmint
Growth Habit: Forb/herb
Duration: Perennial
Origin: Native to the conterminous United States
Years Noted: 2004; 2007; 2012; 2016-2025
Deer Resistant: Yes
Listed As a Monarch Butterfly Plant In: Galea et. al 2015
Listed as a "Bee Plant" By the Lady Bird Johnson Wildflower Center:
Native Bees; Bumble Bees; Honey Bees; Supports Conservation Biological Control
iNaturalist Observations from the GNA:
86911024 (Observed: 7/13/2021)
36404751 (Observed: 12/6/2019)
52500805 (Observed: 7/9/2020)
General Floristic References:
Rhoads, A. F. and T. A. Block (2007). The Plants of Pennsylvania. Philadelphia, PA, University of Pennsylvania Press (p. 810).
Monarch Butterfly References
Galea, M., E. Cole, L. Davies Adams, and L. Stritch (eds). 2015. Conservation and Management of Monarch Butterflies A Land Manager’s Restoration Guide for the Eastern U.S. Pollinator Partnership and USDA Forest Service, San Francisco, CA. 27 pp.
Online Resources for Pycnanthemum virginianum:
Lady Bird Johnson Wildflower Center Plant Database
Images
Scutellaria elliptica (Hairy Skullcap)
Group: Plants
Type: Flowering Plants - Dicots
Family: Lamiaceae
Notes
Common Name: Hairy Skullcap
Growth Habit: Forb/herb
Duration: Perennial
Origin: Native to the conterminous United States
Year Noted: 1984
General Floristic References:
Rhoads, A. F. and T. A. Block (2007). The Plants of Pennsylvania. Philadelphia, PA, University of Pennsylvania Press (p. 815).
Online Resources for Scutellaria elliptica:
Scutellaria integrifolia (Helmet Flower)
Group: Plants
Type: Flowering Plants - Dicots
Family: Lamiaceae
Notes
Common Name: Helmet Flower
Growth Habit: Forb/herb
Duration: Perennial
Origin: Native to the conterminous United States
Year Noted: 1984
General Floristic References:
Rhoads, A. F. and T. A. Block (2007). The Plants of Pennsylvania. Philadelphia, PA, University of Pennsylvania Press (p. 815).
Online Resources for Scutellaria integrifolia:
Scutellaria lateriflora (Blue Skullcap)
Group: Plants
Type: Flowering Plants - Dicots
Family: Lamiaceae
Notes
Common Names: Blue Skullcap; Mad-dog Skullcap
Growth Habit: Forb/herb
Duration: Perennial
Origin: Native to the conterminous United States
Years Noted: 1984; 2018
Northeast Wetland Status: FACW
General Floristic References:
Magee, D. W. (1981). Freshwater Wetlands: A Guide to Common Indicator Plants of the Northeast. Amherst, MA, University of Massachusetts Press (p. 208).
Rhoads, A. F. and T. A. Block (2007). The Plants of Pennsylvania. Philadelphia, PA, University of Pennsylvania Press (p. 815).
Online Resources for Scutellaria lateriflora:
Lady Bird Johnson Wildflower Center Plant Database
Teucrium canadense (Canada Germander)
Group: Plants
Type: Flowering Plants - Dicots
Family: Lamiaceae
Notes
Common Names: Canada Germander; American Germander
Growth Habit: Forb/herb
Duration: Perennial
Origin: Native to the conterminous United States
Years Noted: 1984; 2004; 2007; 2009; 2016-2018; 2020-2024
Deer Resistant: Yes
iNaturalist Observations from the GNA:
171559321 (Observed: 7/7/2023)
134056962 (Observed: 9/7/2022)
132860806 (Observed: 8/29/2022)
90773693 (Observed: 8/10/2021)
86911800 (Observed: 7/13/2021)
53772958 (Observed: 7/20/2020)
58281223 (Observed: 9/1/2020)
General Floristic References:
Rhoads, A. F. and T. A. Block (2007). The Plants of Pennsylvania. Philadelphia, PA, University of Pennsylvania Press (p. 821).
Online Resources for Teucrium canadense:
Lady Bird Johnson Wildflower Center Plant Database
Images
Trichostema dichotomum (Forked Bluecurls)
Group: Plants
Type: Flowering Plants - Dicots
Family: Lamiaceae
Notes
Common Name: Forked Bluecurls
Growth Habit: Forb/herb
Duration: Annual
Origin: Native to the conterminous United States
Year Noted: 1984
Bee Beneficial: Yes
Listed as a "Bee Plant" By the Lady Bird Johnson Wildflower Center:
Native Bees
General Floristic References:
Rhoads, A. F. and T. A. Block (2007). The Plants of Pennsylvania. Philadelphia, PA, University of Pennsylvania Press (p. 823).
Online Resources for Trichostema dichotomum:
Lindera benzoin (Northern Spicebush)
Group: Plants
Type: Flowering Plants - Dicots
Family: Lauraceae
Notes
Common Name: Northern Spicebush
Growth Habit: Tree, Shrub
Duration: Perennial
Origin: Native to the conterminous United States
Years Noted: 1965; 1967; 1970-1971; 1984; 2004; 2007-2009; 2011-2026
Dispersed By: Birds
Deer Resistant: Yes
iNaturalist Observations from the GNA:
310253830 (Observed: 8/30/2025)
183748175 (Observed: 8/31/2023)
40669237 (Observed: 3/24/2020)
72393798 (Observed: 3/29/2021)
General Floristic References:
Magee, D. W. (1981). Freshwater Wetlands: A Guide to Common Indicator Plants of the Northeast. Amherst, MA, University of Massachusetts Press (p. 145).
Rhoads, A. F. and T. A. Block (2007). The Plants of Pennsylvania. Philadelphia, PA, University of Pennsylvania Press (p. 403).
Online Resources for Lindera benzoin:
Lady Bird Johnson Wildflower Center Plant Database
Images
Sassafras albidum (Sassafras)
Group: Plants
Type: Flowering Plants - Dicots
Family: Lauraceae
Notes
Lenape Name: winakw .
Common Name: Sassafras
Growth Habit: Tree, Shrub
Duration: Perennial
Origin: Native to the conterminous United States
Years Noted: 1965; 1967; 1970-1971; 1984; 2004; 2007; 2016-2025
Dispersed By: Birds
Allelopathic: Yes
Deer Resistant: Yes
iNaturalist Observations from the GNA:
237444718 (Observed: 8/21/2024)
207972459 (Observed: 4/18/2024)
79316179 (Observed: 5/13/2021)
51627518 (Observed: 7/1/2020)
Source for Lenape Name(s): delawaretribe.org/wp-content/uploads/Lenape-Names-of-Other-Trees.pdf
General Floristic References:
Rhoads, A. F. and T. A. Block (2005). Trees of Pennsylvania. A Complete Reference Guide. Philadelphia, PA, University of Pennsylvania Press (p. 298-300).
Rhoads, A. F. and T. A. Block (2007). The Plants of Pennsylvania. Philadelphia, PA, University of Pennsylvania Press (p. 403).
Online Resources for Sassafras albidum:
Fire Effects Information System
Lady Bird Johnson Wildflower Center Plant Database
Images
Linum virginianum (Woodland Flax)
Group: Plants
Type: Flowering Plants - Dicots
Family: Linaceae
Notes
Common Name: Woodland Flax
Growth Habit: Forb/herb
Duration: Perennial
Origin: Native to the conterminous United States
Year Noted: 1984
General Floristic References:
Rhoads, A. F. and T. A. Block (2007). The Plants of Pennsylvania. Philadelphia, PA, University of Pennsylvania Press (p. 549).
Online Resources for Linum virginianum:
Lythrum salicaria (Purple Loosestrife)
Group: Plants
Type: Flowering Plants - Dicots
Family: Lythraceae
Notes
Common Name: Purple Loosestrife
Growth Habit: Subshrub, Forb/herb
Duration: Perennial
Origin: Not native to the conterminous United States
Pennsylvania DCNR Invasive Plants Rating: Rank 1 — "Severe Threat. Exotic plant species that possess characteristics of invasive species and spread easily into native plant communities and displace native vegetation. Includes species that are or could become widespread in Pennsylvania."
Years Noted: 1984; 2007; 2012; 2017; 2021; 2023; 2025
Northeast Wetland Status: FACW
Dispersed By: Animals; Birds; Deer; General Zoochory; Mammals (non-bat); Water; Wind
iNaturalist Observations from the GNA:
94855995 (Observed: 9/14/2021)
General Floristic References:
Magee, D. W. (1981). Freshwater Wetlands: A Guide to Common Indicator Plants of the Northeast. Amherst, MA, University of Massachusetts Press (p. 176).
Online Resources for Lythrum salicaria:
Fire Effects Information System
Images
Liriodendron tulipifera (Tuliptree)
Group: Plants
Type: Flowering Plants - Dicots
Family: Magnoliaceae
Notes
Common Name: Tuliptree
Growth Habit: Tree
Duration: Perennial
Origin: Native to the conterminous United States
Years Noted: 1965; 1967; 1970-1971; 1984; 1992; 2002; 2004; 2007-2010; 2013-2026
Dispersed By: Animals; Deer; Mammals (non-bat); Wind
Bee Beneficial: Yes
Deer Resistant: Yes
Listed as a "Bee Plant" By the Lady Bird Johnson Wildflower Center:
Honey Bees
iNaturalist Observations from the GNA:
81493896 (Observed: 6/3/2021)
49113166 (Observed: 6/4/2020)
General Floristic References:
Rhoads, A. F. and T. A. Block (2005). Trees of Pennsylvania. A Complete Reference Guide. Philadelphia, PA, University of Pennsylvania Press (p. 331-333).
Rhoads, A. F. and T. A. Block (2007). The Plants of Pennsylvania. Philadelphia, PA, University of Pennsylvania Press (p. 403).
Online Resources for Liriodendron tulipifera:
Fire Effects Information System
Lady Bird Johnson Wildflower Center Plant Database
Images
Magnolia acuminata (Cucumber-tree)
Group: Plants
Type: Flowering Plants - Dicots
Family: Magnoliaceae
Notes
Common Name: Cucumber-tree
Growth Habit: Tree
Duration: Perennial
Origin: Native to the conterminous United States
Year Noted: 2007
General Floristic References:
Dove, T. and G. Woolridge (2018). Essential Native Trees and Shrubs for the Eastern United States. Watertown, MA, Imagine Books (p. 108).
Rhoads, A. F. and T. A. Block (2005). Trees of Pennsylvania. A Complete Reference Guide. Philadelphia, PA, University of Pennsylvania Press (p. 172-174).
Rhoads, A. F. and T. A. Block (2007). The Plants of Pennsylvania. Philadelphia, PA, University of Pennsylvania Press (p. 404).
Online Resources for Magnolia acuminata:
Lady Bird Johnson Wildflower Center Plant Database
Magnolia tripetala (Umbrella-tree)
Group: Plants
Type: Flowering Plants - Dicots
Family: Magnoliaceae
Notes
Common Name: Umbrella-tree
Growth Habit: Tree
Duration: Perennial
Origin: Native to the conterminous United States
Year Noted: 2017-2025
iNaturalist Observations from the GNA:
98229798 (Observed: 10/11/2021)
75701554 (Observed: 4/29/2021)
49058027 (Observed: 6/9/2020)
General Floristic References:
Rhoads, A. F. and T. A. Block (2005). Trees of Pennsylvania. A Complete Reference Guide. Philadelphia, PA, University of Pennsylvania Press (p. 178-180).
Online Resources for Magnolia tripetala:
Lady Bird Johnson Wildflower Center Plant Database
Images
Abutilon theophrasti (Velvetleaf)
Group: Plants
Type: Flowering Plants - Dicots
Family: Malvaceae
Notes
Common Names: Velvetleaf; Butter-print
Growth Habit: Forb/herb
Duration: Annual
Origin: Not native to the conterminous United States
Years Noted: 1984; 2023
Dispersed By: Human Activities
iNaturalist Observations from the GNA:
179009540 (Observed: 8/18/2023)
General Floristic References:
Rhoads, A. F. and T. A. Block (2007). The Plants of Pennsylvania. Philadelphia, PA, University of Pennsylvania Press (p. 700).
Online Resources for Abutilon theophrasti:
Hibiscus syriacus (Rose-of-Sharon)
Group: Plants
Type: Flowering Plants - Dicots
Family: Malvaceae
Notes
Common Name: Rose-of-Sharon
Growth Habit: Tree, Shrub
Duration: Perennial
Origin: Not native to the conterminous United States
Year Noted: 2020-2025
Deer Resistant: Yes
iNaturalist Observations from the GNA:
58274287 (Observed: 9/1/2020)
Online Resources for Hibiscus syriacus:
Images
Hibiscus trionum (Flower Of An Hour)
Group: Plants
Type: Flowering Plants - Dicots
Family: Malvaceae
Notes
Common Name: Flower Of An Hour
Growth Habit: Forb/herb
Duration: Annual
Origin: Not native to the conterminous United States
Years Noted: 1984; 2007; 2023
Dispersed By: Animals; General Zoochory; Human Activities
iNaturalist Observations from the GNA:
167031437 (Observed: 6/12/2023)
Online Resources for Hibiscus trionum:
Malva moschata (Musk Mallow)
Group: Plants
Type: Flowering Plants - Dicots
Family: Malvaceae
Notes
Common Name: Musk Mallow
Growth Habit: Forb/herb
Duration: Perennial
Origin: Not native to the conterminous United States
Year Noted: 1984
Dispersed By: Animals; General Zoochory; Water
Online Resources for Malva moschata:
Sida spinosa (Prickly Fanpetals)
Group: Plants
Type: Flowering Plants - Dicots
Family: Malvaceae
Notes
Common Name: Prickly Fanpetals
Growth Habit: Subshrub, Forb/herb
Duration: Annual, Perennial
Origin: Native to the conterminous United States
Year Noted: 1984
Dispersed By: Animals (Accidental); General Zoochory; Mammals (non-bat)
General Floristic References:
Rhoads, A. F. and T. A. Block (2007). The Plants of Pennsylvania. Philadelphia, PA, University of Pennsylvania Press (p. 699).
Online Resources for Sida spinosa:
Menispermum canadense (Common Moonseed)
Group: Plants
Type: Flowering Plants - Dicots
Family: Menispermaceae
Notes
Common Name: Common Moonseed
Growth Habit: Vine
Duration: Perennial
Origin: Native to the conterminous United States
Years Noted: 2007; 2023-2025
Dispersed By: Birds
iNaturalist Observations from the GNA:
156721047 (Observed: 4/25/2023)
General Floristic References:
Rhoads, A. F. and T. A. Block (2007). The Plants of Pennsylvania. Philadelphia, PA, University of Pennsylvania Press (p. 408).
Online Resources for Menispermum canadense:
Lady Bird Johnson Wildflower Center Plant Database
Mollugo verticillata (Green Carpetweed)
Group: Plants
Type: Flowering Plants - Dicots
Family: Molluginaceae
Notes
Common Name: Green Carpetweed
Growth Habit: Forb/herb
Duration: Annual
Origin: Native to the conterminous United States
Years Noted: 1984; 2018
Dispersed By: Animals; Deer
General Floristic References:
Rhoads, A. F. and T. A. Block (2007). The Plants of Pennsylvania. Philadelphia, PA, University of Pennsylvania Press (p. 482).
Online Resources for Mollugo verticillata:
Monotropa uniflora (Indianpipe)
Group: Plants
Type: Flowering Plants - Dicots
Family: Monotropaceae
Notes
Common Name: Indianpipe
Growth Habit: Forb/herb
Duration: Perennial
Origin: Native to the conterminous United States
Years Noted: 1984; 2004; 2007; 2016-2025
iNaturalist Observations from the GNA:
173759031 (Observed: 7/19/2023)
83638338 (Observed: 6/18/2021)
General Floristic References:
Rhoads, A. F. and T. A. Block (2007). The Plants of Pennsylvania. Philadelphia, PA, University of Pennsylvania Press (p. 736).
Online Resources for Monotropa uniflora:
Images
Maclura pomifera (Osage Orange)
Group: Plants
Type: Flowering Plants - Dicots
Family: Moraceae
Notes
Lenape Name: wisaokw.
Common Name: Osage Orange
Growth Habit: Tree, Shrub
Duration: Perennial
Origin: Native to the conterminous United States
Years Noted: 2007; 2017
Dispersed By: Animals; Mammals (non-bat)
Deer Resistant: Yes
Source for Lenape Name(s): delawaretribe.org/wp-content/uploads/Lenape-Names-of-Other-Trees.pdf
General Floristic References:
Rhoads, A. F. and T. A. Block (2005). Trees of Pennsylvania. A Complete Reference Guide. Philadelphia, PA, University of Pennsylvania Press (p. 243-244).
Rhoads, A. F. and T. A. Block (2007). The Plants of Pennsylvania. Philadelphia, PA, University of Pennsylvania Press (p. 662).
Online Resources for Maclura pomifera:
Fire Effects Information System
Lady Bird Johnson Wildflower Center Plant Database
Images
Morus alba (White Mulberry)
Group: Plants
Type: Flowering Plants - Dicots
Family: Moraceae
Notes
Common Name: White Mulberry
Growth Habit: Tree, Shrub
Duration: Perennial
Origin: Not native to the conterminous United States
Pennsylvania DCNR Invasive Plants Rating: Rank 3 — "Lesser Threat. Exotic plant species that spread in or near disturbed areas, and are not presently considered a major threat to undisturbed native plant communities."
Years Noted: 1978; 1984; 2004; 2007; 2017; 2021
Dispersed By: Animals; Birds; Dispersal Unassisted; Mammals (non-bat)
iNaturalist Observations from the GNA:
79197060 (Observed: 5/17/2021)
General Floristic References:
Rhoads, A. F. and T. A. Block (2005). Trees of Pennsylvania. A Complete Reference Guide. Philadelphia, PA, University of Pennsylvania Press (p. 212).
Rhoads, A. F. and T. A. Block (2007). The Plants of Pennsylvania. Philadelphia, PA, University of Pennsylvania Press (p. 662).
Online Resources for Morus alba:
Fire Effects Information System
Morus rubra (Red Mulberry)
Group: Plants
Type: Flowering Plants - Dicots
Family: Moraceae
Notes
Common Name: Red Mulberry
Growth Habit: Tree
Duration: Perennial
Origin: Native to the conterminous United States
Years Noted: 1967; 1978; 1984
Dispersed By: Birds; Mammals (non-bat)
General Floristic References:
Rhoads, A. F. and T. A. Block (2005). Trees of Pennsylvania. A Complete Reference Guide. Philadelphia, PA, University of Pennsylvania Press (p. 210).
Rhoads, A. F. and T. A. Block (2007). The Plants of Pennsylvania. Philadelphia, PA, University of Pennsylvania Press (p. 662).
Online Resources for Morus rubra:
Fire Effects Information System
Lady Bird Johnson Wildflower Center Plant Database
Forsythia (Forsythia)
Group: Plants
Type: Flowering Plants - Dicots
Family: Oleaceae
Notes
Common Name: Forsythia
Growth Habit: Shrub
Duration:
Origin: Not native to the conterminous United States
Year Noted: 2018
Deer Resistant: Yes
Online Resources for Forsythia:
Fraxinus americana (White Ash)
Group: Plants
Type: Flowering Plants - Dicots
Family: Oleaceae
Notes
Lenape Name: mixakanakw. Note: The Lenape name is that which was used for the that genus of plants.
Common Name: White Ash
Growth Habit: Tree
Duration: Perennial
Origin: Native to the conterminous United States
Years Noted: 1965; 1967; 1970-1971; 1984; 1992; 1996; 2000; 2002; 2004-2005; 2007-2025
Dispersed By: Wind
Deer Resistant: Yes
iNaturalist Observations from the GNA:
154742886 (Observed: 4/13/2023)
Source for Lenape Name(s): delawaretribe.org/wp-content/uploads/Lenape-Names-of-Other-Trees.pdf
General Floristic References:
Magee, D. W. (1981). Freshwater Wetlands: A Guide to Common Indicator Plants of the Northeast. Amherst, MA, University of Massachusetts Press (p. 202).
Rhoads, A. F. and T. A. Block (2005). Trees of Pennsylvania. A Complete Reference Guide. Philadelphia, PA, University of Pennsylvania Press (p. 34-36).
Rhoads, A. F. and T. A. Block (2007). The Plants of Pennsylvania. Philadelphia, PA, University of Pennsylvania Press (p. 780).
Online Resources for Fraxinus americana:
Fire Effects Information System
Lady Bird Johnson Wildflower Center Plant Database
Fraxinus pennsylvanica (Green Ash)
Group: Plants
Type: Flowering Plants - Dicots
Family: Oleaceae
Notes
Lenape Name: mixakanakw. Note: The Lenape name is that which was used for the that genus of plants.
Common Name: Green Ash
Growth Habit: Tree
Duration: Perennial
Origin: Native to the conterminous United States
Years Noted: 1978; 2007; 2017; 2023
Dispersed By: Wind
Deer Resistant: Yes
Source for Lenape Name(s): delawaretribe.org/wp-content/uploads/Lenape-Names-of-Other-Trees.pdf
General Floristic References:
Rhoads, A. F. and T. A. Block (2005). Trees of Pennsylvania. A Complete Reference Guide. Philadelphia, PA, University of Pennsylvania Press (p. 31-32).
Rhoads, A. F. and T. A. Block (2007). The Plants of Pennsylvania. Philadelphia, PA, University of Pennsylvania Press (p. 780).
Online Resources for Fraxinus pennsylvanica:
Fire Effects Information System
Lady Bird Johnson Wildflower Center Plant Database
Ligustrum obtusifolium (Border Privet)
Group: Plants
Type: Flowering Plants - Dicots
Family: Oleaceae
Notes
Common Name: Border Privet
Growth Habit: Shrub
Duration: Perennial
Origin: Not native to the conterminous United States
Pennsylvania DCNR Invasive Plants Rating: Rank 2 — "Significant Threat. Exotic plant species that possess characteristics of invasive species but are not presently considered to spread as easily and aggressively into native plant communities as those species listed as Rank 1."
Years Noted: 2004; 2007; 2009; 2012; 2016-2026
Deer Resistant: Yes
iNaturalist Observations from the GNA:
310247164 (Observed: 8/30/2025)
13242645 (Observed: 6/8/2018)
118453066 (Observed: 5/23/2022)
45918273 (Observed: 5/14/2020)
50922714 (Observed: 6/25/2020)
Online Resources for Ligustrum obtusifolium:
Images
Ligustrum vulgare (European Privet)
Group: Plants
Type: Flowering Plants - Dicots
Family: Oleaceae
Notes
Common Name: European Privet
Growth Habit: Shrub
Duration: Perennial
Origin: Not native to the conterminous United States
Pennsylvania DCNR Invasive Plants Rating: Rank 2 — "Significant Threat. Exotic plant species that possess characteristics of invasive species but are not presently considered to spread as easily and aggressively into native plant communities as those species listed as Rank 1."
Years Noted: 1971; 1978; 1984
Dispersed By: Animals; Birds; General Zoochory; Water
Deer Resistant: Yes
Online Resources for Ligustrum vulgare:
Fire Effects Information System
Circaea lutetiana (Broadleaf Enchanters Nightshade)
Group: Plants
Type: Flowering Plants - Dicots
Family: Onagraceae
Notes
Common Name: Broadleaf Enchanter's Nightshade
Growth Habit: Forb/herb
Duration: Perennial
Origin: Native to the conterminous United States
Synonyms: Circaea canadensis (L.) HillYears Noted: 1984; 2004; 2007; 2009; 2011-2012; 2016-2025
Dispersed By: Animals; Animals (Accidental); General Zoochory; Mammals (non-bat); Water
iNaturalist Observations from the GNA:
270868446 (Observed: 4/16/2025)
50586904 (Observed: 6/22/2020)
General Floristic References:
Rhoads, A. F. and T. A. Block (2007). The Plants of Pennsylvania. Philadelphia, PA, University of Pennsylvania Press (p. 511).
Online Resources for Circaea lutetiana:
Images
Epilobium coloratum (Purpleleaf Willowherb)
Group: Plants
Type: Flowering Plants - Dicots
Family: Onagraceae
Notes
Common Name: Purpleleaf Willowherb
Growth Habit: Forb/herb
Duration: Perennial
Origin: Native to the conterminous United States
Years Noted: 1984; 2004; 2007; 2017-2018; 2020-2024
Northeast Wetland Status: OBL
Dispersed By: Animals; Deer
Winter-green Species: i.e., Is a species whose leaves develop in the fall and overwinter.
iNaturalist Observations from the GNA:
57727017 (Observed: 8/26/2020)
General Floristic References:
Magee, D. W. (1981). Freshwater Wetlands: A Guide to Common Indicator Plants of the Northeast. Amherst, MA, University of Massachusetts Press (p. 181).
Rhoads, A. F. and T. A. Block (2007). The Plants of Pennsylvania. Philadelphia, PA, University of Pennsylvania Press (p. 512).
Wintergreen Species References:
Beatley, J. C. 1956. The winter-green herbaceous flowering plants of Ohio. The Ohio Journal of Science 56(6): 349-377.
Online Resources for Epilobium coloratum:
Images
Ludwigia alternifolia (Seedbox)
Group: Plants
Type: Flowering Plants - Dicots
Family: Onagraceae
Notes
Common Name: Seedbox
Growth Habit: Forb/herb
Duration: Perennial
Origin: Native to the conterminous United States
Years Noted: 2004; 2007; 2020; 2024
Northeast Wetland Status: FACW
iNaturalist Observations from the GNA:
230323440 (Observed: 7/19/2024)
58992945 (Observed: 9/8/2020)
General Floristic References:
Magee, D. W. (1981). Freshwater Wetlands: A Guide to Common Indicator Plants of the Northeast. Amherst, MA, University of Massachusetts Press (p. 179).
Rhoads, A. F. and T. A. Block (2007). The Plants of Pennsylvania. Philadelphia, PA, University of Pennsylvania Press (p. 508).
Online Resources for Ludwigia alternifolia:
Lady Bird Johnson Wildflower Center Plant Database
Images
Ludwigia palustris (Marsh Seedbox)
Group: Plants
Type: Flowering Plants - Dicots
Family: Onagraceae
Notes
Common Name: Marsh Seedbox
Growth Habit: Forb/herb
Duration: Perennial
Origin: Native to the conterminous United States
Years Noted: 2007; 2017-2018; 2020-2025
Northeast Wetland Status: OBL
Dispersed By: Water
iNaturalist Observations from the GNA:
95091216 (Observed: 9/16/2021)
50917084 (Observed: 6/25/2020)
General Floristic References:
Block, T. A. and A. F. Rhoads (2011). Aquatic Plants of Pennsylvania. A Complete Reference Guide. Philadelphia, PA, University of Pennsylvania Press (p. 136).
Magee, D. W. (1981). Freshwater Wetlands: A Guide to Common Indicator Plants of the Northeast. Amherst, MA, University of Massachusetts Press (p. 180).
Rhoads, A. F. and T. A. Block (2007). The Plants of Pennsylvania. Philadelphia, PA, University of Pennsylvania Press (p. 509).
Online Resources for Ludwigia palustris:
Images
Oenothera biennis (Common Evening Primrose)
Group: Plants
Type: Flowering Plants - Dicots
Family: Onagraceae
Notes
Common Name: Common Evening Primrose
Growth Habit: Forb/herb
Duration: Biennial
Origin: Native to the conterminous United States
Years Noted: 1984; 2007; 2012; 2017; 2020; 2022; 2025
Dispersed By: Animals; General Zoochory; Human Activities; Rain (Assisted, i.e., ombrochory); Water; Wind
Bee Beneficial: Yes
Deer Resistant: Yes
Listed as a "Bee Plant" By the Lady Bird Johnson Wildflower Center:
Native Bees
Winter-green Species: i.e., Is a species whose leaves develop in the fall and overwinter.
iNaturalist Observations from the GNA:
58277669 (Observed: 9/1/2020)
General Floristic References:
Rhoads, A. F. and T. A. Block (2007). The Plants of Pennsylvania. Philadelphia, PA, University of Pennsylvania Press (p. 514).
Wintergreen Species References:
Beatley, J. C. 1956. The winter-green herbaceous flowering plants of Ohio. The Ohio Journal of Science 56(6): 349-377.
Online Resources for Oenothera biennis:
Lady Bird Johnson Wildflower Center Plant Database
Images
Epifagus virginiana (Beechdrops)
Group: Plants
Type: Flowering Plants - Dicots
Family: Orobanchaceae
Notes
Common Name: Beechdrops
Growth Habit: Forb/herb
Duration: Annual
Origin: Native to the conterminous United States
Years Noted: 1984; 2004; 2007; 2016-2024
iNaturalist Observations from the GNA:
61780655 (Observed: 10/1/2020)
104468712 (Observed: 10/16/2021)
60459245 (Observed: 9/22/2020)
General Floristic References:
Rhoads, A. F. and T. A. Block (2007). The Plants of Pennsylvania. Philadelphia, PA, University of Pennsylvania Press (p. 831).
Online Resources for Epifagus virginiana:
Images
Orobanche uniflora (One-flowered Broomrape)
Group: Plants
Type: Flowering Plants - Dicots
Family: Orobanchaceae
Notes
Common Name: One-flowered Broomrape
Growth Habit: Forb/herb
Duration: Annual
Origin: Native to the conterminous United States
Years Noted: 2007; 2019; 2021; 2023-2025
Dispersed By: Wind
Notes: A root parasite who's stem is underground; hence, you only see this species when it's flowering.
iNaturalist Observations from the GNA:
159496500 (Observed: 5/3/2023)
41194320 (Observed: 5/13/2019)
77872479 (Observed: 5/7/2021)
General Floristic References:
Rhoads, A. F. and T. A. Block (2007). The Plants of Pennsylvania. Philadelphia, PA, University of Pennsylvania Press (p. 831).
Online Resources for Orobanche uniflora:
iNaturalist (for the synonym Aphyllon uniflorum)
Images
Oxalis dillenii (Slender Yellow Woodsorrel)
Group: Plants
Type: Flowering Plants - Dicots
Family: Oxalidaceae
Notes
Common Name: Slender Yellow Woodsorrel
Growth Habit: Forb/herb
Duration: Perennial
Origin: Native to the conterminous United States
Years Noted: 2004; 2007; 2017-2018; 2020
iNaturalist Observations from the GNA:
45210069 (Observed: 5/7/2020)
General Floristic References:
Rhoads, A. F. and T. A. Block (2007). The Plants of Pennsylvania. Philadelphia, PA, University of Pennsylvania Press (p. 565).
Online Resources for Oxalis dillenii:
Oxalis stricta (Common Yellow Oxalis)
Group: Plants
Type: Flowering Plants - Dicots
Family: Oxalidaceae
Notes
Common Names: Common Yellow Oxalis; Upright Yellow Woodsorrel
Growth Habit: Forb/herb
Duration: Perennial
Origin: Native to the conterminous United States
Synonyms: Oxalis europaea Jord.Years Noted: 1967; 1969-2000; 2004; 2009; 2020-2022
Dispersed By: Animals
Deer Resistant: Yes
iNaturalist Observations from the GNA:
139265548 (Observed: 10/17/2022)
90194420 (Observed: 8/6/2021)
General Floristic References:
Rhoads, A. F. and T. A. Block (2007). The Plants of Pennsylvania. Philadelphia, PA, University of Pennsylvania Press (p. 565).
Online Resources for Oxalis stricta:
Images
Oxalis violacea (Violet Woodsorrel)
Group: Plants
Type: Flowering Plants - Dicots
Family: Oxalidaceae
Notes
Common Name: Violet Woodsorrel
Growth Habit: Forb/herb
Duration: Perennial
Origin: Native to the conterminous United States
Years Noted: 2007; 2017
General Floristic References:
Rhoads, A. F. and T. A. Block (2007). The Plants of Pennsylvania. Philadelphia, PA, University of Pennsylvania Press (p. 566).
Online Resources for Oxalis violacea:
Lady Bird Johnson Wildflower Center Plant Database
Images
Sanguinaria canadensis (Bloodroot)
Group: Plants
Type: Flowering Plants - Dicots
Family: Papaveraceae
Notes
Common Name: Bloodroot
Growth Habit: Forb/herb
Duration: Perennial
Origin: Native to the conterminous United States
Years Noted: 1984; 2004; 2007; 2009; 2011; 2015-2025
Dispersed By: Ants
Deer Resistant: Yes
iNaturalist Observations from the GNA:
204597689 (Observed: 3/30/2024)
110758608 (Observed: 4/8/2022)
40669035 (Observed: 3/24/2020)
72469787 (Observed: 3/30/2021)
General Floristic References:
Rhoads, A. F. and T. A. Block (2007). The Plants of Pennsylvania. Philadelphia, PA, University of Pennsylvania Press (p. 432).
Online Resources for Sanguinaria canadensis:
Lady Bird Johnson Wildflower Center Plant Database
Images
Phytolacca americana (American Pokeweed)
Group: Plants
Type: Flowering Plants - Dicots
Family: Phytolaccaceae
Notes
Common Name: American Pokeweed
Growth Habit: Forb/herb
Duration: Perennial
Origin: Native to the conterminous United States
Years Noted: 1984; 2004; 2007; 2012-2013; 2015-2018; 2020; 2023-2025
Dispersed By: Animals; Birds
Deer Resistant: Yes
iNaturalist Observations from the GNA:
57735601 (Observed: 8/26/2020)
General Floristic References:
Rhoads, A. F. and T. A. Block (2007). The Plants of Pennsylvania. Philadelphia, PA, University of Pennsylvania Press (p. 482).
Online Resources for Phytolacca americana:
Lady Bird Johnson Wildflower Center Plant Database
Images
Plantago lanceolata (Narrowleaf Plantain)
Group: Plants
Type: Flowering Plants - Dicots
Family: Plantaginaceae
Notes
Common Name: Narrowleaf Plantain
Growth Habit: Forb/herb
Duration: Annual, Biennial, Perennial
Origin: Not native to the conterminous United States
Years Noted: 1984; 2004; 2007-2008; 2017-2018; 2020-2021
Dispersed By: Animals; Ballistic; Birds; Deer; General Zoochory; Human Activities; Rain (Assisted, i.e., ombrochory); Water; Wind
Winter-green Species: i.e., Is a species whose leaves develop in the fall and overwinter.
iNaturalist Observations from the GNA:
82467975 (Observed: 6/10/2021)
Wintergreen Species References:
Beatley, J. C. 1956. The winter-green herbaceous flowering plants of Ohio. The Ohio Journal of Science 56(6): 349-377.
Online Resources for Plantago lanceolata:
Images
Plantago major (Common Plantain)
Group: Plants
Type: Flowering Plants - Dicots
Family: Plantaginaceae
Notes
Common Name: Common Plantain
Growth Habit: Forb/herb
Duration: Perennial
Origin: Not native to the conterminous United States
Years Noted: 2007; 2017
Dispersed By: Animals; Birds; Deer; Dispersal Unassisted; General Zoochory; Human Activities; Mammals (non-bat); Rain (Assisted, i.e., ombrochory); Water
Winter-green Species: i.e., Is a species whose leaves develop in the fall and overwinter.
Wintergreen Species References:
Beatley, J. C. 1956. The winter-green herbaceous flowering plants of Ohio. The Ohio Journal of Science 56(6): 349-377.
Online Resources for Plantago major:
Plantago rugelii (Blackseed Plantain)
Group: Plants
Type: Flowering Plants - Dicots
Family: Plantaginaceae
Notes
Common Name: Blackseed Plantain
Growth Habit: Forb/herb
Duration: Perennial
Origin: Native to the conterminous United States
Years Noted: 1984; 2007; 2009; 2017-2018
Winter-green Species: i.e., Is a species whose leaves develop in the fall and overwinter.
General Floristic References:
Rhoads, A. F. and T. A. Block (2007). The Plants of Pennsylvania. Philadelphia, PA, University of Pennsylvania Press (p. 793).
Wintergreen Species References:
Beatley, J. C. 1956. The winter-green herbaceous flowering plants of Ohio. The Ohio Journal of Science 56(6): 349-377.
Online Resources for Plantago rugelii:
Images
Platanus occidentalis (American Sycamore)
Group: Plants
Type: Flowering Plants - Dicots
Family: Platanaceae
Notes
Lenape Name: xaxakw.
Common Name: American Sycamore
Growth Habit: Tree
Duration: Perennial
Origin: Native to the conterminous United States
Years Noted: 1984; 2002; 2004; 2007-2008; 2010; 2013; 2017-2025
Dispersed By: Water; Wind
Allelopathic: Yes
Deer Resistant: Yes
iNaturalist Observations from the GNA:
154742182 (Observed: 4/13/2023)
Source for Lenape Name(s): delawaretribe.org/wp-content/uploads/Lenape-Names-of-Other-Trees.pdf
General Floristic References:
Dove, T. and G. Woolridge (2018). Essential Native Trees and Shrubs for the Eastern United States. Watertown, MA, Imagine Books (p. 141).
Magee, D. W. (1981). Freshwater Wetlands: A Guide to Common Indicator Plants of the Northeast. Amherst, MA, University of Massachusetts Press (p. 155 ).
Rhoads, A. F. and T. A. Block (2005). Trees of Pennsylvania. A Complete Reference Guide. Philadelphia, PA, University of Pennsylvania Press (p. 325-327).
Rhoads, A. F. and T. A. Block (2007). The Plants of Pennsylvania. Philadelphia, PA, University of Pennsylvania Press (p. 438).
Online Resources for Platanus occidentalis:
Fire Effects Information System
Lady Bird Johnson Wildflower Center Plant Database
Images
Polygala sanguinea (Purple Milkwort)
Group: Plants
Type: Flowering Plants - Dicots
Family: Polygalaceae
Notes
Common Name: Purple Milkwort
Growth Habit: Forb/herb
Duration: Annual
Origin: Native to the conterminous United States
Year Noted: 1984
General Floristic References:
Rhoads, A. F. and T. A. Block (2007). The Plants of Pennsylvania. Philadelphia, PA, University of Pennsylvania Press (p. 568).
Online Resources for Polygala sanguinea:
Polygala verticillata (Whorled Milkwort)
Group: Plants
Type: Flowering Plants - Dicots
Family: Polygalaceae
Notes
Common Name: Whorled Milkwort
Growth Habit: Forb/herb
Duration: Annual
Origin: Native to the conterminous United States
Year Noted: 1984
General Floristic References:
Rhoads, A. F. and T. A. Block (2007). The Plants of Pennsylvania. Philadelphia, PA, University of Pennsylvania Press (p. 568).
Online Resources for Polygala verticillata:
iNaturalist (for the synonym Senega verticillata)
Polygonum arifolium (Halberdleaf Tearthumb)
Group: Plants
Type: Flowering Plants - Dicots
Family: Polygonaceae
Notes
Common Name: Halberdleaf Tearthumb
Growth Habit: Vine, Forb/herb
Duration: Annual
Origin: Native to the conterminous United States
Synonyms: Persicaria arifolia (L.) HaroldsYears Noted: 1984; 2004; 2007; 2009; 2011; 2017-2018; 2020; 2022; 2025
Northeast Wetland Status: OBL
iNaturalist Observations from the GNA:
46771350 (Observed: 5/21/2020)
General Floristic References:
Magee, D. W. (1981). Freshwater Wetlands: A Guide to Common Indicator Plants of the Northeast. Amherst, MA, University of Massachusetts Press (p. 134).
Rhoads, A. F. and T. A. Block (2007). The Plants of Pennsylvania. Philadelphia, PA, University of Pennsylvania Press (p. 447).
Online Resources for Polygonum arifolium:
iNaturalist (for the synonym Persicaria arifolia)
Images
Polygonum aviculare (Prostrate Knotweed)
Group: Plants
Type: Flowering Plants - Dicots
Family: Polygonaceae
Notes
Common Name: Prostrate Knotweed
Growth Habit: Forb/herb
Duration: Annual, Perennial
Origin: Not native to the conterminous United States
Years Noted: 1984; 2007; 2017-2018; 2020
Dispersed By: Agricultural Practices; Animals; Birds; Deer; Dispersal Unassisted; General Zoochory; Human Activities; Rain (Assisted, i.e., ombrochory); Water
Allelopathic: Yes
iNaturalist Observations from the GNA:
57679572 (Observed: 8/26/2020)
General Floristic References:
Rhoads, A. F. and T. A. Block (2007). The Plants of Pennsylvania. Philadelphia, PA, University of Pennsylvania Press (p. 452).
Online Resources for Polygonum aviculare:
Images
Polygonum cespitosum var. longisetum (Oriental Ladys Thumb)
Group: Plants
Type: Flowering Plants - Dicots
Family: Polygonaceae
Notes
Common Name: Oriental Lady's Thumb
Growth Habit: Forb/herb
Duration: Annual
Origin: Not native to the conterminous United States
Pennsylvania DCNR Invasive Plants Rating: Rank 3 — "Lesser Threat. Exotic plant species that spread in or near disturbed areas, and are not presently considered a major threat to undisturbed native plant communities."
Synonyms: Persicaria longiseta (Bruijn) KitagYears Noted: 1984; 2007; 2012; 2017-2020
Dispersed By: Dispersal Unassisted
iNaturalist Observations from the GNA:
61777636 (Observed: 10/1/2020)
58276284 (Observed: 9/1/2020)
General Floristic References:
Rhoads, A. F. and T. A. Block (2007). The Plants of Pennsylvania. Philadelphia, PA, University of Pennsylvania Press (p. 448).
Online Resources for Polygonum cespitosum :
Fire Effects Information System
Images
Polygonum hydropiper (Marshpepper Knotweed)
Group: Plants
Type: Flowering Plants - Dicots
Family: Polygonaceae
Notes
Common Name: Marshpepper Knotweed
Growth Habit: Forb/herb
Duration: Annual
Origin: Not native to the conterminous United States
Synonyms: Persicaria hydropiper (L.) OpizYears Noted: 2007; 2018; 2022
Northeast Wetland Status: OBL
Dispersed By: Animals; Birds; General Zoochory; Human Activities; Rain (Assisted, i.e., ombrochory); Water
iNaturalist Observations from the GNA:
132859580 (Observed: 8/29/2022)
General Floristic References:
Block, T. A. and A. F. Rhoads (2011). Aquatic Plants of Pennsylvania. A Complete Reference Guide. Philadelphia, PA, University of Pennsylvania Press (p. 105).
Rhoads, A. F. and T. A. Block (2007). The Plants of Pennsylvania. Philadelphia, PA, University of Pennsylvania Press (p. 447).
Online Resources for Polygonum hydropiper:
Polygonum lapathifolium (Curlytop Knotweed)
Group: Plants
Type: Flowering Plants - Dicots
Family: Polygonaceae
Notes
Common Name: Curlytop Knotweed
Growth Habit: Forb/herb
Duration: Annual
Origin: Native to the conterminous United States
Year Noted: 1984
Northeast Wetland Status: FACW
Dispersed By: Agricultural Practices; Animals; Birds; Deer; General Zoochory; Human Activities; Rain (Assisted, i.e., ombrochory); Water
General Floristic References:
Rhoads, A. F. and T. A. Block (2007). The Plants of Pennsylvania. Philadelphia, PA, University of Pennsylvania Press (p. 448).
Online Resources for Polygonum lapathifolium:
iNaturalist (for the synonym Persicaria lapathifolia)
Polygonum pensylvanicum (Pennsylvania Smartweed)
Group: Plants
Type: Flowering Plants - Dicots
Family: Polygonaceae
Notes
Common Name: Pennsylvania Smartweed
Growth Habit: Forb/herb
Duration: Annual
Origin: Native to the conterminous United States
Years Noted: 1984; 2007
Allelopathic: Yes
Monarch Butterfly Value: High (NRCS 2018a)
Also Listed As a Monarch Butterfly Plant In: Illinois Wildflowers
General Floristic References:
Rhoads, A. F. and T. A. Block (2007). The Plants of Pennsylvania. Philadelphia, PA, University of Pennsylvania Press (p. 448).
Monarch Butterfly References
Illinois Wildflowers. 2022. Page for Danaus plexipes. Data Downloaded 8/17/22: http://www.illinoiswildflowers.info/flower_insects/insects/moths/danaus_plexippus.htm.
Natural Resource Conservation Service [NRCS] (ed). 2018a. Important Plants of the Monarch Butterfly. Greater Appalachian Mountains Region Staff Guide. Natural Resources Conservation Service, U.S. Department of Agriculture 132 pp.
Online Resources for Polygonum pensylvanicum:
iNaturalist (for the synonym Persicaria pensylvanica)
Polygonum perfoliatum (Mile-a-Minute Weed)
Group: Plants
Type: Flowering Plants - Dicots
Family: Polygonaceae
Notes
Common Names: Mile-a-Minute Weed; Asiatic Tearthumb
Growth Habit: Forb/herb, Vine
Duration: Annual
Origin: Not native to the conterminous United States
Pennsylvania DCNR Invasive Plants Rating: Rank 1 — "Severe Threat. Exotic plant species that possess characteristics of invasive species and spread easily into native plant communities and displace native vegetation. Includes species that are or could become widespread in Pennsylvania."
Synonyms: Persicaria perfoliata (L.) H. GrossYears Noted: 2004; 2007-2009; 2011-2014; 2017-2025
Dispersed By: Dispersal Unassisted
Deer Resistant: Yes
General Floristic References:
Rhoads, A. F. and T. A. Block (2007). The Plants of Pennsylvania. Philadelphia, PA, University of Pennsylvania Press (p. 449).
Online Resources for Polygonum perfoliatum:
Fire Effects Information System
Images
Polygonum persicaria (Spotted Ladysthumb)
Group: Plants
Type: Flowering Plants - Dicots
Family: Polygonaceae
Notes
Common Name: Spotted Ladysthumb
Growth Habit: Forb/herb
Duration: Annual, Perennial
Origin: Not native to the conterminous United States
Synonyms: Persicaria maculosa GrayYears Noted: 1971-1974; 2007; 2016-2020; 2023
Dispersed By: Agricultural Practices; Animals; Birds; Deer; General Zoochory; Human Activities; Rain (Assisted, i.e., ombrochory); Water
Allelopathic: Yes
iNaturalist Observations from the GNA:
58282910 (Observed: 9/1/2020)
General Floristic References:
Rhoads, A. F. and T. A. Block (2007). The Plants of Pennsylvania. Philadelphia, PA, University of Pennsylvania Press (p. 448).
Online Resources for Polygonum persicaria:
Images
Polygonum punctatum (Dotted Smartweed)
Group: Plants
Type: Flowering Plants - Dicots
Family: Polygonaceae
Notes
Common Name: Dotted Smartweed
Growth Habit: Forb/herb
Duration: Annual, Perennial
Origin: Native to the conterminous United States
Years Noted: 1984; 2004; 2007; 2012; 2018; 2020
Northeast Wetland Status: OBL
iNaturalist Observations from the GNA:
57734877 (Observed: 8/26/2020)
59002024 (Observed: 9/8/2020)
General Floristic References:
Block, T. A. and A. F. Rhoads (2011). Aquatic Plants of Pennsylvania. A Complete Reference Guide. Philadelphia, PA, University of Pennsylvania Press (p. 108).
Rhoads, A. F. and T. A. Block (2007). The Plants of Pennsylvania. Philadelphia, PA, University of Pennsylvania Press (p. 449).
Online Resources for Polygonum punctatum:
iNaturalist (for the synonym Persicaria punctata)
Images
Polygonum sagittatum (Arrowleaf Tearthumb)
Group: Plants
Type: Flowering Plants - Dicots
Family: Polygonaceae
Notes
Common Name: Arrowleaf Tearthumb
Growth Habit: Vine, Forb/herb
Duration: Annual, Perennial
Origin: Native to the conterminous United States
Years Noted: 1984; 2004; 2007; 2009; 2017; 2019-2020; 2022-2024
Northeast Wetland Status: OBL
Deer Resistant: Yes
iNaturalist Observations from the GNA:
132861857 (Observed: 8/29/2022)
57731727 (Observed: 8/26/2020)
61156594 (Observed: 9/13/2019)
General Floristic References:
Magee, D. W. (1981). Freshwater Wetlands: A Guide to Common Indicator Plants of the Northeast. Amherst, MA, University of Massachusetts Press (p. 132).
Rhoads, A. F. and T. A. Block (2007). The Plants of Pennsylvania. Philadelphia, PA, University of Pennsylvania Press (p. 450).
Online Resources for Polygonum sagittatum:
iNaturalist (for the synonym Persicaria sagittata)
Images
Polygonum scandens (Climbing False Buckwheat)
Group: Plants
Type: Flowering Plants - Dicots
Family: Polygonaceae
Notes
Common Name: Climbing False Buckwheat
Growth Habit: Vine, Forb/herb
Duration: Perennial
Origin: Undetermined
Synonyms: Fallopia scandens (L.) HolubYears Noted: 1984; 2004; 2007; 2009; 2017-2018; 2020; 2022
iNaturalist Observations from the GNA:
136195551 (Observed: 9/23/2022)
61427982 (Observed: 10/1/2020)
General Floristic References:
Rhoads, A. F. and T. A. Block (2007). The Plants of Pennsylvania. Philadelphia, PA, University of Pennsylvania Press (p. 454).
Online Resources for Polygonum scandens:
iNaturalist (for the synonym Fallopia scandens)
Images
Polygonum virginianum (American Jumpseed)
Group: Plants
Type: Flowering Plants - Dicots
Family: Polygonaceae
Notes
Common Name: American Jumpseed
Growth Habit: Forb/herb
Duration: Annual, Perennial
Origin: Native to the conterminous United States
Years Noted: 1984; 2004; 2007; 2009; 2011-2012; 2016-2025
Dispersed By: Ballistic
iNaturalist Observations from the GNA:
95842007 (Observed: 9/21/2021)
41859349 (Observed: 4/10/2020)
General Floristic References:
Rhoads, A. F. and T. A. Block (2007). The Plants of Pennsylvania. Philadelphia, PA, University of Pennsylvania Press (p. 450).
Online Resources for Polygonum virginianum:
iNaturalist (for the synonym Persicaria virginiana)
Lady Bird Johnson Wildflower Center Plant Database
Images
Rumex acetosella (Common Sheep Sorrel)
Group: Plants
Type: Flowering Plants - Dicots
Family: Polygonaceae
Notes
Common Name: Common Sheep Sorrel
Growth Habit: Forb/herb
Duration: Perennial
Origin: Not native to the conterminous United States
Years Noted: 1984; 2007; 2024
Dispersed By: Animals; Birds; General Zoochory; Human Activities; Water; Wind
Winter-green Species: i.e., Is a species whose leaves develop in the fall and overwinter.
General Floristic References:
Rhoads, A. F. and T. A. Block (2007). The Plants of Pennsylvania. Philadelphia, PA, University of Pennsylvania Press (p. 443).
Wintergreen Species References:
Beatley, J. C. 1956. The winter-green herbaceous flowering plants of Ohio. The Ohio Journal of Science 56(6): 349-377.
Online Resources for Rumex acetosella:
Rumex crispus (Curly Dock)
Group: Plants
Type: Flowering Plants - Dicots
Family: Polygonaceae
Notes
Common Name: Curly Dock
Growth Habit: Forb/herb
Duration: Perennial
Origin: Not native to the conterminous United States
Years Noted: 1967; 1969-2000; 2007; 2017-2019; 2022
Dispersed By: Animals; Birds; Dispersal Unassisted; General Zoochory; Human Activities; Water; Wind
Allelopathic: Yes
Winter-green Species: i.e., Is a species whose leaves develop in the fall and overwinter.
iNaturalist Observations from the GNA:
120703016 (Observed: 6/6/2022)
General Floristic References:
Rhoads, A. F. and T. A. Block (2007). The Plants of Pennsylvania. Philadelphia, PA, University of Pennsylvania Press (p. 444).
Wintergreen Species References:
Beatley, J. C. 1956. The winter-green herbaceous flowering plants of Ohio. The Ohio Journal of Science 56(6): 349-377.
Online Resources for Rumex crispus:
Images
Rumex obtusifolius (Bitter Dock)
Group: Plants
Type: Flowering Plants - Dicots
Family: Polygonaceae
Notes
Common Name: Bitter Dock
Growth Habit: Forb/herb
Duration: Perennial
Origin: Not native to the conterminous United States
Years Noted: 1984; 2007; 2009; 2017-2018; 2022; 2025
Dispersed By: Animals; General Zoochory; Human Activities; Rain (Assisted, i.e., ombrochory); Water; Wind
Winter-green Species: i.e., Is a species whose leaves develop in the fall and overwinter.
iNaturalist Observations from the GNA:
286344176 (Observed: 6/2/2025)
120701277 (Observed: 6/7/2022)
General Floristic References:
Rhoads, A. F. and T. A. Block (2007). The Plants of Pennsylvania. Philadelphia, PA, University of Pennsylvania Press (p. 444).
Wintergreen Species References:
Beatley, J. C. 1956. The winter-green herbaceous flowering plants of Ohio. The Ohio Journal of Science 56(6): 349-377.
Online Resources for Rumex obtusifolius:
Images
Claytonia virginica (Virginia Springbeauty)
Group: Plants
Type: Flowering Plants - Dicots
Family: Portulacaceae
Notes
Common Name: Virginia Springbeauty
Growth Habit: Forb/herb
Duration: Perennial
Origin: Native to the conterminous United States
Years Noted: 1984; 2007-2008; 2011; 2016-2026
Dispersed By: Ants
Deer Resistant: Yes
Listed as a "Bee Plant" By the Lady Bird Johnson Wildflower Center:
Native Bees; Supports Conservation Biological Control
Winter-green Species: i.e., Is a species whose leaves develop in the fall and overwinter.
iNaturalist Observations from the GNA:
271105037 (Observed: 4/16/2025)
207677921 (Observed: 4/8/2024)
109168079 (Observed: 3/21/2022)
110758999 (Observed: 4/8/2022)
110759100 (Observed: 4/8/2022)
152736434 (Observed: 3/28/2023)
v152736434 (Observed: 3/28/2023)
72392723 (Observed: 3/29/2021)
40103070 (Observed: 3/16/2020)
67765344 (Observed: 1/8/2021)
General Floristic References:
Rhoads, A. F. and T. A. Block (2007). The Plants of Pennsylvania. Philadelphia, PA, University of Pennsylvania Press (p. 484).
Wintergreen Species References:
Beatley, J. C. 1956. The winter-green herbaceous flowering plants of Ohio. The Ohio Journal of Science 56(6): 349-377.
Bierzychudek, P. 1982. Life histories and demography of shade-tolerant temperate forest herbs. New Phytologist 90: 757-776.
Online Resources for Claytonia virginica:
Lady Bird Johnson Wildflower Center Plant Database
Images
Anagallis arvensis (Scarlet Pimpernel)
Group: Plants
Type: Flowering Plants - Dicots
Family: Primulaceae
Notes
Common Name: Scarlet Pimpernel
Growth Habit: Forb/herb
Duration: Annual, Biennial
Origin: Not native to the conterminous United States
Synonyms: Lysimachia arvensisYears Noted: 2004; 2018; 2022
Dispersed By: Agricultural Practices; Human Activities; Water
iNaturalist Observations from the GNA:
122937282 (Observed: 6/21/2022)
General Floristic References:
Rhoads, A. F. and T. A. Block (2007). The Plants of Pennsylvania. Philadelphia, PA, University of Pennsylvania Press (p. 729).
Online Resources for Anagallis arvensis:
Images
Lysimachia ciliata (Fringed Loosestrife)
Group: Plants
Type: Flowering Plants - Dicots
Family: Primulaceae
Notes
Common Name: Fringed Loosestrife
Growth Habit: Forb/herb
Duration: Perennial
Origin: Native to the conterminous United States
Years Noted: 1984; 2004; 2007; 2017-2018; 2020
Bee Beneficial: Yes
Listed as a "Bee Plant" By the Lady Bird Johnson Wildflower Center:
Native Bees
Winter-green Species: i.e., Is a species whose leaves develop in the fall and overwinter.
iNaturalist Observations from the GNA:
57690031 (Observed: 8/26/2020)
General Floristic References:
Rhoads, A. F. and T. A. Block (2007). The Plants of Pennsylvania. Philadelphia, PA, University of Pennsylvania Press (p. 728).
Wintergreen Species References:
Beatley, J. C. 1956. The winter-green herbaceous flowering plants of Ohio. The Ohio Journal of Science 56(6): 349-377.
Online Resources for Lysimachia ciliata:
Images
Lysimachia nummularia (Creeping Jenny)
Group: Plants
Type: Flowering Plants - Dicots
Family: Primulaceae
Notes
Common Name: Creeping Jenny
Growth Habit: Forb/herb
Duration: Perennial
Origin: Not native to the conterminous United States
Pennsylvania DCNR Invasive Plants Rating: Rank 3 — "Lesser Threat. Exotic plant species that spread in or near disturbed areas, and are not presently considered a major threat to undisturbed native plant communities."
Years Noted: 1984; 2004; 2007; 2017-2018; 2020; 2022-2024; 2026
Northeast Wetland Status: OBL
Dispersed By: Water
Deer Resistant: Yes
Winter-green Species: i.e., Is a species whose leaves develop in the fall and overwinter.
iNaturalist Observations from the GNA:
106571774 (Observed: 2/11/2022)
45209027 (Observed: 5/7/2020)
50916193 (Observed: 6/25/2020)
Wintergreen Species References:
Beatley, J. C. 1956. The winter-green herbaceous flowering plants of Ohio. The Ohio Journal of Science 56(6): 349-377.
Online Resources for Lysimachia nummularia:
Images
Lysimachia quadrifolia (Whorled Yellow Loosestrife)
Group: Plants
Type: Flowering Plants - Dicots
Family: Primulaceae
Notes
Common Name: Whorled Yellow Loosestrife
Growth Habit: Forb/herb
Duration: Perennial
Origin: Native to the conterminous United States
Years Noted: 1984; 2007; 2017
Bee Beneficial: Yes
Listed as a "Bee Plant" By the Lady Bird Johnson Wildflower Center:
Native Bees
General Floristic References:
Rhoads, A. F. and T. A. Block (2007). The Plants of Pennsylvania. Philadelphia, PA, University of Pennsylvania Press (p. 729).
Online Resources for Lysimachia quadrifolia:
Chimaphila maculata (Striped Wintergreen)
Group: Plants
Type: Flowering Plants - Dicots
Family: Pyrolaceae
Notes
Common Names: Striped Wintergreen; Striped Prince's Pine
Growth Habit: Subshrub
Duration: Perennial
Origin: Native to the conterminous United States
Years Noted: 1984; 2004; 2007; 2017-2025
Deer Resistant: Yes
Winter-green Species: i.e., Is a species whose leaves develop in the fall and overwinter.
iNaturalist Observations from the GNA:
42659982 (Observed: 6/3/2019)
73155996 (Observed: 4/6/2021)
56966071 (Observed: 8/19/2020)
13713618 (Observed: 6/23/2018)
General Floristic References:
Rhoads, A. F. and T. A. Block (2007). The Plants of Pennsylvania. Philadelphia, PA, University of Pennsylvania Press (p. 735).
Wintergreen Species References:
Beatley, J. C. 1956. The winter-green herbaceous flowering plants of Ohio. The Ohio Journal of Science 56(6): 349-377.
Online Resources for Chimaphila maculata:
Images
Pyrola americana (American Wintergreen)
Group: Plants
Type: Flowering Plants - Dicots
Family: Pyrolaceae
Notes
Common Name: American Wintergreen
Growth Habit: Subshrub
Duration: Perennial
Origin: Native to the conterminous United States
Synonyms: Pyrola rotundifolia auct. non L. p.pYears Noted: 1984; 2007
Winter-green Species: i.e., Is a species whose leaves develop in the fall and overwinter.
General Floristic References:
Rhoads, A. F. and T. A. Block (2007). The Plants of Pennsylvania. Philadelphia, PA, University of Pennsylvania Press (p. 735).
Wintergreen Species References:
Beatley, J. C. 1956. The winter-green herbaceous flowering plants of Ohio. The Ohio Journal of Science 56(6): 349-377.
Bierzychudek, P. 1982. Life histories and demography of shade-tolerant temperate forest herbs. New Phytologist 90: 757-776.
Online Resources for Pyrola americana:
Pyrola elliptica (Waxflower Shinleaf)
Group: Plants
Type: Flowering Plants - Dicots
Family: Pyrolaceae
Notes
Common Name: Waxflower Shinleaf
Growth Habit: Subshrub
Duration: Perennial
Origin: Native to the conterminous United States
Years Noted: 1984; 2007; 2016-2018; 2020; 2023
Winter-green Species: i.e., Is a species whose leaves develop in the fall and overwinter.
iNaturalist Observations from the GNA:
164822415 (Observed: 5/31/2023)
General Floristic References:
Rhoads, A. F. and T. A. Block (2007). The Plants of Pennsylvania. Philadelphia, PA, University of Pennsylvania Press (p. 735).
Wintergreen Species References:
Beatley, J. C. 1956. The winter-green herbaceous flowering plants of Ohio. The Ohio Journal of Science 56(6): 349-377.
Bierzychudek, P. 1982. Life histories and demography of shade-tolerant temperate forest herbs. New Phytologist 90: 757-776.
Neufeld, H. S. and D. R. Young. 2003. Ecophysiology of the herbaceous layer in temperate deciduous forests. pp. 38-90. In: Gilliam, F. S. and M. R. Roberts (eds). The Herbaceous Layer in Forests of Eastern North America. Oxford University Press, New York, NY
Online Resources for Pyrola elliptica:
Images
Actaea racemosa (Black Cohosh)
Group: Plants
Type: Flowering Plants - Dicots
Family: Ranunculaceae
Notes
Common Names: Black Cohosh; Black Snakeroot; Black Baneberry
Growth Habit: Forb/herb
Duration: Perennial
Origin: Native to the conterminous United States
Synonyms: Cimicifuga racemosa (L.) NuttYears Noted: 1984; 2004; 2007; 2009; 2011; 2016-2025
Deer Resistant: Yes
iNaturalist Observations from the GNA:
310613114 (Observed: 8/30/2025)
42202386 (Observed: 4/14/2020)
51629766 (Observed: 7/1/2020)
General Floristic References:
Rhoads, A. F. and T. A. Block (2007). The Plants of Pennsylvania. Philadelphia, PA, University of Pennsylvania Press (p. 419).
Online Resources for Actaea racemosa:
Lady Bird Johnson Wildflower Center Plant Database
Images
Anemone quinquefolia (Wood Anemone)
Group: Plants
Type: Flowering Plants - Dicots
Family: Ranunculaceae
Notes
Common Name: Wood Anemone
Growth Habit: Forb/herb
Duration: Perennial
Origin: Native to the conterminous United States
Years Noted: 1984; 2004; 2007; 2017-2023; 2025
Dispersed By: Ants
iNaturalist Observations from the GNA:
74196932 (Observed: 4/16/2021)
42260768 (Observed: 4/15/2020)
General Floristic References:
Rhoads, A. F. and T. A. Block (2007). The Plants of Pennsylvania. Philadelphia, PA, University of Pennsylvania Press (p. 423).
Online Resources for Anemone quinquefolia:
iNaturalist (for the synonym Anemonoides quinquefolia)
Images
Anemone virginiana (Tall Thimbleweed)
Group: Plants
Type: Flowering Plants - Dicots
Family: Ranunculaceae
Notes
Common Name: Tall Thimbleweed
Growth Habit: Forb/herb
Duration: Perennial
Origin: Native to the conterminous United States
Year Noted: 1984
Winter-green Species: i.e., Is a species whose leaves develop in the fall and overwinter.
General Floristic References:
Rhoads, A. F. and T. A. Block (2007). The Plants of Pennsylvania. Philadelphia, PA, University of Pennsylvania Press (p. 423).
Wintergreen Species References:
Beatley, J. C. 1956. The winter-green herbaceous flowering plants of Ohio. The Ohio Journal of Science 56(6): 349-377.
Online Resources for Anemone virginiana:
Lady Bird Johnson Wildflower Center Plant Database
Consolida ajacis (Rocket Larkspur)
Group: Plants
Type: Flowering Plants - Dicots
Family: Ranunculaceae
Notes
Common Names: Rocket Larkspur; Doubtful Knight's-Spur
Growth Habit: Forb/herb
Duration: Annual
Origin: Not native to the conterminous United States
Year Noted: 2020
Dispersed By: Human Activities
Deer Resistant: Yes
Notes: Growing along the PECO right-of-way. Possibly planted as a dye plant, or brought in on someone's footwear.
iNaturalist Observations from the GNA:
51609558 (Observed: 7/1/2020)
Online Resources for Consolida ajacis:
Images
Hepatica nobilis var. obtusa (Roundlobe Hepatica)
Group: Plants
Type: Flowering Plants - Dicots
Family: Ranunculaceae
Notes
Common Name: Roundlobe Hepatica
Growth Habit: Forb/herb
Duration: Perennial
Origin: Native to the conterminous United States
Synonyms: Anemone americana (DC.) H. Hara; Hepatica americana (DC.) Ker GawlYears Noted: 1984; 2004; 2007; 2016-2022
Dispersed By: Ants
Winter-green Species: i.e., Is a species whose leaves develop in the fall and overwinter.
iNaturalist Observations from the GNA:
104421436 (Observed: 10/16/2021)
41791706 (Observed: 4/9/2020)
73155084 (Observed: 4/6/2021)
General Floristic References:
Rhoads, A. F. and T. A. Block (2007). The Plants of Pennsylvania. Philadelphia, PA, University of Pennsylvania Press (p. 422).
Wintergreen Species References:
Beatley, J. C. 1956. The winter-green herbaceous flowering plants of Ohio. The Ohio Journal of Science 56(6): 349-377.
Bierzychudek, P. 1982. Life histories and demography of shade-tolerant temperate forest herbs. New Phytologist 90: 757-776.
Online Resources for Hepatica nobilis var. obtusa:
iNaturalist (for the synonym Hepatica americana)
Lady Bird Johnson Wildflower Center Plant Database
Images
Hydrastis canadensis (Goldenseal)
Group: Plants
Type: Flowering Plants - Dicots
Family: Ranunculaceae
Notes
Common Name: Goldenseal
Growth Habit: Forb/herb
Duration: Perennial
Origin: Native to the conterminous United States
Year Noted: 1984
Dispersed By: Bats; Birds
General Floristic References:
Rhoads, A. F. and T. A. Block (2007). The Plants of Pennsylvania. Philadelphia, PA, University of Pennsylvania Press (p. 411).
Online Resources for Hydrastis canadensis:
Lady Bird Johnson Wildflower Center Plant Database
Ranunculus abortivus (Littleleaf Buttercup)
Group: Plants
Type: Flowering Plants - Dicots
Family: Ranunculaceae
Notes
Common Name: Littleleaf Buttercup
Growth Habit: Forb/herb
Duration: Biennial, Perennial
Origin: Native to the conterminous United States
Years Noted: 1984; 2004; 2007; 2017-2018; 2021-2022
Winter-green Species: i.e., Is a species whose leaves develop in the fall and overwinter.
iNaturalist Observations from the GNA:
113170995 (Observed: 4/27/2022)
77517800 (Observed: 5/5/2021)
General Floristic References:
Rhoads, A. F. and T. A. Block (2007). The Plants of Pennsylvania. Philadelphia, PA, University of Pennsylvania Press (p. 425).
Wintergreen Species References:
Beatley, J. C. 1956. The winter-green herbaceous flowering plants of Ohio. The Ohio Journal of Science 56(6): 349-377.
Online Resources for Ranunculus abortivus:
Ranunculus bulbosus (Bulbous Buttercup)
Group: Plants
Type: Flowering Plants - Dicots
Family: Ranunculaceae
Notes
Common Names: Bulbous Buttercup; St. Anthony's Turnip
Growth Habit: Forb/herb
Duration: Perennial
Origin: Not native to the conterminous United States
Years Noted: 1984; 2007-2008; 2017-2018; 2021
Dispersed By: Animals; General Zoochory; Water; Wind
iNaturalist Observations from the GNA:
78561413 (Observed: 5/12/2021)
General Floristic References:
Rhoads, A. F. and T. A. Block (2007). The Plants of Pennsylvania. Philadelphia, PA, University of Pennsylvania Press (p. 426).
Online Resources for Ranunculus bulbosus:
Images
Ranunculus ficaria (Lesser Celandine)
Group: Plants
Type: Flowering Plants - Dicots
Family: Ranunculaceae
Notes
Common Name: Lesser Celandine
Growth Habit: Forb/herb
Duration: Perennial
Origin: Not native to the conterminous United States
Pennsylvania DCNR Invasive Plants Rating: Rank 1 — "Severe Threat. Exotic plant species that possess characteristics of invasive species and spread easily into native plant communities and displace native vegetation. Includes species that are or could become widespread in Pennsylvania."
Years Noted: 1984; 2007-2008; 2010-2011; 2015-2026
Dispersed By: Ants; Human Activities; Water
Allelopathic: Yes
Deer Resistant: Yes
Winter-green Species: i.e., Is a species whose leaves develop in the fall and overwinter.
iNaturalist Observations from the GNA:
61578625 (Observed: 10/1/2020)
271104706 (Observed: 4/16/2025)
5639816 (Observed: 4/10/2017)
5641443 (Observed: 4/10/2017)
154172799 (Observed: 4/9/2023)
73240161 (Observed: 4/6/2021)
71844609 (Observed: 3/22/2021)
General Floristic References:
Rhoads, A. F. and T. A. Block (2007). The Plants of Pennsylvania. Philadelphia, PA, University of Pennsylvania Press (p. 427).
Online Resources for Ranunculus ficaria:
Images
Ranunculus hispidus (Bristly Buttercup)
Group: Plants
Type: Flowering Plants - Dicots
Family: Ranunculaceae
Notes
Common Name: Bristly Buttercup
Growth Habit: Forb/herb
Duration: Perennial
Origin: Native to the conterminous United States
Year Noted: 1984
General Floristic References:
Rhoads, A. F. and T. A. Block (2007). The Plants of Pennsylvania. Philadelphia, PA, University of Pennsylvania Press (p. 428).
Online Resources for Ranunculus hispidus:
Ranunculus recurvatus (Blisterwort)
Group: Plants
Type: Flowering Plants - Dicots
Family: Ranunculaceae
Notes
Common Name: Blisterwort
Growth Habit: Forb/herb
Duration: Perennial
Origin: Native to the conterminous United States
Years Noted: 1984; 2004; 2007; 2017-2018; 2021
Dispersed By: Animals; Deer
Winter-green Species: i.e., Is a species whose leaves develop in the fall and overwinter.
iNaturalist Observations from the GNA:
77879013 (Observed: 5/6/2021)
General Floristic References:
Rhoads, A. F. and T. A. Block (2007). The Plants of Pennsylvania. Philadelphia, PA, University of Pennsylvania Press (p. 430).
Wintergreen Species References:
Beatley, J. C. 1956. The winter-green herbaceous flowering plants of Ohio. The Ohio Journal of Science 56(6): 349-377.
Online Resources for Ranunculus recurvatus:
Images
Ranunculus sceleratus (Cursed Crowfoot)
Group: Plants
Type: Flowering Plants - Dicots
Family: Ranunculaceae
Notes
Common Names: Cursed Crowfoot; Cursed Buttercup
Growth Habit: Forb/herb
Duration: Annual, Perennial
Origin: Native to the conterminous United States
Years Noted: 1984; 2025
Northeast Wetland Status: OBL
Dispersed By: Animals; Ants; Birds; General Zoochory; Human Activities; Water
Winter-green Species: i.e., Is a species whose leaves develop in the fall and overwinter.
Notes: The largest gap in observations of any plant species in the Gordon: first noted in 1984 and not noted again until 2025! A poisonous plant: from Wikipedia (accessed: 5/16/2025): "While buttercups are toxic due to the presence of the substance protoanemonin, this applies in particular for the Cursed Buttercup: it is the most toxic buttercup and contains 2.5% protoanemonin. When the leaves are wrinkled, damaged or crushed, they bring out unsightly sores and blisters on human skin. All parts of the plant are considered to be poisonous. Side effects after ingestion can manifest themselves as extremely irritating to the skin and mucous membranes. It may cause sensation of pain and burning perceptions, tongue inflammation, and intensification in salivation. [Cited Source: Abid Aqsa, Mushtaq Ahmad, Muhammad Zafar, Sadia Zafar, Mohamed Fawzy Ramadan, Ashwaq T. Althobaiti, Shazia Sultana, Omer Kilic, Trobjon Makhkamov, Akramjon Yuldashev, Oybek Mamarakhimov, Khislat Khaydarov, Afat O. Mammadova, Komiljon Komilov, and Salman Majeed (December 2023). "Foliar epidermal and trichome micromorphological diversity among poisonous plants and their taxonomic significance". Folia Horticulturae. 35 (2): 243–274. doi:10.2478/fhort-2023-0019. ISSN 2083-5965.]
iNaturalist Observations from the GNA:
270466383 (Observed: 4/14/2025)
General Floristic References:
Rhoads, A. F. and T. A. Block (2007). The Plants of Pennsylvania. Philadelphia, PA, University of Pennsylvania Press (p. 431).
Wintergreen Species References:
Beatley, J. C. 1956. The winter-green herbaceous flowering plants of Ohio. The Ohio Journal of Science 56(6): 349-377.
Online Resources for Ranunculus sceleratus:
Images
Thalictrum dioicum (Early Meadow-Rue)
Group: Plants
Type: Flowering Plants - Dicots
Family: Ranunculaceae
Notes
Common Name: Early Meadow-Rue
Growth Habit: Forb/herb
Duration: Perennial
Origin: Native to the conterminous United States
Year Noted: 2017
Online Resources for Thalictrum dioicum:
Fire Effects Information System
Lady Bird Johnson Wildflower Center Plant Database
Thalictrum pubescens (King Of The Meadow)
Group: Plants
Type: Flowering Plants - Dicots
Family: Ranunculaceae
Notes
Common Name: King Of The Meadow
Growth Habit: Forb/herb
Duration: Perennial
Origin: Native to the conterminous United States
Years Noted: 1984; 2004; 2007; 2009; 2017-2020; 2022-2023; 2025
Northeast Wetland Status: FACW
iNaturalist Observations from the GNA:
53784601 (Observed: 7/20/2020)
General Floristic References:
Rhoads, A. F. and T. A. Block (2007). The Plants of Pennsylvania. Philadelphia, PA, University of Pennsylvania Press (p. 414).
Online Resources for Thalictrum pubescens:
Lady Bird Johnson Wildflower Center Plant Database
Images
Thalictrum thalictroides (Rue Anemone)
Group: Plants
Type: Flowering Plants - Dicots
Family: Ranunculaceae
Notes
Common Name: Rue Anemone
Growth Habit: Forb/herb
Duration: Perennial
Origin: Native to the conterminous United States
Synonyms: Anemonella thalictroides (L.) SpachYears Noted: 1984; 2007; 2011; 2016-2025
Deer Resistant: Yes
iNaturalist Observations from the GNA:
40996020 (Observed: 3/29/2020)
73156405 (Observed: 4/6/2021)
General Floristic References:
Rhoads, A. F. and T. A. Block (2007). The Plants of Pennsylvania. Philadelphia, PA, University of Pennsylvania Press (p. 415).
Online Resources for Thalictrum thalictroides:
Lady Bird Johnson Wildflower Center Plant Database
Images
Ceanothus americanus (New Jersey Tea)
Group: Plants
Type: Flowering Plants - Dicots
Family: Rhamnaceae
Notes
Common Name: New Jersey Tea
Growth Habit: Subshrub, Shrub
Duration: Perennial
Origin: Native to the conterminous United States
Years Noted: 1978; 1984
Listed as a "Bee Plant" By the Lady Bird Johnson Wildflower Center:
Native Bees; Supports Conservation Biological Control
General Floristic References:
Rhoads, A. F. and T. A. Block (2007). The Plants of Pennsylvania. Philadelphia, PA, University of Pennsylvania Press (p. 653).
Online Resources for Ceanothus americanus:
Fire Effects Information System
Lady Bird Johnson Wildflower Center Plant Database
Agrimonia gryposepala (Tall Hairy Agrimony)
Group: Plants
Type: Flowering Plants - Dicots
Family: Rosaceae
Notes
Common Name: Tall Hairy Agrimony
Growth Habit: Forb/herb
Duration: Perennial
Origin: Native to the conterminous United States
Years Noted: 1984; 2007; 2018; 2020; 2022
Winter-green Species: i.e., Is a species whose leaves develop in the fall and overwinter.
iNaturalist Observations from the GNA:
55848238 (Observed: 8/8/2020)
General Floristic References:
Rhoads, A. F. and T. A. Block (2007). The Plants of Pennsylvania. Philadelphia, PA, University of Pennsylvania Press (p. 627).
Wintergreen Species References:
Beatley, J. C. 1956. The winter-green herbaceous flowering plants of Ohio. The Ohio Journal of Science 56(6): 349-377.
Online Resources for Agrimonia gryposepala:
Images
Agrimonia microcarpa (Smallfruit Agrimony)
Group: Plants
Type: Flowering Plants - Dicots
Family: Rosaceae
Notes
Common Name: Smallfruit Agrimony
Growth Habit: Forb/herb
Duration: Perennial
Origin: Native to the conterminous United States
Years Noted: 2007; 2009
General Floristic References:
Rhoads, A. F. and T. A. Block (2007). The Plants of Pennsylvania. Philadelphia, PA, University of Pennsylvania Press (p. 627).
Online Resources for Agrimonia microcarpa:
Agrimonia parviflora (Harvestlice)
Group: Plants
Type: Flowering Plants - Dicots
Family: Rosaceae
Notes
Common Name: Harvestlice
Growth Habit: Forb/herb
Duration: Perennial
Origin: Native to the conterminous United States
Years Noted: 1984; 2004; 2007; 2016-2018
Deer Resistant: Yes
Winter-green Species: i.e., Is a species whose leaves develop in the fall and overwinter.
General Floristic References:
Rhoads, A. F. and T. A. Block (2007). The Plants of Pennsylvania. Philadelphia, PA, University of Pennsylvania Press (p. 627).
Wintergreen Species References:
Beatley, J. C. 1956. The winter-green herbaceous flowering plants of Ohio. The Ohio Journal of Science 56(6): 349-377.
Online Resources for Agrimonia parviflora:
Agrimonia pubescens (Soft Agrimony)
Group: Plants
Type: Flowering Plants - Dicots
Family: Rosaceae
Notes
Common Name: Soft Agrimony
Growth Habit: Forb/herb
Duration: Perennial
Origin: Native to the conterminous United States
Years Noted: 1984; 2004; 2007; 2017-2018
General Floristic References:
Rhoads, A. F. and T. A. Block (2007). The Plants of Pennsylvania. Philadelphia, PA, University of Pennsylvania Press (p. 627).
Online Resources for Agrimonia pubescens:
Images
Crataegus crus. galli (Cockspur Hawthorn)
Group: Plants
Type: Flowering Plants - Dicots
Family: Rosaceae
Notes
Common Name: Cockspur Hawthorn
Growth Habit: Tree, Shrub
Duration: Perennial
Origin: Native to the conterminous United States
Year Noted: 2004
Dispersed By: Animals; Birds
Deer Resistant: Yes
Listed As a Monarch Butterfly Plant In: Illinois Wildflowers
Listed as a "Bee Plant" By the Lady Bird Johnson Wildflower Center:
Native Bees; Supports Conservation Biological Control
General Floristic References:
Rhoads, A. F. and T. A. Block (2005). Trees of Pennsylvania. A Complete Reference Guide. Philadelphia, PA, University of Pennsylvania Press (p. 123-124).
Rhoads, A. F. and T. A. Block (2007). The Plants of Pennsylvania. Philadelphia, PA, University of Pennsylvania Press (p. 645).
Monarch Butterfly References
Illinois Wildflowers. 2022. Page for Danaus plexipes. Data Downloaded 8/17/22: http://www.illinoiswildflowers.info/flower_insects/insects/moths/danaus_plexippus.htm.
Online Resources for Crataegus crus-galli:
Crataegus phaenopyrum (Washington Hawthorn)
Group: Plants
Type: Flowering Plants - Dicots
Family: Rosaceae
Notes
Common Name: Washington Hawthorn
Growth Habit: Tree, Shrub
Duration: Perennial
Origin: Native to the conterminous United States
Years Noted: 2007-2008; 2017-2018
Bee Beneficial: Yes
Listed as a "Bee Plant" By the Lady Bird Johnson Wildflower Center:
Native Bees
General Floristic References:
Rhoads, A. F. and T. A. Block (2005). Trees of Pennsylvania. A Complete Reference Guide. Philadelphia, PA, University of Pennsylvania Press (p. 132).
Rhoads, A. F. and T. A. Block (2007). The Plants of Pennsylvania. Philadelphia, PA, University of Pennsylvania Press (p. 647).
Online Resources for Crataegus phaenopyrum:
Lady Bird Johnson Wildflower Center Plant Database
Duchesnea indica (Indian Strawberry)
Group: Plants
Type: Flowering Plants - Dicots
Family: Rosaceae
Notes
Common Name: Indian Strawberry
Growth Habit: Forb/herb
Duration: Perennial
Origin: Not native to the conterminous United States
Years Noted: 1984; 2007; 2012; 2016-2026
Deer Resistant: Yes
Winter-green Species: i.e., Is a species whose leaves develop in the fall and overwinter.
iNaturalist Observations from the GNA:
45208513 (Observed: 5/7/2020)
Online Resources for Duchesnea indica:
Images
Fragaria virginiana (Virginia Strawberry)
Group: Plants
Type: Flowering Plants - Dicots
Family: Rosaceae
Notes
Common Name: Virginia Strawberry
Growth Habit: Forb/herb
Duration: Perennial
Origin: Native to the conterminous United States
Years Noted: 1984; 2007-2008; 2011; 2013; 2016-2018; 2025
Deer Resistant: Yes
Listed as a "Bee Plant" By the Lady Bird Johnson Wildflower Center:
Native Bees; Supports Conservation Biological Control
Winter-green Species: i.e., Is a species whose leaves develop in the fall and overwinter.
General Floristic References:
Rhoads, A. F. and T. A. Block (2007). The Plants of Pennsylvania. Philadelphia, PA, University of Pennsylvania Press (p. 635).
Wintergreen Species References:
Beatley, J. C. 1956. The winter-green herbaceous flowering plants of Ohio. The Ohio Journal of Science 56(6): 349-377.
Online Resources for Fragaria virginiana:
Lady Bird Johnson Wildflower Center Plant Database
Geum canadense (White Avens)
Group: Plants
Type: Flowering Plants - Dicots
Family: Rosaceae
Notes
Common Name: White Avens
Growth Habit: Forb/herb
Duration: Perennial
Origin: Native to the conterminous United States
Years Noted: 1984; 2004; 2007; 2009; 2011-2012; 2016-2026
Winter-green Species: i.e., Is a species whose leaves develop in the fall and overwinter.
iNaturalist Observations from the GNA:
310247506 (Observed: 8/30/2025)
123847095 (Observed: 6/27/2022)
42062318 (Observed: 4/12/2020)
General Floristic References:
Rhoads, A. F. and T. A. Block (2007). The Plants of Pennsylvania. Philadelphia, PA, University of Pennsylvania Press (p. 618).
Wintergreen Species References:
Beatley, J. C. 1956. The winter-green herbaceous flowering plants of Ohio. The Ohio Journal of Science 56(6): 349-377.
Online Resources for Geum canadense:
Images
Malus baccata (Siberian Crabapple)
Group: Plants
Type: Flowering Plants - Dicots
Family: Rosaceae
Notes
Common Name: Siberian Crabapple
Growth Habit: Tree, Shrub
Duration: Perennial
Origin: Not native to the conterminous United States
Years Noted: 2020; 2022-2023; 2025
Notes: A couple of individuals noted in the meadow at the eastern end of the Gordon (Area G1M).
iNaturalist Observations from the GNA:
158712429 (Observed: 5/1/2023)
62070483 (Observed: 10/8/2020)
General Floristic References:
Rhoads, A. F. and T. A. Block (2005). Trees of Pennsylvania. A Complete Reference Guide. Philadelphia, PA, University of Pennsylvania Press (p. 92).
Rhoads, A. F. and T. A. Block (2007). The Plants of Pennsylvania. Philadelphia, PA, University of Pennsylvania Press (p. 652).
Online Resources for Malus baccata:
Images
Malus pumila (Paradise Apple)
Group: Plants
Type: Flowering Plants - Dicots
Family: Rosaceae
Notes
Common Name: Paradise Apple
Growth Habit: Tree
Duration: Perennial
Origin: Not native to the conterminous United States
Years Noted: 2007; 2017-2018; 2021-2023
iNaturalist Observations from the GNA:
75468048 (Observed: 4/27/2021)
General Floristic References:
Rhoads, A. F. and T. A. Block (2005). Trees of Pennsylvania. A Complete Reference Guide. Philadelphia, PA, University of Pennsylvania Press (p. 23-24).
Rhoads, A. F. and T. A. Block (2007). The Plants of Pennsylvania. Philadelphia, PA, University of Pennsylvania Press (p. 653).
Online Resources for Malus pumila:
Images
Photinia villosa (Oriental Photinia)
Group: Plants
Type: Flowering Plants - Dicots
Family: Rosaceae
Notes
Common Names: Oriental Photinia; Christmas Berry
Growth Habit: Tree, Shrub
Duration: Perennial
Origin: Not native to the conterminous United States
Year Noted: 2017
General Floristic References:
Rhoads, A. F. and T. A. Block (2005). Trees of Pennsylvania. A Complete Reference Guide. Philadelphia, PA, University of Pennsylvania Press (p. 257-258).
Rhoads, A. F. and T. A. Block (2007). The Plants of Pennsylvania. Philadelphia, PA, University of Pennsylvania Press (p. 643).
Online Resources for Photinia villosa:
iNaturalist (for the synonym Pourthiaea villosa)
Potentilla canadensis (Dwarf Cinquefoil)
Group: Plants
Type: Flowering Plants - Dicots
Family: Rosaceae
Notes
Common Name: Dwarf Cinquefoil
Growth Habit: Forb/herb
Duration: Perennial
Origin: Native to the conterminous United States
Years Noted: 1984; 2004; 2007-2008; 2017-2018
Bee Beneficial: Yes
Listed as a "Bee Plant" By the Lady Bird Johnson Wildflower Center:
Native Bees
General Floristic References:
Rhoads, A. F. and T. A. Block (2007). The Plants of Pennsylvania. Philadelphia, PA, University of Pennsylvania Press (p. 633).
Online Resources for Potentilla canadensis:
Potentilla norvegica (Norwegian Cinquefoil)
Group: Plants
Type: Flowering Plants - Dicots
Family: Rosaceae
Notes
Common Name: Norwegian Cinquefoil
Growth Habit: Forb/herb
Duration: Annual, Biennial, Perennial
Origin: Native to the conterminous United States
Year Noted: 1984
Dispersed By: Animals; Ants; Deer; General Zoochory; Human Activities; Water
Bee Beneficial: Yes
Listed as a "Bee Plant" By the Lady Bird Johnson Wildflower Center:
Native Bees
Winter-green Species: i.e., Is a species whose leaves develop in the fall and overwinter.
General Floristic References:
Rhoads, A. F. and T. A. Block (2007). The Plants of Pennsylvania. Philadelphia, PA, University of Pennsylvania Press (p. 634).
Wintergreen Species References:
Beatley, J. C. 1956. The winter-green herbaceous flowering plants of Ohio. The Ohio Journal of Science 56(6): 349-377.
Online Resources for Potentilla norvegica:
Potentilla recta (Sulphur Cinquefoil)
Group: Plants
Type: Flowering Plants - Dicots
Family: Rosaceae
Notes
Common Name: Sulphur Cinquefoil
Growth Habit: Forb/herb
Duration: Perennial
Origin: Not native to the conterminous United States
Years Noted: 1984; 2007; 2017
Dispersed By: Animals; Ants; Deer; General Zoochory; Water
Winter-green Species: i.e., Is a species whose leaves develop in the fall and overwinter.
Wintergreen Species References:
Beatley, J. C. 1956. The winter-green herbaceous flowering plants of Ohio. The Ohio Journal of Science 56(6): 349-377.
Online Resources for Potentilla recta:
Fire Effects Information System
Potentilla simplex (Common Cinquefoil)
Group: Plants
Type: Flowering Plants - Dicots
Family: Rosaceae
Notes
Common Name: Common Cinquefoil
Growth Habit: Forb/herb
Duration: Perennial
Origin: Native to the conterminous United States
Years Noted: 1984; 2007; 2017-2018
Bee Beneficial: Yes
Deer Resistant: Yes
Listed as a "Bee Plant" By the Lady Bird Johnson Wildflower Center:
Native Bees
Winter-green Species: i.e., Is a species whose leaves develop in the fall and overwinter.
General Floristic References:
Rhoads, A. F. and T. A. Block (2007). The Plants of Pennsylvania. Philadelphia, PA, University of Pennsylvania Press (p. 635).
Wintergreen Species References:
Beatley, J. C. 1956. The winter-green herbaceous flowering plants of Ohio. The Ohio Journal of Science 56(6): 349-377.
Online Resources for Potentilla simplex:
Prunus avium (Sweet Cherry)
Group: Plants
Type: Flowering Plants - Dicots
Family: Rosaceae
Notes
Common Name: Sweet Cherry
Growth Habit: Tree
Duration: Perennial
Origin: Not native to the conterminous United States
Years Noted: 1970; 1984; 2004; 2007; 2009; 2016-2023; 2025
Dispersed By: Animals; Birds; General Zoochory
iNaturalist Observations from the GNA:
76696563 (Observed: 4/30/2021)
General Floristic References:
Rhoads, A. F. and T. A. Block (2005). Trees of Pennsylvania. A Complete Reference Guide. Philadelphia, PA, University of Pennsylvania Press (p. 78).
Rhoads, A. F. and T. A. Block (2007). The Plants of Pennsylvania. Philadelphia, PA, University of Pennsylvania Press (p. 639).
Online Resources for Prunus avium:
Images
Prunus serotina (Black Cherry)
Group: Plants
Type: Flowering Plants - Dicots
Family: Rosaceae
Notes
Common Name: Black Cherry
Growth Habit: Tree, Shrub
Duration: Perennial
Origin: Native to the conterminous United States
Years Noted: 1967; 1970; 1984; 1992; 2002; 2004-2005; 2007-2014; 2016-2026
Dispersed By: Animals; Birds
Allelopathic: Yes
Listed As a Monarch Butterfly Plant In: Illinois Wildflowers
Listed as a "Bee Plant" By the Lady Bird Johnson Wildflower Center:
Native Bees; Bumble Bees; Honey Bees; Supports Conservation Biological Control
iNaturalist Observations from the GNA:
156596126 (Observed: 4/25/2023)
General Floristic References:
Rhoads, A. F. and T. A. Block (2005). Trees of Pennsylvania. A Complete Reference Guide. Philadelphia, PA, University of Pennsylvania Press (p. 71-73).
Rhoads, A. F. and T. A. Block (2007). The Plants of Pennsylvania. Philadelphia, PA, University of Pennsylvania Press (p. 640).
Monarch Butterfly References
Illinois Wildflowers. 2022. Page for Danaus plexipes. Data Downloaded 8/17/22: http://www.illinoiswildflowers.info/flower_insects/insects/moths/danaus_plexippus.htm.
Online Resources for Prunus serotina:
Fire Effects Information System
Lady Bird Johnson Wildflower Center Plant Database
Images
Prunus subhirtella (Winter-flowering Cherry)
Group: Plants
Type: Flowering Plants - Dicots
Family: Rosaceae
Notes
Common Names: Winter-flowering Cherry; Rosebud Cherry; Higan Cherry
Growth Habit: Tree
Duration: Perennial
Origin: Not native to the conterminous United States
Years Noted: 2004; 2007; 2011-2012; 2016-2026
iNaturalist Observations from the GNA:
40669143 (Observed: 3/24/2020)
73236439 (Observed: 4/7/2021)
60652348 (Observed: 9/24/2020)
General Floristic References:
Rhoads, A. F. and T. A. Block (2005). Trees of Pennsylvania. A Complete Reference Guide. Philadelphia, PA, University of Pennsylvania Press (p. 76).
Rhoads, A. F. and T. A. Block (2007). The Plants of Pennsylvania. Philadelphia, PA, University of Pennsylvania Press (p. 637).
Online Resources for Prunus subhirtella:
iNaturalist (for the synonym Prunus × subhirtella)
Images
Pyrus calleryana (Callery Pear)
Group: Plants
Type: Flowering Plants - Dicots
Family: Rosaceae
Notes
Common Name: Callery Pear
Growth Habit: Tree
Duration: Perennial
Origin: Not native to the conterminous United States
Pennsylvania DCNR Invasive Plants Rating: Rank 2 — "Significant Threat. Exotic plant species that possess characteristics of invasive species but are not presently considered to spread as easily and aggressively into native plant communities as those species listed as Rank 1."
Years Noted: 2007; 2018; 2022-2025
iNaturalist Observations from the GNA:
270656696 (Observed: 4/7/2025)
110836677 (Observed: 4/8/2022)
General Floristic References:
Rhoads, A. F. and T. A. Block (2005). Trees of Pennsylvania. A Complete Reference Guide. Philadelphia, PA, University of Pennsylvania Press (p. 251-253).
Online Resources for Pyrus calleryana:
Images
Rhodotypos scandens (Jetbead)
Group: Plants
Type: Flowering Plants - Dicots
Family: Rosaceae
Notes
Common Name: Jetbead
Growth Habit: Shrub
Duration: Perennial
Origin: Not native to the conterminous United States
Pennsylvania DCNR Invasive Plants Rating: Rank 1 — "Severe Threat. Exotic plant species that possess characteristics of invasive species and spread easily into native plant communities and displace native vegetation. Includes species that are or could become widespread in Pennsylvania."
Years Noted: 2004; 2007; 2016-2020; 2022-2025
iNaturalist Observations from the GNA:
113170856 (Observed: 4/27/2022)
118573024 (Observed: 5/24/2022)
42202301 (Observed: 4/14/2020)
Online Resources for Rhodotypos scandens:
Images
Rosa multiflora (Multiflora Rose)
Group: Plants
Type: Flowering Plants - Dicots
Family: Rosaceae
Notes
Common Name: Multiflora Rose
Growth Habit: Vine, Subshrub
Duration: Perennial
Origin: Not native to the conterminous United States
Pennsylvania DCNR Invasive Plants Rating: Rank 1 — "Severe Threat. Exotic plant species that possess characteristics of invasive species and spread easily into native plant communities and displace native vegetation. Includes species that are or could become widespread in Pennsylvania."
Years Noted: 1984; 1999; 2004; 2007-2009; 2011-2013; 2015-2026
Dispersed By: Animals; Birds; Deer; Mammals (non-bat)
iNaturalist Observations from the GNA:
310248413 (Observed: 8/30/2025)
163180145 (Observed: 5/22/2023)
5641633 (Observed: 4/10/2017)
57564933 (Observed: 5/20/2019)
General Floristic References:
Rhoads, A. F. and T. A. Block (2007). The Plants of Pennsylvania. Philadelphia, PA, University of Pennsylvania Press (p. 630).
Online Resources for Rosa multiflora:
Fire Effects Information System
Images
Rosa rubiginosa (Sweetbriar Rose)
Group: Plants
Type: Flowering Plants - Dicots
Family: Rosaceae
Notes
Common Name: Sweetbriar Rose
Growth Habit: Subshrub
Duration: Perennial
Origin: Not native to the conterminous United States
Year Noted: 2018
Online Resources for Rosa rubiginosa:
Rosa wichuraiana (Memorial Rose)
Group: Plants
Type: Flowering Plants - Dicots
Family: Rosaceae
Notes
Common Name: Memorial Rose
Growth Habit: Vine, Subshrub
Duration: Perennial
Origin: Not native to the conterminous United States
Years Noted: 2023; 2025
Dispersed By: Birds; Mammals (non-bat)
iNaturalist Observations from the GNA:
301557255 (Observed: 6/13/2025)
288474131 (Observed: 6/10/2025)
168515292 (Observed: 6/20/2023)
167360493 (Observed: 6/13/2023)
General Floristic References:
Rhoads, A. F. and T. A. Block (2007). The Plants of Pennsylvania. Philadelphia, PA, University of Pennsylvania Press (p. 632).
Online Resources for Rosa wichuraiana:
Rubus allegheniensis (Allegheny Blackberry)
Group: Plants
Type: Flowering Plants - Dicots
Family: Rosaceae
Notes
Common Name: Allegheny Blackberry
Growth Habit: Subshrub
Duration: Perennial
Origin: Native to the conterminous United States
Years Noted: 1965; 1971; 1984; 1999; 2004; 2007; 2009; 2012; 2016-2025
Dispersed By: Animals; Birds; Deer
Deer Resistant: Yes
Listed as a "Bee Plant" By the Lady Bird Johnson Wildflower Center:
Native Bees; Bumble Bees; Honey Bees; Nesting Materials
iNaturalist Observations from the GNA:
79440208 (Observed: 5/19/2021)
57559248 (Observed: 5/20/2019)
General Floristic References:
Rhoads, A. F. and T. A. Block (2007). The Plants of Pennsylvania. Philadelphia, PA, University of Pennsylvania Press (p. 622).
Online Resources for Rubus allegheniensis:
Images
Rubus flagellaris (Northern Dewberry)
Group: Plants
Type: Flowering Plants - Dicots
Family: Rosaceae
Notes
Common Name: Northern Dewberry
Growth Habit: Subshrub
Duration: Perennial
Origin: Native to the conterminous United States
Years Noted: 2004; 2007; 2009; 2011-2012; 2016-2018; 2021-2022; 2024
Dispersed By: Animals; Birds; Deer; Mammals (non-bat)
Listed as a "Bee Plant" By the Lady Bird Johnson Wildflower Center:
Native Bees; Bumble Bees; Nesting Materials
iNaturalist Observations from the GNA:
80289880 (Observed: 5/25/2021)
78642987 (Observed: 5/13/2021)
General Floristic References:
Rhoads, A. F. and T. A. Block (2007). The Plants of Pennsylvania. Philadelphia, PA, University of Pennsylvania Press (p. 623).
Online Resources for Rubus flagellaris:
Images
Rubus occidentalis (Black Raspberry)
Group: Plants
Type: Flowering Plants - Dicots
Family: Rosaceae
Notes
Common Name: Black Raspberry
Growth Habit: Subshrub
Duration: Perennial
Origin: Native to the conterminous United States
Years Noted: 1971; 1984; 2004; 2007; 2009; 2011; 2017-2018; 2020-2023
Dispersed By: Animals; Birds; Deer
Listed as a "Bee Plant" By the Lady Bird Johnson Wildflower Center:
Native Bees; Bumble Bees; Honey Bees; Nesting Materials
iNaturalist Observations from the GNA:
79199279 (Observed: 5/17/2021)
General Floristic References:
Rhoads, A. F. and T. A. Block (2007). The Plants of Pennsylvania. Philadelphia, PA, University of Pennsylvania Press (p. 624).
Online Resources for Rubus occidentalis:
Images
Rubus odoratus (Purpleflowering Raspberry)
Group: Plants
Type: Flowering Plants - Dicots
Family: Rosaceae
Notes
Common Name: Purpleflowering Raspberry
Growth Habit: Subshrub
Duration: Perennial
Origin: Native to the conterminous United States
Year Noted: 2007
Dispersed By: Animals; Birds; Mammals (non-bat)
Listed as a "Bee Plant" By the Lady Bird Johnson Wildflower Center:
Native Bees; Bumble Bees; Honey Bees; Nesting Materials
General Floristic References:
Rhoads, A. F. and T. A. Block (2007). The Plants of Pennsylvania. Philadelphia, PA, University of Pennsylvania Press (p. 625).
Online Resources for Rubus odoratus:
Lady Bird Johnson Wildflower Center Plant Database
Rubus phoenicolasius (Wineberry)
Group: Plants
Type: Flowering Plants - Dicots
Family: Rosaceae
Notes
Common Names: Wineberry; Wine Raspberry
Growth Habit: Subshrub
Duration: Perennial
Origin: Not native to the conterminous United States
Pennsylvania DCNR Invasive Plants Rating: Rank 2 — "Significant Threat. Exotic plant species that possess characteristics of invasive species but are not presently considered to spread as easily and aggressively into native plant communities as those species listed as Rank 1."
Years Noted: 1965; 1971; 1984; 2004; 2007-2009; 2011-2026
Dispersed By: Animals; Birds; Deer
iNaturalist Observations from the GNA:
310247450 (Observed: 8/30/2025)
171467558 (Observed: 7/6/2023)
57569201 (Observed: 5/20/2019)
Online Resources for Rubus phoenicolasius:
Images
Rubus recurvicaulis (Arching Dewberry)
Group: Plants
Type: Flowering Plants - Dicots
Family: Rosaceae
Notes
Common Name: Arching Dewberry
Growth Habit: Subshrub
Duration: Perennial
Origin: Native to the conterminous United States
Year Noted: 2009
Listed as a "Bee Plant" By the Lady Bird Johnson Wildflower Center:
Native Bees; Bumble Bees; Nesting Materials
Online Resources for Rubus recurvicaulis:
Spiraea prunifolia (Bridalwreath Spirea)
Group: Plants
Type: Flowering Plants - Dicots
Family: Rosaceae
Notes
Common Name: Bridalwreath Spirea
Growth Habit: Shrub
Duration: Perennial
Origin: Not native to the conterminous United States
Year Noted: 2020
Deer Resistant: Yes
iNaturalist Observations from the GNA:
41775226 (Observed: 4/9/2020)
Online Resources for Spiraea prunifolia:
Images
Galium aparine (Stickywilly)
Group: Plants
Type: Flowering Plants - Dicots
Family: Rubiaceae
Notes
Common Name: Stickywilly
Growth Habit: Forb/herb, Vine
Duration: Annual
Origin: Native to the conterminous United States
Years Noted: 1975-1985; 1991; 2007; 2016-2018; 2020-2025
Dispersed By: Animals; Animals (Accidental); Birds; General Zoochory; Human Activities; Mammals (non-bat); Water
Winter-green Species: i.e., Is a species whose leaves develop in the fall and overwinter.
iNaturalist Observations from the GNA:
41856750 (Observed: 4/10/2020)
67764919 (Observed: 1/8/2021)
General Floristic References:
Rhoads, A. F. and T. A. Block (2007). The Plants of Pennsylvania. Philadelphia, PA, University of Pennsylvania Press (p. 760).
Wintergreen Species References:
Beatley, J. C. 1956. The winter-green herbaceous flowering plants of Ohio. The Ohio Journal of Science 56(6): 349-377.
Brewer, R. 1980. A half-century of changes in the herb layer of a climax deciduous forest in Michigan. Journal of Ecology 68: 823-832.
Online Resources for Galium aparine:
Fire Effects Information System
Images
Galium asprellum (Rough Bedstraw)
Group: Plants
Type: Flowering Plants - Dicots
Family: Rubiaceae
Notes
Common Name: Rough Bedstraw
Growth Habit: Forb/herb
Duration: Perennial
Origin: Native to the conterminous United States
Years Noted: 1984; 2004; 2007; 2017
Northeast Wetland Status: OBL
General Floristic References:
Rhoads, A. F. and T. A. Block (2007). The Plants of Pennsylvania. Philadelphia, PA, University of Pennsylvania Press (p. 761).
Online Resources for Galium asprellum:
Galium circaezans (Licorice Bedstraw)
Group: Plants
Type: Flowering Plants - Dicots
Family: Rubiaceae
Notes
Common Name: Licorice Bedstraw
Growth Habit: Subshrub, Forb/herb
Duration: Perennial
Origin: Native to the conterminous United States
Years Noted: 1984; 2004; 2007; 2017-2019; 2022
Dispersed By: Ants
iNaturalist Observations from the GNA:
319410893 (Observed: 9/24/2025)
General Floristic References:
Rhoads, A. F. and T. A. Block (2007). The Plants of Pennsylvania. Philadelphia, PA, University of Pennsylvania Press (p. 761).
Online Resources for Galium circaezans:
Lady Bird Johnson Wildflower Center Plant Database
Images
Galium lanceolatum (Lanceleaf Wild Licorice)
Group: Plants
Type: Flowering Plants - Dicots
Family: Rubiaceae
Notes
Common Name: Lanceleaf Wild Licorice
Growth Habit: Forb/herb
Duration: Perennial
Origin: Native to the conterminous United States
Years Noted: 1984; 2004; 2007; 2017
General Floristic References:
Rhoads, A. F. and T. A. Block (2007). The Plants of Pennsylvania. Philadelphia, PA, University of Pennsylvania Press (p. 762).
Online Resources for Galium lanceolatum:
Images
Galium mollugo (False Babys Breath)
Group: Plants
Type: Flowering Plants - Dicots
Family: Rubiaceae
Notes
Common Names: False Baby's Breath; Hedge Bedstraw
Growth Habit: Forb/herb
Duration: Perennial
Origin: Not native to the conterminous United States
Years Noted: 2007; 2017-2018; 2022
Dispersed By: Animals; Deer; General Zoochory; Rain (Assisted, i.e., ombrochory); Water
Allelopathic: Yes
iNaturalist Observations from the GNA:
120700804 (Observed: 6/7/2022)
Online Resources for Galium mollugo:
Images
Galium pilosum (Hairy Bedstraw)
Group: Plants
Type: Flowering Plants - Dicots
Family: Rubiaceae
Notes
Common Name: Hairy Bedstraw
Growth Habit: Forb/herb
Duration: Perennial
Origin: Native to the conterminous United States
Year Noted: 2007
Winter-green Species: i.e., Is a species whose leaves develop in the fall and overwinter.
General Floristic References:
Rhoads, A. F. and T. A. Block (2007). The Plants of Pennsylvania. Philadelphia, PA, University of Pennsylvania Press (p. 763).
Wintergreen Species References:
Beatley, J. C. 1956. The winter-green herbaceous flowering plants of Ohio. The Ohio Journal of Science 56(6): 349-377.
Online Resources for Galium pilosum:
Galium tinctorium (Stiff Marsh Bedstraw)
Group: Plants
Type: Flowering Plants - Dicots
Family: Rubiaceae
Notes
Common Name: Stiff Marsh Bedstraw
Growth Habit: Forb/herb
Duration: Perennial
Origin: Native to the conterminous United States
Year Noted: 2004
Northeast Wetland Status: OBL
Dispersed By: Animals; Ballistic; General Zoochory; Water
General Floristic References:
Rhoads, A. F. and T. A. Block (2007). The Plants of Pennsylvania. Philadelphia, PA, University of Pennsylvania Press (p. 763).
Online Resources for Galium tinctorium:
Galium triflorum (Fragrant Bedstraw)
Group: Plants
Type: Flowering Plants - Dicots
Family: Rubiaceae
Notes
Common Name: Fragrant Bedstraw
Growth Habit: Vine, Forb/herb
Duration: Perennial
Origin: Native to the conterminous United States
Years Noted: 1984; 2004; 2007; 2009; 2011; 2015; 2017-2018
Dispersed By: Animals; General Zoochory
Winter-green Species: i.e., Is a species whose leaves develop in the fall and overwinter.
General Floristic References:
Rhoads, A. F. and T. A. Block (2007). The Plants of Pennsylvania. Philadelphia, PA, University of Pennsylvania Press (p. 764).
Wintergreen Species References:
Beatley, J. C. 1956. The winter-green herbaceous flowering plants of Ohio. The Ohio Journal of Science 56(6): 349-377.
Online Resources for Galium triflorum:
Images
Houstonia caerulea (Azure Bluet)
Group: Plants
Type: Flowering Plants - Dicots
Family: Rubiaceae
Notes
Common Name: Azure Bluet
Growth Habit: Forb/herb
Duration: Perennial
Origin: Native to the conterminous United States
Synonyms: Hedyotis caerulea (L.) HookYear Noted: 1984
Winter-green Species: i.e., Is a species whose leaves develop in the fall and overwinter.
General Floristic References:
Rhoads, A. F. and T. A. Block (2007). The Plants of Pennsylvania. Philadelphia, PA, University of Pennsylvania Press (p. 758).
Wintergreen Species References:
Beatley, J. C. 1956. The winter-green herbaceous flowering plants of Ohio. The Ohio Journal of Science 56(6): 349-377.
Online Resources for Houstonia caerulea:
Mitchella repens (Partridgeberry)
Group: Plants
Type: Flowering Plants - Dicots
Family: Rubiaceae
Notes
Common Name: Partridgeberry
Growth Habit: Subshrub, Forb/herb
Duration: Perennial
Origin: Native to the conterminous United States
Years Noted: 1984; 2004; 2007; 2016-2020; 2023-2025
Deer Resistant: Yes
Winter-green Species: i.e., Is a species whose leaves develop in the fall and overwinter.
iNaturalist Observations from the GNA:
229546740 (Observed: 7/15/2024)
13081795 (Observed: 6/3/2018)
174087342 (Observed: 7/20/2023)
General Floristic References:
Rhoads, A. F. and T. A. Block (2007). The Plants of Pennsylvania. Philadelphia, PA, University of Pennsylvania Press (p. 757).
Wintergreen Species References:
Beatley, J. C. 1956. The winter-green herbaceous flowering plants of Ohio. The Ohio Journal of Science 56(6): 349-377.
Bierzychudek, P. 1982. Life histories and demography of shade-tolerant temperate forest herbs. New Phytologist 90: 757-776.
Neufeld, H. S. and D. R. Young. 2003. Ecophysiology of the herbaceous layer in temperate deciduous forests. pp. 38-90. In: Gilliam, F. S. and M. R. Roberts (eds). The Herbaceous Layer in Forests of Eastern North America. Oxford University Press, New York, NY
Online Resources for Mitchella repens:
Fire Effects Information System
Lady Bird Johnson Wildflower Center Plant Database
Images
Phellodendron japonicum (Japanese Corktree)
Group: Plants
Type: Flowering Plants - Dicots
Family: Rutaceae
Notes
Common Name: Japanese Corktree
Growth Habit: Tree
Duration: Perennial
Origin: Not native to the conterminous United States
Pennsylvania DCNR Invasive Plants Rating: Rank 2 — "Significant Threat. Exotic plant species that possess characteristics of invasive species but are not presently considered to spread as easily and aggressively into native plant communities as those species listed as Rank 1."
Year Noted: 2018
General Floristic References:
Rhoads, A. F. and T. A. Block (2005). Trees of Pennsylvania. A Complete Reference Guide. Philadelphia, PA, University of Pennsylvania Press (p. 89-90).
Online Resources for Phellodendron japonicum:
Populus deltoides (Eastern Cottonwood)
Group: Plants
Type: Flowering Plants - Dicots
Family: Salicaceae
Notes
Lenape Name: këkchëkwipahkihëlas. Note: The Lenape name is that which was used for the that genus of plants.
Common Name: Eastern Cottonwood
Growth Habit: Tree
Duration: Perennial
Origin: Native to the conterminous United States
Years Noted: 2007; 2019-2025
Dispersed By: Water; Wind
Allelopathic: Yes
Deer Resistant: Yes
iNaturalist Observations from the GNA:
83678275 (Observed: 6/18/2021)
26066113 (Observed: 5/30/2019)
Source for Lenape Name(s): delawaretribe.org/wp-content/uploads/Lenape-Names-of-Other-Trees.pdf
General Floristic References:
Rhoads, A. F. and T. A. Block (2005). Trees of Pennsylvania. A Complete Reference Guide. Philadelphia, PA, University of Pennsylvania Press (p. 282-284).
Rhoads, A. F. and T. A. Block (2007). The Plants of Pennsylvania. Philadelphia, PA, University of Pennsylvania Press (p. 537).
Online Resources for Populus deltoides:
Fire Effects Information System
Lady Bird Johnson Wildflower Center Plant Database
Images
Populus grandidentata (Bigtooth Aspen)
Group: Plants
Type: Flowering Plants - Dicots
Family: Salicaceae
Notes
Common Name: Bigtooth Aspen
Growth Habit: Tree
Duration: Perennial
Origin: Native to the conterminous United States
Years Noted: 2007; 2017
General Floristic References:
Rhoads, A. F. and T. A. Block (2005). Trees of Pennsylvania. A Complete Reference Guide. Philadelphia, PA, University of Pennsylvania Press (p. 280-282).
Rhoads, A. F. and T. A. Block (2007). The Plants of Pennsylvania. Philadelphia, PA, University of Pennsylvania Press (p. 537).
Online Resources for Populus grandidentata:
Fire Effects Information System
Salix ×pendulina (Weeping Crack Willow)
Group: Plants
Type: Flowering Plants - Dicots
Family: Salicaceae
Notes
Common Names: Weeping Crack Willow; Wisconsin Weeping Willow
Growth Habit: Tree, Shrub
Duration: Perennial
Origin: Not native to the conterminous United States
Years Noted: 2018; 2020; 2023-2026
Notes: The one individual noted in the Gordon had previously been misidentified as Salix babylonica (Weeping Willow) — a species which is known from various parts of the Gordon. According to the Kew Gardens website: "The native range of this hybrid is as naturally occuring between the native and naturalised parents. It is a tree and grows primarily in the temperate biome. The hybrid formula is S. alba × S. babylonica × S. euxina." - https://powo.science.kew.org/taxon/urn:lsid:ipni.org:names:778447-1 [Date Accessed: 2/24/2026]
iNaturalist Observations from the GNA:
58991164 (Observed: 9/8/2020)
Online Resources for Salix ×pendulina:
Salix babylonica (Weeping Willow)
Group: Plants
Type: Flowering Plants - Dicots
Family: Salicaceae
Notes
Common Name: Weeping Willow
Growth Habit: Tree
Duration: Perennial
Origin: Not native to the conterminous United States
Years Noted: 1984; 2007; 2017-2025
iNaturalist Observations from the GNA:
58991164 (Observed: 9/8/2020)
General Floristic References:
Rhoads, A. F. and T. A. Block (2005). Trees of Pennsylvania. A Complete Reference Guide. Philadelphia, PA, University of Pennsylvania Press (p. 349-350).
Online Resources for Salix babylonica:
Images
Salix nigra (Black Willow)
Group: Plants
Type: Flowering Plants - Dicots
Family: Salicaceae
Notes
Lenape Name: nushemakw.
Common Name: Black Willow
Growth Habit: Tree
Duration: Perennial
Origin: Native to the conterminous United States
Years Noted: 1984; 2002; 2004; 2007-2008; 2013; 2016-2023; 2025
Northeast Wetland Status: FACW
Dispersed By: Water; Wind
Deer Resistant: Yes
Listed as a "Bee Plant" By the Lady Bird Johnson Wildflower Center:
Native Bees; Bumble Bees; Honey Bees; Supports Conservation Biological Control
Source for Lenape Name(s): delawaretribe.org/wp-content/uploads/Lenape-Names-of-Other-Trees.pdf
General Floristic References:
Magee, D. W. (1981). Freshwater Wetlands: A Guide to Common Indicator Plants of the Northeast. Amherst, MA, University of Massachusetts Press (p. 114-115).
Rhoads, A. F. and T. A. Block (2005). Trees of Pennsylvania. A Complete Reference Guide. Philadelphia, PA, University of Pennsylvania Press (p. 340-341).
Rhoads, A. F. and T. A. Block (2007). The Plants of Pennsylvania. Philadelphia, PA, University of Pennsylvania Press (p. 546).
Online Resources for Salix nigra:
Fire Effects Information System
Lady Bird Johnson Wildflower Center Plant Database
Images
Koelreuteria paniculata (Goldenrain Tree)
Group: Plants
Type: Flowering Plants - Dicots
Family: Sapindaceae
Notes
Common Name: Goldenrain Tree
Growth Habit: Tree
Duration: Perennial
Origin: Not native to the conterminous United States
Pennsylvania DCNR Invasive Plants Rating: Watch List — "Exotic plant species that are severe problems in surrounding states but have not been widely reported in Pennsylvania, OR may naturalize and become a problem in the future and require more monitoring."
Years Noted: 2016-2019; 2021-2022; 2025
Dispersed By: Dispersal Unassisted
Allelopathic: Yes
Deer Resistant: Yes
iNaturalist Observations from the GNA:
83937535 (Observed: 6/21/2021)
General Floristic References:
Rhoads, A. F. and T. A. Block (2005). Trees of Pennsylvania. A Complete Reference Guide. Philadelphia, PA, University of Pennsylvania Press (p. 114-115).
Online Resources for Koelreuteria paniculata:
Images
Chrysosplenium americanum (American Golden Saxifrage)
Group: Plants
Type: Flowering Plants - Dicots
Family: Saxifragaceae
Notes
Common Name: American Golden Saxifrage
Growth Habit: Forb/herb
Duration: Perennial
Origin: Native to the conterminous United States
Year Noted: 1984
Northeast Wetland Status: OBL
Winter-green Species: i.e., Is a species whose leaves develop in the fall and overwinter.
General Floristic References:
Magee, D. W. (1981). Freshwater Wetlands: A Guide to Common Indicator Plants of the Northeast. Amherst, MA, University of Massachusetts Press (p. 154).
Rhoads, A. F. and T. A. Block (2007). The Plants of Pennsylvania. Philadelphia, PA, University of Pennsylvania Press (p. 500).
Wintergreen Species References:
Beatley, J. C. 1956. The winter-green herbaceous flowering plants of Ohio. The Ohio Journal of Science 56(6): 349-377.
Online Resources for Chrysosplenium americanum:
Heuchera americana (American Alumroot)
Group: Plants
Type: Flowering Plants - Dicots
Family: Saxifragaceae
Notes
Common Name: American Alumroot
Growth Habit: Forb/herb
Duration: Perennial
Origin: Native to the conterminous United States
Years Noted: 1984; 2007; 2018
Winter-green Species: i.e., Is a species whose leaves develop in the fall and overwinter.
General Floristic References:
Rhoads, A. F. and T. A. Block (2007). The Plants of Pennsylvania. Philadelphia, PA, University of Pennsylvania Press (p. 499).
Wintergreen Species References:
Beatley, J. C. 1956. The winter-green herbaceous flowering plants of Ohio. The Ohio Journal of Science 56(6): 349-377.
Neufeld, H. S. and D. R. Young. 2003. Ecophysiology of the herbaceous layer in temperate deciduous forests. pp. 38-90. In: Gilliam, F. S. and M. R. Roberts (eds). The Herbaceous Layer in Forests of Eastern North America. Oxford University Press, New York, NY
Online Resources for Heuchera americana:
Lady Bird Johnson Wildflower Center Plant Database
Saxifraga virginiensis (Early Saxifrage)
Group: Plants
Type: Flowering Plants - Dicots
Family: Saxifragaceae
Notes
Common Name: Early Saxifrage
Growth Habit: Forb/herb
Duration: Perennial
Origin: Native to the conterminous United States
Years Noted: 1984; 2008
Winter-green Species: i.e., Is a species whose leaves develop in the fall and overwinter.
General Floristic References:
Rhoads, A. F. and T. A. Block (2007). The Plants of Pennsylvania. Philadelphia, PA, University of Pennsylvania Press (p. 500).
Wintergreen Species References:
Beatley, J. C. 1956. The winter-green herbaceous flowering plants of Ohio. The Ohio Journal of Science 56(6): 349-377.
Online Resources for Saxifraga virginiensis:
iNaturalist (for the synonym Micranthes virginiensis)
Chelone glabra (White Turtlehead)
Group: Plants
Type: Flowering Plants - Dicots
Family: Scrophulariaceae
Notes
Common Name: White Turtlehead
Growth Habit: Forb/herb
Duration: Perennial
Origin: Native to the conterminous United States
Years Noted: 1984; 2007; 2017-2018; 2022; 2025
Northeast Wetland Status: OBL
Deer Resistant: Yes
iNaturalist Observations from the GNA:
135813491 (Observed: 9/20/2022)
General Floristic References:
Magee, D. W. (1981). Freshwater Wetlands: A Guide to Common Indicator Plants of the Northeast. Amherst, MA, University of Massachusetts Press (p. 211).
Rhoads, A. F. and T. A. Block (2007). The Plants of Pennsylvania. Philadelphia, PA, University of Pennsylvania Press (p. 795).
Online Resources for Chelone glabra:
Lady Bird Johnson Wildflower Center Plant Database
Images
Linaria vulgaris (Butter and Eggs)
Group: Plants
Type: Flowering Plants - Dicots
Family: Scrophulariaceae
Notes
Common Name: Butter and Eggs
Growth Habit: Forb/herb
Duration: Perennial
Origin: Not native to the conterminous United States
Years Noted: 1984; 2007; 2018; 2023
Dispersed By: Animals; Ants; Deer; General Zoochory; Human Activities; Water; Wind
Deer Resistant: Yes
Online Resources for Linaria vulgaris:
Mimulus ringens (Allegheny Monkeyflower)
Group: Plants
Type: Flowering Plants - Dicots
Family: Scrophulariaceae
Notes
Common Name: Allegheny Monkeyflower
Growth Habit: Forb/herb
Duration: Perennial
Origin: Native to the conterminous United States
Years Noted: 2004; 2007; 2017-2023; 2025
Northeast Wetland Status: OBL
Deer Resistant: Yes
iNaturalist Observations from the GNA:
174670651 (Observed: 7/21/2023)
88176580 (Observed: 7/22/2021)
53781737 (Observed: 7/20/2020)
General Floristic References:
Magee, D. W. (1981). Freshwater Wetlands: A Guide to Common Indicator Plants of the Northeast. Amherst, MA, University of Massachusetts Press (p. 212).
Rhoads, A. F. and T. A. Block (2007). The Plants of Pennsylvania. Philadelphia, PA, University of Pennsylvania Press (p. 825).
Online Resources for Mimulus ringens:
Lady Bird Johnson Wildflower Center Plant Database
Images
Paulownia tomentosa (Princesstree)
Group: Plants
Type: Flowering Plants - Dicots
Family: Scrophulariaceae
Notes
Common Name: Princesstree
Growth Habit: Tree
Duration: Perennial
Origin: Not native to the conterminous United States
Pennsylvania DCNR Invasive Plants Rating: Rank 2 — "Significant Threat. Exotic plant species that possess characteristics of invasive species but are not presently considered to spread as easily and aggressively into native plant communities as those species listed as Rank 1."
Years Noted: 1970; 1984; 2002; 2004; 2007-2008; 2013; 2016-2025
Dispersed By: Wind
iNaturalist Observations from the GNA:
220318127 (Observed: 8/23/2023)
74772120 (Observed: 4/21/2021)
50919387 (Observed: 6/25/2020)
General Floristic References:
Rhoads, A. F. and T. A. Block (2005). Trees of Pennsylvania. A Complete Reference Guide. Philadelphia, PA, University of Pennsylvania Press (p. 106).
Online Resources for Paulownia tomentosa:
Fire Effects Information System
Images
Penstemon digitalis (Foxglove Beardtongue)
Group: Plants
Type: Flowering Plants - Dicots
Family: Scrophulariaceae
Notes
Common Names: Foxglove Beardtongue; Talus Slope Penstemon
Growth Habit: Forb/herb
Duration: Perennial
Origin: Native to the conterminous United States
Years Noted: 2007; 2016; 2020-2022; 2024-2025
Dispersed By: Animals; Deer
Deer Resistant: Yes
Listed As a Monarch Butterfly Plant In: Galea et. al 2015
Listed as a "Bee Plant" By the Lady Bird Johnson Wildflower Center:
Native Bees; Bumble Bees
iNaturalist Observations from the GNA:
81624319 (Observed: 6/4/2021)
59733784 (Observed: 9/15/2020)
General Floristic References:
Rhoads, A. F. and T. A. Block (2007). The Plants of Pennsylvania. Philadelphia, PA, University of Pennsylvania Press (p. 795).
Monarch Butterfly References
Galea, M., E. Cole, L. Davies Adams, and L. Stritch (eds). 2015. Conservation and Management of Monarch Butterflies A Land Manager’s Restoration Guide for the Eastern U.S. Pollinator Partnership and USDA Forest Service, San Francisco, CA. 27 pp.
Online Resources for Penstemon digitalis:
Lady Bird Johnson Wildflower Center Plant Database
Images
Scrophularia marilandica (Late Figwort)
Group: Plants
Type: Flowering Plants - Dicots
Family: Scrophulariaceae
Notes
Common Names: Late Figwort; Carpenter's Square
Growth Habit: Subshrub, Forb/herb
Duration: Perennial
Origin: Native to the conterminous United States
Years Noted: 1984; 2007; 2017; 2024
Listed as a "Bee Plant" By the Lady Bird Johnson Wildflower Center:
Native Bees; Supports Conservation Biological Control
iNaturalist Observations from the GNA:
241162834 (Observed: 9/11/2024)
General Floristic References:
Rhoads, A. F. and T. A. Block (2007). The Plants of Pennsylvania. Philadelphia, PA, University of Pennsylvania Press (p. 829).
Online Resources for Scrophularia marilandica:
Lady Bird Johnson Wildflower Center Plant Database
Verbascum blattaria (Moth Mullein)
Group: Plants
Type: Flowering Plants - Dicots
Family: Scrophulariaceae
Notes
Common Name: Moth Mullein
Growth Habit: Forb/herb
Duration: Biennial
Origin: Not native to the conterminous United States
Years Noted: 2017; 2022; 2025
Dispersed By: Human Activities
iNaturalist Observations from the GNA:
298484800 (Observed: 7/15/2025)
121748358 (Observed: 6/14/2022)
Online Resources for Verbascum blattaria:
Images
Verbascum thapsus (Common Mullein)
Group: Plants
Type: Flowering Plants - Dicots
Family: Scrophulariaceae
Notes
Common Name: Common Mullein
Growth Habit: Forb/herb
Duration: Biennial
Origin: Not native to the conterminous United States
Years Noted: 1984; 2007; 2017-2018; 2020
Dispersed By: Human Activities; Water; Wind
Winter-green Species: i.e., Is a species whose leaves develop in the fall and overwinter.
iNaturalist Observations from the GNA:
38831475 (Observed: 1/31/2020)
Wintergreen Species References:
Beatley, J. C. 1956. The winter-green herbaceous flowering plants of Ohio. The Ohio Journal of Science 56(6): 349-377.
Online Resources for Verbascum thapsus:
Fire Effects Information System
Veronica americana (American Speedwell)
Group: Plants
Type: Flowering Plants - Dicots
Family: Scrophulariaceae
Notes
Common Name: American Speedwell
Growth Habit: Forb/herb
Duration: Perennial
Origin: Native to the conterminous United States
Year Noted: 1984
Northeast Wetland Status: OBL
General Floristic References:
Rhoads, A. F. and T. A. Block (2007). The Plants of Pennsylvania. Philadelphia, PA, University of Pennsylvania Press (p. 789).
Online Resources for Veronica americana:
Veronica arvensis (Corn Speedwell)
Group: Plants
Type: Flowering Plants - Dicots
Family: Scrophulariaceae
Notes
Common Name: Corn Speedwell
Growth Habit: Forb/herb
Duration: Annual
Origin: Not native to the conterminous United States
Years Noted: 1984; 2007; 2017-2018; 2023
Dispersed By: Animals; Ants; Birds; General Zoochory; Human Activities; Water
Winter-green Species: i.e., Is a species whose leaves develop in the fall and overwinter.
iNaturalist Observations from the GNA:
167035345 (Observed: 6/12/2023)
General Floristic References:
Rhoads, A. F. and T. A. Block (2007). The Plants of Pennsylvania. Philadelphia, PA, University of Pennsylvania Press (p. 789).
Wintergreen Species References:
Beatley, J. C. 1956. The winter-green herbaceous flowering plants of Ohio. The Ohio Journal of Science 56(6): 349-377.
Online Resources for Veronica arvensis:
Veronica hederifolia (Ivyleaf Speedwell)
Group: Plants
Type: Flowering Plants - Dicots
Family: Scrophulariaceae
Notes
Common Name: Ivyleaf Speedwell
Growth Habit: Forb/herb
Duration: Annual
Origin: Not native to the conterminous United States
Years Noted: 1984; 2007; 2017-2021; 2023-2025
Dispersed By: Animals; Ants; Birds; General Zoochory; Human Activities; Rain (Assisted, i.e., ombrochory); Water
iNaturalist Observations from the GNA:
270873256 (Observed: 4/16/2025)
203092907 (Observed: 3/18/2024)
72389660 (Observed: 3/29/2021)
General Floristic References:
Rhoads, A. F. and T. A. Block (2007). The Plants of Pennsylvania. Philadelphia, PA, University of Pennsylvania Press (p. 790).
Online Resources for Veronica hederifolia:
Images
Veronica officinalis (Common Gypsyweed)
Group: Plants
Type: Flowering Plants - Dicots
Family: Scrophulariaceae
Notes
Common Name: Common Gypsyweed
Growth Habit: Forb/herb
Duration: Perennial
Origin: Not native to the conterminous United States
Years Noted: 2004; 2007; 2017-2018
Dispersed By: Animals; Ants; Deer; General Zoochory; Water; Wind
Winter-green Species: i.e., Is a species whose leaves develop in the fall and overwinter.
General Floristic References:
Rhoads, A. F. and T. A. Block (2007). The Plants of Pennsylvania. Philadelphia, PA, University of Pennsylvania Press (p. 790).
Wintergreen Species References:
Beatley, J. C. 1956. The winter-green herbaceous flowering plants of Ohio. The Ohio Journal of Science 56(6): 349-377.
Online Resources for Veronica officinalis:
Veronica peregrina (Neckweed)
Group: Plants
Type: Flowering Plants - Dicots
Family: Scrophulariaceae
Notes
Common Name: Neckweed
Growth Habit: Forb/herb
Duration: Annual
Origin: Native to the conterminous United States
Year Noted: 2007
Dispersed By: Animals; Ants; Deer; General Zoochory; Human Activities; Water
Winter-green Species: i.e., Is a species whose leaves develop in the fall and overwinter.
General Floristic References:
Rhoads, A. F. and T. A. Block (2007). The Plants of Pennsylvania. Philadelphia, PA, University of Pennsylvania Press (p. 790).
Wintergreen Species References:
Beatley, J. C. 1956. The winter-green herbaceous flowering plants of Ohio. The Ohio Journal of Science 56(6): 349-377.
Online Resources for Veronica peregrina:
Veronica persica (Birdeye Speedwell)
Group: Plants
Type: Flowering Plants - Dicots
Family: Scrophulariaceae
Notes
Common Name: Birdeye Speedwell
Growth Habit: Forb/herb
Duration: Annual
Origin: Not native to the conterminous United States
Years Noted: 2007; 2017; 2021
Dispersed By: Agricultural Practices; Animals; Ants; Deer; General Zoochory; Human Activities; Rain (Assisted, i.e., ombrochory); Water; Wind
Winter-green Species: i.e., Is a species whose leaves develop in the fall and overwinter.
iNaturalist Observations from the GNA:
77248772 (Observed: 5/3/2021)
General Floristic References:
Rhoads, A. F. and T. A. Block (2007). The Plants of Pennsylvania. Philadelphia, PA, University of Pennsylvania Press (p. 790).
Wintergreen Species References:
Beatley, J. C. 1956. The winter-green herbaceous flowering plants of Ohio. The Ohio Journal of Science 56(6): 349-377.
Online Resources for Veronica persica:
Images
Veronica serpyllifolia (Thymeleaf Speedwell)
Group: Plants
Type: Flowering Plants - Dicots
Family: Scrophulariaceae
Notes
Common Name: Thymeleaf Speedwell
Growth Habit: Forb/herb
Duration: Perennial
Origin: Undetermined
Years Noted: 2017-2018; 2022
Dispersed By: Animals; Ants; Deer; General Zoochory; Rain (Assisted, i.e., ombrochory); Water
iNaturalist Observations from the GNA:
115343363 (Observed: 5/3/2022)
General Floristic References:
Rhoads, A. F. and T. A. Block (2007). The Plants of Pennsylvania. Philadelphia, PA, University of Pennsylvania Press (p. 791).
Online Resources for Veronica serpyllifolia:
Images
Veronica sublobata (Pink Ivy-leaved Speedwell)
Group: Plants
Type: Flowering Plants - Dicots
Family: Scrophulariaceae
Notes
Common Name: Pink Ivy-leaved Speedwell
Growth Habit: Forb/herb
Duration:
Origin: Undetermined
Synonyms: Veronica hederifolia ssp. lucorumYear Noted: 2025
iNaturalist Observations from the GNA:
270873256 (Observed: 4/16/2025)
Online Resources for Veronica sublobata:
Veronicastrum virginicum (Culvers Root)
Group: Plants
Type: Flowering Plants - Dicots
Family: Scrophulariaceae
Notes
Common Name: Culver's Root
Growth Habit: Forb/herb
Duration: Perennial
Origin: Native to the conterminous United States
Year Noted: 1984
Deer Resistant: Yes
Monarch Butterfly Value: High (NRCS 2018a); Monarch Nectar Value: High (NRCS 2018b)
Also Listed As a Monarch Butterfly Plant In: Galea et. al 2015
Listed as a "Bee Plant" By the Lady Bird Johnson Wildflower Center:
Native Bees; Honey Bees; Supports Conservation Biological Control
General Floristic References:
Rhoads, A. F. and T. A. Block (2007). The Plants of Pennsylvania. Philadelphia, PA, University of Pennsylvania Press (p. 792).
Monarch Butterfly References
Galea, M., E. Cole, L. Davies Adams, and L. Stritch (eds). 2015. Conservation and Management of Monarch Butterflies A Land Manager’s Restoration Guide for the Eastern U.S. Pollinator Partnership and USDA Forest Service, San Francisco, CA. 27 pp.
Natural Resource Conservation Service [NRCS] (ed). 2018a. Important Plants of the Monarch Butterfly. Greater Appalachian Mountains Region Staff Guide. Natural Resources Conservation Service, U.S. Department of Agriculture 132 pp.
Natural Resource Conservation Service [NRCS] (ed). 2018b. Native Habitat Development for Pollinators, Honey Bees and Monarchs. Biology Jobsheet #16. Natural Resources Conservation Service, U.S. Department of Agriculture 6 pp.
Online Resources for Veronicastrum virginicum:
Lady Bird Johnson Wildflower Center Plant Database
Ailanthus altissima (Tree Of Heaven)
Group: Plants
Type: Flowering Plants - Dicots
Family: Simaroubaceae
Notes
Common Name: Tree Of Heaven
Growth Habit: Tree
Duration: Perennial
Origin: Not native to the conterminous United States
Pennsylvania DCNR Invasive Plants Rating: Rank 1 — "Severe Threat. Exotic plant species that possess characteristics of invasive species and spread easily into native plant communities and displace native vegetation. Includes species that are or could become widespread in Pennsylvania."
Years Noted: 1984; 2002; 2004; 2007-2010; 2013-2023; 2025
Dispersed By: Wind
Allelopathic: Yes
Deer Resistant: Yes
iNaturalist Observations from the GNA:
316809648 (Observed: 9/26/2025)
General Floristic References:
Rhoads, A. F. and T. A. Block (2005). Trees of Pennsylvania. A Complete Reference Guide. Philadelphia, PA, University of Pennsylvania Press (p. 329-330).
Rhoads, A. F. and T. A. Block (2007). The Plants of Pennsylvania. Philadelphia, PA, University of Pennsylvania Press (p. 703).
Online Resources for Ailanthus altissima:
Fire Effects Information System
Images
Physalis heterophylla (Clammy Groundcherry)
Group: Plants
Type: Flowering Plants - Dicots
Family: Solanaceae
Notes
Common Name: Clammy Groundcherry
Growth Habit: Forb/herb
Duration: Perennial
Origin: Native to the conterminous United States
Years Noted: 1984; 2004; 2007
General Floristic References:
Rhoads, A. F. and T. A. Block (2007). The Plants of Pennsylvania. Philadelphia, PA, University of Pennsylvania Press (p. 849).
Online Resources for Physalis heterophylla:
Physalis longifolia (Longleaf Groundcherry)
Group: Plants
Type: Flowering Plants - Dicots
Family: Solanaceae
Notes
Common Name: Longleaf Groundcherry
Growth Habit: Forb/herb
Duration: Perennial
Origin: Native to the conterminous United States
Synonyms: Physalis subglabrata Mack. & BushYears Noted: 1984; 2007; 2018
General Floristic References:
Rhoads, A. F. and T. A. Block (2007). The Plants of Pennsylvania. Philadelphia, PA, University of Pennsylvania Press (p. 849).
Online Resources for Physalis longifolia:
Solanum carolinense (Carolina Horsenettle)
Group: Plants
Type: Flowering Plants - Dicots
Family: Solanaceae
Notes
Common Name: Carolina Horsenettle
Growth Habit: Subshrub, Forb/herb
Duration: Perennial
Origin: Native to the conterminous United States
Years Noted: 1967; 1969-2000; 2004; 2007; 2009; 2012; 2018-2024
Dispersed By: Animals; Deer
iNaturalist Observations from the GNA:
128032747 (Observed: 7/26/2022)
84999537 (Observed: 6/25/2021)
32184107 (Observed: 9/5/2019)
52497570 (Observed: 7/9/2020)
61428881 (Observed: 10/1/2020)
General Floristic References:
Rhoads, A. F. and T. A. Block (2007). The Plants of Pennsylvania. Philadelphia, PA, University of Pennsylvania Press (p. 847).
Online Resources for Solanum carolinense:
Images
Solanum dulcamara (Climbing Nightshade)
Group: Plants
Type: Flowering Plants - Dicots
Family: Solanaceae
Notes
Common Names: Climbing Nightshade; Bittersweet Nightshade
Growth Habit: Subshrub, Vine, Forb/herb
Duration: Perennial
Origin: Not native to the conterminous United States
Years Noted: 2004; 2007; 2017; 2022
Dispersed By: Animals; Birds; Deer; General Zoochory; Mammals (non-bat); Water
Allelopathic: Yes
iNaturalist Observations from the GNA:
126376982 (Observed: 7/15/2022)
Online Resources for Solanum dulcamara:
Images
Solanum nigrum (Black Nightshade)
Group: Plants
Type: Flowering Plants - Dicots
Family: Solanaceae
Notes
Common Name: Black Nightshade
Growth Habit: Subshrub, Forb/herb
Duration: Annual, Perennial
Origin: Not native to the conterminous United States
Years Noted: 1984; 2004
Dispersed By: Animals; Birds; Deer; Human Activities; Rain (Assisted, i.e., ombrochory)
General Floristic References:
Rhoads, A. F. and T. A. Block (2007). The Plants of Pennsylvania. Philadelphia, PA, University of Pennsylvania Press (p. 847).
Online Resources for Solanum nigrum:
Staphylea trifolia (American Bladdernut)
Group: Plants
Type: Flowering Plants - Dicots
Family: Staphyleaceae
Notes
Common Name: American Bladdernut
Growth Habit: Tree, Shrub
Duration: Perennial
Origin: Native to the conterminous United States
Years Noted: 1984; 2004; 2007; 2017-2018
Deer Resistant: Yes
General Floristic References:
Rhoads, A. F. and T. A. Block (2005). Trees of Pennsylvania. A Complete Reference Guide. Philadelphia, PA, University of Pennsylvania Press (p. 58-59).
Rhoads, A. F. and T. A. Block (2007). The Plants of Pennsylvania. Philadelphia, PA, University of Pennsylvania Press (p. 504).
Online Resources for Staphylea trifolia:
Lady Bird Johnson Wildflower Center Plant Database
Images
Tilia americana (American Basswood)
Group: Plants
Type: Flowering Plants - Dicots
Family: Tiliaceae
Notes
Common Name: American Basswood
Growth Habit: Tree
Duration: Perennial
Origin: Native to the conterminous United States
Years Noted: 1984; 2002; 2004; 2007-2009; 2013; 2016-2021; 2023-2024
Dispersed By: Animals; Mammals (non-bat); Wind
Allelopathic: Yes
Listed as a "Bee Plant" By the Lady Bird Johnson Wildflower Center:
Native Bees; Honey Bees; Supports Conservation Biological Control
iNaturalist Observations from the GNA:
61781757 (Observed: 10/1/2020)
104421432 (Observed: 10/16/2021)
157253485 (Observed: 4/28/2023)
46770008 (Observed: 5/21/2020)
General Floristic References:
Rhoads, A. F. and T. A. Block (2005). Trees of Pennsylvania. A Complete Reference Guide. Philadelphia, PA, University of Pennsylvania Press (p. 37-38).
Rhoads, A. F. and T. A. Block (2007). The Plants of Pennsylvania. Philadelphia, PA, University of Pennsylvania Press (p. 696).
Online Resources for Tilia americana:
Fire Effects Information System
Lady Bird Johnson Wildflower Center Plant Database
Images
Celtis occidentalis (Common Hackberry)
Group: Plants
Type: Flowering Plants - Dicots
Family: Ulmaceae
Notes
Common Name: Common Hackberry
Growth Habit: Tree, Shrub
Duration: Perennial
Origin: Native to the conterminous United States
Years Noted: 2004; 2007; 2018-2020; 2023-2024
Dispersed By: Birds
Allelopathic: Yes
iNaturalist Observations from the GNA:
209314785 (Observed: 4/25/2024)
159639872 (Observed: 5/3/2023)
General Floristic References:
Dove, T. and G. Woolridge (2018). Essential Native Trees and Shrubs for the Eastern United States. Watertown, MA, Imagine Books (p. 71).
Rhoads, A. F. and T. A. Block (2005). Trees of Pennsylvania. A Complete Reference Guide. Philadelphia, PA, University of Pennsylvania Press (p. 116-117).
Rhoads, A. F. and T. A. Block (2007). The Plants of Pennsylvania. Philadelphia, PA, University of Pennsylvania Press (p. 660).
Online Resources for Celtis occidentalis:
Fire Effects Information System
Lady Bird Johnson Wildflower Center Plant Database
Images
Ulmus pumila (Siberian Elm)
Group: Plants
Type: Flowering Plants - Dicots
Family: Ulmaceae
Notes
Common Name: Siberian Elm
Growth Habit: Tree, Shrub
Duration: Perennial
Origin: Not native to the conterminous United States
Pennsylvania DCNR Invasive Plants Rating: Watch List — "Exotic plant species that are severe problems in surrounding states but have not been widely reported in Pennsylvania, OR may naturalize and become a problem in the future and require more monitoring."
Years Noted: 1990; 2020-2023
Dispersed By: Wind
iNaturalist Observations from the GNA:
183748168 (Observed: 8/31/2023)
46527782 (Observed: 5/18/2020)
General Floristic References:
Rhoads, A. F. and T. A. Block (2005). Trees of Pennsylvania. A Complete Reference Guide. Philadelphia, PA, University of Pennsylvania Press (p. 103).
Online Resources for Ulmus pumila:
Images
Ulmus rubra (Slippery Elm)
Group: Plants
Type: Flowering Plants - Dicots
Family: Ulmaceae
Notes
Lenape Name: xkwikpiakw.
Common Name: Slippery Elm
Growth Habit: Tree
Duration: Perennial
Origin: Native to the conterminous United States
Years Noted: 1965; 1967; 1970-1971; 1984; 2004; 2007; 2013-2014; 2017-2022
Dispersed By: Wind
Deer Resistant: Yes
Source for Lenape Name(s): delawaretribe.org/wp-content/uploads/Lenape-Names-of-Other-Trees.pdf
General Floristic References:
Rhoads, A. F. and T. A. Block (2005). Trees of Pennsylvania. A Complete Reference Guide. Philadelphia, PA, University of Pennsylvania Press (p. 104-105).
Rhoads, A. F. and T. A. Block (2007). The Plants of Pennsylvania. Philadelphia, PA, University of Pennsylvania Press (p. 659).
Online Resources for Ulmus rubra:
Fire Effects Information System
Lady Bird Johnson Wildflower Center Plant Database
Images
Boehmeria cylindrica (Smallspike False Nettle)
Group: Plants
Type: Flowering Plants - Dicots
Family: Urticaceae
Notes
Common Name: Smallspike False Nettle
Growth Habit: Forb/herb
Duration: Perennial
Origin: Native to the conterminous United States
Years Noted: 1984; 2004; 2007; 2015; 2017-2018; 2022; 2024-2025
Northeast Wetland Status: FACW
iNaturalist Observations from the GNA:
136842896 (Observed: 9/28/2022)
General Floristic References:
Rhoads, A. F. and T. A. Block (2007). The Plants of Pennsylvania. Philadelphia, PA, University of Pennsylvania Press (p. 664).
Online Resources for Boehmeria cylindrica:
Images
Laportea canadensis (Canadian Woodnettle)
Group: Plants
Type: Flowering Plants - Dicots
Family: Urticaceae
Notes
Common Name: Canadian Woodnettle
Growth Habit: Forb/herb
Duration: Perennial
Origin: Native to the conterminous United States
Years Noted: 1984; 2004; 2007; 2014; 2017-2020; 2022-2025
iNaturalist Observations from the GNA:
55849615 (Observed: 8/8/2020)
59369264 (Observed: 9/12/2020)
General Floristic References:
Magee, D. W. (1981). Freshwater Wetlands: A Guide to Common Indicator Plants of the Northeast. Amherst, MA, University of Massachusetts Press (p. 125).
Rhoads, A. F. and T. A. Block (2007). The Plants of Pennsylvania. Philadelphia, PA, University of Pennsylvania Press (p. 664).
Online Resources for Laportea canadensis:
Images
Pilea fontana (Lesser Clearweed)
Group: Plants
Type: Flowering Plants - Dicots
Family: Urticaceae
Notes
Common Name: Lesser Clearweed
Growth Habit: Forb/herb
Duration: Annual
Origin: Native to the conterminous United States
Years Noted: 2007; 2022
Northeast Wetland Status: FACW
iNaturalist Observations from the GNA:
137052105 (Observed: 9/30/2022)
General Floristic References:
Rhoads, A. F. and T. A. Block (2007). The Plants of Pennsylvania. Philadelphia, PA, University of Pennsylvania Press (p. 664).
Online Resources for Pilea fontana:
Images
Pilea pumila (Canadian Clearweed)
Group: Plants
Type: Flowering Plants - Dicots
Family: Urticaceae
Notes
Common Name: Canadian Clearweed
Growth Habit: Forb/herb
Duration: Annual
Origin: Native to the conterminous United States
Years Noted: 1984; 1997; 2004; 2007; 2009; 2011; 2017-2018; 2021-2022; 2024
iNaturalist Observations from the GNA:
104421435 (Observed: 10/16/2021)
136841239 (Observed: 9/28/2022)
General Floristic References:
Magee, D. W. (1981). Freshwater Wetlands: A Guide to Common Indicator Plants of the Northeast. Amherst, MA, University of Massachusetts Press (p. 126).
Rhoads, A. F. and T. A. Block (2007). The Plants of Pennsylvania. Philadelphia, PA, University of Pennsylvania Press (p. 664).
Online Resources for Pilea pumila:
Urtica dioica (Stinging Nettle)
Group: Plants
Type: Flowering Plants - Dicots
Family: Urticaceae
Notes
Common Name: Stinging Nettle
Growth Habit: Forb/herb
Duration: Perennial
Origin: Undetermined
Years Noted: 2017; 2022; 2024
Dispersed By: Animals; Birds; Deer; General Zoochory; Human Activities; Water; Wind
iNaturalist Observations from the GNA:
136842229 (Observed: 9/28/2022)
General Floristic References:
Rhoads, A. F. and T. A. Block (2007). The Plants of Pennsylvania. Philadelphia, PA, University of Pennsylvania Press (p. 663).
Online Resources for Urtica dioica:
Fire Effects Information System
Images
Phryma leptostachya (American Lopseed)
Group: Plants
Type: Flowering Plants - Dicots
Family: Verbenaceae
Notes
Common Name: American Lopseed
Growth Habit: Forb/herb
Duration: Perennial
Origin: Native to the conterminous United States
Years Noted: 1984; 2004; 2007; 2016-2018; 2020
iNaturalist Observations from the GNA:
53099990 (Observed: 7/14/2020)
General Floristic References:
Rhoads, A. F. and T. A. Block (2007). The Plants of Pennsylvania. Philadelphia, PA, University of Pennsylvania Press (p. 825).
Online Resources for Phryma leptostachya:
Images
Verbena hastata (Swamp Verbena)
Group: Plants
Type: Flowering Plants - Dicots
Family: Verbenaceae
Notes
Common Name: Swamp Verbena
Growth Habit: Forb/herb
Duration: Biennial, Perennial
Origin: Native to the conterminous United States
Years Noted: 2007; 2022-2025
Northeast Wetland Status: FACW
Bee Beneficial: Yes
Deer Resistant: Yes
Monarch Butterfly Value: High (NRCS 2018a)
Also Listed As a Monarch Butterfly Plant In: Galea et. al 2015
Listed as a "Bee Plant" By the Lady Bird Johnson Wildflower Center:
Native Bees
iNaturalist Observations from the GNA:
132030336 (Observed: 8/23/2022)
General Floristic References:
Magee, D. W. (1981). Freshwater Wetlands: A Guide to Common Indicator Plants of the Northeast. Amherst, MA, University of Massachusetts Press (p. 207).
Rhoads, A. F. and T. A. Block (2007). The Plants of Pennsylvania. Philadelphia, PA, University of Pennsylvania Press (p. 798).
Monarch Butterfly References
Galea, M., E. Cole, L. Davies Adams, and L. Stritch (eds). 2015. Conservation and Management of Monarch Butterflies A Land Manager’s Restoration Guide for the Eastern U.S. Pollinator Partnership and USDA Forest Service, San Francisco, CA. 27 pp.
Natural Resource Conservation Service [NRCS] (ed). 2018a. Important Plants of the Monarch Butterfly. Greater Appalachian Mountains Region Staff Guide. Natural Resources Conservation Service, U.S. Department of Agriculture 132 pp.
Online Resources for Verbena hastata:
Lady Bird Johnson Wildflower Center Plant Database
Images
Verbena urticifolia (White Vervain)
Group: Plants
Type: Flowering Plants - Dicots
Family: Verbenaceae
Notes
Common Name: White Vervain
Growth Habit: Forb/herb
Duration: Perennial
Origin: Native to the conterminous United States
Years Noted: 1984; 2004; 2007; 2009; 2017-2018; 2020-2025
iNaturalist Observations from the GNA:
57722727 (Observed: 8/26/2020)
General Floristic References:
Rhoads, A. F. and T. A. Block (2007). The Plants of Pennsylvania. Philadelphia, PA, University of Pennsylvania Press (p. 799).
Online Resources for Verbena urticifolia:
Images
Viola affinis (Sand Violet)
Group: Plants
Type: Flowering Plants - Dicots
Family: Violaceae
Notes
Common Name: Sand Violet
Growth Habit: Forb/herb
Duration: Annual, Perennial
Origin: Native to the conterminous United States
Year Noted: 2018
Deer Resistant: Yes
Online Resources for Viola affinis:
Viola cucullata (Marsh Blue Violet)
Group: Plants
Type: Flowering Plants - Dicots
Family: Violaceae
Notes
Common Name: Marsh Blue Violet
Growth Habit: Forb/herb
Duration: Perennial
Origin: Native to the conterminous United States
Years Noted: 1984; 2018; 2021
Northeast Wetland Status: FACW
Dispersed By: Ants
Deer Resistant: Yes
iNaturalist Observations from the GNA:
77510343 (Observed: 5/5/2021)
General Floristic References:
Rhoads, A. F. and T. A. Block (2007). The Plants of Pennsylvania. Philadelphia, PA, University of Pennsylvania Press (p. 528).
Online Resources for Viola cucullata:
Images
Viola hirsutula (Southern Woodland Violet)
Group: Plants
Type: Flowering Plants - Dicots
Family: Violaceae
Notes
Common Name: Southern Woodland Violet
Growth Habit: Forb/herb
Duration: Perennial
Origin: Native to the conterminous United States
Year Noted: 2017
Deer Resistant: Yes
Online Resources for Viola hirsutula:
Images
Viola labradorica (Alpine Violet)
Group: Plants
Type: Flowering Plants - Dicots
Family: Violaceae
Notes
Common Name: Alpine Violet
Growth Habit: Forb/herb
Duration: Perennial
Origin: Native to the conterminous United States
Synonyms: Viola conspersa RchbYears Noted: 1984; 2007; 2017
Deer Resistant: Yes
Winter-green Species: i.e., Is a species whose leaves develop in the fall and overwinter.
General Floristic References:
Rhoads, A. F. and T. A. Block (2007). The Plants of Pennsylvania. Philadelphia, PA, University of Pennsylvania Press (p. 529).
Wintergreen Species References:
Beatley, J. C. 1956. The winter-green herbaceous flowering plants of Ohio. The Ohio Journal of Science 56(6): 349-377.
Online Resources for Viola labradorica:
Lady Bird Johnson Wildflower Center Plant Database
Viola pubescens var. scabriuscula (Downy Yellow Violet)
Group: Plants
Type: Flowering Plants - Dicots
Family: Violaceae
Notes
Common Name: Downy Yellow Violet
Growth Habit: Forb/herb
Duration: Perennial
Origin: Native to the conterminous United States
Synonyms: Viola pensylvanica MichxYears Noted: 1984; 2004; 2007; 2009; 2011; 2016-2023; 2025
Deer Resistant: Yes
iNaturalist Observations from the GNA:
42279452 (Observed: 4/15/2020)
General Floristic References:
Rhoads, A. F. and T. A. Block (2007). The Plants of Pennsylvania. Philadelphia, PA, University of Pennsylvania Press (p. 531).
Online Resources for Viola pubescens var. scabriuscula:
iNaturalist (for the synonym Viola pubescens)
Images
Viola sororia (Common Blue Violet)
Group: Plants
Type: Flowering Plants - Dicots
Family: Violaceae
Notes
Common Name: Common Blue Violet
Growth Habit: Forb/herb
Duration: Annual, Perennial
Origin: Native to the conterminous United States
Years Noted: 1984; 2004; 2007; 2009; 2011-2012; 2017-2018; 2020-2023; 2025
Dispersed By: Ants
Deer Resistant: Yes
Listed As a Monarch Butterfly Plant In: Illinois Wildflowers
Winter-green Species: i.e., Is a species whose leaves develop in the fall and overwinter.
iNaturalist Observations from the GNA:
270871928 (Observed: 4/16/2025)
41792778 (Observed: 4/9/2020)
74678888 (Observed: 4/19/2021)
General Floristic References:
Rhoads, A. F. and T. A. Block (2007). The Plants of Pennsylvania. Philadelphia, PA, University of Pennsylvania Press (p. 533).
Monarch Butterfly References
Illinois Wildflowers. 2022. Page for Danaus plexipes. Data Downloaded 8/17/22: http://www.illinoiswildflowers.info/flower_insects/insects/moths/danaus_plexippus.htm.
Wintergreen Species References:
Beatley, J. C. 1956. The winter-green herbaceous flowering plants of Ohio. The Ohio Journal of Science 56(6): 349-377.
Bierzychudek, P. 1982. Life histories and demography of shade-tolerant temperate forest herbs. New Phytologist 90: 757-776.
Online Resources for Viola sororia:
Lady Bird Johnson Wildflower Center Plant Database
Images
Ampelopsis brevipedunculata (Porcelain Berry)
Group: Plants
Type: Flowering Plants - Dicots
Family: Vitaceae
Notes
Common Names: Porcelain Berry; Amur Peppervine
Growth Habit: Vine
Duration: Perennial
Origin: Not native to the conterminous United States
Pennsylvania DCNR Invasive Plants Rating: Rank 1 — "Severe Threat. Exotic plant species that possess characteristics of invasive species and spread easily into native plant communities and displace native vegetation. Includes species that are or could become widespread in Pennsylvania."
Synonyms: Ampelopsis glandulosa (as per iNaturalist)Years Noted: 2004; 2007; 2009; 2011-2012; 2016-2025
iNaturalist Observations from the GNA:
310248579 (Observed: 8/30/2025)
93388288 (Observed: 9/2/2021)
52514950 (Observed: 7/9/2020)
57730697 (Observed: 8/26/2020)
General Floristic References:
Rhoads, A. F. and T. A. Block (2007). The Plants of Pennsylvania. Philadelphia, PA, University of Pennsylvania Press (p. 501).
Online Resources for Ampelopsis brevipedunculata:
Fire Effects Information System
iNaturalist (for the synonym Ampelopsis glandulosa brevipedunculata)
Images
Parthenocissus quinquefolia (Virginia Creeper)
Group: Plants
Type: Flowering Plants - Dicots
Family: Vitaceae
Notes
Common Name: Virginia Creeper
Growth Habit: Vine
Duration: Perennial
Origin: Native to the conterminous United States
Years Noted: 1967; 1970-1971; 1984; 2004; 2007; 2009; 2011-2013; 2016-2025
Dispersed By: Animals; Birds; Human Activities; Mammals (non-bat)
Deer Resistant: Yes
General Floristic References:
Rhoads, A. F. and T. A. Block (2007). The Plants of Pennsylvania. Philadelphia, PA, University of Pennsylvania Press (p. 501).
Online Resources for Parthenocissus quinquefolia:
Fire Effects Information System
Lady Bird Johnson Wildflower Center Plant Database
Parthenocissus tricuspidata (Boston Ivy)
Group: Plants
Type: Flowering Plants - Dicots
Family: Vitaceae
Notes
Common Name: Boston Ivy
Growth Habit: Vine
Duration: Perennial
Origin: Not native to the conterminous United States
Year Noted: 2020
Dispersed By: Animals; Human Activities; Mammals (non-bat)
iNaturalist Observations from the GNA:
46429823 (Observed: 5/18/2020)
Online Resources for Parthenocissus tricuspidata:
Images
Vitis aestivalis (Summer Grape)
Group: Plants
Type: Flowering Plants - Dicots
Family: Vitaceae
Notes
Common Name: Summer Grape
Growth Habit: Vine
Duration: Perennial
Origin: Native to the conterminous United States
Years Noted: 2004; 2007; 2017-2018
General Floristic References:
Rhoads, A. F. and T. A. Block (2007). The Plants of Pennsylvania. Philadelphia, PA, University of Pennsylvania Press (p. 502).
Online Resources for Vitis aestivalis:
Fire Effects Information System
Lady Bird Johnson Wildflower Center Plant Database
Vitis labrusca (Fox Grape)
Group: Plants
Type: Flowering Plants - Dicots
Family: Vitaceae
Notes
Common Name: Fox Grape
Growth Habit: Vine
Duration: Perennial
Origin: Native to the conterminous United States
Years Noted: 1984; 2004; 2007; 2009; 2011; 2017-2018; 2020
General Floristic References:
Rhoads, A. F. and T. A. Block (2007). The Plants of Pennsylvania. Philadelphia, PA, University of Pennsylvania Press (p. 503).
Online Resources for Vitis labrusca:
Lady Bird Johnson Wildflower Center Plant Database
Vitis vulpina (Frost Grape)
Group: Plants
Type: Flowering Plants - Dicots
Family: Vitaceae
Notes
Common Name: Frost Grape
Growth Habit: Vine
Duration: Perennial
Origin: Native to the conterminous United States
Years Noted: 2004; 2007; 2009; 2012; 2017-2018
General Floristic References:
Rhoads, A. F. and T. A. Block (2007). The Plants of Pennsylvania. Philadelphia, PA, University of Pennsylvania Press (p. 503).
Online Resources for Vitis vulpina:
Images
Sagittaria australis (Longbeak Arrowhead)
Group: Plants
Type: Flowering Plants - Monocots
Family: Alismataceae
Notes
Common Name: Longbeak Arrowhead
Growth Habit: Forb/herb
Duration: Perennial
Origin: Native to the conterminous United States
Years Noted: 2007; 2017-2020; 2022
Northeast Wetland Status: OBL
iNaturalist Observations from the GNA:
58990963 (Observed: 9/8/2020)
General Floristic References:
Block, T. A. and A. F. Rhoads (2011). Aquatic Plants of Pennsylvania. A Complete Reference Guide. Philadelphia, PA, University of Pennsylvania Press (p. 31).
Rhoads, A. F. and T. A. Block (2007). The Plants of Pennsylvania. Philadelphia, PA, University of Pennsylvania Press (p. 129).
Online Resources for Sagittaria australis:
Images


Longbeak Arrowhead (Sagittaria australis): being 'visited' by an Eastern Calligrapher (Toxomerus geminatus)


Longbeak Arrowhead (Sagittaria australis): infructescence. Note the 'boat-shaped' bracts beneath the upppermost group of fruits
Sagittaria latifolia (Broadleaf Arrowhead)
Group: Plants
Type: Flowering Plants - Monocots
Family: Alismataceae
Notes
Common Name: Broadleaf Arrowhead
Growth Habit: Forb/herb
Duration: Perennial
Origin: Native to the conterminous United States
Years Noted: 1984; 2004; 2007; 2017; 2020-2025
Northeast Wetland Status: OBL
Bee Beneficial: Yes
Listed as a "Bee Plant" By the Lady Bird Johnson Wildflower Center:
Supports Conservation Biological Control
iNaturalist Observations from the GNA:
88379744 (Observed: 7/23/2021)
59565912 (Observed: 7/20/2020)
General Floristic References:
Block, T. A. and A. F. Rhoads (2011). Aquatic Plants of Pennsylvania. A Complete Reference Guide. Philadelphia, PA, University of Pennsylvania Press (p. 36).
Magee, D. W. (1981). Freshwater Wetlands: A Guide to Common Indicator Plants of the Northeast. Amherst, MA, University of Massachusetts Press (p. 66).
Rhoads, A. F. and T. A. Block (2007). The Plants of Pennsylvania. Philadelphia, PA, University of Pennsylvania Press (p. 130).
Online Resources for Sagittaria latifolia:
Lady Bird Johnson Wildflower Center Plant Database
Images
Arisaema triphyllum (Jack In The Pulpit)
Group: Plants
Type: Flowering Plants - Monocots
Family: Araceae
Notes
Common Name: Jack In The Pulpit
Growth Habit: Forb/herb
Duration: Perennial
Origin: Native to the conterminous United States
Years Noted: 1984; 2004; 2007; 2009; 2011-2013; 2015-2025
Dispersed By: Birds
Allelopathic: Yes
Deer Resistant: Yes
iNaturalist Observations from the GNA:
113170734 (Observed: 4/27/2022)
113170794 (Observed: 4/27/2022)
113170819 (Observed: 4/27/2022)
113170942 (Observed: 4/27/2022)
75468483 (Observed: 4/27/2021)
74365537 (Observed: 4/17/2021)
57723128 (Observed: 8/26/2020)
General Floristic References:
Rhoads, A. F. and T. A. Block (2007). The Plants of Pennsylvania. Philadelphia, PA, University of Pennsylvania Press (p. 122).
Online Resources for Arisaema triphyllum:
Lady Bird Johnson Wildflower Center Plant Database
Images
Arum italicum (Italian Lords And Ladies)
Group: Plants
Type: Flowering Plants - Monocots
Family: Araceae
Notes
Common Name: Italian Lords And Ladies
Growth Habit: Forb/herb
Duration: Perennial
Origin: Not native to the conterminous United States
Years Noted: 2019; 2021-2026
iNaturalist Observations from the GNA:
79203435 (Observed: 5/17/2021)
68068967 (Observed: 1/14/2021)
General Floristic References:
Rhoads, A. F. and T. A. Block (2007). The Plants of Pennsylvania. Philadelphia, PA, University of Pennsylvania Press (p. Not Listed).
Online Resources for Arum italicum:
Images
Symplocarpus foetidus (Skunk Cabbage)
Group: Plants
Type: Flowering Plants - Monocots
Family: Araceae
Notes
Common Name: Skunk Cabbage
Growth Habit: Forb/herb
Duration: Perennial
Origin: Native to the conterminous United States
Years Noted: 1984; 2004; 2007; 2009; 2013; 2015-2026
Northeast Wetland Status: OBL
Deer Resistant: Yes
iNaturalist Observations from the GNA:
266571286 (Observed: 3/23/2025)
174975812 (Observed: 7/25/2023)
110758737 (Observed: 4/8/2022)
135114183 (Observed: 9/14/2022)
106748107 (Observed: 2/11/2022)
79279575 (Observed: 5/18/2021)
70519114 (Observed: 3/3/2021)
70339772 (Observed: 2/28/2021)
General Floristic References:
Magee, D. W. (1981). Freshwater Wetlands: A Guide to Common Indicator Plants of the Northeast. Amherst, MA, University of Massachusetts Press (p. 98).
Rhoads, A. F. and T. A. Block (2007). The Plants of Pennsylvania. Philadelphia, PA, University of Pennsylvania Press (p. 120).
Online Resources for Symplocarpus foetidus:
Lady Bird Johnson Wildflower Center Plant Database
Images
Commelina communis (Asiatic Dayflower)
Group: Plants
Type: Flowering Plants - Monocots
Family: Commelinaceae
Notes
Common Name: Asiatic Dayflower
Growth Habit: Forb/herb
Duration: Annual
Origin: Not native to the conterminous United States
Years Noted: 1984; 2004; 2007; 2017-2018; 2020-2023; 2025
iNaturalist Observations from the GNA:
90816063 (Observed: 8/6/2021)
88868178 (Observed: 7/27/2021)
55824718 (Observed: 8/8/2020)
General Floristic References:
Rhoads, A. F. and T. A. Block (2007). The Plants of Pennsylvania. Philadelphia, PA, University of Pennsylvania Press (p. 395).
Online Resources for Commelina communis:
Images
Carex aggregata (Glomerate Sedge)
Group: Plants
Type: Flowering Plants - Monocots
Family: Cyperaceae
Notes
Common Name: Glomerate Sedge
Growth Habit: Graminoid
Duration: Perennial
Origin: Native to the conterminous United States
Years Noted: 2007; 2017; 2022
iNaturalist Observations from the GNA:
124152459 (Observed: 6/27/2022)
General Floristic References:
Rhoads, A. F. and T. A. Block (2007). The Plants of Pennsylvania. Philadelphia, PA, University of Pennsylvania Press (p. 291).
Online Resources for Carex aggregata:
Images
Carex albicans (Whitetinge Sedge)
Group: Plants
Type: Flowering Plants - Monocots
Family: Cyperaceae
Notes
Common Name: Whitetinge Sedge
Growth Habit: Graminoid
Duration: Perennial
Origin: Native to the conterminous United States
Years Noted: 2007; 2017
Winter-green Species: i.e., Is a species whose leaves develop in the fall and overwinter.
General Floristic References:
Rhoads, A. F. and T. A. Block (2007). The Plants of Pennsylvania. Philadelphia, PA, University of Pennsylvania Press (p. 230).
Online Resources for Carex albicans:
Lady Bird Johnson Wildflower Center Plant Database
Carex amphibola (Eastern Narrowleaf Sedge)
Group: Plants
Type: Flowering Plants - Monocots
Family: Cyperaceae
Notes
Common Name: Eastern Narrowleaf Sedge
Growth Habit: Graminoid
Duration: Perennial
Origin: Native to the conterminous United States
Years Noted: 2004; 2007; 2009; 2011; 2017-2019
iNaturalist Observations from the GNA:
123115991 (Observed: 6/4/2017)
57817597 (Observed: 5/16/2019)
General Floristic References:
Rhoads, A. F. and T. A. Block (2007). The Plants of Pennsylvania. Philadelphia, PA, University of Pennsylvania Press (p. 241).
Online Resources for Carex amphibola:
Images
Carex annectens (Yellowfruit Sedge)
Group: Plants
Type: Flowering Plants - Monocots
Family: Cyperaceae
Notes
Common Name: Yellowfruit Sedge
Growth Habit: Graminoid
Duration: Perennial
Origin: Native to the conterminous United States
Years Noted: 2007; 2018
General Floristic References:
Rhoads, A. F. and T. A. Block (2007). The Plants of Pennsylvania. Philadelphia, PA, University of Pennsylvania Press (p. 280).
Online Resources for Carex annectens:
Lady Bird Johnson Wildflower Center Plant Database
Carex blanda (Eastern Woodland Sedge)
Group: Plants
Type: Flowering Plants - Monocots
Family: Cyperaceae
Notes
Common Name: Eastern Woodland Sedge
Growth Habit: Graminoid
Duration: Perennial
Origin: Native to the conterminous United States
Years Noted: 2007; 2009; 2011; 2017-2019; 2022-2023
Deer Resistant: Yes
Winter-green Species: i.e., Is a species whose leaves develop in the fall and overwinter.
iNaturalist Observations from the GNA:
160725249 (Observed: 5/8/2023)
119781632 (Observed: 6/1/2022)
57817019 (Observed: 5/16/2019)
General Floristic References:
Rhoads, A. F. and T. A. Block (2007). The Plants of Pennsylvania. Philadelphia, PA, University of Pennsylvania Press (p. 248).
Online Resources for Carex blanda:
Images
Carex bromoides (Brome-like Sedge)
Group: Plants
Type: Flowering Plants - Monocots
Family: Cyperaceae
Notes
Common Name: Brome-like Sedge
Growth Habit: Graminoid
Duration: Perennial
Origin: Native to the conterminous United States
Year Noted: 2007
General Floristic References:
Rhoads, A. F. and T. A. Block (2007). The Plants of Pennsylvania. Philadelphia, PA, University of Pennsylvania Press (p. 277).
Online Resources for Carex bromoides:
Lady Bird Johnson Wildflower Center Plant Database
Carex caroliniana (Carolina Sedge)
Group: Plants
Type: Flowering Plants - Monocots
Family: Cyperaceae
Notes
Common Name: Carolina Sedge
Growth Habit: Graminoid
Duration: Perennial
Origin: Native to the conterminous United States
Year Noted: 2007
General Floristic References:
Rhoads, A. F. and T. A. Block (2007). The Plants of Pennsylvania. Philadelphia, PA, University of Pennsylvania Press (p. 263).
Online Resources for Carex caroliniana:
Carex cephalophora (Oval-leaf Sedge)
Group: Plants
Type: Flowering Plants - Monocots
Family: Cyperaceae
Notes
Common Name: Oval-leaf Sedge
Growth Habit: Graminoid
Duration: Perennial
Origin: Native to the conterminous United States
Years Noted: 2007; 2017-2018
General Floristic References:
Rhoads, A. F. and T. A. Block (2007). The Plants of Pennsylvania. Philadelphia, PA, University of Pennsylvania Press (p. 292).
Online Resources for Carex cephalophora:
Images
Carex davisii (Davis Sedge)
Group: Plants
Type: Flowering Plants - Monocots
Family: Cyperaceae
Notes
Common Name: Davis' Sedge
Growth Habit: Graminoid
Duration: Perennial
Origin: Native to the conterminous United States
Years Noted: 2007; 2016-2022
iNaturalist Observations from the GNA:
122943847 (Observed: 6/17/2022)
General Floristic References:
Rhoads, A. F. and T. A. Block (2007). The Plants of Pennsylvania. Philadelphia, PA, University of Pennsylvania Press (p. 244).
Online Resources for Carex davisii:
Lady Bird Johnson Wildflower Center Plant Database
Images
Carex debilis (Weak Sedge)
Group: Plants
Type: Flowering Plants - Monocots
Family: Cyperaceae
Notes
Common Names: Weak Sedge; White Edge Sedge
Growth Habit: Graminoid
Duration: Perennial
Origin: Native to the conterminous United States
Year Noted: 2007
General Floristic References:
Rhoads, A. F. and T. A. Block (2007). The Plants of Pennsylvania. Philadelphia, PA, University of Pennsylvania Press (p. 244).
Online Resources for Carex debilis:
Carex digitalis (Slender Woodland Sedge)
Group: Plants
Type: Flowering Plants - Monocots
Family: Cyperaceae
Notes
Common Name: Slender Woodland Sedge
Growth Habit: Graminoid
Duration: Perennial
Origin: Native to the conterminous United States
Years Noted: 2004; 2007; 2016-2018
General Floristic References:
Rhoads, A. F. and T. A. Block (2007). The Plants of Pennsylvania. Philadelphia, PA, University of Pennsylvania Press (p. 236).
Online Resources for Carex digitalis:
Carex frankii (Franks Sedge)
Group: Plants
Type: Flowering Plants - Monocots
Family: Cyperaceae
Notes
Common Name: Frank's Sedge
Growth Habit: Graminoid
Duration: Perennial
Origin: Native to the conterminous United States
Year Noted: 2007
Northeast Wetland Status: OBL
General Floristic References:
Rhoads, A. F. and T. A. Block (2007). The Plants of Pennsylvania. Philadelphia, PA, University of Pennsylvania Press (p. 266).
Online Resources for Carex frankii:
Lady Bird Johnson Wildflower Center Plant Database
Carex glaucodea (Blue Sedge)
Group: Plants
Type: Flowering Plants - Monocots
Family: Cyperaceae
Notes
Common Name: Blue Sedge
Growth Habit: Graminoid
Duration: Perennial
Origin: Native to the conterminous United States
Years Noted: 2007; 2018
General Floristic References:
Rhoads, A. F. and T. A. Block (2007). The Plants of Pennsylvania. Philadelphia, PA, University of Pennsylvania Press (p. 242).
Online Resources for Carex glaucodea:
Carex gracilescens (Slender Looseflower Sedge)
Group: Plants
Type: Flowering Plants - Monocots
Family: Cyperaceae
Notes
Common Name: Slender Looseflower Sedge
Growth Habit: Graminoid
Duration: Perennial
Origin: Native to the conterminous United States
Years Noted: 2007; 2017
Winter-green Species: i.e., Is a species whose leaves develop in the fall and overwinter.
General Floristic References:
Rhoads, A. F. and T. A. Block (2007). The Plants of Pennsylvania. Philadelphia, PA, University of Pennsylvania Press (p. 248).
Wintergreen Species References:
Beatley, J. C. 1956. The winter-green herbaceous flowering plants of Ohio. The Ohio Journal of Science 56(6): 349-377.
Online Resources for Carex gracilescens:
Carex gracillima (Graceful Sedge)
Group: Plants
Type: Flowering Plants - Monocots
Family: Cyperaceae
Notes
Common Name: Graceful Sedge
Growth Habit: Graminoid
Duration: Perennial
Origin: Native to the conterminous United States
Years Noted: 2007; 2017-2018
General Floristic References:
Rhoads, A. F. and T. A. Block (2007). The Plants of Pennsylvania. Philadelphia, PA, University of Pennsylvania Press (p. 245).
Online Resources for Carex gracillima:
Carex hirsutella (Fuzzy Wuzzy Sedge)
Group: Plants
Type: Flowering Plants - Monocots
Family: Cyperaceae
Notes
Common Name: Fuzzy Wuzzy Sedge
Growth Habit: Graminoid
Duration: Perennial
Origin: Native to the conterminous United States
Year Noted: 2007
General Floristic References:
Rhoads, A. F. and T. A. Block (2007). The Plants of Pennsylvania. Philadelphia, PA, University of Pennsylvania Press (p. 263).
Online Resources for Carex hirsutella:
Carex hirtifolia (Pubescent Sedge)
Group: Plants
Type: Flowering Plants - Monocots
Family: Cyperaceae
Notes
Common Name: Pubescent Sedge
Growth Habit: Graminoid
Duration: Perennial
Origin: Native to the conterminous United States
Years Noted: 2004; 2007; 2009; 2011; 2017-2019
iNaturalist Observations from the GNA:
57798369 (Observed: 5/16/2019)
General Floristic References:
Rhoads, A. F. and T. A. Block (2007). The Plants of Pennsylvania. Philadelphia, PA, University of Pennsylvania Press (p. 243).
Online Resources for Carex hirtifolia:
Images
Carex laevivaginata (Smoothsheath Sedge)
Group: Plants
Type: Flowering Plants - Monocots
Family: Cyperaceae
Notes
Common Name: Smoothsheath Sedge
Growth Habit: Graminoid
Duration: Perennial
Origin: Native to the conterminous United States
Year Noted: 2007
Northeast Wetland Status: OBL
General Floristic References:
Rhoads, A. F. and T. A. Block (2007). The Plants of Pennsylvania. Philadelphia, PA, University of Pennsylvania Press (p. 300).
Online Resources for Carex laevivaginata:
Carex laxiculmis (Spreading Sedge)
Group: Plants
Type: Flowering Plants - Monocots
Family: Cyperaceae
Notes
Common Name: Spreading Sedge
Growth Habit: Graminoid
Duration: Perennial
Origin: Native to the conterminous United States
Years Noted: 2004; 2007; 2016-2018
Dispersed By: Ants
General Floristic References:
Rhoads, A. F. and T. A. Block (2007). The Plants of Pennsylvania. Philadelphia, PA, University of Pennsylvania Press (p. 236).
Online Resources for Carex laxiculmis:
Lady Bird Johnson Wildflower Center Plant Database
Images
Carex laxiflora (Broad Looseflower Sedge)
Group: Plants
Type: Flowering Plants - Monocots
Family: Cyperaceae
Notes
Common Name: Broad Looseflower Sedge
Growth Habit: Graminoid
Duration: Perennial
Origin: Native to the conterminous United States
Years Noted: 2004; 2007; 2018; 2021-2022
Dispersed By: Ants
iNaturalist Observations from the GNA:
77735574 (Observed: 5/6/2021)
General Floristic References:
Rhoads, A. F. and T. A. Block (2007). The Plants of Pennsylvania. Philadelphia, PA, University of Pennsylvania Press (p. 249).
Online Resources for Carex laxiflora:
Carex lurida (Shallow Sedge)
Group: Plants
Type: Flowering Plants - Monocots
Family: Cyperaceae
Notes
Common Name: Shallow Sedge
Growth Habit: Graminoid
Duration: Perennial
Origin: Native to the conterminous United States
Years Noted: 2004; 2007; 2017-2022
Northeast Wetland Status: OBL
iNaturalist Observations from the GNA:
80280451 (Observed: 5/25/2021)
50923451 (Observed: 6/25/2020)
57578260 (Observed: 5/16/2019)
General Floristic References:
Magee, D. W. (1981). Freshwater Wetlands: A Guide to Common Indicator Plants of the Northeast. Amherst, MA, University of Massachusetts Press (p. 94).
Rhoads, A. F. and T. A. Block (2007). The Plants of Pennsylvania. Philadelphia, PA, University of Pennsylvania Press (p. 270).
Online Resources for Carex lurida:
Lady Bird Johnson Wildflower Center Plant Database
Images
Carex mesochorea (Midland Sedge)
Group: Plants
Type: Flowering Plants - Monocots
Family: Cyperaceae
Notes
Common Name: Midland Sedge
Growth Habit: Graminoid
Duration: Perennial
Origin: Native to the conterminous United States
Years Noted: 2007; 2017
General Floristic References:
Rhoads, A. F. and T. A. Block (2007). The Plants of Pennsylvania. Philadelphia, PA, University of Pennsylvania Press (p. 293).
Online Resources for Carex mesochorea:
Carex normalis (Greater Straw Sedge)
Group: Plants
Type: Flowering Plants - Monocots
Family: Cyperaceae
Notes
Common Name: Greater Straw Sedge
Growth Habit: Graminoid
Duration: Perennial
Origin: Native to the conterminous United States
Years Noted: 2007; 2009; 2018
General Floristic References:
Rhoads, A. F. and T. A. Block (2007). The Plants of Pennsylvania. Philadelphia, PA, University of Pennsylvania Press (p. 287).
Online Resources for Carex normalis:
Carex pensylvanica (Pennsylvania Sedge)
Group: Plants
Type: Flowering Plants - Monocots
Family: Cyperaceae
Notes
Common Name: Pennsylvania Sedge
Growth Habit: Graminoid
Duration: Perennial
Origin: Native to the conterminous United States
Years Noted: 2007; 2016-2025
Dispersed By: Ants
Deer Resistant: Yes
iNaturalist Observations from the GNA:
77735084 (Observed: 5/6/2021)
General Floristic References:
Rhoads, A. F. and T. A. Block (2007). The Plants of Pennsylvania. Philadelphia, PA, University of Pennsylvania Press (p. 232).
Online Resources for Carex pensylvanica:
Fire Effects Information System
Lady Bird Johnson Wildflower Center Plant Database
Images
Carex prasina (Drooping Sedge)
Group: Plants
Type: Flowering Plants - Monocots
Family: Cyperaceae
Notes
Common Name: Drooping Sedge
Growth Habit: Graminoid
Duration: Perennial
Origin: Native to the conterminous United States
Years Noted: 2007; 2017-2018
Northeast Wetland Status: OBL
General Floristic References:
Rhoads, A. F. and T. A. Block (2007). The Plants of Pennsylvania. Philadelphia, PA, University of Pennsylvania Press (p. 246).
Online Resources for Carex prasina:
Carex radiata (Eastern Star Sedge)
Group: Plants
Type: Flowering Plants - Monocots
Family: Cyperaceae
Notes
Common Name: Eastern Star Sedge
Growth Habit: Graminoid
Duration: Perennial
Origin: Native to the conterminous United States
Years Noted: 2004; 2007; 2009; 2017-2018; 2021-2023
iNaturalist Observations from the GNA:
78293534 (Observed: 5/10/2021)
General Floristic References:
Rhoads, A. F. and T. A. Block (2007). The Plants of Pennsylvania. Philadelphia, PA, University of Pennsylvania Press (p. 294).
Online Resources for Carex radiata:
Lady Bird Johnson Wildflower Center Plant Database
Images
Carex rosea (Rosy Sedge)
Group: Plants
Type: Flowering Plants - Monocots
Family: Cyperaceae
Notes
Common Name: Rosy Sedge
Growth Habit: Graminoid
Duration: Perennial
Origin: Native to the conterminous United States
Years Noted: 2007; 2017-2018
General Floristic References:
Rhoads, A. F. and T. A. Block (2007). The Plants of Pennsylvania. Philadelphia, PA, University of Pennsylvania Press (p. 295).
Online Resources for Carex rosea:
Images
Carex scoparia (Broom Sedge)
Group: Plants
Type: Flowering Plants - Monocots
Family: Cyperaceae
Notes
Common Name: Broom Sedge
Growth Habit: Graminoid
Duration: Perennial
Origin: Native to the conterminous United States
Years Noted: 2007; 2016; 2018; 2022
iNaturalist Observations from the GNA:
120709052 (Observed: 6/6/2022)
General Floristic References:
Rhoads, A. F. and T. A. Block (2007). The Plants of Pennsylvania. Philadelphia, PA, University of Pennsylvania Press (p. 288).
Online Resources for Carex scoparia:
Images
Carex sparganioides (Bur-reed Sedge)
Group: Plants
Type: Flowering Plants - Monocots
Family: Cyperaceae
Notes
Common Name: Bur-reed Sedge
Growth Habit: Graminoid
Duration: Perennial
Origin: Native to the conterminous United States
Years Noted: 2007; 2017
General Floristic References:
Rhoads, A. F. and T. A. Block (2007). The Plants of Pennsylvania. Philadelphia, PA, University of Pennsylvania Press (p. 295).
Online Resources for Carex sparganioides:
Carex spicata (Prickly Sedge)
Group: Plants
Type: Flowering Plants - Monocots
Family: Cyperaceae
Notes
Common Name: Prickly Sedge
Growth Habit: Graminoid
Duration: Perennial
Origin: Not native to the conterminous United States
Year Noted: 2004
Dispersed By: Animals; General Zoochory; Water
General Floristic References:
Rhoads, A. F. and T. A. Block (2007). The Plants of Pennsylvania. Philadelphia, PA, University of Pennsylvania Press (p. 296).
Online Resources for Carex spicata:
Carex stipata (Awl-fruited Sedge)
Group: Plants
Type: Flowering Plants - Monocots
Family: Cyperaceae
Notes
Common Names: Awl-fruited Sedge; Prickly Sedge
Growth Habit: Graminoid
Duration: Perennial
Origin: Native to the conterminous United States
Years Noted: 2007; 2017-2019
Northeast Wetland Status: OBL
Deer Resistant: Yes
iNaturalist Observations from the GNA:
57575137 (Observed: 5/16/2019)
General Floristic References:
Rhoads, A. F. and T. A. Block (2007). The Plants of Pennsylvania. Philadelphia, PA, University of Pennsylvania Press (p. 300).
Online Resources for Carex stipata:
Images
Carex striatula (Lined Sedge)
Group: Plants
Type: Flowering Plants - Monocots
Family: Cyperaceae
Notes
Common Name: Lined Sedge
Growth Habit: Graminoid
Duration: Perennial
Origin: Native to the conterminous United States
Years Noted: 2007; 2017-2018
Dispersed By: Ants
General Floristic References:
Rhoads, A. F. and T. A. Block (2007). The Plants of Pennsylvania. Philadelphia, PA, University of Pennsylvania Press (p. 250).
Online Resources for Carex striatula:
Carex stricta (Tussock Sedge)
Group: Plants
Type: Flowering Plants - Monocots
Family: Cyperaceae
Notes
Common Names: Tussock Sedge; Upright Sedge
Growth Habit: Graminoid
Duration: Perennial
Origin: Native to the conterminous United States
Years Noted: 2004; 2007; 2017; 2019-2025
Northeast Wetland Status: OBL
Deer Resistant: Yes
iNaturalist Observations from the GNA:
78280209 (Observed: 5/10/2021)
General Floristic References:
Magee, D. W. (1981). Freshwater Wetlands: A Guide to Common Indicator Plants of the Northeast. Amherst, MA, University of Massachusetts Press (p. 93).
Rhoads, A. F. and T. A. Block (2007). The Plants of Pennsylvania. Philadelphia, PA, University of Pennsylvania Press (p. 260).
Online Resources for Carex stricta:
Fire Effects Information System
Lady Bird Johnson Wildflower Center Plant Database
Images
Carex swanii (Swans Sedge)
Group: Plants
Type: Flowering Plants - Monocots
Family: Cyperaceae
Notes
Common Name: Swan's Sedge
Growth Habit: Graminoid
Duration: Perennial
Origin: Native to the conterminous United States
Years Noted: 2004; 2007; 2009; 2011; 2017-2018
General Floristic References:
Rhoads, A. F. and T. A. Block (2007). The Plants of Pennsylvania. Philadelphia, PA, University of Pennsylvania Press (p. 264).
Online Resources for Carex swanii:
Lady Bird Johnson Wildflower Center Plant Database
Images
Carex tribuloides (Blunt Broom Sedge)
Group: Plants
Type: Flowering Plants - Monocots
Family: Cyperaceae
Notes
Common Name: Blunt Broom Sedge
Growth Habit: Graminoid
Duration: Perennial
Origin: Native to the conterminous United States
Years Noted: 2004; 2007; 2018; 2021
Northeast Wetland Status: FACW
iNaturalist Observations from the GNA:
123124229 (Observed: 5/6/2021)
General Floristic References:
Magee, D. W. (1981). Freshwater Wetlands: A Guide to Common Indicator Plants of the Northeast. Amherst, MA, University of Massachusetts Press (p. 90-91).
Rhoads, A. F. and T. A. Block (2007). The Plants of Pennsylvania. Philadelphia, PA, University of Pennsylvania Press (p. 289).
Online Resources for Carex tribuloides:
Images
Carex vulpinoidea (Fox Sedge)
Group: Plants
Type: Flowering Plants - Monocots
Family: Cyperaceae
Notes
Common Name: Fox Sedge
Growth Habit: Graminoid
Duration: Perennial
Origin: Native to the conterminous United States
Years Noted: 2007; 2009; 2016-2018
Northeast Wetland Status: OBL
Deer Resistant: Yes
General Floristic References:
Rhoads, A. F. and T. A. Block (2007). The Plants of Pennsylvania. Philadelphia, PA, University of Pennsylvania Press (p. 280).
Online Resources for Carex vulpinoidea:
Lady Bird Johnson Wildflower Center Plant Database
Images
Cyperus esculentus (Yellow Nutsedge)
Group: Plants
Type: Flowering Plants - Monocots
Family: Cyperaceae
Notes
Common Name: Yellow Nutsedge
Growth Habit: Graminoid
Duration: Perennial
Origin: Undetermined
Years Noted: 2007; 2018
Dispersed By: Human Activities; Water
General Floristic References:
Rhoads, A. F. and T. A. Block (2007). The Plants of Pennsylvania. Philadelphia, PA, University of Pennsylvania Press (p. 215).
Online Resources for Cyperus esculentus:
Cyperus squarrosus (Bearded Flatsedge)
Group: Plants
Type: Flowering Plants - Monocots
Family: Cyperaceae
Notes
Common Name: Bearded Flatsedge
Growth Habit: Graminoid
Duration: Annual
Origin: Native to the conterminous United States
Year Noted: 2018
Online Resources for Cyperus squarrosus:
Cyperus strigosus (Straw-colored Flatsedge)
Group: Plants
Type: Flowering Plants - Monocots
Family: Cyperaceae
Notes
Common Name: Straw-colored Flatsedge
Growth Habit: Graminoid
Duration: Perennial
Origin: Native to the conterminous United States
Years Noted: 2007; 2018-2021; 2023
iNaturalist Observations from the GNA:
88867085 (Observed: 7/27/2021)
32184310 (Observed: 9/5/2019)
32184765 (Observed: 9/5/2019)
57180465 (Observed: 8/20/2020)
General Floristic References:
Rhoads, A. F. and T. A. Block (2007). The Plants of Pennsylvania. Philadelphia, PA, University of Pennsylvania Press (p. 219).
Online Resources for Cyperus strigosus:
Images
Eleocharis erythropoda (Bald Spikerush)
Group: Plants
Type: Flowering Plants - Monocots
Family: Cyperaceae
Notes
Common Name: Bald Spikerush
Growth Habit: Graminoid
Duration: Perennial
Origin: Native to the conterminous United States
Year Noted: 2018
Northeast Wetland Status: OBL
General Floristic References:
Rhoads, A. F. and T. A. Block (2007). The Plants of Pennsylvania. Philadelphia, PA, University of Pennsylvania Press (p. 206).
Online Resources for Eleocharis erythropoda:
Eleocharis obtusa (Blunt Spikerush)
Group: Plants
Type: Flowering Plants - Monocots
Family: Cyperaceae
Notes
Common Name: Blunt Spikerush
Growth Habit: Graminoid
Duration: Annual, Perennial
Origin: Native to the conterminous United States
Year Noted: 2021-2023
Northeast Wetland Status: OBL
iNaturalist Observations from the GNA:
83942063 (Observed: 6/21/2021)
95090726 (Observed: 9/16/2021)
General Floristic References:
Block, T. A. and A. F. Rhoads (2011). Aquatic Plants of Pennsylvania. A Complete Reference Guide. Philadelphia, PA, University of Pennsylvania Press (p. 113).
Magee, D. W. (1981). Freshwater Wetlands: A Guide to Common Indicator Plants of the Northeast. Amherst, MA, University of Massachusetts Press (p. 84).
Online Resources for Eleocharis obtusa:
Images
Eleocharis tenuis (Slender Spikerush)
Group: Plants
Type: Flowering Plants - Monocots
Family: Cyperaceae
Notes
Common Name: Slender Spikerush
Growth Habit: Graminoid
Duration: Perennial
Origin: Native to the conterminous United States
Years Noted: 2004; 2007; 2017; 2019-2021
Northeast Wetland Status: FACW
iNaturalist Observations from the GNA:
78296168 (Observed: 5/10/2021)
45921487 (Observed: 5/14/2020)
General Floristic References:
Rhoads, A. F. and T. A. Block (2007). The Plants of Pennsylvania. Philadelphia, PA, University of Pennsylvania Press (p. 209).
Online Resources for Eleocharis tenuis:
Images
Schoenoplectus tabernaemontani (Softstem Bulrush)
Group: Plants
Type: Flowering Plants - Monocots
Family: Cyperaceae
Notes
Common Name: Softstem Bulrush
Growth Habit: Graminoid
Duration: Perennial
Origin: Native to the conterminous United States
Years Noted: 2018; 2021-2025
Deer Resistant: Yes
iNaturalist Observations from the GNA:
https://www.inaturalist.org/observa (Observed: 6/21/2021)
General Floristic References:
Block, T. A. and A. F. Rhoads (2011). Aquatic Plants of Pennsylvania. A Complete Reference Guide. Philadelphia, PA, University of Pennsylvania Press (p. 56).
Rhoads, A. F. and T. A. Block (2007). The Plants of Pennsylvania. Philadelphia, PA, University of Pennsylvania Press (p. 204).
Online Resources for Schoenoplectus tabernaemontani:
Fire Effects Information System
Lady Bird Johnson Wildflower Center Plant Database
Images
Scirpus cyperinus (Woolgrass)
Group: Plants
Type: Flowering Plants - Monocots
Family: Cyperaceae
Notes
Common Name: Woolgrass
Growth Habit: Graminoid
Duration: Perennial
Origin: Native to the conterminous United States
Years Noted: 2007; 2017; 2019-2025
Northeast Wetland Status: FACW
Dispersed By: Wind
Deer Resistant: Yes
iNaturalist Observations from the GNA:
95091542 (Observed: 9/16/2021)
88308016 (Observed: 7/23/2021)
53842687 (Observed: 7/20/2020)
General Floristic References:
Magee, D. W. (1981). Freshwater Wetlands: A Guide to Common Indicator Plants of the Northeast. Amherst, MA, University of Massachusetts Press (p. 87).
Rhoads, A. F. and T. A. Block (2007). The Plants of Pennsylvania. Philadelphia, PA, University of Pennsylvania Press (p. 196).
Online Resources for Scirpus cyperinus:
Lady Bird Johnson Wildflower Center Plant Database
Images
Scirpus georgianus (Georgia Bulrush)
Group: Plants
Type: Flowering Plants - Monocots
Family: Cyperaceae
Notes
Common Name: Georgia Bulrush
Growth Habit: Graminoid
Duration: Perennial
Origin: Native to the conterminous United States
Years Noted: 2004; 2007; 2016; 2018; 2020-2025
Northeast Wetland Status: OBL
iNaturalist Observations from the GNA:
83181958 (Observed: 6/14/2021)
52796987 (Observed: 7/9/2020)
General Floristic References:
Rhoads, A. F. and T. A. Block (2007). The Plants of Pennsylvania. Philadelphia, PA, University of Pennsylvania Press (p. 197).
Online Resources for Scirpus georgianus:
Images
Scirpus pendulus (Rufous Bulrush)
Group: Plants
Type: Flowering Plants - Monocots
Family: Cyperaceae
Notes
Common Name: Rufous Bulrush
Growth Habit: Graminoid
Duration: Perennial
Origin: Native to the conterminous United States
Years Noted: 2007; 2021
Northeast Wetland Status: OBL
General Floristic References:
Rhoads, A. F. and T. A. Block (2007). The Plants of Pennsylvania. Philadelphia, PA, University of Pennsylvania Press (p. 198).
Online Resources for Scirpus pendulus:
Scirpus polyphyllus (Leafy Bulrush)
Group: Plants
Type: Flowering Plants - Monocots
Family: Cyperaceae
Notes
Common Name: Leafy Bulrush
Growth Habit: Graminoid
Duration: Perennial
Origin: Native to the conterminous United States
Year Noted: 2007
Northeast Wetland Status: OBL
General Floristic References:
Rhoads, A. F. and T. A. Block (2007). The Plants of Pennsylvania. Philadelphia, PA, University of Pennsylvania Press (p. 198).
Online Resources for Scirpus polyphyllus:
Dioscorea villosa (Wild Yam)
Group: Plants
Type: Flowering Plants - Monocots
Family: Dioscoreaceae
Notes
Common Name: Wild Yam
Growth Habit: Forb/herb, Vine
Duration: Perennial
Origin: Native to the conterminous United States
Years Noted: 1984; 2004; 2007; 2009; 2017-2020
iNaturalist Observations from the GNA:
57564559 (Observed: 5/20/2019)
General Floristic References:
Rhoads, A. F. and T. A. Block (2007). The Plants of Pennsylvania. Philadelphia, PA, University of Pennsylvania Press (p. 141).
Online Resources for Dioscorea villosa:
Images
Elodea nuttallii (Nuttalls Waterweed)
Group: Plants
Type: Flowering Plants - Monocots
Family: Hydrocharitaceae
Notes
Common Name: Nuttall's Waterweed
Growth Habit: Forb/herb
Duration: Perennial
Origin: Native to the conterminous United States
Year Noted: 1983-1984
Northeast Wetland Status: OBL
Dispersed By: Animals; Birds; General Zoochory
General Floristic References:
Block, T. A. and A. F. Rhoads (2011). Aquatic Plants of Pennsylvania. A Complete Reference Guide. Philadelphia, PA, University of Pennsylvania Press (p. 235).
Rhoads, A. F. and T. A. Block (2007). The Plants of Pennsylvania. Philadelphia, PA, University of Pennsylvania Press (p. 126).
Online Resources for Elodea nuttallii:
Sisyrinchium angustifolium (Narrowleaf Blue-eyed Grass)
Group: Plants
Type: Flowering Plants - Monocots
Family: Iridaceae
Notes
Common Name: Narrowleaf Blue-eyed Grass
Growth Habit: Forb/herb
Duration: Perennial
Origin: Native to the conterminous United States
Years Noted: 1984; 2007; 2016-2018; 2021-2023; 2025
iNaturalist Observations from the GNA:
288555661 (Observed: 6/10/2025)
118453617 (Observed: 5/23/2022)
79577436 (Observed: 5/20/2021)
General Floristic References:
Rhoads, A. F. and T. A. Block (2007). The Plants of Pennsylvania. Philadelphia, PA, University of Pennsylvania Press (p. 169).
Online Resources for Sisyrinchium angustifolium:
Lady Bird Johnson Wildflower Center Plant Database
Images
Juncus effusus (Common Rush)
Group: Plants
Type: Flowering Plants - Monocots
Family: Juncaceae
Notes
Common Name: Common Rush
Growth Habit: Graminoid
Duration: Perennial
Origin: Native to the conterminous United States
Years Noted: 2004; 2007; 2016-2026
Northeast Wetland Status: FACW
Dispersed By: Animals; Birds; Deer; General Zoochory; Human Activities; Water
Deer Resistant: Yes
Winter-green Species: i.e., Is a species whose leaves develop in the fall and overwinter.
iNaturalist Observations from the GNA:
119771697 (Observed: 6/1/2022)
52517392 (Observed: 7/9/2020)
General Floristic References:
Magee, D. W. (1981). Freshwater Wetlands: A Guide to Common Indicator Plants of the Northeast. Amherst, MA, University of Massachusetts Press (p. 105).
Rhoads, A. F. and T. A. Block (2007). The Plants of Pennsylvania. Philadelphia, PA, University of Pennsylvania Press (p. 190).
Wintergreen Species References:
Beatley, J. C. 1956. The winter-green herbaceous flowering plants of Ohio. The Ohio Journal of Science 56(6): 349-377.
Online Resources for Juncus effusus:
Lady Bird Johnson Wildflower Center Plant Database
Images
Juncus secundus (Lopsided Rush)
Group: Plants
Type: Flowering Plants - Monocots
Family: Juncaceae
Notes
Common Name: Lopsided Rush
Growth Habit: Graminoid
Duration: Perennial
Origin: Native to the conterminous United States
Year Noted: 2007
General Floristic References:
Rhoads, A. F. and T. A. Block (2007). The Plants of Pennsylvania. Philadelphia, PA, University of Pennsylvania Press (p. 192).
Online Resources for Juncus secundus:
Juncus tenuis (Poverty Rush)
Group: Plants
Type: Flowering Plants - Monocots
Family: Juncaceae
Notes
Common Names: Poverty Rush; Slender Path Rush
Growth Habit: Graminoid
Duration: Perennial
Origin: Native to the conterminous United States
Years Noted: 2004; 2007; 2016-2018; 2020; 2022-2023
Dispersed By: Animals; Deer; General Zoochory; Human Activities
iNaturalist Observations from the GNA:
53833288 (Observed: 7/20/2020)
General Floristic References:
Rhoads, A. F. and T. A. Block (2007). The Plants of Pennsylvania. Philadelphia, PA, University of Pennsylvania Press (p. 193).
Online Resources for Juncus tenuis:
Lady Bird Johnson Wildflower Center Plant Database
Images
Luzula echinata (Hedgehog Woodrush)
Group: Plants
Type: Flowering Plants - Monocots
Family: Juncaceae
Notes
Common Name: Hedgehog Woodrush
Growth Habit: Graminoid
Duration: Perennial
Origin: Native to the conterminous United States
Years Noted: 2007; 2016-2024
Dispersed By: Ants
iNaturalist Observations from the GNA:
41191803 (Observed: 4/26/2019)
General Floristic References:
Rhoads, A. F. and T. A. Block (2007). The Plants of Pennsylvania. Philadelphia, PA, University of Pennsylvania Press (p. 184).
Online Resources for Luzula echinata:
Lemna minor (Common Duckweed)
Group: Plants
Type: Flowering Plants - Monocots
Family: Lemnaceae
Notes
Common Name: Common Duckweed
Growth Habit: Forb/herb
Duration: Perennial
Origin: Native to the conterminous United States
Years Noted: 1984; 2007; 2016-2025
Northeast Wetland Status: OBL
Dispersed By: Animals; Animals (Accidental); Birds; General Zoochory; Water
iNaturalist Observations from the GNA:
144416880 (Observed: 12/14/2022)
57797142 (Observed: 5/16/2019)
70520144 (Observed: 3/3/2021)
General Floristic References:
Block, T. A. and A. F. Rhoads (2011). Aquatic Plants of Pennsylvania. A Complete Reference Guide. Philadelphia, PA, University of Pennsylvania Press (p. 168).
Rhoads, A. F. and T. A. Block (2007). The Plants of Pennsylvania. Philadelphia, PA, University of Pennsylvania Press (p. 124).
Online Resources for Lemna minor:
Lady Bird Johnson Wildflower Center Plant Database
Images
Allium tricoccum (Ramp)
Group: Plants
Type: Flowering Plants - Monocots
Family: Liliaceae
Notes
Common Name: Ramp
Growth Habit: Forb/herb
Duration: Perennial
Origin: Native to the conterminous United States
Years Noted: 2007; 2011; 2017-2025
Dispersed By: Birds
Deer Resistant: Yes
iNaturalist Observations from the GNA:
72392176 (Observed: 3/29/2021)
56962639 (Observed: 8/19/2020)
General Floristic References:
Rhoads, A. F. and T. A. Block (2007). The Plants of Pennsylvania. Philadelphia, PA, University of Pennsylvania Press (p. 175).
Online Resources for Allium tricoccum:
Images
Allium vineale (Wild Garlic)
Group: Plants
Type: Flowering Plants - Monocots
Family: Liliaceae
Notes
Common Names: Wild Garlic; Field Garlic
Growth Habit: Forb/herb
Duration: Perennial
Origin: Not native to the conterminous United States
Years Noted: 1967; 1969-2000; 2004; 2007-2009; 2011-2012; 2016-2026
Dispersed By: Water
Deer Resistant: Yes
Winter-green Species: i.e., Is a species whose leaves develop in the fall and overwinter.
iNaturalist Observations from the GNA:
162176629 (Observed: 5/2/2023)
83175998 (Observed: 6/15/2021)
50915486 (Observed: 6/25/2020)
61938763 (Observed: 10/6/2020)
General Floristic References:
Rhoads, A. F. and T. A. Block (2007). The Plants of Pennsylvania. Philadelphia, PA, University of Pennsylvania Press (p. 175).
Wintergreen Species References:
Beatley, J. C. 1956. The winter-green herbaceous flowering plants of Ohio. The Ohio Journal of Science 56(6): 349-377.
Online Resources for Allium vineale:
Images
Asparagus officinalis (Garden Asparagus)
Group: Plants
Type: Flowering Plants - Monocots
Family: Liliaceae
Notes
Common Name: Garden Asparagus
Growth Habit: Forb/herb
Duration: Perennial
Origin: Not native to the conterminous United States
Years Noted: 1984; 2004; 2007; 2018
Dispersed By: Animals; Birds; Water
Deer Resistant: Yes
General Floristic References:
Rhoads, A. F. and T. A. Block (2007). The Plants of Pennsylvania. Philadelphia, PA, University of Pennsylvania Press (p. 179).
Online Resources for Asparagus officinalis:
Erythronium americanum (Yellow Trout Lily)
Group: Plants
Type: Flowering Plants - Monocots
Family: Liliaceae
Notes
Common Name: Yellow Trout Lily
Growth Habit: Forb/herb
Duration: Perennial
Origin: Native to the conterminous United States
Years Noted: 1984; 2007; 2013; 2016-2025
Dispersed By: Ants
iNaturalist Observations from the GNA:
301558693 (Observed: 4/19/2025)
268421531 (Observed: 4/3/2025)
207677533 (Observed: 4/8/2024)
110758895 (Observed: 4/8/2022)
110758938 (Observed: 4/8/2022)
110759126 (Observed: 4/8/2022)
152650599 (Observed: 3/28/2023)
41792128 (Observed: 4/9/2020)
74678582 (Observed: 4/19/2021)
72773411 (Observed: 4/2/2021)
General Floristic References:
Rhoads, A. F. and T. A. Block (2007). The Plants of Pennsylvania. Philadelphia, PA, University of Pennsylvania Press (p. 151).
Online Resources for Erythronium americanum:
Lady Bird Johnson Wildflower Center Plant Database
Images
Galanthus nivalis (Common Snowdrop)
Group: Plants
Type: Flowering Plants - Monocots
Family: Liliaceae
Notes
Common Name: Common Snowdrop
Growth Habit: Forb/herb
Duration: Perennial
Origin: Not native to the conterminous United States
Years Noted: 2022-2023; 2025
Dispersed By: Ants
Deer Resistant: Yes
iNaturalist Observations from the GNA:
107836720 (Observed: 3/3/2022)
General Floristic References:
Rhoads, A. F. and T. A. Block (2007). The Plants of Pennsylvania. Philadelphia, PA, University of Pennsylvania Press (p. 174).
Online Resources for Galanthus nivalis:
Images
Hemerocallis fulva (Orange Daylily)
Group: Plants
Type: Flowering Plants - Monocots
Family: Liliaceae
Notes
Common Name: Orange Daylily
Growth Habit: Forb/herb
Duration: Perennial
Origin: Not native to the conterminous United States
Pennsylvania DCNR Invasive Plants Rating: Rank 3 — "Lesser Threat. Exotic plant species that spread in or near disturbed areas, and are not presently considered a major threat to undisturbed native plant communities."
Years Noted: 1984; 2007; 2017; 2021-2025
Dispersed By: Animals; General Zoochory; Human Activities
iNaturalist Observations from the GNA:
73146646 (Observed: 4/6/2021)
Online Resources for Hemerocallis fulva:
Images
Hosta ventricosa (Blue Plantain Lily)
Group: Plants
Type: Flowering Plants - Monocots
Family: Liliaceae
Notes
Common Name: Blue Plantain Lily
Growth Habit: Forb/herb
Duration: Perennial
Origin: Not native to the conterminous United States
Years Noted: 1984; 2007; 2017-2018
Online Resources for Hosta ventricosa:
Images
Hypoxis hirsuta (Common Goldstar)
Group: Plants
Type: Flowering Plants - Monocots
Family: Liliaceae
Notes
Common Name: Common Goldstar
Growth Habit: Forb/herb
Duration: Perennial
Origin: Native to the conterminous United States
Year Noted: 1984
General Floristic References:
Rhoads, A. F. and T. A. Block (2007). The Plants of Pennsylvania. Philadelphia, PA, University of Pennsylvania Press (p. 168).
Online Resources for Hypoxis hirsuta:
Leucojum aestivum (Summer Snowflake)
Group: Plants
Type: Flowering Plants - Monocots
Family: Liliaceae
Notes
Common Name: Summer Snowflake
Growth Habit: Forb/herb
Duration: Perennial
Origin: Not native to the conterminous United States
Year Noted: 2025
Dispersed By: Animals; Water
iNaturalist Observations from the GNA:
277054305 (Observed: 4/30/2025)
Online Resources for Leucojum aestivum:
Images
Lilium canadense (Canada Lily)
Group: Plants
Type: Flowering Plants - Monocots
Family: Liliaceae
Notes
Common Name: Canada Lily
Growth Habit: Forb/herb
Duration: Perennial
Origin: Native to the conterminous United States
Years Noted: 1984; 2007; 2017-2018
General Floristic References:
Rhoads, A. F. and T. A. Block (2007). The Plants of Pennsylvania. Philadelphia, PA, University of Pennsylvania Press (p. 152).
Online Resources for Lilium canadense:
Images
Liriope muscari (Big Blue Lilyturf)
Group: Plants
Type: Flowering Plants - Monocots
Family: Liliaceae
Notes
Common Name: Big Blue Lilyturf
Growth Habit: Forb/herb
Duration: Perennial
Origin: Not native to the conterminous United States
Year Noted: 2017-2018
Allelopathic: Yes
Online Resources for Liriope muscari:
Maianthemum racemosum (False Solomons Seal)
Group: Plants
Type: Flowering Plants - Monocots
Family: Liliaceae
Notes
Common Names: False Solomon's Seal; Feathery False Lily Of The Valley; Solomon's Plume
Growth Habit: Forb/herb
Duration: Perennial
Origin: Native to the conterminous United States
Synonyms: Smilacina racemosa (L.) DesfYears Noted: 1984; 2004; 2007; 2016-2018; 2021-2023
iNaturalist Observations from the GNA:
113171025 (Observed: 4/27/2022)
113171180 (Observed: 4/27/2022)
92392495 (Observed: 8/24/2021)
79315897 (Observed: 5/13/2021)
General Floristic References:
Rhoads, A. F. and T. A. Block (2007). The Plants of Pennsylvania. Philadelphia, PA, University of Pennsylvania Press (p. 179).
Online Resources for Maianthemum racemosum:
Lady Bird Johnson Wildflower Center Plant Database
Images
Medeola virginiana (Indian Cucumber)
Group: Plants
Type: Flowering Plants - Monocots
Family: Liliaceae
Notes
Common Name: Indian Cucumber
Growth Habit: Forb/herb
Duration: Perennial
Origin: Native to the conterminous United States
Years Noted: 1984; 2004; 2007; 2018
General Floristic References:
Rhoads, A. F. and T. A. Block (2007). The Plants of Pennsylvania. Philadelphia, PA, University of Pennsylvania Press (p. 151).
Online Resources for Medeola virginiana:
Lady Bird Johnson Wildflower Center Plant Database
Muscari botryoides (Common Grape Hyacinth)
Group: Plants
Type: Flowering Plants - Monocots
Family: Liliaceae
Notes
Common Name: Common Grape Hyacinth
Growth Habit: Forb/herb
Duration: Perennial
Origin: Not native to the conterminous United States
Years Noted: 2007; 2016-2017; 2019; 2022
Dispersed By: Animals; General Zoochory; Rain (Assisted, i.e., ombrochory)
Online Resources for Muscari botryoides:
Narcissus pseudonarcissus (Daffodil)
Group: Plants
Type: Flowering Plants - Monocots
Family: Liliaceae
Notes
Common Name: Daffodil
Growth Habit: Forb/herb
Duration: Perennial
Origin: Not native to the conterminous United States
Years Noted: 2007-2008; 2016-2025
iNaturalist Observations from the GNA:
107765501 (Observed: 3/1/2022)
40103348 (Observed: 3/16/2020)
73240323 (Observed: 4/6/2021)
Online Resources for Narcissus pseudonarcissus:
Images
Ornithogalum umbellatum (Garden Star-of-Bethlehem)
Group: Plants
Type: Flowering Plants - Monocots
Family: Liliaceae
Notes
Common Names: Garden Star-of-Bethlehem; Sleepydick
Growth Habit: Forb/herb
Duration: Perennial
Origin: Not native to the conterminous United States
Years Noted: 1984; 2007-2008; 2017-2019; 2024-2025
Dispersed By: Ants
iNaturalist Observations from the GNA:
280829621 (Observed: 5/13/2025)
Online Resources for Ornithogalum umbellatum:
Images
Polygonatum biflorum (Smooth Solomons Seal)
Group: Plants
Type: Flowering Plants - Monocots
Family: Liliaceae
Notes
Common Name: Smooth Solomon's Seal
Growth Habit: Forb/herb
Duration: Perennial
Origin: Native to the conterminous United States
Years Noted: 1984; 2004; 2007; 2015; 2017-2018
Deer Resistant: Yes
General Floristic References:
Rhoads, A. F. and T. A. Block (2007). The Plants of Pennsylvania. Philadelphia, PA, University of Pennsylvania Press (p. 180).
Online Resources for Polygonatum biflorum:
Lady Bird Johnson Wildflower Center Plant Database
Images
Polygonatum pubescens (Hairy Solomons Seal)
Group: Plants
Type: Flowering Plants - Monocots
Family: Liliaceae
Notes
Common Name: Hairy Solomon's Seal
Growth Habit: Forb/herb
Duration: Perennial
Origin: Native to the conterminous United States
Years Noted: 1984; 2004; 2007; 2009; 2017-2018; 2021-2023
iNaturalist Observations from the GNA:
131882277 (Observed: 5/6/2022)
77670073 (Observed: 5/6/2021)
74365751 (Observed: 4/17/2021)
General Floristic References:
Rhoads, A. F. and T. A. Block (2007). The Plants of Pennsylvania. Philadelphia, PA, University of Pennsylvania Press (p. 181).
Online Resources for Polygonatum pubescens:
Images
Scilla siberica (Siberian Squill)
Group: Plants
Type: Flowering Plants - Monocots
Family: Liliaceae
Notes
Common Name: Siberian Squill
Growth Habit: Forb/herb
Duration: Perennial
Origin: Not native to the conterminous United States
Years Noted: 2008; 2022-2025
Dispersed By: Ants
Deer Resistant: Yes
iNaturalist Observations from the GNA:
301560269 (Observed: 3/29/2025)
270467425 (Observed: 4/14/2025)
110759030 (Observed: 4/8/2022)
111224212 (Observed: 4/12/2022)
Online Resources for Scilla siberica:
Images
Trillium cernuum (Nodding Trillium)
Group: Plants
Type: Flowering Plants - Monocots
Family: Liliaceae
Notes
Common Names: Nodding Trillium; Whip-Poor-Will Flower
Growth Habit: Forb/herb
Duration: Perennial
Origin: Native to the conterminous United States
Years Noted: 2007; 2016-2025
Dispersed By: Ants
iNaturalist Observations from the GNA:
270801222 (Observed: 4/15/2025)
69818589 (Observed: 5/9/2018)
41857011 (Observed: 4/10/2020)
General Floristic References:
Rhoads, A. F. and T. A. Block (2007). The Plants of Pennsylvania. Philadelphia, PA, University of Pennsylvania Press (p. 144).
Online Resources for Trillium cernuum:
Images
Uvularia perfoliata (Perfoliate Bellwort)
Group: Plants
Type: Flowering Plants - Monocots
Family: Liliaceae
Notes
Common Name: Perfoliate Bellwort
Growth Habit: Forb/herb
Duration: Perennial
Origin: Native to the conterminous United States
Years Noted: 1984; 2004; 2007; 2013; 2016-2023
Dispersed By: Ants
iNaturalist Observations from the GNA:
81415626 (Observed: 6/2/2021)
General Floristic References:
Rhoads, A. F. and T. A. Block (2007). The Plants of Pennsylvania. Philadelphia, PA, University of Pennsylvania Press (p. 142).
Online Resources for Uvularia perfoliata:
Images
Uvularia sessilifolia (Sessileleaf Bellwort)
Group: Plants
Type: Flowering Plants - Monocots
Family: Liliaceae
Notes
Common Name: Sessileleaf Bellwort
Growth Habit: Forb/herb
Duration: Perennial
Origin: Native to the conterminous United States
Years Noted: 1984; 2016-2020; 2022; 2025
Dispersed By: Ants
General Floristic References:
Rhoads, A. F. and T. A. Block (2007). The Plants of Pennsylvania. Philadelphia, PA, University of Pennsylvania Press (p. 142).
Online Resources for Uvularia sessilifolia:
Veratrum viride (Cornhusk Lily)
Group: Plants
Type: Flowering Plants - Monocots
Family: Liliaceae
Notes
Common Names: Cornhusk Lily; Indian Poke; Green False Hellebore
Growth Habit: Forb/herb
Duration: Perennial
Origin: Native to the conterminous United States
Years Noted: 1984; 2007; 2017-2018; 2020-2025
Northeast Wetland Status: FACW
iNaturalist Observations from the GNA:
42226870 (Observed: 4/14/2020)
77491995 (Observed: 5/5/2021)
General Floristic References:
Magee, D. W. (1981). Freshwater Wetlands: A Guide to Common Indicator Plants of the Northeast. Amherst, MA, University of Massachusetts Press (p. 108).
Rhoads, A. F. and T. A. Block (2007). The Plants of Pennsylvania. Philadelphia, PA, University of Pennsylvania Press (p. 147).
Online Resources for Veratrum viride:
Images
Epipactis helleborine (Broadleaf Helleborine)
Group: Plants
Type: Flowering Plants - Monocots
Family: Orchidaceae
Notes
Common Name: Broadleaf Helleborine
Growth Habit: Forb/herb
Duration: Perennial
Origin: Not native to the conterminous United States
Years Noted: 2007; 2016-2019; 2021
Dispersed By: Water; Wind
iNaturalist Observations from the GNA:
13241196 (Observed: 6/8/2018)
Online Resources for Epipactis helleborine:
Images
Galearis spectabilis (Showy Orchis)
Group: Plants
Type: Flowering Plants - Monocots
Family: Orchidaceae
Notes
Common Name: Showy Orchis
Growth Habit: Forb/herb
Duration: Perennial
Origin: Native to the conterminous United States
Years Noted: 1984; 2007; 2017-2023
iNaturalist Observations from the GNA:
86315227 (Observed: 6/24/2021)
77434174 (Observed: 5/4/2021)
45017132 (Observed: 5/5/2020)
General Floristic References:
Rhoads, A. F. and T. A. Block (2007). The Plants of Pennsylvania. Philadelphia, PA, University of Pennsylvania Press (p. 160).
Online Resources for Galearis spectabilis:
Lady Bird Johnson Wildflower Center Plant Database
Images
Platanthera flava var. herbiola (Palegreen Orchid)
Group: Plants
Type: Flowering Plants - Monocots
Family: Orchidaceae
Notes
Common Name: Palegreen Orchid
Growth Habit: Forb/herb
Duration: Perennial
Origin: Native to the conterminous United States
Year Noted: 2007
General Floristic References:
Rhoads, A. F. and T. A. Block (2007). The Plants of Pennsylvania. Philadelphia, PA, University of Pennsylvania Press (p. 162).
Online Resources for Platanthera flava var. herbiola:
Platanthera lacera (Green Fringed Orchid)
Group: Plants
Type: Flowering Plants - Monocots
Family: Orchidaceae
Notes
Common Name: Green Fringed Orchid
Growth Habit: Forb/herb
Duration: Perennial
Origin: Native to the conterminous United States
Years Noted: 2007; 2009; 2018
General Floristic References:
Rhoads, A. F. and T. A. Block (2007). The Plants of Pennsylvania. Philadelphia, PA, University of Pennsylvania Press (p. 162).
Online Resources for Platanthera lacera:
Spiranthes cernua (Nodding Ladys Tresses)
Group: Plants
Type: Flowering Plants - Monocots
Family: Orchidaceae
Notes
Common Name: Nodding Lady's Tresses
Growth Habit: Forb/herb
Duration: Perennial
Origin: Native to the conterminous United States
Year Noted: 1984
General Floristic References:
Rhoads, A. F. and T. A. Block (2007). The Plants of Pennsylvania. Philadelphia, PA, University of Pennsylvania Press (p. 158).
Online Resources for Spiranthes cernua:
Spiranthes lacera var. gracilis (Northern Slender Ladys Tresses)
Group: Plants
Type: Flowering Plants - Monocots
Family: Orchidaceae
Notes
Common Name: Northern Slender Lady's Tresses
Growth Habit: Forb/herb
Duration: Perennial
Origin: Native to the conterminous United States
Year Noted: 2004
Online Resources for Spiranthes lacera var. gracilis:
Tipularia discolor (Crippled Cranefly Orchid)
Group: Plants
Type: Flowering Plants - Monocots
Family: Orchidaceae
Notes
Common Name: Crippled Cranefly Orchid
Growth Habit: Forb/herb
Duration: Perennial
Origin: Native to the conterminous United States
Years Noted: 2008; 2013; 2016-2023; 2025
Dispersed By: Gravity
Winter-green Species: i.e., Is a species whose leaves develop in the fall and overwinter.
Notes: Various 'occurrences' of this species have been noted in the Gordon, but the locations weren't recorded. Currently, a single occurrence is known.
iNaturalist Observations from the GNA:
88868904 (Observed: 7/27/2021)
69810933 (Observed: 8/11/2017)
39887673 (Observed: 3/12/2020)
General Floristic References:
Rhoads, A. F. and T. A. Block (2007). The Plants of Pennsylvania. Philadelphia, PA, University of Pennsylvania Press (p. 165).
Wintergreen Species References:
Neufeld, H. S. and D. R. Young. 2003. Ecophysiology of the herbaceous layer in temperate deciduous forests. pp. 38-90. In: Gilliam, F. S. and M. R. Roberts (eds). The Herbaceous Layer in Forests of Eastern North America. Oxford University Press, New York, NY
Online Resources for Tipularia discolor:
Images
Agrostis altissima (Tall Bentgrass)
Group: Plants
Type: Flowering Plants - Monocots
Family: Poaceae
Notes
Common Name: Tall Bentgrass
Growth Habit: Graminoid
Duration: Perennial
Origin: Native to the conterminous United States
Years Noted: 2004; 2007; 2018
Deer Resistant: Yes
Winter-green Species: i.e., Is a species whose leaves develop in the fall and overwinter.
General Floristic References:
Rhoads, A. F. and T. A. Block (2007). The Plants of Pennsylvania. Philadelphia, PA, University of Pennsylvania Press (p. 325).
Wintergreen Species References:
Beatley, J. C. 1956. The winter-green herbaceous flowering plants of Ohio. The Ohio Journal of Science 56(6): 349-377.
Online Resources for Agrostis altissima:
Agrostis gigantea (Redtop)
Group: Plants
Type: Flowering Plants - Monocots
Family: Poaceae
Notes
Common Name: Redtop
Growth Habit: Graminoid
Duration: Perennial
Origin: Not native to the conterminous United States
Years Noted: 2004; 2007; 2018
Dispersed By: Animals; Deer; General Zoochory; Water; Wind
General Floristic References:
Rhoads, A. F. and T. A. Block (2007). The Plants of Pennsylvania. Philadelphia, PA, University of Pennsylvania Press (p. 324).
Online Resources for Agrostis gigantea:
Agrostis hyemalis (Winter Bentgrass)
Group: Plants
Type: Flowering Plants - Monocots
Family: Poaceae
Notes
Common Name: Winter Bentgrass
Growth Habit: Graminoid
Duration: Perennial
Origin: Native to the conterminous United States
Year Noted: 2000
General Floristic References:
Rhoads, A. F. and T. A. Block (2007). The Plants of Pennsylvania. Philadelphia, PA, University of Pennsylvania Press (p. 324).
Online Resources for Agrostis hyemalis:
Agrostis perennans (Upland Bentgrass)
Group: Plants
Type: Flowering Plants - Monocots
Family: Poaceae
Notes
Common Name: Upland Bentgrass
Growth Habit: Graminoid
Duration: Perennial
Origin: Native to the conterminous United States
Synonyms: Agrostis altissima (Walter) Tuck.Years Noted: 2004; 2007; 2018
Deer Resistant: Yes
Winter-green Species: i.e., Is a species whose leaves develop in the fall and overwinter.
General Floristic References:
Rhoads, A. F. and T. A. Block (2007). The Plants of Pennsylvania. Philadelphia, PA, University of Pennsylvania Press (p. 325).
Wintergreen Species References:
Beatley, J. C. 1956. The winter-green herbaceous flowering plants of Ohio. The Ohio Journal of Science 56(6): 349-377.
Online Resources for Agrostis perennans:
Alopecurus pratensis (Meadow Foxtail)
Group: Plants
Type: Flowering Plants - Monocots
Family: Poaceae
Notes
Common Name: Meadow Foxtail
Growth Habit: Graminoid
Duration: Perennial
Origin: Not native to the conterminous United States
Year Noted: 2007
Dispersed By: Agricultural Practices; Animals; General Zoochory; Human Activities; Water; Wind
General Floristic References:
Rhoads, A. F. and T. A. Block (2007). The Plants of Pennsylvania. Philadelphia, PA, University of Pennsylvania Press (p. 328).
Online Resources for Alopecurus pratensis:
Andropogon gerardii (Big Bluestem)
Group: Plants
Type: Flowering Plants - Monocots
Family: Poaceae
Notes
Common Name: Big Bluestem
Growth Habit: Graminoid
Duration: Perennial
Origin: Native to the conterminous United States
Year Noted: 2018
Deer Resistant: Yes
Listed as a "Bee Plant" By the Lady Bird Johnson Wildflower Center:
Nesting Materials
General Floristic References:
Rhoads, A. F. and T. A. Block (2007). The Plants of Pennsylvania. Philadelphia, PA, University of Pennsylvania Press (p. 392).
Online Resources for Andropogon gerardii:
Fire Effects Information System
Lady Bird Johnson Wildflower Center Plant Database
Andropogon gyrans (Elliotts Bluestem)
Group: Plants
Type: Flowering Plants - Monocots
Family: Poaceae
Notes
Common Name: Elliott's Bluestem
Growth Habit: Graminoid
Duration: Perennial
Origin: Native to the conterminous United States
Year Noted: 2007
General Floristic References:
Rhoads, A. F. and T. A. Block (2007). The Plants of Pennsylvania. Philadelphia, PA, University of Pennsylvania Press (p. 392).
Online Resources for Andropogon gyrans:
iNaturalist (for the synonym Anatherum gyrans)
Andropogon virginicus (Broomsedge Bluestem)
Group: Plants
Type: Flowering Plants - Monocots
Family: Poaceae
Notes
Common Name: Broomsedge Bluestem
Growth Habit: Graminoid
Duration: Perennial
Origin: Native to the conterminous United States
Years Noted: 2007; 2018
Allelopathic: Yes
Bee Beneficial: Yes
Deer Resistant: Yes
Listed as a "Bee Plant" By the Lady Bird Johnson Wildflower Center:
Nesting Materials
Winter-green Species: i.e., Is a species whose leaves develop in the fall and overwinter.
General Floristic References:
Rhoads, A. F. and T. A. Block (2007). The Plants of Pennsylvania. Philadelphia, PA, University of Pennsylvania Press (p. 392).
Wintergreen Species References:
Beatley, J. C. 1956. The winter-green herbaceous flowering plants of Ohio. The Ohio Journal of Science 56(6): 349-377.
Online Resources for Andropogon virginicus:
Fire Effects Information System
iNaturalist (for the synonym Anatherum virginicum)
Anthoxanthum odoratum (Sweet Vernalgrass)
Group: Plants
Type: Flowering Plants - Monocots
Family: Poaceae
Notes
Common Name: Sweet Vernalgrass
Growth Habit: Graminoid
Duration: Perennial
Origin: Not native to the conterminous United States
Years Noted: 2004; 2007; 2017-2019
Dispersed By: Animals; General Zoochory; Human Activities; Water; Wind
Allelopathic: Yes
iNaturalist Observations from the GNA:
57573337 (Observed: 5/20/2019)
General Floristic References:
Rhoads, A. F. and T. A. Block (2007). The Plants of Pennsylvania. Philadelphia, PA, University of Pennsylvania Press (p. 334).
Online Resources for Anthoxanthum odoratum:
Images
Arthraxon hispidus (Small Carpetgrass)
Group: Plants
Type: Flowering Plants - Monocots
Family: Poaceae
Notes
Common Name: Small Carpetgrass
Growth Habit: Graminoid
Duration: Annual
Origin: Not native to the conterminous United States
Pennsylvania DCNR Invasive Plants Rating: Rank 2 — "Significant Threat. Exotic plant species that possess characteristics of invasive species but are not presently considered to spread as easily and aggressively into native plant communities as those species listed as Rank 1."
Years Noted: 2022; 2025
iNaturalist Observations from the GNA:
127127656 (Observed: 7/20/2022)
Online Resources for Arthraxon hispidus:
Images
Brachyelytrum erectum (Bearded Shorthusk)
Group: Plants
Type: Flowering Plants - Monocots
Family: Poaceae
Notes
Common Name: Bearded Shorthusk
Growth Habit: Graminoid
Duration: Perennial
Origin: Native to the conterminous United States
Years Noted: 2004; 2007; 2016-2018
Allelopathic: Yes
General Floristic References:
Rhoads, A. F. and T. A. Block (2007). The Plants of Pennsylvania. Philadelphia, PA, University of Pennsylvania Press (p. 312).
Online Resources for Brachyelytrum erectum:
Bromus inermis (Smooth Brome)
Group: Plants
Type: Flowering Plants - Monocots
Family: Poaceae
Notes
Common Name: Smooth Brome
Growth Habit: Graminoid
Duration: Perennial
Origin: Not native to the conterminous United States
Years Noted: 2007; 2017-2018
Dispersed By: Animals; Ants; General Zoochory; Human Activities; Water; Wind
General Floristic References:
Rhoads, A. F. and T. A. Block (2007). The Plants of Pennsylvania. Philadelphia, PA, University of Pennsylvania Press (p. 341).
Online Resources for Bromus inermis:
Fire Effects Information System
Bromus racemosus (Bald Brome)
Group: Plants
Type: Flowering Plants - Monocots
Family: Poaceae
Notes
Common Name: Bald Brome
Growth Habit: Graminoid
Duration: Annual
Origin: Not native to the conterminous United States
Synonyms: Bromus commutatus SchradYears Noted: 2004; 2007; 2018
Dispersed By: Animals; Animals (Accidental); General Zoochory; Water; Wind
General Floristic References:
Rhoads, A. F. and T. A. Block (2007). The Plants of Pennsylvania. Philadelphia, PA, University of Pennsylvania Press (p. 343).
Online Resources for Bromus racemosus:
Bromus sterilis (Poverty Brome)
Group: Plants
Type: Flowering Plants - Monocots
Family: Poaceae
Notes
Common Name: Poverty Brome
Growth Habit: Graminoid
Duration: Annual
Origin: Not native to the conterminous United States
Pennsylvania DCNR Invasive Plants Rating: Rank 3 — "Lesser Threat. Exotic plant species that spread in or near disturbed areas, and are not presently considered a major threat to undisturbed native plant communities."
Years Noted: 2007; 2018
Dispersed By: Animals; Birds; General Zoochory; Human Activities; Water
Winter-green Species: i.e., Is a species whose leaves develop in the fall and overwinter.
General Floristic References:
Rhoads, A. F. and T. A. Block (2007). The Plants of Pennsylvania. Philadelphia, PA, University of Pennsylvania Press (p. 343).
Wintergreen Species References:
Beatley, J. C. 1956. The winter-green herbaceous flowering plants of Ohio. The Ohio Journal of Science 56(6): 349-377.
Online Resources for Bromus sterilis:
Bromus tectorum (Cheatgrass)
Group: Plants
Type: Flowering Plants - Monocots
Family: Poaceae
Notes
Common Name: Cheatgrass
Growth Habit: Graminoid
Duration: Annual
Origin: Not native to the conterminous United States
Pennsylvania DCNR Invasive Plants Rating: Rank 3 — "Lesser Threat. Exotic plant species that spread in or near disturbed areas, and are not presently considered a major threat to undisturbed native plant communities."
Year Noted: 2007
Dispersed By: Animals; Animals (Accidental); General Zoochory; Human Activities; Mammals (non-bat); Wind
Winter-green Species: i.e., Is a species whose leaves develop in the fall and overwinter.
General Floristic References:
Rhoads, A. F. and T. A. Block (2007). The Plants of Pennsylvania. Philadelphia, PA, University of Pennsylvania Press (p. 343).
Wintergreen Species References:
Beatley, J. C. 1956. The winter-green herbaceous flowering plants of Ohio. The Ohio Journal of Science 56(6): 349-377.
Online Resources for Bromus tectorum:
Calamagrostis perplexa (Wood Reedgrass)
Group: Plants
Type: Flowering Plants - Monocots
Family: Poaceae
Notes
Common Name: Wood Reedgrass
Growth Habit: Graminoid
Duration: Perennial
Origin: Native to the conterminous United States
Years Noted: 2004; 2007; 2009; 2011
General Floristic References:
Rhoads, A. F. and T. A. Block (2007). The Plants of Pennsylvania. Philadelphia, PA, University of Pennsylvania Press (p. 326).
Online Resources for Calamagrostis perplexa:
Cinna arundinacea (Stout Woodreed)
Group: Plants
Type: Flowering Plants - Monocots
Family: Poaceae
Notes
Common Names: Stout Woodreed; Sweet Woodreed
Growth Habit: Graminoid
Duration: Perennial
Origin: Native to the conterminous United States
Years Noted: 2004; 2007; 2012; 2017-2018
Northeast Wetland Status: FACW
Winter-green Species: i.e., Is a species whose leaves develop in the fall and overwinter.
General Floristic References:
Magee, D. W. (1981). Freshwater Wetlands: A Guide to Common Indicator Plants of the Northeast. Amherst, MA, University of Massachusetts Press (p. 75).
Rhoads, A. F. and T. A. Block (2007). The Plants of Pennsylvania. Philadelphia, PA, University of Pennsylvania Press (p. 335).
Wintergreen Species References:
Beatley, J. C. 1956. The winter-green herbaceous flowering plants of Ohio. The Ohio Journal of Science 56(6): 349-377.
Online Resources for Cinna arundinacea:
Lady Bird Johnson Wildflower Center Plant Database
Cynodon dactylon (Bermudagrass)
Group: Plants
Type: Flowering Plants - Monocots
Family: Poaceae
Notes
Common Name: Bermudagrass
Growth Habit: Graminoid
Duration: Perennial
Origin: Not native to the conterminous United States
Year Noted: 2018
Dispersed By: Animals; Dispersal Unassisted; General Zoochory; Human Activities; Wind
Allelopathic: Yes
Online Resources for Cynodon dactylon:
Dactylis glomerata (Orchardgrass)
Group: Plants
Type: Flowering Plants - Monocots
Family: Poaceae
Notes
Common Name: Orchardgrass
Growth Habit: Graminoid
Duration: Perennial
Origin: Not native to the conterminous United States
Years Noted: 2004; 2007; 2009; 2017-2018
Dispersed By: Agricultural Practices; Animals; Deer; General Zoochory; Human Activities; Water; Wind
Online Resources for Dactylis glomerata:
Danthonia spicata (Poverty Oatgrass)
Group: Plants
Type: Flowering Plants - Monocots
Family: Poaceae
Notes
Common Name: Poverty Oatgrass
Growth Habit: Graminoid
Duration: Perennial
Origin: Native to the conterminous United States
Year Noted: 2007
Winter-green Species: i.e., Is a species whose leaves develop in the fall and overwinter.
General Floristic References:
Rhoads, A. F. and T. A. Block (2007). The Plants of Pennsylvania. Philadelphia, PA, University of Pennsylvania Press (p. 364).
Wintergreen Species References:
Beatley, J. C. 1956. The winter-green herbaceous flowering plants of Ohio. The Ohio Journal of Science 56(6): 349-377.
Online Resources for Danthonia spicata:
Fire Effects Information System
Dichanthelium acuminatum (Tapered Rosette Grass)
Group: Plants
Type: Flowering Plants - Monocots
Family: Poaceae
Notes
Common Name: Tapered Rosette Grass
Growth Habit: Graminoid
Duration: Perennial
Origin: Native to the conterminous United States
Synonyms: Panicum acuminatum Sw.Years Noted: 2004; 2007; 2018
General Floristic References:
Rhoads, A. F. and T. A. Block (2007). The Plants of Pennsylvania. Philadelphia, PA, University of Pennsylvania Press (p. 372).
Online Resources for Dichanthelium acuminatum:
Fire Effects Information System
Dichanthelium boscii (Boscs Panicgrass)
Group: Plants
Type: Flowering Plants - Monocots
Family: Poaceae
Notes
Common Name: Bosc's Panicgrass
Growth Habit: Graminoid
Duration: Perennial
Origin: Native to the conterminous United States
Years Noted: 2007; 2017
Dispersed By: Ants
Winter-green Species: i.e., Is a species whose leaves develop in the fall and overwinter.
General Floristic References:
Rhoads, A. F. and T. A. Block (2007). The Plants of Pennsylvania. Philadelphia, PA, University of Pennsylvania Press (p. 373).
Wintergreen Species References:
Beatley, J. C. 1956. The winter-green herbaceous flowering plants of Ohio. The Ohio Journal of Science 56(6): 349-377.
Online Resources for Dichanthelium boscii:
Images
Dichanthelium clandestinum (Deertongue)
Group: Plants
Type: Flowering Plants - Monocots
Family: Poaceae
Notes
Common Name: Deertongue
Growth Habit: Graminoid
Duration: Perennial
Origin: Native to the conterminous United States
Synonyms: Panicum clandestinum L.Years Noted: 2004; 2007; 2009; 2017-2018; 2022
Winter-green Species: i.e., Is a species whose leaves develop in the fall and overwinter.
iNaturalist Observations from the GNA:
131886796 (Observed: 8/19/2022)
General Floristic References:
Rhoads, A. F. and T. A. Block (2007). The Plants of Pennsylvania. Philadelphia, PA, University of Pennsylvania Press (p. 373).
Wintergreen Species References:
Beatley, J. C. 1956. The winter-green herbaceous flowering plants of Ohio. The Ohio Journal of Science 56(6): 349-377.
Online Resources for Dichanthelium clandestinum:
Dichanthelium dichotomum (Cypress Panicgrass)
Group: Plants
Type: Flowering Plants - Monocots
Family: Poaceae
Notes
Common Name: Cypress Panicgrass
Growth Habit: Graminoid
Duration: Perennial
Origin: Native to the conterminous United States
Synonyms: Panicum dichotomum L.Years Noted: 2004; 2007; 2018
General Floristic References:
Rhoads, A. F. and T. A. Block (2007). The Plants of Pennsylvania. Philadelphia, PA, University of Pennsylvania Press (p. 375).
Online Resources for Dichanthelium dichotomum:
Dichanthelium latifolium (Broadleaf Rosette Grass)
Group: Plants
Type: Flowering Plants - Monocots
Family: Poaceae
Notes
Common Name: Broadleaf Rosette Grass
Growth Habit: Graminoid
Duration: Perennial
Origin: Native to the conterminous United States
Year Noted: 2007
Winter-green Species: i.e., Is a species whose leaves develop in the fall and overwinter.
General Floristic References:
Rhoads, A. F. and T. A. Block (2007). The Plants of Pennsylvania. Philadelphia, PA, University of Pennsylvania Press (p. 375).
Wintergreen Species References:
Beatley, J. C. 1956. The winter-green herbaceous flowering plants of Ohio. The Ohio Journal of Science 56(6): 349-377.
Online Resources for Dichanthelium latifolium:
Images
Digitaria ciliaris (Southern Crabgrass)
Group: Plants
Type: Flowering Plants - Monocots
Family: Poaceae
Notes
Common Name: Southern Crabgrass
Growth Habit: Graminoid
Duration: Annual
Origin: Native to the conterminous United States
Years Noted: 2018; 2020
Notes: To date: a single occurrence noted. Growing along the PECO right-of-way.
iNaturalist Observations from the GNA:
57680790 (Observed: 8/26/2020)
Online Resources for Digitaria ciliaris:
Images
Digitaria ischaemum (Smooth Crabgrass)
Group: Plants
Type: Flowering Plants - Monocots
Family: Poaceae
Notes
Common Name: Smooth Crabgrass
Growth Habit: Graminoid
Duration: Annual
Origin: Not native to the conterminous United States
Years Noted: 2007; 2018
Dispersed By: Animals; Animals (Accidental); Deer; General Zoochory; Human Activities; Mammals (non-bat)
Online Resources for Digitaria ischaemum:
Digitaria sanguinalis (Hairy Crabgrass)
Group: Plants
Type: Flowering Plants - Monocots
Family: Poaceae
Notes
Common Name: Hairy Crabgrass
Growth Habit: Graminoid
Duration: Annual
Origin: Native to the conterminous United States
Years Noted: 2004; 2007; 2018
Dispersed By: Animals; Animals (Accidental); Deer; General Zoochory; Human Activities; Mammals (non-bat); Rain (Assisted, i.e., ombrochory); Water
General Floristic References:
Rhoads, A. F. and T. A. Block (2007). The Plants of Pennsylvania. Philadelphia, PA, University of Pennsylvania Press (p. 367).
Online Resources for Digitaria sanguinalis:
Echinochloa crus. galli (Barnyardgrass)
Group: Plants
Type: Flowering Plants - Monocots
Family: Poaceae
Notes
Common Name: Barnyardgrass
Growth Habit: Graminoid
Duration: Annual
Origin: Not native to the conterminous United States
Years Noted: 2007; 2018; 2020-2021; 2023-2024
Dispersed By: Animals; General Zoochory; Human Activities; Rain (Assisted, i.e., ombrochory); Water
iNaturalist Observations from the GNA:
179144484 (Observed: 8/18/2023)
95089499 (Observed: 9/16/2021)
55823968 (Observed: 8/8/2020)
General Floristic References:
Magee, D. W. (1981). Freshwater Wetlands: A Guide to Common Indicator Plants of the Northeast. Amherst, MA, University of Massachusetts Press (p. 81).
Online Resources for Echinochloa crus-galli:
Images
Eleusine indica (Indian Goosegrass)
Group: Plants
Type: Flowering Plants - Monocots
Family: Poaceae
Notes
Common Name: Indian Goosegrass
Growth Habit: Graminoid
Duration: Annual
Origin: Not native to the conterminous United States
Years Noted: 2007; 2017-2018; 2020
Dispersed By: Animals; Water
Allelopathic: Yes
iNaturalist Observations from the GNA:
57677231 (Observed: 8/26/2020)
Online Resources for Eleusine indica:
Images
Elymus glabriflorus (Southeastern Wildrye)
Group: Plants
Type: Flowering Plants - Monocots
Family: Poaceae
Notes
Common Name: Southeastern Wildrye
Growth Habit: Graminoid
Duration:
Origin: Native to the conterminous United States
Year Noted: 2018
Online Resources for Elymus glabriflorus:
Elymus repens (Quackgrass)
Group: Plants
Type: Flowering Plants - Monocots
Family: Poaceae
Notes
Common Name: Quackgrass
Growth Habit: Graminoid
Duration: Perennial
Origin: Not native to the conterminous United States
Synonyms: Elytrigia repens (L.) Desv. ex NevskiYears Noted: 2007; 2018
Dispersed By: Animals; Animals (Accidental); Birds; Deer; General Zoochory; Human Activities; Water; Wind
Allelopathic: Yes
Online Resources for Elymus repens:
Eragrostis minor (Little Lovegrass)
Group: Plants
Type: Flowering Plants - Monocots
Family: Poaceae
Notes
Common Name: Little Lovegrass
Growth Habit: Graminoid
Duration: Annual
Origin: Not native to the conterminous United States
Year Noted: 2007
Dispersed By: Animals; General Zoochory; Human Activities
Online Resources for Eragrostis minor:
Eragrostis pectinacea (Tufted Lovegrass)
Group: Plants
Type: Flowering Plants - Monocots
Family: Poaceae
Notes
Common Name: Tufted Lovegrass
Growth Habit: Graminoid
Duration: Annual, Perennial
Origin: Native to the conterminous United States
Year Noted: 2007
Dispersed By: Wind
General Floristic References:
Rhoads, A. F. and T. A. Block (2007). The Plants of Pennsylvania. Philadelphia, PA, University of Pennsylvania Press (p. 354).
Online Resources for Eragrostis pectinacea:
Eragrostis spectabilis (Purple Lovegrass)
Group: Plants
Type: Flowering Plants - Monocots
Family: Poaceae
Notes
Common Name: Purple Lovegrass
Growth Habit: Graminoid
Duration: Perennial
Origin: Native to the conterminous United States
Years Noted: 2004; 2007; 2018
Deer Resistant: Yes
General Floristic References:
Rhoads, A. F. and T. A. Block (2007). The Plants of Pennsylvania. Philadelphia, PA, University of Pennsylvania Press (p. 354).
Online Resources for Eragrostis spectabilis:
Lady Bird Johnson Wildflower Center Plant Database
Festuca rubra (Red Fescue)
Group: Plants
Type: Flowering Plants - Monocots
Family: Poaceae
Notes
Common Name: Red Fescue
Growth Habit: Graminoid
Duration: Perennial
Origin: Not native to the conterminous United States
Year Noted: 2007
Dispersed By: Animals; General Zoochory; Human Activities; Water; Wind
General Floristic References:
Rhoads, A. F. and T. A. Block (2007). The Plants of Pennsylvania. Philadelphia, PA, University of Pennsylvania Press (p. 320).
Online Resources for Festuca rubra:
Fire Effects Information System
Festuca subverticillata (Nodding Fescue)
Group: Plants
Type: Flowering Plants - Monocots
Family: Poaceae
Notes
Common Name: Nodding Fescue
Growth Habit: Graminoid
Duration: Perennial
Origin: Native to the conterminous United States
Synonyms: Festuca obtusa BiehlerYears Noted: 2004; 2007; 2017-2018; 2020
iNaturalist Observations from the GNA:
46965011 (Observed: 5/21/2020)
Online Resources for Festuca subverticillata:
Glyceria striata (Fowl Mannagrass)
Group: Plants
Type: Flowering Plants - Monocots
Family: Poaceae
Notes
Common Name: Fowl Mannagrass
Growth Habit: Graminoid
Duration: Perennial
Origin: Native to the conterminous United States
Years Noted: 2004; 2007; 2009; 2011; 2017-2018
Northeast Wetland Status: OBL
Dispersed By: Animals; Deer; Water
General Floristic References:
Rhoads, A. F. and T. A. Block (2007). The Plants of Pennsylvania. Philadelphia, PA, University of Pennsylvania Press (p. 314).
Online Resources for Glyceria striata:
Holcus lanatus (Common Velvetgrass)
Group: Plants
Type: Flowering Plants - Monocots
Family: Poaceae
Notes
Common Name: Common Velvetgrass
Growth Habit: Graminoid
Duration: Perennial
Origin: Not native to the conterminous United States
Pennsylvania DCNR Invasive Plants Rating: Rank 3 — "Lesser Threat. Exotic plant species that spread in or near disturbed areas, and are not presently considered a major threat to undisturbed native plant communities."
Years Noted: 2007; 2017
Dispersed By: Animals; Birds; Deer; General Zoochory; Human Activities; Water; Wind
Online Resources for Holcus lanatus:
Hordeum jubatum (Squirreltail)
Group: Plants
Type: Flowering Plants - Monocots
Family: Poaceae
Notes
Common Name: Squirreltail
Growth Habit: Graminoid
Duration: Perennial
Origin: Native to the conterminous United States
Years Noted: 2020; 2022
Dispersed By: Animals; General Zoochory; Water
iNaturalist Observations from the GNA:
53779199 (Observed: 7/20/2020)
Online Resources for Hordeum jubatum:
Fire Effects Information System
Images
Leersia oryzoides (Rice Cutgrass)
Group: Plants
Type: Flowering Plants - Monocots
Family: Poaceae
Notes
Common Name: Rice Cutgrass
Growth Habit: Graminoid
Duration: Perennial
Origin: Native to the conterminous United States
Years Noted: 2004; 2007; 2018-2019
Northeast Wetland Status: OBL
Dispersed By: Animals; Birds; General Zoochory; Water
Deer Resistant: Yes
iNaturalist Observations from the GNA:
39927781 (Observed: 9/11/2019)
General Floristic References:
Block, T. A. and A. F. Rhoads (2011). Aquatic Plants of Pennsylvania. A Complete Reference Guide. Philadelphia, PA, University of Pennsylvania Press (p. 83).
Magee, D. W. (1981). Freshwater Wetlands: A Guide to Common Indicator Plants of the Northeast. Amherst, MA, University of Massachusetts Press (p. 78).
Rhoads, A. F. and T. A. Block (2007). The Plants of Pennsylvania. Philadelphia, PA, University of Pennsylvania Press (p. 310).
Online Resources for Leersia oryzoides:
Images
Leersia virginica (Whitegrass)
Group: Plants
Type: Flowering Plants - Monocots
Family: Poaceae
Notes
Common Name: Whitegrass
Growth Habit: Graminoid
Duration: Perennial
Origin: Native to the conterminous United States
Years Noted: 2004; 2007; 2009; 2011; 2017-2018
General Floristic References:
Rhoads, A. F. and T. A. Block (2007). The Plants of Pennsylvania. Philadelphia, PA, University of Pennsylvania Press (p. 310).
Online Resources for Leersia virginica:
Images
Leptochloa fusca (Malabar Sprangletop)
Group: Plants
Type: Flowering Plants - Monocots
Family: Poaceae
Notes
Common Name: Malabar Sprangletop
Growth Habit: Graminoid
Duration: Annual, Perennial
Origin: Native to the conterminous United States
Year Noted: 2018
Dispersed By: Wind
Online Resources for Leptochloa fusca:
iNaturalist (for the synonym Diplachne fusca)
Lolium perenne (Perennial Ryegrass)
Group: Plants
Type: Flowering Plants - Monocots
Family: Poaceae
Notes
Common Name: Perennial Ryegrass
Growth Habit: Graminoid
Duration: Perennial, Annual
Origin: Not native to the conterminous United States
Year Noted: 2004
Dispersed By: Agricultural Practices; Animals; Birds; General Zoochory; Human Activities; Rain (Assisted, i.e., ombrochory); Water; Wind
Online Resources for Lolium perenne:
Microstegium vimineum (Japanese Stiltgrass)
Group: Plants
Type: Flowering Plants - Monocots
Family: Poaceae
Notes
Common Name: Japanese Stiltgrass
Growth Habit: Graminoid
Duration: Annual
Origin: Not native to the conterminous United States
Pennsylvania DCNR Invasive Plants Rating: Rank 1 — "Severe Threat. Exotic plant species that possess characteristics of invasive species and spread easily into native plant communities and displace native vegetation. Includes species that are or could become widespread in Pennsylvania."
Years Noted: 1994; 1996; 2000; 2004-2005; 2007-2009; 2011-2025
Allelopathic: Yes
Deer Resistant: Yes
iNaturalist Observations from the GNA:
310245862 (Observed: 8/30/2025)
183748157 (Observed: 8/31/2023)
50584039 (Observed: 6/22/2020)
58656024 (Observed: 9/4/2020)
Online Resources for Microstegium vimineum:
Images
Miscanthus sinensis (Chinese Silvergrass)
Group: Plants
Type: Flowering Plants - Monocots
Family: Poaceae
Notes
Common Name: Chinese Silvergrass
Growth Habit: Graminoid
Duration: Perennial
Origin: Not native to the conterminous United States
Pennsylvania DCNR Invasive Plants Rating: Rank 3 — "Lesser Threat. Exotic plant species that spread in or near disturbed areas, and are not presently considered a major threat to undisturbed native plant communities."
Years Noted: 2016; 2018-2023; 2025-2026
Dispersed By: Wind
Deer Resistant: Yes
Notes: An invasive species. A single clump noted in the meadow below the Route 202 ramp at the eastern edge of the GNA.
iNaturalist Observations from the GNA:
179865041 (Observed: 8/23/2023)
32580277 (Observed: 9/11/2019)
42665114 (Observed: 12/8/2016)
Online Resources for Miscanthus sinensis:
Fire Effects Information System
Images
Muhlenbergia schreberi (Nimblewill)
Group: Plants
Type: Flowering Plants - Monocots
Family: Poaceae
Notes
Common Name: Nimblewill
Growth Habit: Graminoid
Duration: Perennial
Origin: Native to the conterminous United States
Years Noted: 2004; 2007; 2009; 2012; 2017-2018
General Floristic References:
Rhoads, A. F. and T. A. Block (2007). The Plants of Pennsylvania. Philadelphia, PA, University of Pennsylvania Press (p. 359).
Online Resources for Muhlenbergia schreberi:
Muhlenbergia tenuiflora (Slimflower Muhly)
Group: Plants
Type: Flowering Plants - Monocots
Family: Poaceae
Notes
Common Name: Slimflower Muhly
Growth Habit: Graminoid
Duration: Perennial
Origin: Native to the conterminous United States
Year Noted: 2007
General Floristic References:
Rhoads, A. F. and T. A. Block (2007). The Plants of Pennsylvania. Philadelphia, PA, University of Pennsylvania Press (p. 360).
Online Resources for Muhlenbergia tenuiflora:
Panicum anceps (Beaked Panicgrass)
Group: Plants
Type: Flowering Plants - Monocots
Family: Poaceae
Notes
Common Name: Beaked Panicgrass
Growth Habit: Graminoid
Duration: Perennial
Origin: Native to the conterminous United States
Years Noted: 2004; 2007; 2020
iNaturalist Observations from the GNA:
55847232 (Observed: 8/8/2020)
General Floristic References:
Rhoads, A. F. and T. A. Block (2007). The Plants of Pennsylvania. Philadelphia, PA, University of Pennsylvania Press (p. 381).
Online Resources for Panicum anceps:
iNaturalist (for the synonym Coleataenia anceps)
Images
Panicum dichotomiflorum (Fall Panicgrass)
Group: Plants
Type: Flowering Plants - Monocots
Family: Poaceae
Notes
Common Name: Fall Panicgrass
Growth Habit: Graminoid
Duration: Annual
Origin: Native to the conterminous United States
Years Noted: 2007-2008; 2017-2018
Dispersed By: Animals; Human Activities
General Floristic References:
Rhoads, A. F. and T. A. Block (2007). The Plants of Pennsylvania. Philadelphia, PA, University of Pennsylvania Press (p. 382).
Online Resources for Panicum dichotomiflorum:
Images
Panicum gattingeri (Gattingers Panicgrass)
Group: Plants
Type: Flowering Plants - Monocots
Family: Poaceae
Notes
Common Name: Gattinger's Panicgrass
Growth Habit: Graminoid
Duration: Annual
Origin: Native to the conterminous United States
Year Noted: 2018
Online Resources for Panicum gattingeri:
Panicum philadelphicum (Philadelphia Panicgrass)
Group: Plants
Type: Flowering Plants - Monocots
Family: Poaceae
Notes
Common Name: Philadelphia Panicgrass
Growth Habit: Graminoid
Duration: Annual
Origin: Native to the conterminous United States
Years Noted: 2007; 2018
General Floristic References:
Rhoads, A. F. and T. A. Block (2007). The Plants of Pennsylvania. Philadelphia, PA, University of Pennsylvania Press (p. 384).
Online Resources for Panicum philadelphicum:
Panicum virgatum (Switchgrass)
Group: Plants
Type: Flowering Plants - Monocots
Family: Poaceae
Notes
Common Name: Switchgrass
Growth Habit: Graminoid
Duration: Perennial
Origin: Native to the conterminous United States
Year Noted: 2018
Deer Resistant: Yes
Online Resources for Panicum virgatum:
Fire Effects Information System
Lady Bird Johnson Wildflower Center Plant Database
Paspalum laeve (Field Paspalum)
Group: Plants
Type: Flowering Plants - Monocots
Family: Poaceae
Notes
Common Name: Field Paspalum
Growth Habit: Graminoid
Duration: Perennial
Origin: Native to the conterminous United States
Year Noted: 2007
General Floristic References:
Rhoads, A. F. and T. A. Block (2007). The Plants of Pennsylvania. Philadelphia, PA, University of Pennsylvania Press (p. 388).
Online Resources for Paspalum laeve:
Paspalum setaceum (Thin Paspalum)
Group: Plants
Type: Flowering Plants - Monocots
Family: Poaceae
Notes
Common Name: Thin Paspalum
Growth Habit: Graminoid
Duration: Perennial
Origin: Native to the conterminous United States
Years Noted: 2004; 2007; 2018
General Floristic References:
Rhoads, A. F. and T. A. Block (2007). The Plants of Pennsylvania. Philadelphia, PA, University of Pennsylvania Press (p. 388).
Online Resources for Paspalum setaceum:
Phalaris arundinacea (Reed Canarygrass)
Group: Plants
Type: Flowering Plants - Monocots
Family: Poaceae
Notes
Common Name: Reed Canarygrass
Growth Habit: Graminoid
Duration: Perennial
Origin: Native to the conterminous United States
Pennsylvania DCNR Invasive Plants Rating: Rank 2 — "Significant Threat. Exotic plant species that possess characteristics of invasive species but are not presently considered to spread as easily and aggressively into native plant communities as those species listed as Rank 1."
Years Noted: 2004; 2007; 2017-2018; 2022-2025
Northeast Wetland Status: FACW
Dispersed By: Animals; Birds; General Zoochory; Water; Wind
Deer Resistant: Yes
iNaturalist Observations from the GNA:
120698224 (Observed: 6/7/2022)
General Floristic References:
Magee, D. W. (1981). Freshwater Wetlands: A Guide to Common Indicator Plants of the Northeast. Amherst, MA, University of Massachusetts Press (p. 77).
Rhoads, A. F. and T. A. Block (2007). The Plants of Pennsylvania. Philadelphia, PA, University of Pennsylvania Press (p. 322).
Online Resources for Phalaris arundinacea:
Fire Effects Information System
Lady Bird Johnson Wildflower Center Plant Database
Images
Phleum pratense (Timothy)
Group: Plants
Type: Flowering Plants - Monocots
Family: Poaceae
Notes
Common Name: Timothy
Growth Habit: Graminoid
Duration: Perennial
Origin: Not native to the conterminous United States
Years Noted: 2007; 2018
Dispersed By: Animals; Birds; Deer; General Zoochory; Human Activities; Water; Wind
Allelopathic: Yes
Online Resources for Phleum pratense:
Phragmites australis (Common Reed)
Group: Plants
Type: Flowering Plants - Monocots
Family: Poaceae
Notes
Common Name: Common Reed
Growth Habit: Graminoid, Shrub, Subshrub
Duration: Perennial
Origin: Not native to the conterminous United States
Year Noted: 2020-2025
Dispersed By: Animals; Birds; General Zoochory; Water; Wind
Notes: At this time, a single population known for the Gordon: growing in the weedy area between the forest edge and the Grounds Department 'Organic Materials Processing Area.'
iNaturalist Observations from the GNA:
53102164 (Observed: 7/14/2020)
General Floristic References:
Magee, D. W. (1981). Freshwater Wetlands: A Guide to Common Indicator Plants of the Northeast. Amherst, MA, University of Massachusetts Press (p. 72).
Rhoads, A. F. and T. A. Block (2007). The Plants of Pennsylvania. Philadelphia, PA, University of Pennsylvania Press (p. 349).
Online Resources for Phragmites australis:
Fire Effects Information System
Images
Phyllostachys aureosulcata (Yellow Groove Bamboo)
Group: Plants
Type: Flowering Plants - Monocots
Family: Poaceae
Notes
Common Name: Yellow Groove Bamboo
Growth Habit: Shrub, Graminoid
Duration: Perennial
Origin: Not native to the conterminous United States
Pennsylvania DCNR Invasive Plants Rating: Rank 2 — "Significant Threat. Exotic plant species that possess characteristics of invasive species but are not presently considered to spread as easily and aggressively into native plant communities as those species listed as Rank 1."
Year Noted: 2022-2025
iNaturalist Observations from the GNA:
141707659 (Observed: 11/11/2022)
Online Resources for Phyllostachys aureosulcata:
Images
Phyllostachys bambusoides (Japanese Timber Bamboo)
Group: Plants
Type: Flowering Plants - Monocots
Family: Poaceae
Notes
Common Name: Japanese Timber Bamboo
Growth Habit: Graminoid, Shrub
Duration: Perennial
Origin: Not native to the conterminous United States
Pennsylvania DCNR Invasive Plants Rating: Rank 2 — "Significant Threat. Exotic plant species that possess characteristics of invasive species but are not presently considered to spread as easily and aggressively into native plant communities as those species listed as Rank 1."
Years Noted: 2008; 2016-2025
Online Resources for Phyllostachys bambusoides:
Images
Poa alsodes (Grove Bluegrass)
Group: Plants
Type: Flowering Plants - Monocots
Family: Poaceae
Notes
Common Name: Grove Bluegrass
Growth Habit: Graminoid
Duration: Perennial
Origin: Native to the conterminous United States
Years Noted: 2007; 2017
Dispersed By: Animals; Deer
General Floristic References:
Rhoads, A. F. and T. A. Block (2007). The Plants of Pennsylvania. Philadelphia, PA, University of Pennsylvania Press (p. 337).
Online Resources for Poa alsodes:
Poa annua (Annual Bluegrass)
Group: Plants
Type: Flowering Plants - Monocots
Family: Poaceae
Notes
Common Name: Annual Bluegrass
Growth Habit: Graminoid
Duration: Annual
Origin: Not native to the conterminous United States
Years Noted: 2007-2008; 2017-2018
Dispersed By: Agricultural Practices; Animals; Ants; Bats; Birds; Deer; General Zoochory; Human Activities; Rain (Assisted, i.e., ombrochory); Water; Wind
Online Resources for Poa annua:
Poa autumnalis (Autumn Bluegrass)
Group: Plants
Type: Flowering Plants - Monocots
Family: Poaceae
Notes
Common Name: Autumn Bluegrass
Growth Habit: Graminoid
Duration: Perennial
Origin: Native to the conterminous United States
Years Noted: 2007; 2016; 2018
General Floristic References:
Rhoads, A. F. and T. A. Block (2007). The Plants of Pennsylvania. Philadelphia, PA, University of Pennsylvania Press (p. 337).
Online Resources for Poa autumnalis:
Poa compressa (Canada Bluegrass)
Group: Plants
Type: Flowering Plants - Monocots
Family: Poaceae
Notes
Common Name: Canada Bluegrass
Growth Habit: Graminoid
Duration: Perennial
Origin: Not native to the conterminous United States
Year Noted: 2007
Dispersed By: Animals; Deer; General Zoochory; Human Activities; Water; Wind
Online Resources for Poa compressa:
Poa pratensis (Kentucky Bluegrass)
Group: Plants
Type: Flowering Plants - Monocots
Family: Poaceae
Notes
Common Name: Kentucky Bluegrass
Growth Habit: Graminoid
Duration: Perennial
Origin: Not native to the conterminous United States
Years Noted: 2004; 2007; 2009; 2017-2018
Dispersed By: Agricultural Practices; Animals; Deer; General Zoochory; Human Activities; Rain (Assisted, i.e., ombrochory); Water
Winter-green Species: i.e., Is a species whose leaves develop in the fall and overwinter.
General Floristic References:
Rhoads, A. F. and T. A. Block (2007). The Plants of Pennsylvania. Philadelphia, PA, University of Pennsylvania Press (p. 339).
Wintergreen Species References:
Beatley, J. C. 1956. The winter-green herbaceous flowering plants of Ohio. The Ohio Journal of Science 56(6): 349-377.
Online Resources for Poa pratensis:
Fire Effects Information System
Poa sylvestris (Woodland Bluegrass)
Group: Plants
Type: Flowering Plants - Monocots
Family: Poaceae
Notes
Common Name: Woodland Bluegrass
Growth Habit: Graminoid
Duration: Perennial
Origin: Native to the conterminous United States
Years Noted: 2007; 2018
General Floristic References:
Rhoads, A. F. and T. A. Block (2007). The Plants of Pennsylvania. Philadelphia, PA, University of Pennsylvania Press (p. 340).
Online Resources for Poa sylvestris:
Poa trivialis (Rough Bluegrass)
Group: Plants
Type: Flowering Plants - Monocots
Family: Poaceae
Notes
Common Name: Rough Bluegrass
Growth Habit: Graminoid
Duration: Perennial
Origin: Not native to the conterminous United States
Pennsylvania DCNR Invasive Plants Rating: Rank 2 — "Significant Threat. Exotic plant species that possess characteristics of invasive species but are not presently considered to spread as easily and aggressively into native plant communities as those species listed as Rank 1."
Years Noted: 2004; 2007; 2009; 2012; 2017-2020
Dispersed By: Agricultural Practices; Animals; Birds; General Zoochory; Human Activities; Rain (Assisted, i.e., ombrochory); Water
iNaturalist Observations from the GNA:
51618863 (Observed: 7/1/2020)
57581008 (Observed: 5/16/2019)
Online Resources for Poa trivialis:
Images
Puccinellia distans (Weeping Alkaligrass)
Group: Plants
Type: Flowering Plants - Monocots
Family: Poaceae
Notes
Common Name: Weeping Alkaligrass
Growth Habit: Graminoid
Duration: Perennial
Origin: Undetermined
Year Noted: 2017-2018
Northeast Wetland Status: OBL
Dispersed By: Animals; Deer; General Zoochory; Human Activities; Water; Wind
General Floristic References:
Rhoads, A. F. and T. A. Block (2007). The Plants of Pennsylvania. Philadelphia, PA, University of Pennsylvania Press (p. 330).
Online Resources for Puccinellia distans:
Schedonorus arundinaceus (Tall Fescue)
Group: Plants
Type: Flowering Plants - Monocots
Family: Poaceae
Notes
Common Name: Tall Fescue
Growth Habit: Graminoid
Duration: Perennial
Origin: Not native to the conterminous United States
Pennsylvania DCNR Invasive Plants Rating: Rank 3 — "Lesser Threat. Exotic plant species that spread in or near disturbed areas, and are not presently considered a major threat to undisturbed native plant communities."
Synonyms: Festuca elatior L. ssp. arundinacea (Schreb.) Hack.Years Noted: 2007; 2017-2018
Allelopathic: Yes
Online Resources for Schedonorus arundinaceus:
Fire Effects Information System
Schedonorus pratensis (Meadow Fescue)
Group: Plants
Type: Flowering Plants - Monocots
Family: Poaceae
Notes
Common Name: Meadow Fescue
Growth Habit: Graminoid
Duration: Perennial
Origin: Not native to the conterminous United States
Synonyms: Festuca elatior L.Year Noted: 2004
Dispersed By: Animals; General Zoochory; Human Activities; Water; Wind
Online Resources for Schedonorus pratensis:
Fire Effects Information System
Schizachyrium scoparium (Little Bluestem)
Group: Plants
Type: Flowering Plants - Monocots
Family: Poaceae
Notes
Common Name: Little Bluestem
Growth Habit: Graminoid
Duration: Perennial
Origin: Native to the conterminous United States
Year Noted: 2007
Bee Beneficial: Yes
Deer Resistant: Yes
Listed as a "Bee Plant" By the Lady Bird Johnson Wildflower Center:
Nesting Materials
General Floristic References:
Rhoads, A. F. and T. A. Block (2007). The Plants of Pennsylvania. Philadelphia, PA, University of Pennsylvania Press (p. 392).
Online Resources for Schizachyrium scoparium:
Fire Effects Information System
Lady Bird Johnson Wildflower Center Plant Database
Setaria faberi (Japanese Bristlegrass)
Group: Plants
Type: Flowering Plants - Monocots
Family: Poaceae
Notes
Common Name: Japanese Bristlegrass
Growth Habit: Graminoid
Duration: Annual
Origin: Not native to the conterminous United States
Years Noted: 1967-2000; 2004; 2007-2008; 2017-2018
Dispersed By: Animals; General Zoochory
Allelopathic: Yes
Online Resources for Setaria faberi:
Images
Setaria parviflora (Marsh Bristlegrass)
Group: Plants
Type: Flowering Plants - Monocots
Family: Poaceae
Notes
Common Name: Marsh Bristlegrass
Growth Habit: Graminoid
Duration: Perennial
Origin: Native to the conterminous United States
Synonyms: Setaria geniculata (Wild.) P. BeauvYears Noted: 2004; 2018
General Floristic References:
Rhoads, A. F. and T. A. Block (2007). The Plants of Pennsylvania. Philadelphia, PA, University of Pennsylvania Press (p. 387).
Online Resources for Setaria parviflora:
Setaria pumila (Yellow Foxtail)
Group: Plants
Type: Flowering Plants - Monocots
Family: Poaceae
Notes
Common Name: Yellow Foxtail
Growth Habit: Graminoid
Duration: Annual
Origin: Not native to the conterminous United States
Years Noted: 2004; 2007; 2017-2020
Dispersed By: Animals; General Zoochory; Human Activities; Water
iNaturalist Observations from the GNA:
57181754 (Observed: 8/20/2020)
Online Resources for Setaria pumila:
Images
Setaria viridis (Green Bristlegrass)
Group: Plants
Type: Flowering Plants - Monocots
Family: Poaceae
Notes
Common Name: Green Bristlegrass
Growth Habit: Graminoid
Duration: Annual
Origin: Not native to the conterminous United States
Year Noted: 2018
Dispersed By: Animals; Birds; General Zoochory; Human Activities; Rain (Assisted, i.e., ombrochory); Water
Allelopathic: Yes
Online Resources for Setaria viridis:
Sorghastrum nutans (Indiangrass)
Group: Plants
Type: Flowering Plants - Monocots
Family: Poaceae
Notes
Common Name: Indiangrass
Growth Habit: Graminoid
Duration: Perennial
Origin: Native to the conterminous United States
Years Noted: 2004; 2007; 2016; 2018-2024
Bee Beneficial: Yes
Deer Resistant: Yes
Listed as a "Bee Plant" By the Lady Bird Johnson Wildflower Center:
Nesting Materials
iNaturalist Observations from the GNA:
137416160 (Observed: 9/29/2022)
32184056 (Observed: 9/5/2019)
62080495 (Observed: 10/8/2020)
General Floristic References:
Rhoads, A. F. and T. A. Block (2007). The Plants of Pennsylvania. Philadelphia, PA, University of Pennsylvania Press (p. 391).
Online Resources for Sorghastrum nutans:
Fire Effects Information System
Lady Bird Johnson Wildflower Center Plant Database
Images
Sphenopholis intermedia (Slender Wedgescale)
Group: Plants
Type: Flowering Plants - Monocots
Family: Poaceae
Notes
Common Name: Slender Wedgescale
Growth Habit: Graminoid
Duration: Perennial
Origin: Native to the conterminous United States
Years Noted: 2007; 2017
General Floristic References:
Rhoads, A. F. and T. A. Block (2007). The Plants of Pennsylvania. Philadelphia, PA, University of Pennsylvania Press (p. 333).
Online Resources for Sphenopholis intermedia:
Tridens flavus (Purpletop Tridens)
Group: Plants
Type: Flowering Plants - Monocots
Family: Poaceae
Notes
Common Name: Purpletop Tridens
Growth Habit: Graminoid
Duration: Perennial
Origin: Native to the conterminous United States
Years Noted: 2004; 2007; 2018; 2020
Deer Resistant: Yes
iNaturalist Observations from the GNA:
61767647 (Observed: 10/1/2020)
General Floristic References:
Rhoads, A. F. and T. A. Block (2007). The Plants of Pennsylvania. Philadelphia, PA, University of Pennsylvania Press (p. 350).
Online Resources for Tridens flavus:
Images
Smilax glauca (Cat Greenbrier)
Group: Plants
Type: Flowering Plants - Monocots
Family: Smilacaceae
Notes
Common Name: Cat Greenbrier
Growth Habit: Shrub, Vine
Duration: Perennial
Origin: Native to the conterminous United States
Years Noted: 1984; 2004; 2007; 2009; 2012; 2017-2018; 2020
iNaturalist Observations from the GNA:
65954281 (Observed: 12/1/2020)
General Floristic References:
Rhoads, A. F. and T. A. Block (2007). The Plants of Pennsylvania. Philadelphia, PA, University of Pennsylvania Press (p. 148).
Online Resources for Smilax glauca:
Images
Smilax herbacea (Smooth Carrionflower)
Group: Plants
Type: Flowering Plants - Monocots
Family: Smilacaceae
Notes
Common Name: Smooth Carrionflower
Growth Habit: Forb/herb, Vine
Duration: Perennial
Origin: Native to the conterminous United States
Years Noted: 1984; 2007; 2016-2018; 2022
Dispersed By: Animals; Birds
Winter-green Species: i.e., Is a species whose leaves develop in the fall and overwinter.
General Floristic References:
Rhoads, A. F. and T. A. Block (2007). The Plants of Pennsylvania. Philadelphia, PA, University of Pennsylvania Press (p. 148).
Online Resources for Smilax herbacea:
Images
Smilax pulverulenta (Downy Carrionflower)
Group: Plants
Type: Flowering Plants - Monocots
Family: Smilacaceae
Notes
Common Name: Downy Carrionflower
Growth Habit: Vine, Forb/herb
Duration: Perennial
Origin: Native to the conterminous United States
Years Noted: 2004; 2007; 2017-2018
General Floristic References:
Rhoads, A. F. and T. A. Block (2007). The Plants of Pennsylvania. Philadelphia, PA, University of Pennsylvania Press (p. 149).
Online Resources for Smilax pulverulenta:
Smilax rotundifolia (Roundleaf Greenbrier)
Group: Plants
Type: Flowering Plants - Monocots
Family: Smilacaceae
Notes
Common Name: Roundleaf Greenbrier
Growth Habit: Vine, Shrub
Duration: Perennial
Origin: Native to the conterminous United States
Years Noted: 1965; 1971; 1984; 2004; 2007-2008; 2015-2018; 2022
iNaturalist Observations from the GNA:
109240229 (Observed: 3/22/2022)
106571606 (Observed: 2/11/2022)
General Floristic References:
Rhoads, A. F. and T. A. Block (2007). The Plants of Pennsylvania. Philadelphia, PA, University of Pennsylvania Press (p. 149).
Online Resources for Smilax rotundifolia:
Fire Effects Information System
Images
Typha latifolia (Broadleaf Cattail)
Group: Plants
Type: Flowering Plants - Monocots
Family: Typhaceae
Notes
Common Name: Broadleaf Cattail
Growth Habit: Forb/herb
Duration: Perennial
Origin: Native to the conterminous United States
Years Noted: 2004; 2007; 2013; 2017-2025
Northeast Wetland Status: OBL
Dispersed By: Human Activities; Water; Wind
Deer Resistant: Yes
iNaturalist Observations from the GNA:
58657353 (Observed: 9/4/2020)
General Floristic References:
Block, T. A. and A. F. Rhoads (2011). Aquatic Plants of Pennsylvania. A Complete Reference Guide. Philadelphia, PA, University of Pennsylvania Press (p. 71).
Magee, D. W. (1981). Freshwater Wetlands: A Guide to Common Indicator Plants of the Northeast. Amherst, MA, University of Massachusetts Press (p. 61).
Rhoads, A. F. and T. A. Block (2007). The Plants of Pennsylvania. Philadelphia, PA, University of Pennsylvania Press (p. 183).
Online Resources for Typha latifolia:
Fire Effects Information System
Lady Bird Johnson Wildflower Center Plant Database
Images
Juniperus virginiana (Eastern Redcedar)
Group: Plants
Type: Gymnosperms
Family: Cupressaceae
Notes
Lenape Name: pëpxòkwës.
Common Name: Eastern Redcedar
Growth Habit: Tree
Duration: Perennial
Origin: Native to the conterminous United States
Years Noted: 1984; 2007; 2017-2020; 2023-2026
Dispersed By: Animals; Birds; Deer
Allelopathic: Yes
Deer Resistant: Yes
Invertebrates That Have Been Noted at the GNA That Are Said to Visit Eastern Redcedar:
Green Cone-headed Planthopper (Acanalonia conica)iNaturalist Observations from the GNA:
327181781 (Observed: 11/18/2025)
310255727 (Observed: 8/30/2025)
Source for Lenape Name(s): delawaretribe.org/wp-content/uploads/Lenape-Names-of-Other-Trees.pdf
General Floristic References:
Dove, T. and G. Woolridge. 2018 (p. 102). Essential Native Trees and Shrubs for the Eastern United States. Imagine Books, Watertown, MA. 312 pp.
Fergus, C. 2002 (p. 42). Trees of Pennsylvania and the Northeast. Stackpole Books, Mechanicsville, PA. 272 pp.
Rhoads, A. F. and T. A. Block. 2005 (p. 293-295). Trees of Pennsylvania. A Complete Reference Guide. University of Pennsylvania Press, Philadelphia, PA. 407 pp.
Rhoads, A. F. and T. A. Block. 2007 (p. 114). The Plants of Pennsylvania, Second Edn. University of Pennsylvania Press, Philadelphia, PA. 1042 pp.
Online Resources for Juniperus virginiana:
Fire Effects Information System
Lady Bird Johnson Wildflower Center Plant Database
Images
Pinus strobus (Eastern White Pine)
Group: Plants
Type: Gymnosperms
Family: Pinaceae
Notes
Lenape Name: kuwe.
Common Name: Eastern White Pine
Growth Habit: Tree
Duration: Perennial
Origin: Native to the conterminous United States
Years Noted: 1984; 2002; 2004; 2007-2008; 2013; 2016-2026
Dispersed By: Wind
Allelopathic: Yes
Deer Resistant: Yes
iNaturalist Observations from the GNA:
85456218 (Observed: 7/2/2021)
46768269 (Observed: 5/21/2020)
Source for Lenape Name(s): delawaretribe.org/wp-content/uploads/Lenape-Names-of-Other-Trees.pdf
General Floristic References:
Dove, T. and G. Woolridge (2018). Essential Native Trees and Shrubs for the Eastern United States. Watertown, MA, Imagine Books (p. 132).
Rhoads, A. F. and T. A. Block (2005). Trees of Pennsylvania. A Complete Reference Guide. Philadelphia, PA, University of Pennsylvania Press (p. 260-262).
Rhoads, A. F. and T. A. Block (2007). The Plants of Pennsylvania. Philadelphia, PA, University of Pennsylvania Press (p. 109).
Online Resources for Pinus strobus:
Fire Effects Information System
Lady Bird Johnson Wildflower Center Plant Database
Images
Taxus cuspidata (Japanese Yew)
Group: Plants
Type: Gymnosperms
Family: Taxaceae
Notes
Common Name: Japanese Yew
Growth Habit: Tree
Duration: Perennial
Origin: Not native to the conterminous United States
Years Noted: 1984; 2004; 2018; 2020-2021
Dispersed By: Birds
Allelopathic: Yes
Notes: In the Gordon, only known from seedlings.
iNaturalist Observations from the GNA:
71481354 (Observed: 3/24/2020)
Online Resources for Taxus cuspidata:






















































































































































































































































































































































































































































































































































































































































































































































































































































































































































































































































































































































































































































































































































































































































































































































































































































































































































































































































































































































































































